KTC Topography Report Lane Map Guide C
User Manual:
Open the PDF directly: View PDF
.
Page Count: 17

KTC Topography Report
Lake Wales, FL
08/24/2018 07:48:00

Introduction
Understanding the Data
This guide is designed to compare each pair of lanes in the bowling center. The data presented is:
LaneMap™ Graph - A colored gravitational slope graph of each lane
The Kegel LaneMapper™ is a state of the art device that can efficiently and accurately log digital
recordings of surface topography. Designed by Kegel specifically for bowling lanes, the LaneMapper™
reads and records both length and crosswise levels while simultaneously logging crowns and
depressions of all 39 boards at any distance on the lane to an accuracy of .001 inch. The LaneMap
Guide was derived from this tool and data.
Kegel is pleased to provide you with this revolutionary LaneMap™ Guide. This guide is an assessment
of the gravitational forces on each board of each lane in this bowling center. It will assist you in
knowing how much and where gravitational forces come into the play on each lane as the bowling ball
travels from foul line to head pin.

Another variable is Slope per Board™. Each board has a specific slope, calculated from the
crosswise tilt, crowns, and depressions. The degree of this slope has a proportional effect on the
ball path and can also influence the rate of energy depletion of the bowling ball. I.e. deplete
energy sooner or later.
For example, a board with a 2/1000” slope will affect the ball twice as much as a board with a
1/1000” slope. Bowlers throw balls on different boards and each ball is only affected by the
slope of the board it’s on. The other slopes don’t matter to that ball because quite simply, it’s not
on them.
Topography is defined as the graphical representation of surface features indicating relative
positions and elevations. It’s a known fact that changes in topography adversely affect the ball
path and ball motion (rate of energy depletion). When topographical features are randomly
different on a bowling lane, so is ball motion.

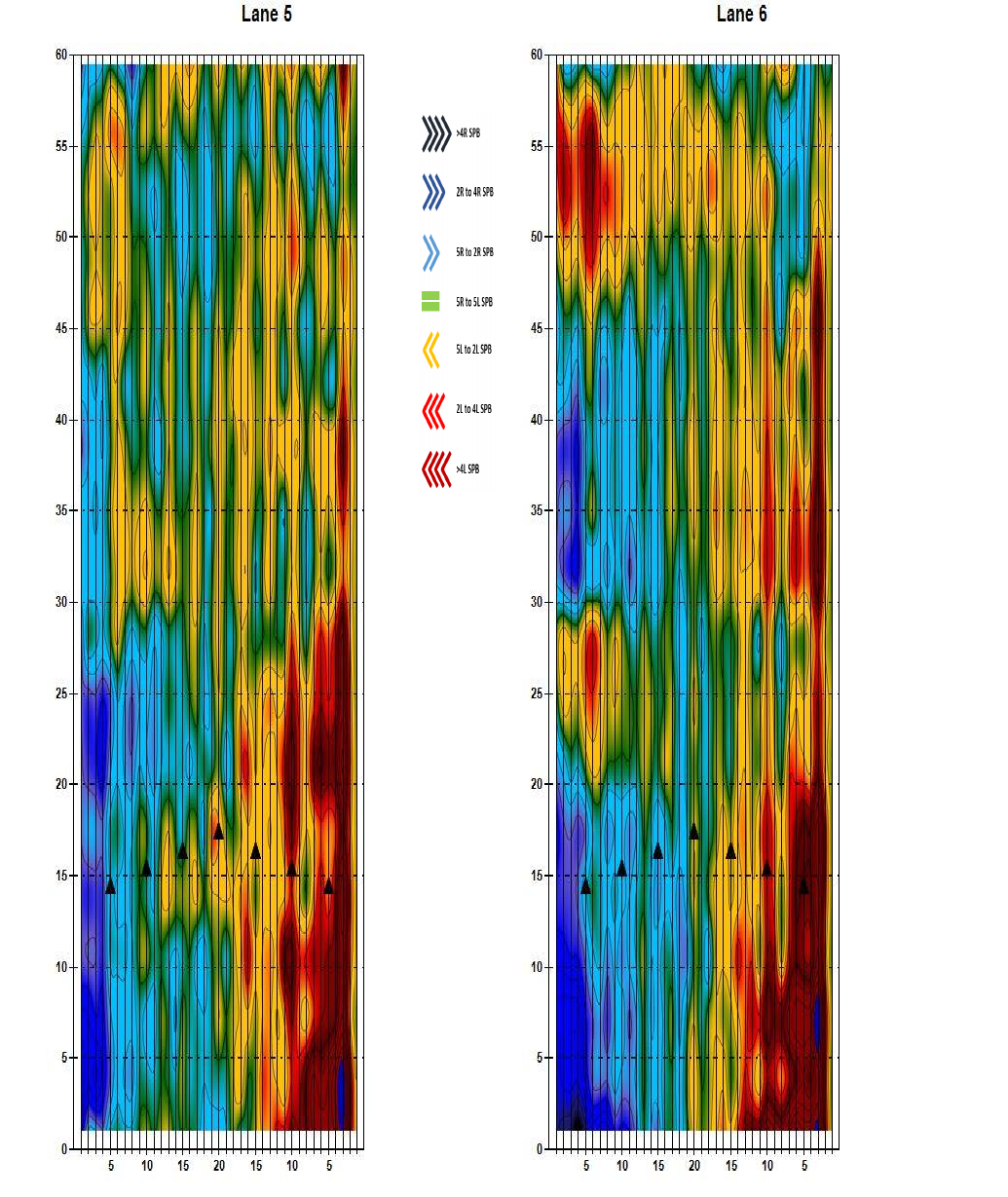
Kegel LaneMap™ Graph
The revolutionary Kegel LaneMap™ graph shows the
slope per board and is the gravitational influence on the
“canvas” (lane) prior to the application of “paint” (lane
conditioner). Gravity and friction are separate forces on a
bowling ball but gravity problems cannot be fixed with
friction solutions.
Since the lanes are generally oiled identically, differences
between lanes in ball reaction will be a function of
differences in gravitational forces “under” the conditioner.
In order for two lanes to play the same, they must not only
be oiled the same, but they also must have similar
gravitational influences in comparable places.
The black and dark blue areas on the LaneMap™ graph
are very strong gravitational influences to the right while
light blue areas are less, but still substantial influences to
the right.
The maroon and red areas are very strong gravity
influences to the left, while orange areas are less but still
substantial influences to the left.
Green represents areas of very little gravity influence.
The bottom of the graph is the foul line and the top of the
graph is right before the pins.

Bowling Center Lane Details
Number of Lanes: 12
Lane Suface: Wood
Year of Installation: 2000
Lane Suface Leveral and Underlayment: Wood
Underlayment Year Installation: 2000
Head Area Replaced?: Yes
Approach Surface: Wood
Pin Decks: DBA
Pinsetters: AMF
Scoring System: Qubica

KTC Topography Report
Lane 1

KTC Topography Report
Lane 2

KTC Topography Report
Lane 3

KTC Topography Report
Lane 4

KTC Topography Report
Lane 5

KTC Topography Report
Lane 6

KTC Topography Report
Lane 7

KTC Topography Report
Lane 8

KTC Topography Report
Lane 9

KTC Topography Report
Lane 10

KTC Topography Report
Lane 11

KTC Topography Report
Lane 12