AirMap 2000C Owners Manual Air Map Lowranceairmap2000cmanual
User Manual: AirMap 2000C
Open the PDF directly: View PDF
.
Page Count: 148 [warning: Documents this large are best viewed by clicking the View PDF Link!]

AirMap 2000c
Aviation Mapping GPS Receiver
Operation Instructions

Copyright © 2004 Lowrance Electronics, Inc.
All rights reserved.
No part of this manual may be copied, reproduced, republished, trans-
mitted, distributed, downloaded or stored in any storage medium, for
any purpose, without prior written consent of Lowrance Electronics.
Any unauthorized commercial distribution of this manual is
strictly prohibited.
AirMap, Lowrance Avionics and Lowrance are all registered trade-
marks of Lowrance Electronics, Inc. MapCreate is a trademark of LEI.
Jeppesen is a registered trademark of Jeppesen Sanderson, Inc.
Navionics is a registered trademark of Navionics, Inc.
DURACELL is a registered trademark of Duracell, Inc.
RAYOVAC is a registered trademark of Rayovac Corporation.
Points of Interest Data in this unit are by infoUSA,
copyright 2001-2004, All Rights Reserved. infoUSA is a
trademark of infoUSA, Inc.
eXitSource Database, copyright 2001-2003 Zenrin Co.
Ltd. Exit Authority and eXitSource are trademarks of
Zenrin Co. Ltd.
All features and specifications subject to change without notice. All
screens in this manual are simulated.
For free owner's manuals and the most current information on
this product, it's operation and accessories, visit our web site:
www.lowrance.com
Lowrance Electronics Inc.
12000 E. Skelly Dr.
Tulsa, OK USA 74128-2486
Printed in USA.
i
Table of Contents
Sec. 1: Read Me First! ............................................................... 1
Capabilities and Specifications .................................................... 3
How AirMap Works .................................................................... 5
Introduction to GPS and WAAS................................................... 7
How to Use this Manual: Typographical Conventions................ 9
Sec. 2: Installation & Accessories ........................................11
Power........................................................................................... 11
Emergency Backup Batteries..................................................... 11
Cigarette Lighter Power Adapter .............................................. 13
MMC or SD Memory Card Installation ..................................... 13
External Active Antenna............................................................ 14
R-A-M Bracket Mounting System ............................................ 16
Protective Bag ............................................................................. 17
Protective Cover.......................................................................... 18
Sec. 3: Aviation Operation.....................................................19
Keypad......................................................................................... 19
Power/Lights (Turn Unit On and Off) ....................................... 20
Main Menu .................................................................................. 20
Pages ........................................................................................... 22
Satellite Status Page .............................................................. 23
Navigation Page...................................................................... 25
Compass Rose with HSI and OBS Hold............................. 26
Map Page................................................................................. 31
Aviation GPS Quick Reference ............................................ 39
Find your Current Position ........................................................ 40
Moving around the Map: Zoom & Cursor Arrow Keys.............. 40
Selecting any Map Item with the Cursor .................................. 41
Searching..................................................................................... 42
Find Nearest Airport (Shortcut) ................................................ 44
Navigating to Nearest Airport with the AirMap....................... 44
Setting a Waypoint ..................................................................... 45
Navigate Back to a Waypoint..................................................... 45
Navigate to Cursor Position on Map.......................................... 46
Navigate to a Point of Interest................................................... 47
Go "Direct to" (Using the Direct to Button)............................... 47
Airspace Status ........................................................................... 48
Airport Information .................................................................... 48
Runways .................................................................................. 49
Runway Approach Guidance Feature .................................... 50
Services.................................................................................... 51
Transfer Custom Maps and GPS Data Files ............................. 52
Switch to Land Mode .................................................................. 54
ii
Switch Back to Aviation Mode from Land Mode ................... 54
Aviation Calculators ................................................................... 54
E6B Altitude/Airspeed Calculator.......................................... 54
E6B Wind Speed/Direction Calculator................................... 55
Vertical Navigation Calculator .............................................. 56
Sec. 4: Land Operation ........................................................... 57
Keypad......................................................................................... 57
Power/Lights (Turn Unit On and Off) ....................................... 58
Main Menu .................................................................................. 58
Pages ........................................................................................... 58
Satellite Status Page .............................................................. 59
Navigation Page...................................................................... 59
Map Page................................................................................. 60
Moving around the Map: Zoom & Cursor Arrow Keys.............. 61
Find Distance from Current Position to Another Location ...... 61
Find Distance from Point to Point ......................................... 62
Find your Current Position ........................................................ 62
Icons............................................................................................. 63
Create Icon on Map................................................................. 63
Create Icon at Current Position ............................................. 63
Delete an Icon ......................................................................... 64
Load GPS Data Files from an MMC .......................................... 64
Navigate ...................................................................................... 65
Navigate Back to Man Overboard Waypoint......................... 65
Cancel Navigation................................................................... 65
Navigate a Route..................................................................... 65
Navigate to Cursor Position on Map...................................... 65
Navigate to an Icon................................................................. 66
Navigate to Point of Interest (POI) ........................................ 66
Navigate to a Waypoint .......................................................... 66
Navigate a Trail ...................................................................... 66
Backtrack a Trail .................................................................... 68
Routes.......................................................................................... 68
Create and Save a Route ........................................................ 68
Delete a Route ......................................................................... 71
Save GPS Data Files to an MMC............................................... 71
Searching..................................................................................... 72
Switch to Aviation Mode............................................................. 74
Switch Back to Land Mode from Aviation Mode ................... 74
Trails ........................................................................................... 74
Create and Save a Trail.......................................................... 74
Delete a Trail .......................................................................... 75
Edit a Trail Name ................................................................... 75
iii
Transferring GPS Data .............................................................. 75
Transferring and Loading Custom Maps .................................. 75
Utilities........................................................................................ 75
Alarm Clock............................................................................. 76
Sun/Moon Rise & Set Calculator............................................ 76
Trip Calculator........................................................................ 76
Trip Down Timer..................................................................... 76
Trip Up Timer ......................................................................... 76
Waypoints.................................................................................... 76
Create a Waypoint .................................................................. 76
Create a Man Overboard Waypoint ....................................... 77
Selecting a Waypoint .............................................................. 78
Delete a Waypoint................................................................... 78
Edit a Waypoint (Name, Symbol, Position or Altitude) ........ 78
Sec. 5: System & GPS Setup Options................................... 79
Alarms ......................................................................................... 79
Aviation Alarms .......................................................................... 80
Auto Satellite Search.................................................................. 81
Battery Indicator ........................................................................ 82
Check MMC Files and Storage Space........................................ 82
Com Port Configuration ............................................................. 82
Coordinate System Selection...................................................... 83
Map Fix.................................................................................... 85
Customize Page Displays ........................................................... 86
GPS Simulator ............................................................................ 87
Map Auto Zoom........................................................................... 88
Map Data..................................................................................... 88
Show Map Data....................................................................... 89
Pop-Up Map Info ..................................................................... 89
Map Boundaries ...................................................................... 89
Fill Water with White............................................................. 89
Map Overlays (Range Rings; Lat/Long Grid) ........................ 89
Map Datum Selection ................................................................. 90
Map Detail Category Selection................................................... 90
Map Orientation ......................................................................... 91
Navionics Charts....................................................................... 92
Port Information ..................................................................... 93
Tidal Current Information ..................................................... 94
Tide Information ..................................................................... 96
Pop-Up Help................................................................................ 97
Reset Options .............................................................................. 98
Screen Contrast and Brightness ................................................ 98
Set Language ............................................................................ 100
iv
Set Local Time .......................................................................... 101
Software Version Information.................................................. 102
Sounds and Alarm Sound Styles.............................................. 102
Track Smoothing....................................................................... 103
Trail Options ............................................................................. 104
Update Active Trail Option .................................................. 104
Update Trail Criteria (Auto, Time, Distance) ..................... 104
Trail Update Rate (Time, Distance)..................................... 105
New Trail............................................................................... 105
Units of Measure....................................................................... 106
Sec. 6: Searching.................................................................... 109
Aviation Mode Searches ...................................................... 109
Find an Airspace (Using Cursor) ............................................. 109
Find Airports (Aviation Mode only) ......................................... 110
Find VORs (Aviation Mode only).............................................. 111
Find NDBs (Aviation Mode only) ............................................. 113
Find Intersections (Aviation Mode only).................................. 115
Land Mode Searches............................................................. 116
Find Addresses.......................................................................... 116
Find any Item Selected by Map Cursor ................................... 118
Find Interstate Highway Exits ................................................ 119
Find Map Places........................................................................ 120
Find Streets or (Street) Intersections ...................................... 122
Find Waypoints......................................................................... 124
Sec. 7: Supplemental Material............................................ 127
Index......................................................................................... 133
WARNING!
A CAREFUL NAVIGATOR NEVER RELIES ON ONLY ONE METHOD
TO OBTAIN POSITION INFORMATION.
CAUTION
When showing navigation data to a position (waypoint), a GPS unit will show
the shortest, most direct path to the waypoint. It provides navigation data to the
waypoint regardless of obstructions. Therefore, the prudent navigator will not
only take advantage of all available navigation tools when traveling to a way-
point, but will also visually check to make sure a clear, safe path to the waypoint
is always available.
WARNING!
When a GPS unit is used in a vehicle, the vehicle operator is solely re-
sponsible for operating the vehicle in a safe manner. Vehicle operators
must maintain full surveillance of all pertinent driving, boating or fly-
ing conditions at all times. An accident or collision resulting in damage
to property, personal injury or death could occur if the operator of a
GPS-equipped vehicle fails to pay full attention to travel conditions and
vehicle operation while the vehicle is in motion.
1
Section 1: Read Me First!
How this manual can get you flying, fast!
Welcome to the exciting world of GPS! We know you're anxious to take
off and begin navigating, but we have a favor to ask. Before you head for
the plane, please give us a moment or two to show you how to skip
around our manual for the information you need. (Tips start on page 2.)
We want to help you get the best performance from this versatile little
GPS unit — in the air, on the ground and on the sea!
Before we go any further, we want to thank you for buying an AirMap
2000C. Whether you're a first time GPS user or a professional naviga-
tor, you'll find that the AirMap 2000C includes a complete set of power-
ful aeronautical mapping and navigation features, yet is easy to use.
How easy? Well, if you've already figured out how to load the
card and batteries yourself, and you just can't wait any longer,
turn to the Quick Reference on page 39 and head outside with
your AirMap! You can be practicing touch-and-goes at a nearby
airport in only 12 steps.
Not in that big of a hurry? Good, because we really recommend you
practice a bit before taking your AirMap aloft. The AirMap 2000C is a
powerful GPS+WAAS receiver, but its slim silhouette is crammed with
lots of extra features and value. You don't need to learn them all right
away, but a little practice on the ground will help you become familiar
with AirMap's capabilities — and make you a safer pilot. Flying, of
course, is why you bought an AirMap, but it's like having three differ-
ent GPS receivers in one. Here are the other two reasons why.
Need business or pleasure travel directions or phone numbers after
landing? You don't need another GPS — when you leave the cockpit,
just move your AirMap into your car and take advantage of the fully-
functional Land Navigation Mode. With your own custom-built Map-
Create 6 map, your AirMap can use a massive searchable Point of
Interest database of businesses and attractions to lead you to your final
destination. (Land Mode Operation is described in Section 4; Searching
is covered in Section 6.)
And AirMap performance doesn't stop at the water's edge. If your des-
tination is a boating or fishing adventure, your AirMap will help you
safely navigate the Great Lakes and coastal U.S. waters with our
70,000-item database of marine navigation aids, wrecks and obstruc-
tions. (This also requires a MapCreate map; functions are discussed in
Section 4. The MapCreate manual has an Easy Mode Quick Reference
of its own; it'll help you make a map in just 6 steps.)
2
Whether your AirMap 2000 is the only GPS in the cockpit or backing up
an in-panel display, you're using the most versatile and most affordable
color-screen GPS receiver in the aviation market today.
Our goal for this book is to get you in the air (or out on the road) fast,
with a minimum of fuss. Like you, we'd rather spend more time flying,
and less time reading the manual!
So, we designed our book so that you don't have to read the whole thing
from front to back for the information you want. At the start (or end) of
each segment, we'll tell you what content is coming up next. If it's a
concept you're already familiar with, we'll show you how and where to
skip ahead for the next important topic.
You may be the button-pushing type who just likes to play with the
GPS first, before peeking inside the manual. That’s fine, because Air-
Map menus have a pop-up Help feature that will answer many of your
questions. If this is your learning style, turn to the installation instruc-
tions in Section 2, then step outdoors with your unit. When you come to
a menu command you want to learn more about, jut turn to the Table of
Contents or the Index and look it up.
The manual is organized into six sections. If you’re new to GPS, prefer
a tutorial approach to learning or just want to explore more of the awe-
some features in your AirMap, we suggest you skim some of these sec-
tions more closely.
This first section is an introduction to AirMap, GPS and WAAS. It tells
you the basics you need to know before you can make AirMap look
around and tell you where you are.
Section 2, Installation, will help you get the power and MultiMedia
Card (MMC) correctly installed in your AirMap. (The card contains the
Jeppesen Americas and Lowrance Obstructions aeronautical data-
bases.) We'll also tell you how to install the RAM mounting bracket on
a yoke and the remote active antenna in an aircraft window or on top of
the instrument panel.
Section 3 is really the heart of our book, Aviation Mode Operation. It
will introduce you to the basic airborne GPS functions. This section in-
cludes the one-page Aviation Mode Quick Reference we mentioned ear-
lier. The rest of Section 3 contains short, easy-to-scan lessons that fol-
low one another in chronological order. They're all you'll need to know
to get in the air quickly.
Aviation Mode instructions are only 38 pages long, and these lessons
will meet the navigation needs of many pilots. But, after you've learned
the basics (or if you already have some GPS experience), you may want
3
to try out some of AirMap's many advanced features. That brings us to
Section Four, Land Mode Operation. After we introduce the Land Mode
menus and submenus, the rest of the section contains AirMap's more
advanced command functions.
Your AirMap is ready to use right out of the box, but you can fine tune
and customize its operation with dozens of options. We describe how to
use them in Section 5, System Setup and GPS Setup Options. This sec-
tion covers both Aviation Mode and Land Mode options.
Finally, in Section 6, we go into more detail on one of AirMap's most
remarkable capabilities — Searching. We'll introduce a couple of search
examples in both the Aviation and Land mode sections, but there are so
many map and aeronautical items you can search for, we had to give
this function its own section in the manual! For example, we mentioned
telephone numbers earlier. Your AirMap can function as a virtual Yel-
low Pages, and we’ll show you how in Section 6.
Now, if you're into the fine details, glance over the next segment on specifi-
cations to see just how much GPS power this little unit holds. It's impor-
tant to us (and our power users), but, if you don't care how many waypoints
AirMap can store or just how many pixels we've crammed onto the screen,
skip ahead to important information on how AirMap works, on page 5.
Capabilities and Specifications
Display:............................ 1/4 VGA color, transflective TFT display; 5.0"
(12.7 cm) diagonal viewing area.
Resolution:...................... 320 pixels (vert.) x 240 pixel (horiz.) resolu-
tion; 153,600 total pixels
Backlighting:................... Color backlit screen and keypad for night use.
Input power:......................6 volts DC (uses four 1.5v AA batteries as
emergency backup power). Cigarette lighter
power adapter included. Optional rechargeable
battery pack available.
Case size:......................... 6.25" H x 4.9" W x 2.5" D (16 x 12.5 x 6.4 cm);
water resistant to IPX-2 standards.
Weight:............................. 1.45 pounds (657 grams) with batteries.
Receiver: ......................... Internal, 12 parallel channel GPS+WAAS;
advanced active remote external antenna in-
cluded.
Recording: ...................... Removable MMC or SD memory cards for
recording GPS trip details, displaying cus-
tom maps, upgrading operating system soft-
4
ware and transferring trip data to personal
computer without a slow serial connection.
USB card reader included with unit.
MMC slots: ...................... One, inside battery compartment. Accepts
non-proprietary MMC or SD memory cards.
Aeronautical map: ........ Jeppesen Americas database with airports,
VORs, NDBs, intersections and airspaces
(including Class D). Lowrance Obstructions
database displays ground obstructions in
AGL or MSL heights.
Background map:.......... Built-in custom, detailed Lowrance map.
Contains: low-detail maps of the whole world
(containing cities, major lakes, major rivers,
political boundaries); and medium-detail
maps of the United States (containing all in-
corporated cities; Interstate, U.S. and state
highways; Interstate highway exits and exit
services information; large- and medium-
sized lakes and streams.)
Custom mapping: .......... Accepts custom, higher-detail MapCreate 6
mapping on memory cards, with searchable
Points-of Interest database of hotels, restau-
rants, shopping, services and more. Navion-
ics charts on MMC cards optional.
Mapping memory: ......... Up to 512 MB on one MMC (MultiMedia
Card) or SD (Secure Digital) card.
Position updates: .......... Every one second.
Position points: ............. 1,000 waypoints; 1,000 event marker icons.
Graphic symbols for
waypoints or event
marker icons: ................. 42.
Routes:............................. 100; up to 100 waypoints per route.
Plot Trails: ...................... 100 savable; up to 10,000 points per trail.
Nearest Airport: ............ Quickly locates an airfield closest to your
current position. (Aviation Mode only.)
Man Overboard:............. MOB feature precisely marks man overboard
location with special icon, then automatically
displays navigation data to that position.
(Land Mode only.)
5
Com Port: ........................ One serial communications port, NMEA 0183
version 2.0 compatible. Allows exchange of
position data with another device, such as an
autopilot or personal computer. Optional
combination serial/power cable available.
Zoom range:.................... 40 ranges; 0.02 to 4,000 miles.
NOTE:
The above memory capacities refer only to AirMap's on-board mem-
ory. The amount of GPS data you can record and save for recall later
is only limited by the number of MMC cards you carry with you.
How AirMap Works
You'll navigate faster and easier if you understand how AirMap scans
the sky to tell you where you are on the earth — and, where you're go-
ing. (But if you already have a working understanding of GPS receivers
and the GPS navigation system, skip on ahead to Section 2, Installation
& Accessories on page 11. If you're new to GPS, read on, and you can
later impress your friends with your new-found knowledge.)
First, think of your AirMap as a small but powerful computer. (But
don't worry — we made AirMap so easy to use, you don't need to be a
computer expert to find your way!) The unit includes a keypad and a
screen with menus so you can tell AirMap what to do. The screen also
lets AirMap show your location on a moving map, as well as point the
way to your destination.
This "computer" also contains an antenna and specialized scanning re-
ceiver, something like your car radio. But instead of your favorite dance
tunes or VOR signals, this receiver tunes in to a couple of dozen GPS sat-
ellites circling the earth. (WAAS satellites, too, but more about them later.)
AirMap listens to signals from as many satellites as it can "see" above
the horizon, eliminates the weakest signals, then computes its location
in relation to those satellites. Once the AirMap figures its latitude and
longitude, it plots that position on the map shown on the screen. While
the screen is updated once a second the internal calculations are done
several times a second.
The performance doesn't stop there. Stored in the permanent memory
of each AirMap is a basic background map of the entire world. (For just
what's in the map, see the preceding segment on specifications.) We
lock it in here at the factory — you can't change or erase this map.
The background map, along with the Jeppesen and Lowrance aeronautical
databases, are all you need for aerial navigation. (Your unit reads these
databases automatically from the MMC card included in the package.)
6
The background map is also suitable for many land and marine naviga-
tion chores, but for maximum surface accuracy and much more detail,
you need a custom map from MapCreate 6. Some AirMap features —
such as searching for businesses and addresses — won't work without a
custom MapCreate map. There is so much detail in our background
map (and even more in MapCreate) that we'll compare their contents
and differences in Section 3, Aviation Mode Operation.
Another portion of AirMap's onboard memory is devoted to recording GPS
navigation information, which includes waypoints, event marker icons,
trails and routes. This lets you plan a route for a flight or look back the
way you came. Think of this data storage like the hard drive memory in a
computer. You can save several different GPS data files, erase 'em and
record new ones, over and over and over again. Like any computer file,
these GPS Data Files (file format *.usr) can be shared between AirMaps,
other Lowrance GPS or sonar/GPS units, even personal computers.
AirMap has one more thing in common with a personal computer. Just
as computers have a floppy disk drive for storing and exchanging files,
AirMap has a slot for an MMC (MultiMedia Card) or SD card (Secure
Digital Card) flash memory card. These solid-state memory devices are
about the size of a postage stamp, but can hold data ranging from 8 MB
to 512 MB in size. (Compare that to a floppy disk's 1.44 MB capacity!)
AirMap uses all that MMC space for two key purposes.
First, you can backup your onboard GPS Data Files by copying them to
the MMC. Since the MMC is removable (like a floppy disk or a video
tape), you can store these GPS Data Files on a personal computer
equipped with an MMC card reader. (Or store them on a pocketful of
MMCs, if you don't have a computer handy.) Our MapCreate mapping
software can save, edit or create its own GPS Data Files, which can be
copied to the MMC and then loaded from the MMC into AirMap's mem-
ory. (NOTE: No matter where they come from, GPS Data Files must be
loaded from the MMC into memory before AirMap can use them.)
As we mentioned earlier, the other key use for MMCs is storage of the
aeronautical databases and high-detail maps from MapCreate. These
Custom Map Files (file format *.lcm) can also be shared between Air-
Maps, other Lowrance GPS or sonar/GPS units and personal computers.
You make your own Custom Map Files with our MapCreate software,
but you don't have to. We also sell ready-to-use FreedomMaps. These
custom maps are pre-loaded on MMCs. (No computer work required!).
7
Introduction to GPS and WAAS
Well, now you know the basics of how AirMap does its work. You might
be ready to jump ahead to Section 2, Installation & Accessories, on page
11, so you can install the power. Or you might want to see how our text
formatting makes the manual tutorials easy to skim. If that's the case,
move on to "How to Use This Manual" on page 9. But, if you want to
understand the current state of satellite navigation, look over this seg-
ment describing how GPS and its new companion WAAS work together
to get you where you're going.
First of all, why are pilots so excited about GPS navigation? GPS is
more accurate than other navaids, such as VOR and NDB. GPS is free
of environmental limitations that affect other navigation systems and
it's available worldwide. GPS receivers like your AirMap are highly af-
fordable, easy to use and not confined to your cockpit! GPS frees a pilot
to accurately navigate to or from virtually any map place on earth —
navigation is no longer limited to the aeronautical navaid network.
With a mapping GPS, a pilot always knows exactly where he is. A GPS
receiver makes it easier for a pilot to apply wind correction angles and
fly true headings, as well as determine true ground speed.
The Global Positioning System (GPS) was launched July 17, 1995 by
the United States Department of Defense. It was designed as a 24-
hour-a-day, 365-days-a-year, all weather global navigation system for
the armed forces of the U.S. and its allies. Civilian use was also avail-
able at first, but it was less accurate because the military scrambled
the signal somewhat, using a process called Selective Availability (SA).
GPS proved so useful for civilian navigation that the federal govern-
ment discontinued SA on May 2, 2000, after the military developed
other methods to deny GPS service to enemy forces. Reliable accuracy
for civilian users jumped from 100 meters (330 feet) under SA to the
present level of 10 to 20 meters (about 30 to 60 feet).
Twenty-four satellites orbit 10,900 miles above the Earth, passing over-
head twice daily. A series of ground stations (with precisely surveyed
locations) controls the satellites and monitors their exact locations in the
sky. Each satellite broadcasts a low-power signal that identifies the sat-
ellite and its position above the earth. Three of these satellites are
spares, unused until needed. The rest virtually guarantee that at least
four satellites are in view nearly anywhere on Earth at all times.

8
A minimum of three satellites are required to determine a 2D fix.
The system requires signal reception from three satellites in order to
determine a position. This is called a 2D fix. It takes four satellites to
determine both position and elevation (your height above sea level —
also called altitude). This is called a 3D fix.
Remember, the unit must have a clear view of the satellites in order to
receive their signals. Unlike radio or television signals, GPS works at
very high frequencies. These signals can be easily blocked by trees,
buildings, an automobile roof, a wing, even your body.
Like most GPS receivers, AirMap doesn’t have a compass or any other
navigation aid built inside. It relies solely on the signals from the sat-
ellites to calculate a position. Speed, direction of travel, and distance
are all calculated from position information. Therefore, in order for
AirMap to determine direction of travel, you must be moving and the
faster, the better. This is not to say that it won’t work at walking or
boat trolling speeds — it will. There will simply be more "wandering" of
the data shown on the display.
GPS is plenty accurate for route navigation, but the U.S. Federal Avia-
tion Administration has special needs for aircraft traffic control that go
beyond basic GPS. The FAA has a plan under way to boost GPS per-
formance even further with its Wide Area Augmentation System, or
WAAS. This GPS add-on will include a time control element that will
help airliners fly closer together while avoiding collisions. In addition to
carefully spacing airplanes along travel corridors, WAAS will eventu-
ally make instrument landings and takeoffs more accurate as it re-
places existing aviation navigation systems.
9
WAAS signals make your GPS navigation even more accurate. Your
AirMap automatically receives both GPS and WAAS signals. However,
WAAS has some limits you should know about.
First, the U.S. government has not completed construction of the WAAS
system, so it is not yet fully operational. The ground stations are in
place, but only a few of the needed WAAS satellites have been launched.
WAAS can boost the accuracy of land and marine GPS navigation, but the
system is designed for aircraft. The satellites are in a fixed orbit above the
Equator, so they appear very low in the sky to someone on the ground in
North America. Aircraft and vessels on open water can get consistently
good WAAS reception, but terrain, foliage or even large man-made struc-
tures frequently block the WAAS signal from ground receivers.
You'll find that using your GPS+WAAS receiver is both easy and
amazingly accurate. It’s easily the most accurate method of electronic
navigation available to the general public today. Remember, however,
that this receiver is only a tool. As this manual goes to press, the FAA
has not yet certified any hand-held GPS+WAAS receivers for use as the
sole navigation aid for VFR pilots. Always have another method of
navigation available, such as a sectional chart and your aircraft's mag-
netic and gyro compasses, or a conventional nav/com radio.
Also remember that this unit shows navigation information in the
shortest line from your present position to an airport, VOR or other
waypoint, regardless of obstacles and terrain! It only calculates posi-
tion, it can’t know what’s between you and your destination, for exam-
ple. It’s up to you to safely navigate around obstacles and rising terrain,
no matter how you’re using this product.
How to use this manual: typographical conventions
Many instructions are listed as numbered steps. The keypad and arrow
"keystrokes" appear as boldface type. So, if you're in a real hurry (or
just need a reminder), you can skim the instructions and pick out what
menu command to use by finding the boldface command text. The para-
graphs below explain how to interpret the text formatting for those
commands and other instructions:
Arrow Keys
The arrow keys control the movement of dotted cross-hair lines on your
mapping screen called the cursor. The arrow keys also help you move
around the AirMap menus so you can execute different commands.
They are represented by symbols like these, which denote the down ar-
row key, the up arrow, the left arrow and the right arrow: ↓ ↑ ← →.
10
Keyboard
The other keys perform a variety of functions. When the text refers to a
key to press, the key is shown in bold, sans serif type. For example, the
"Enter/Save" key is shown as ENT and the "Menu" key is shown as MENU.
Menu Commands
A menu command or a menu option will appear in small capital letters,
in a bold sans serif type like this: SYSTEM SETUP. These indicate that you
are to select this command or option from a menu or take an action of
some kind with the menu item. Text that you may need to enter or file
names you need to select are shown in italic type, such as trail name.
Instructions = Menu Sequences
Most functions you perform with AirMap are described as a sequence of
keystrokes and selecting menu commands. We've written them in a
condensed manner for quick and easy reading.
For example, instructions for deleting all icons from memory would look
like this:
1. Press MENU|↓ to DELETE MY ICONS|ENT|ENT.
2. Press ← to YES|ENT.
3. Press EXIT.
Translated into complete English, step 1 means: "Press the Menu key.
Next, press the down arrow key to scroll down the menu and select
(highlight) the Delete My Icons menu command. Finally, press the En-
ter key twice."
Step 2 means: "Press the left arrow key to select Yes, then press Enter."
Step 3 means: "Press the Exit key to clear the menu and return to the
Map Page."
Important Keyboard Shortcut Tip:
There are often three ways to move around an AirMap menu. For
simplicity, we've written our instructions using the Enter key (ENT) to
complete a move from one menu to the next. However, many com-
mands have shortcuts that will help your fingers fly across the keys.
Almost every page menu command lets you press ← or → instead of
ENT. This is always true for commands with an ellipsis (MAP DATA…) or
an arrow (GPS SETUP ►). Our menus also "wrap around;" that is, they
form a circular loop. This means when you open a menu and need to
reach the bottom command, you can get there by pressing ↑ one time
instead of holding or repeatedly pressing ↓. A cockpit can be a busy
place; practice with these shortcuts and you can run AirMap com-
mands faster, with less finger movement from key to key.
11
Section 2:
Installation & Accessories
Power
For your safety, we have designed the AirMap to work with several
power sources, so you can ensure continuous operation by providing
multiple emergency backups. The AirMap operates on 6 volts DC using
an external power cable with a cigarette lighter adapter.
In case your plane has no cigarette lighter, we also sell an optional re-
chargeable gel cell battery with connectors. If you do have a cigarette
lighter, this rechargeable battery can function as a backup in case your
plane's power fails. If you're interested in a rechargeable battery (or
other accessories for this product), see the ordering information inside
the back cover of this manual.
Whether your AirMap is connected to the plane's power or the optional
rechargeable battery, if either of these external power sources fails, the
unit will automatically switch to the emergency backup batteries. For
the emergency backup, the unit uses AA batteries.
WARNING!
Due to the powerful backlight and the vivid color screen, sustained
use of the AirMap 2000 requires more power than AA batteries alone
can supply. Although the unit won't operate long on battery power, we
strongly recommend that you keep fresh batteries in the unit as an
emergency backup power source. If the primary power source fails,
the unit will automatically switch to the batteries, thus keeping the
unit on without interruption.
Flash memory and an internal lithium battery will keep your stored
data safe and accessible for the life of the product.
Emergency Backup Batteries
The unit requires four 1.5-volt AA batteries. We recommend that you
use alkaline batteries for the best trade-off between battery life and
cost. We recommend DURACELL brand, but other brands will work.
If you're looking for an extended-life battery, the Duracell ULTRA bat-
tery has performed well in our tests.
You can also use rechargeable AA alkaline batteries, such as those
made by RAYOVAC, or rechargeable AA nickel metal hydride (NiMH)
batteries. We do not recommend nickel cadmium (NiCd) rechargeable
batteries because you will get poor battery life.

12
Rechargeable alkaline batteries will not last as long as standard alka-
line batteries. NiMH batteries are rechargeable and should also give
you suitable battery life.
Do not mix different battery types. Mixing battery types may cause leak-
age. (For example, don’t use both alkaline and NiMH batteries at the
same time, and don't use standard alkalines with rechargeable alkalines.)
Battery Installation
Turn the unit over so that the back is facing you and loosen the thumb-
screw at the bottom of the battery case. Place your fingers in the ridged
grips on the outside edge of the battery compartment cover. Press in on
the grips and lift the cover away from the unit case. The battery cover
will pull free.
Loosen thumbscrew and remove AirMap battery cover.
Install the batteries according to the decal in the battery compartment,
which shows the correct polarity. Point the positive pole of the leftmost
battery down, and alternate them as you move right.
Replace the battery compartment cover. Align the cover latch tabs with
the slots inside the case. Slide the cover into place, and then push down
on the bottom edge until the cover snaps into place.
Replace battery compartment cover:
Slide cover into place, left. Press in cover's bottom edge, right

13
Cigarette Lighter Power Adapter
To use external DC power: Plug the power cable's cigarette lighter
adapter into a cigarette lighter receptacle. Next, firmly press the cable's
connector into the socket on the back of the AirMap's case.
Attach external power cable to AirMap.
MMC or SD Memory Card Installation
Your AirMap uses a MultiMedia Card to store information, such as cus-
tom maps, waypoints and other GPS data. The unit can also use Secure
Digital Cards (SD cards) to store information.
NOTE:
Throughout this manual, we will use the term MMC, but just re-
member that your unit can use an MMC or SD card to store data.
Both of these solid-state flash memory devices are about the size of a
postage stamp. An SD card is slightly thicker than an MMC. As this
manual went to press, MMCs were available in storage capacities of 8
MB, 16 MB, 32 MB and 64 MB. SD cards were available in capacities of
8 MB, 16 MB, 32 MB, 64 MB, 128 MB, 256 MB and up. We have tested
SD cards up to 256 MB.
Additional MMC cards are available from LEI Extras; see ordering in-
formation inside the back cover of this manual. MMCs and SD cards
are also available at many consumer electronics stores.
The MMC slot is located in the battery compartment, next to the bat-
teries on the right side of the unit.
To remove an MMC
1. Remove battery compartment cover.

14
Drag the MMC from its slot by pressing against its label.
2. Hold unit facedown in left hand. With your right hand, press a finger
against the label of the MMC and drag it from the slot.
To add an MMC or SD Card
1. Remove battery compartment cover.
2. Hold the unit in one hand. Grasp the bottom edge of the MMC with
your other hand. The MMC label should be toward you.
3. Fit the top (notched) edge of the MMC into the MMC slot.
4. With your finger on the card's label, gently push the card into the slot.
Fit the MMC into its slot and then press it into position.
5. Replace the battery cover. (Remember to tighten the thumb screw.)
External Active Antenna
A GPS antenna requires a clear view of the sky for optimum operation.
Inside the cockpit, your AirMap can sometimes maintain satellite lock
while sitting on the yoke or seat beside you, but we don't recommend
this for optimum performance.
Since the "view" is restricted to what can be seen through the window,
this operating mode will reduce position accuracy and will increase the
chance of losing satellite lock. Inside a plane, the unit operates best
with an external antenna mounted on the windshield or dash.

15
You may achieve good results by simply placing the external RAA-4
antenna on the top of the dash, at the base of the windshield. Many pi-
lots like to attach the antenna to the top of their instrument panel glare
shields. Depending on the surface, a strip of adhesive Velcro or a piece
of the rubber non-skid shelf liner material available in recreational ve-
hicle supply stores will help hold the antenna in place.
Attach AirMap antenna to windshield bracket with two screws.
We recommend attaching the antenna to your windshield or other win-
dow. For this reason, the remote active antenna packaged with your
AirMap includes a suction-cup mount. Be sure to mount the antenna in
a location where it will not obstruct your view.
Press suction cup plate firmly against a window with unobstructed view.

16
Wherever you mount the antenna, make sure it is in a location with an
unobstructed view of the sky. If you're sticking it to a window, moisten
the suction cups on the mounting plate and press firmly against the
window. Route the cable so that it won't interfere with flying. Then,
simply plug the connector into the unit's antenna socket, located on the
back, in the upper left corner of the case. The AirMap will automati-
cally switch to use the RAA-4 remote antenna when plugged in.
R-A-M Bracket Mounting System
A R-A-M mounting bracket is shipped with your AirMap. The mounting
arm and cradle can swivel on a ball for easy viewing in any type of vehicle.
Attach the mounting bracket to the stem of the yoke. Then, tighten the
knob at the bracket's base to keep the bracket from sliding around on
the yoke stem. Next, angle the arm so that the unit will be held in front
of the yoke. When you are satisfied with the bracket position, tighten
the base knob to keep the bracket from shifting.
First, attach the R-A-M mounting bracket to the yoke (shown left).
Then, attach the ball mount plate to the back of the AirMap case
(shown right).
Now attach the ball mount plate to the back of AirMap case, as shown
in the preceding image. Tighten the thumbscrews, and then fit the ball
mount into the mounting bracket's arm.

17
Fit the ball mount into the mounting bracket's arm, and tighten the
arm knob to hold the unit in place (shown left). At right, you can see
an AirMap 2000 securely mounted above a yoke.
Protective Bag
Your AirMap comes with a cloth bag designed to protect the unit from
minor scratches and dings when it's tucked into your flight bag or lug-
gage. It's shown in the following image.
The bag is large enough to accommodate the unit with the ball mount
plate attached. Just dismount the AirMap, drop it into the bag and pull
the drawstring snug.
A protective cloth bag is included with your unit.
Tip:
The bag will guard against scratches on the display, but in a
crowded flight bag, the Power key could be bumped and cause a
battery drain. To avoid this, use the plastic protective cover in-
cluded with your unit (see following).

18
Protective Cover
This hard cover simply snaps on and off the front of the unit. If you
store your unit in an aircraft or other vehicle, the cover protects the
screen from damage that can result from long-term exposure to the
sun's ultraviolet rays.
If you carry the unit with you in a flight bag or luggage, the cover protects
against screen scratches. It also stops battery drain by preventing the
Power button from being bumped and accidentally turning on the unit.
CVR-4 protective hard cover for AirMap 2000.
WARNING:
When the unit is mounted in an unprotected area, such as
an open aircraft or boat cockpit, the protective face cover
must be removed when the vehicle is moving at high
speed. This includes towing a boat on a trailer at highway
speeds. Otherwise, wind blast can pop off the cover.
To remove
cover, grab
either corner
with an index
finger and pull. Raised area protects
keypad and stops
accidental power on.

19
Section 3:
Aviation Operation
This section addresses AirMap's main aviation GPS functions. The
principles are the same in both operating modes, so this discussion also
serves as a good introduction to Land Mode work.
Before you turn on the AirMap and find where you are, it's a good idea
to learn about the different keys, the three Page screens and how they
all work together. BUT, if you just can't wait to get outside, grab the
batteries and turn to the one-page Quick Reference on page 39.
Keypad
AirMap 2000 keypad.
1. PWR/LIGHT (Power & Light) – The PWR key turns the unit on and
off and activates the backlight.
2. PAGES – Pressing this key and the arrow keys will switch the unit
between the three different page screens in Aviation Mode. (Satellite,
Navigation and Map.) Each page represents one of the unit's major
modes of operation.
3. MENU – Press this key to show the menus, which allow you to select
or adjust a feature from a list.
4. ARROW KEYS – These keys are used to navigate through the
menus, make menu selections, move the chart cursor and enter data.
5. ENT/SAVE (Enter & Save) – This key allows you to save data, to
accept values or to execute menu commands. Also use it to quickly cre-
ate waypoints or icons.
6. EXIT – The Exit key lets you return to the previous screen, clear
data or erase (clear) a menu.
5
4
2
8
7
9
6
3
1

20
7. FIND (Direct To) – The Find key launches the AirMap search
menus. It also allows you to go Direct To items shown in search lists.
8. ZOUT – (Zoom Out) – This key lets you zoom the screen out to see a
larger geographic area on the map. Less detail is seen as you zoom out.
9. ZIN – (Zoom In) – This key lets you zoom the screen in to see greater
detail in a smaller geographic area on the map.
Power/lights on and off
To turn on the unit, press PWR. To turn on the backlight, press PWR
again. Pressing PWR once again will turn off the backlight. (Press EXIT
to clear any message or alarm displays.)
Turn off the unit by pressing and holding the PWR key for 3 seconds.
Each time your AirMap powers up, two messages appear. The first is a
reminder to use your AirMap in conjunction with other navigation aids.
The second is a copyright statement. Press EXIT to clear each message.
Press Exit key to clear these opening screen messages.
Main Menu
Aviation Mode has a single Main Menu, which contains some function
commands and some setup option commands. The tutorials in this sec-
tion will deal only with primary functions, the basic commands that
make AirMap do something. These lessons are designed for use with
the unit's options set at their factory defaults. But, if you want to learn
more about the various option settings, see Sec. 5, System Setup and
GPS Setup Options.
To access the Main Menu from any Page: press MENU|MENU. To clear
the menu screen and return to the page display, press EXIT.

21
Main Menu, Aviation Mode.
The Main Menu commands and their functions are:
Screen command: changes the contrast or brightness of the display
screen.
Sounds command: enables or disables the sounds for key strokes and
alarms and sets the alarm style.
Alarms command: turns arrival, off course and anchor GPS alarms on
or off and changes alarm thresholds.
Aviation Alarms command: turns distance, time, near and inside air-
space alarms on or off and changes alarm thresholds.
Route Planning command: used to plan, view or navigate a route.
My Trails command: shows, hides, creates and deletes plot trails. Also
used to navigate or backtrack a trail.
Cancel Navigation command: turns off the various navigation com-
mands. Used to stop navigating after you have reached your destina-
tion navaid, waypoint, Point of Interest or map cursor location; or after
you reach the end of a route or trail.
GPS Setup command: sets various GPS receiver options and runs the
GPS Simulator.
System Setup command: sets general configuration options.
Aviation Calculators command: controls several aeronautical calcula-
tors. These include: E6B flight computer functions (altitude and air
speed calculator, wind speed and direction calculator.) and a vertical
navigation calculator. alarm clock, up timer and down timer.

22
Sun/Moon Calculations command: finds the rising and setting times of
the sun and moon for any location on any day from the year 2000 to
2064. This also shows the moon phase.
Trip Calculator command: shows trip status and statistics, such as trip
time, distance and average speed.
Timers command: controls settings and alarms for an up timer, a down
timer and an alarm clock.
Browse MMC Files command: this allows you to view the installed
MMC card and the files it contains.
Pages
Aviation Mode has three main Page displays that represent the three
major operating modes. They are the Satellite Status Page, the Naviga-
tion Page and the Map Page. They are accessed by pressing the PAGES
key, which calls up the Pages Menu. You then press the left ← arrow
key or the right → arrow key to scroll among the three pages in an
endless circular loop.
The Map Page has five display options: Map Panel, Full Map, Compass
Overlay, Two Maps and Aviation Map. You access these display options
by pressing the PAGES key, then the down ↓ arrow or up ↑ arrow keys.
To clear the Pages Menu, press EXIT.
The following series of seven images shows the Pages Menu and display
options on their corresponding screens.

23
This series of figures shows the Pages Menu for all three main screens
and their various display options.
Each of the three main Pages also has a submenu screen associated
with it. You access a Page Submenu by pressing the MENU key one time
while the page is displayed. (Pressing the MENU key twice takes you to
the Main Menu.)
Several pages share similar display features. For example, the Naviga-
tion Page and the Map Page's Map Panel option both have a VSI or
Vertical Speed Indicator. To reduce redundancy in our text, we will de-
scribe some of these duplicate features when discussing the page on
which they are most prominent.
Satellite Status Page
This Page, shown in the following images, provides detailed informa-
tion on the status of AirMap's satellite lock-on and position acquisition.
To get to the Satellite Status Page: press PAGES then either → or ←
until the page appears, then press EXIT.

24
No matter what page you are on, a flashing current position indica-
tor/question mark symbol and flashing GPS data displays indicate that
satellite lock has been lost and there is no position confirmed. This page
shows you the quality and accuracy of the current satellite lock-on and
position calculation.
WARNING:
Do not begin navigating with this unit until the numbers
have stopped flashing!
Satellite Page. Left view indicates unit has not locked on to any satellites
and does not have a fix on its positionRight view shows satellite-lock on
with a 3D position acquired (latitude, longitude and altitude) and WAAS
corrections. The bottom data box shows either a battery power indicator or
a voltage indicator, depending on what power source is being used.
This screen shows a graphical view of the satellites that are in view.
Each satellite is shown on the circular chart relative to your position.
The point in the center of the chart is directly overhead. The small in-
ner ring represents 45° above the horizon and the large ring represents
the horizon. North is at the top of the screen. You can use this to see
which satellites are obstructed by obstacles in your immediate area if
you hold the unit facing north.
The GPS receiver is tracking satellites that are in blue type. The re-
ceiver hasn't locked onto a satellite if the number is in dark blue, there-
fore it isn't being used to solve the position.
25
Beneath the circular graph are the bar graphs, one for each satellite in
view. Since the unit has twelve channels, it can dedicate one channel
per visible satellite. The taller the bar on the graph, the better the unit
is receiving the signals from the satellite.
The Position Error box (sometimes called EPE for "Estimated Position
Error") is shown in the bottom left corner of the screen. This is the ex-
pected error from a benchmark location. In other words, if the Position
Error shows 50 feet, then the position shown by the unit is estimated to
be within 50 feet of the actual location. This also gives you an indicator
of the fix quality the unit currently has. The smaller the position error
number, the better (and more accurate) the fix is. If the position error
flashes dashes, then the unit hasn't locked onto the satellites, and the
number shown isn't valid.
The Satellite Status Page has its own menu, which is used for setting
various options. (Options and setup are discussed in Sec. 5.) To access
the Satellite Status Page Menu, from the Status Page, press MENU.
Tip:
You can fully customize the data boxes at the bottom of the Status
screen. There are 29 types of information to select from. For cus-
tomization instructions see the Customize Page Displays topic in
Sec. 5, System and GPS Setup Options.
Navigation Page
To get to the Navigation Page: press PAGES then either → or ← to se-
lect the page. (Clear the Pages Menu by pressing EXIT.)
The Navigation Page has its own menu, which is used for setting vari-
ous options. (Options and setup are discussed in Sec. 5.) To access the
Navigation Page Menu, from the Navigation Page, press MENU.
The data boxes on the Navigation Page can be fully customized. You can
select from 28 types of navigation information. For customization instruc-
tions see the Customize Page Displays topic in Sec. 5, System and GPS
Setup Options.
The Navigation Page combines the main compass display in one window
with a map display in another window, plus four data boxes. An amazing
amount of information is crammed into this one display. We'll discuss
how to move between the two windows at the end of this segment.

26
Navigation Page.
The Navigation Page combines several instruments and situational aware-
ness tools that offer the look of a "glass cockpit" panel display. The instru-
ments surrounding the central compass rose are discussed when we describe
the Map Page's Map Panel option on page 35. Now, we want to talk about
the heart of this display – the compass rose – and its Horizontal Situation
Indicator.
Compass Rose With HSI and OBS Hold
The Navigation Page has a compass rose that shows your direction of
travel and the direction to a recalled waypoint or other destination,
such as an airport or VOR. It can also show your intended course and
whether you are currently on course or off course.
The navigation screen looks like the one in the following image when
you're not navigating to a waypoint or other destination. No graphic course
information is displayed. Your position is shown by an airplane symbol in
the center of the screen. The arrow pointing down at the top of the compass
rose indicates the current track (direction of travel) over the ground.

27
Navigation Page, traveling north. Page looks like this when AirMap is not
navigating to a waypoint, following a route, or backtracking a trail.
When navigating to a waypoint or following a route, the HSI screen
looks like the one shown in the next image. Navigation information
such as bearing, track and course can be shown in data boxes.
Tip:
You can fully customize the upper data boxes, and there are 26
types of information to select from. For customization instructions
see the Customize Page Displays topic in Sec. 5, System and GPS
Setup Options.
The heart of this page is the Course Arrow with its Course Deviation
Indicator (CDI) needle. It gives you a quick, easy to read visual indica-
tor of the relationship between your current direction (track) and de-
sired direction (course). Pilots familiar with "fly to the needle" VOR in-
struments or large in-panel GPS screens will quickly feel comfortable
with this HSI feature.
Compass rose
Present
position
of ai
r
craft
Navigation
information
displays in
Data Boxes
Moving map
display
GPS altimeter
Vertical Speed
Indicator
Ground speed
window
Track or compass heading indicator, showing direction of travel

28
Navigation Page, flying TO KTUL on a course of 343º. The pilot needs
to turn left to "center the needle" and get on course. The plane is cur-
rently 2.1 nautical miles to the right of the course. The cross track er-
ror range is set at 4.00 nautical miles.
The course line is an imaginary line drawn from your position when
you started navigating to the destination waypoint. It's shown on the
HSI screen as a segmented course arrow. The cross track error is the
distance you are off-course to the side of the desired course line. The
current cross track error can be shown in a data box (Off Course) and
graphically by the CDI needle, which is the middle segment of the
course arrow.
Dots on either side of the course arrow show the current cross track
error scale, which is a graphic depiction of the cross track error range.
The default for the cross track error range is 4.0 nautical miles, which
is shown in a floating text box under the scale. If you veer four nautical
miles to the left or right of the course, the off course alarm will appear.
If you are off course to the right, the range box floats to the right of the
course line. If you are off to the left, the range box appears to the left of
the course arrow. While you are on this page, you can use the ZIN or
ZOUT keys to increase or decrease the cross track error range.
White bearing
arrow (pointing
to destination)
Cross track
error range
Course Deviation
Indicator needle
(CDI)
Course arrow
Destination
name
Track or compass heading indicator, showing direction of travel

29
Following a course by "chasing the needle." Fig. 1, plane has veered off
course to the right by a little over 2 nautical miles, away from the nee-
dle. Fig. 2, pilot turns on heading of 332º, steering left toward CDI nee-
dle to intersect intended course. Fig. 3, pilot has intercepted his route
and is virtually on course.
The most important graphic element, however, is the CDI needle. The
CDI and the cross track error scale instantly show you the distance to
the course line, as well as the direction to steer to get back on course. In
the example above, fig. 1 shows the pilot off course to the right, so the
CDI needle appears to the left of the plane symbol. Fig. 3 shows the pi-
lot back on course, so the CDI needle appears to line up with the course
arrow. If you steer toward the CDI needle line, you'll always be heading
in the correct direction to get back on course.
NOTE:
The examples above all show navigation to a waypoint, the most com-
mon method of GPS navigation. To show navigation from a waypoint,
see the instructions on the OBS Hold feature later in this section.
Navigating with OBS Hold
AirMap contains an OBS Hold feature to help you navigate along a pilot-
selected radial to or from a location. You must first turn on navigation to a
location before you can access OBS Hold. While running a route or navi-
gating to a waypoint, you launch OBS Hold from the Navigation Page;
just press the right or left arrow to initiate it.
Fig. 1 Fig. 2 Fig. 3
CDI needle
Course a
r
row
TO arrow

30
NOTE:
You must be navigating to some destination to begin using OBS
Hold. Usually this will be a VOR, or some other Aviation Waypoint
in the Jeppesen database. See the entry Searching later in this sec-
tion if you need help finding and setting up navigation to a waypoint.
In the example below, Air Traffic Control contacts a pilot flying north
across Oklahoma and warns him of a dangerous storm ahead. To avoid
it, they instruct him to fly outbound on a radial of 320° from the nearby
VOR "FZT."
To use OBS Hold:
1. From the Navigation Page, while navigating to something, press ←
or →.
2. A window will pop up asking you if you want to activate OBS Hold.
Press ←|ENT. Use ← or → to change the OBS Hold radial until it
reaches the angle you need. Press ← to decrease the angle, press → to
increase it.
Left, pilot navigating to VOR. Center, Navigation Panel page with OBS
Hold menu. Right, HSI display with OBS Hold activated. The Course (if
displayed) shows the OBS direction instead of original Course.
The navigation data will now begin showing directions along the OBS ra-
dial instead of toward your original destination. The white arrow near the
airplane icon indicates you are navigating FROM a waypoint. Remember
that you can change the radial of OBS Hold using the right and left arrow
keys. Press ← to decrease the angle, press → to increase it.

31
Use the Clear OBS Hold command to resume navigation. The HSI dis-
play will point to your original destination again.
You can turn off OBS Hold at any time using the Navigation Page menu.
1. Press MENU|↓ to CLEAR OBS HOLD|ENT.
2. A window will pop up asking you if you want to cancel OBS Hold.
Press ←|ENT. Press EXIT to clear the menu.
The navigation data will once again direct you to your destination, or the
next waypoint in the route you're navigating. Beginning navigation to a
new destination will automatically clear OBS Hold, as well.
Map Page
The map screens show your course and track from a "bird's-eye" view.
These are moving map displays, that is, the map automatically scrolls
beneath you as you fly. The Map Page offers five display options, which
we will describe in a moment.
By default, this unit almost always shows aviation maps in Track Up
orientation. (This can be changed using options described in the topic
Map Orientation, in Sec. 5.) If you're navigating to a waypoint, the map
also shows your starting location, present position, course line and des-
tination.
NOTE:
When our text says "navigating to a waypoint," we really mean navi-
gation to any selected item, whether it is a waypoint you made, a
map feature or an item (like a VOR) from the Jeppesen database.
To get to the Map Page: Map Page's Full Map option is the default screen
when AirMap is turned on. To switch from another page to the Map
Page, press PAGES then use → or ← to select a page, then press ↑ or ↓ to
select a page display option. (Clear the Pages Menu by pressing EXIT.)

32
Map Page Menu.
Map Page Menu
To get to Map Page Menu: press MENU while displaying a map page.
The map menu has many options. It allows you to get information on
the airspace you're in with the Airspace Status command. You can also
find distances, change the orientation of your map, view map data, and
other helpful map functions. Read more about these functions in Sec. 5,
System Setup and GPS Setup Options.
Tip:
We've incorporated some type of map display in several different
pages. Most of the screen characteristics described in this segment
apply to virtually every map display in the unit.
Map Display Options
Full Map page display option
The aircraft symbol centered in the lower third of the screen is your
present position. It points in the direction you're traveling. The default
setting is off, but you can display a solid line extending from the plane's
tail to mark your plot trail, or path you've taken. (Remember, a flashing
question mark on your plane symbol or flashing text displays means
AirMap has not yet calculated a position.)
The map zoom range is the distance across the screen. This number
shows in the lower left corner of the screen. In the first example below
left, the range is 4,000 nautical miles from the left edge of the map to
the right edge of the map. In the right image, the range is 30 nm.

33
Far left, Map Page opening screen, Full Map display option. Center,
zoomed to 150 nautical miles and right, zoomed to 30 nautical miles. (Note
that the five data boxes or text boxes appearing in the bottom of these
images are on by default. They can be individually turned off or you can
customize the display to show a different type of information in each box.)
The Zoom In and Zoom Out keys zoom the map to enlarge or reduce its cov-
erage area and the amount of mapping detail shown. There are 40 available
map zoom ranges, from 0.02 nautical miles to 4,000 nautical miles.
AirMap's high resolution screen makes it possible to display aeronautical
chart features that look like the "real thing." If you're familiar with sectional
charts, you will instantly recognize items such as obstacles, VORs, special
airspaces, paved and unpaved airports and more. As you zoom in closer,
you'll see Class B airports appear at a fairly wide zoom. Zoom in closer and
Class C and D airports appear, as well as restricted airspaces. At closer
zooms still you can even see Class C airspace borders around airports.
If you're using only the factory-loaded background map, the maximum
zoom range for showing additional land map detail is 6 nautical miles. You
can continue to zoom in closer, but the map will simply be enlarged without
revealing more map content (except for a few major city streets.) Load your
own high-detail custom map made with MapCreate, and you can zoom in to
0.02 nautical miles with massive amounts of accurate map detail.

34
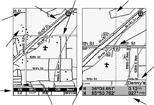
Map Pages with high-detail map of an urban area loaded on the MMC,
with the Earth Map Detail option set to Medium, the default. At left,
arterial streets appear at the 5 nautical mile zoom range. Center, at 1.5
nautical miles, minor streets appear, along with square dots represent-
ing Points of Interest. Right, at the 0.4 nautical mile zoom, you can see
major and minor streets as well as Point of Interest icons for a hotel
and a grocery store.
Background map vs. MapCreate map content
The background map includes: low-detail maps of the whole world (con-
taining cities, major lakes, major rivers, political boundaries); and me-
dium-detail maps of the United States.
The medium-detail U.S. maps contain: all incorporated cities; county
boundaries; some major city streets; Interstate, U.S. and state highways;
Interstate highway exits and exit services information; large- and me-
dium-sized lakes and streams; and more than 60,000 navigation aids and
10,000 wrecks and obstructions in U.S. coastal and Great Lakes waters.
MapCreate custom maps include massive amounts of information not
found in the background map. MapCreate contains: the searchable
Points of Interest database, all the minor roads and streets, all the
landmark features (such as summits, schools, radio towers, etc.); more
rivers, streams, smaller lakes and ponds and their names.
What's more important is the large scale map detail that allows your
GPS unit to show a higher level of position accuracy. For example, the
background map would show you the general outline and approximate
shape of a coastline or water body, but the higher detail in MapCreate
shows the shoreline completely and accurately (finer detail). Many
smaller islands would not be included in the background map, but are,
of course, in MapCreate.

35
When the map is zoomed out far enough, most POIs appear as square dots.
As you zoom in closer, the symbols become readable icons. In the 0.4 nau-
tical mile zoom example at right, the cursor has selected the Denny's res-
taurant POI, which triggers a pop-up box with the POI name. This pop-up
box works on POIs at any zoom range.
Tip:
In some urban areas, businesses are so close to one another that
their POI icons crowd each other on the screen. You can reduce
screen clutter and make streets and other map features easier to
see by simply turning off the display of POIs you're not watching
for. (To see how, check the text on Map Detail Category Selection,
in Sec. 5. It shows how to use the Map Categories Drawn menu to
turn individual POI displays off and on.) Even though their display
is turned off, you can still search for POIs and their icons will pop-
up when your unit finds them for you.
Map Panel page display option
The Map Panel page has several features that offer the look of a “glass
cockpit” panel display. In addition to the central map and the custom-
izable data boxes across the top, it has an altitude window to the right
and a ground speed window to the left.
A VSI or Vertical Speed Indicator is also located at the far right of the
screen. A bar above zero shows rate of climb and a bar below zero
shows the rate of descent.
POI
Pop-up
Restaurant
POI
POI
Markers
Position,
distance and
bearing data
Zoom
Range
Interstate Major Street
Minor
Street
Data boxes
display
navigation
information
Cursor line

36
Map Page: Map Panel display option.
The compass overlay at the bottom of the screen includes a bearing ar-
row that points toward your destination, along with a CDI or Course
Deviation Indicator. The CDI shows when you are off course. Steering
toward the CDI needle will bring you back on course. The CDI only ap-
pears when navigating.
Compass Overlay page display option
The Compass Overlay page is a map with a portion of a compass rose
displayed on top. A bearing arrow points toward your destination. Your
current track or heading is shown in a window at the top of the page. A
CDI graphic appears beneath the current position indicator.
Map Page: Compass Overlay display option. The CDI shows the pilot is
slightly off course to the left
Tick marks for 100
feet per minute
Tick marks for
1000 fpm descent
VSI display
Ground Speed
Data Boxes
Altitude
Compass overlay
with CDI
Current position
CDI
Compass rose
overlay
Bearing arrow
Track
Tick marks for
1000 fpm climb

37
Additional information can be displayed using compass overlay data
that appears at the top of the page. This information can be customized
with the Compass Overlay Data command, which is discussed in Sec. 5,
System Setup and GPS Setup Options. You can select from 28 different
types of information to display.
Two Maps page display option
This option provides a split map, showing your current position in the
top map, and an auto zoomed view of the destination airport in the bot-
tom map. Both maps are always in "Track Up" mode. You can manually
select any zoom range in the top map or switch it to Auto Zoom.
To change settings, you need to specify which map the Menu, Zoom In
and Zoom Out keys correspond to. To do this, switch the active map by
pressing PAGES|PAGES. The window with the blue title bar at the top is
the active map window. To switch back, just press PAGES|PAGES again.
Map Page: Two Maps display option.
You will notice in the previous image that we have added four custom-
izable data box information displays on the bottom of the screen. The
default options are intended to help in navigating to a landing.
In fact, everything about this page is intended to help you navigate to a
landing. The bottom position map will always show your location relative
to the destination airport.

38
Tip:
Don't like the window sizes or orientation we selected? Well, pick
your own! You can re-size the two map windows and even switch to
vertical windows. Here's how to use the Resize Window command:
1. From the Two Maps page, press MENU|↓ to RESIZE WINDOW|ENT.
2. The window adjustment arrow appears. Use the arrow keys to
adjust the window size. To switch to horizontal, press the ↑ or ↓
keys. To switch back to vertical, press the → or ← keys. When you
are finished, press EXIT to clear the adjustment arrow.
Resize Window command lets you use the arrow keys
to adjust split window displays
We've done everything we could with AirMap to make it a powerful
navigation tool, but also to keep it simple to use. Sometimes describing
all of the options AirMap contains can make it sound hard to use, but
it's really not!
The following page contains a 12-step quick reference for the most basic
aviation GPS operations. If for some reason you don't want to carry the
manual with you as you practice with the AirMap, you might consider
photocopying this quick reference page and tucking it into your pocket
or flight bag.

39
Aviation GPS Quick Reference
Start outdoors, with a clear view of open sky. Imagine you're flying to a
nearby airport to practice landings. (If you're practicing on foot or by car,
substitute a restaurant for an airport. Pick one a few blocks away. While
learning, navigation in too small an area constantly triggers alarms.
1. Insert the MMC and batteries. Mount AirMap on the yoke. Connect to
electric power and the active antenna. (See install details on page 11.)
2. Turn on the AirMap: press and release PWR key. Press EXIT to clear
each of the two warning and copyright message screens.
3. Opening screen– displays map of North America at the 3,000 nautical
mile zoom range. Rotate through three main Page screens by pressing
PAGES key, then → or ← key. Switch pages to display Satellite Status
Page, then press EXIT to clear the Pages Menu.
4. Wait while unit locates satellites and calculates current position. Process
is visible on Satellite Page. This takes an average of 1 minute or less with
sky unobstructed by terrain or structures. When the unit acquires position,
a tone sounds and a position acquired message appears.
5. With position acquired, press PAGES|→ to MAP|EXIT to display Map
Page, showing a bird's eye view of the earth. Move around the map by:
Zoom in closer to see greater detail: press ZIN (zoom in key.)
Zoom out to see more area, less detail: press ZOUT (zoom out key.)
Scroll map north, south, east or west using arrow keys ↑ ↓ → ←.
To stop scrolling and return to current position on map, press EXIT key.
6. At the airport, set a waypoint (Wpt 001) at your current position so
you can navigate back here: press ENT|ENT. Waypoint symbol and
"001" appears.
7. Zoom/scroll map to find a nearby airport to go to. Use arrow keys to
center cursor cross-hair over the airport symbol or wherever you want
to enter the pattern.
8. Navigate to airport: press MENU|↓ to GO TO CURSOR|ENT|EXIT, and take
off. Follow red course line on Map Page or Course Arrow on Navigation
Page. (Remember to "steer to the needle.")
9. At airport, Arrival Alarm goes off; to clear it, press EXIT. Enter pattern
and land. Cancel navigation: press MENU|MENU|↓ to CANCEL NAVIGA-
TION|ENT|← to YES|ENT.
10. Return to Wpt 1 by Navigate To Waypoint: press FIND|↓ to MY
WAYPOINTS|ENT|ENT. Use ↑ or ↓ to select Wpt 001, press ENT|ENT; follow
navigation displays.
11. Back home, Arrival Alarm goes off; press EXIT. Cancel navigation:
press MENU|MENU|↓ to CANCEL NAVIGATION|ENT|← to YES|ENT.
12. To turn off AirMap, press and hold PWR key for three seconds.
40
Find Your Current Position
Finding your current position is as simple as turning AirMap on. Under
clear sky conditions, the unit automatically searches for satellites and
calculates its position in approximately one minute or less.
NOTE:
"Clear sky" means open sky, unobstructed by terrain, dense foliage
or structures. Clouds do not restrict GPS signal reception.
If for some reason satellite acquisition takes longer, you may be inside
a structure or vehicle or in terrain that is blocking signal reception. To
correct this, be sure you are positioned so that the unit (if using the
built-in antenna) or the external antenna has as clear a view of the sky
as possible, then turn the unit off and back on again.
Moving Around the Map: Zoom & Cursor Arrow Keys
The map is presented from a bird's eye view perspective. The current
zoom range shows in the lower left corner of the screen.
1. Press the ZIN key (zoom in) to move in closer and see greater detail in
a smaller geographic area.
2. Press the ZOUT key (zoom out) to move farther away and see less map
detail, but a larger geographic area.
When you are flying, walking or riding in another vehicle, the map will
automatically move as you move. This keeps your current location
roughly centered on the screen.
You can manually pan or scroll the map northward, southward, east-
ward or westward by using the arrow keys, which launches the cross-
hair map cursor. This allows you to look at map places other than your
current position. To clear the cursor, press EXIT, which jumps the map
back to the current position or the last known position.

41
The selected airport to the northwest is 3.64 nautical miles away.
Tip:
Use the cursor to determine the distance from your current position
(or last known position, when working indoors) to any map object or
location. Simply use the arrow keys to position the cursor over the
object or place. The distance, measured in a straight line, appears in
the data box at the bottom of the map. Press EXIT to clear the cursor.
Selecting Any Map Item With the Cursor
1. Use the zoom keys and the arrow keys to move around the map and
find the item you wish to select.
2. Use the arrow keys and center the cursor cross-hair on the desired ob-
ject. On most items, a pop-up box will give the name of the selected item.
You will also notice a black ring surrounds the item as it becomes se-
lected. Once that happens, if you press FIND the Find Menu will pop up
with an extra option at the top of the list: SELECTED ITEM. Press ENT to see
the Information screen for the selected item.
Tip:
The AirMap has an extremely handy Cursor Undo feature that lets
you instantly return to the previous location you were looking at
without scrolling. It works like this: Use the cursor (arrow keys) to
scroll the map to some far away location or waypoint. Press EXIT to
clear the cursor and jump back to your current position on the map.
When you want to take another peek at that distant place, just
press EXIT again. You can use this trick to toggle between your cur-
rent position and your destination without a lot of scrolling.
Distance
measured
by cursor
Cursor line
Selected airport
Cursor line

42
Searching
Now that you've seen how AirMap can find where you are, let's search
for something somewhere else. Searching is one of the most powerful
features in the Lowrance GPS product line.
In this example, we'll look for the nearest VOR. For more information
on different types of searches, refer to Sec. 6, Searching.
NOTE:
This example requires the Jeppesen database included with your Air-
Map.
After AirMap has acquired a position:
1. Press FIND|↓ to FIND VORS|ENT.
2. You could search the VOR category by any of these four criteria (by
Nearest, by Name, by Identifier or by City), but in this example we will
just search for nearest. When the Find By menu pops up, press ENT.
3. AirMap says it is calculating, then a list of VORs appears, with the
closest at the top of the list, and the farthest at the bottom of the list.
The nearest is highlighted.
Find VORs Menu, left; Search Criteria menu, center; and
list of the nearest VORs, right.
4. If you wish, you could scroll ↑ or ↓ here to select another VOR, but
for now we will just accept the nearest one. Press ENT.
5. The waypoint information screen appears. If you wanted to navigate
there, you press ENT, since the GO TO command is highlighted. But we
just want to see it on the map, so press → to FIND ON MAP|ENT.

43
Waypoint information screen on VOR nearest this position. Screen
shows name, identifier, city, radio frequency, latitude/longitude and its
compass bearing. It also shows both distance to the VOR and your "Ra-
dial From" – information ready at your fingertips when Air Traffic Con-
trol wants a position report! The figure at left shows Go To command;
right figure shows Find On Map command.
6. AirMap's map appears, with the cross-hair cursor highlighting the
VOR's symbol. A pop-up name box identifies the VOR. A data box at the
bottom of the screen continues to display the location's latitude and
longitude, distance and bearing.
Map screen showing Finding Waypoint,
the result of a VOR search.
7. To clear the search and return to the last page displayed, press
EXIT|EXIT|EXIT|EXIT|EXIT. (Before you completely exited out of the
Search menus, you could have gone looking for another place.)

44
NOTE:
Search works from high detail mapping data loaded in AirMap. Avia-
tion Navigation searches use information from a Jeppesen database,
and general navigation searches use POI information available with
a MapCreate custom map. If you do not have a high-detailed Jeppe-
sen map (or a custom map containing POI data) for the area you are
searching loaded on the MMC, you may not find anything.
Find Nearest Airport (shortcut)
One of flying's most terrifying events is having to make an emergency
landing. This situation can be deadly at any time. It's particularly dan-
gerous when you're flying over unfamiliar territory, with no idea where
you can safely stop. Of course, the first thing to do is remain calm and
follow all standard emergency procedures. Naturally, no instrument by
itself can get you through an emergency situation, but we have done
our best to provide you with the tools you need as a pilot.
One of these emergency tools in the AirMap is a Find Nearest Airport
feature that automatically locates, selects, and shows navigation data to
the airport nearest the location where the feature was activated. To acti-
vate Find Nearest Airport, press the ZOUT and ZIN keys at the same
time. A Find By Nearest screen appears, showing a list of the closest air-
ports. Use ↑ or ↓ to select the best airport for your situation (the bottom
of the list displays the length of the longest runway at each airport.)
Then you can press ENT to get detailed information about the airport, or
press (the FIND key)to begin navigating to the selected location.
Navigating to Nearest Airport with the AirMap
Find your way to the selected airport with the Navigation Page or Map
Page. Any time navigation is activated, the Navigation Page shows the
compass rose with its bearing arrow pointing toward the desired destina-
tion position, and the destination name shown in a data box. The Map
Page displays a dotted line from your start point to the desired airport.
Tip:
You don't need to have an emergency to use the Find Nearest Air-
port feature. You can also use it to maintain positional awareness
by finding the nearest landing strip at any time.
To cancel navigation to Nearest Airport, press MENU|MENU|↓ to CANCEL
NAVIGATION|ENT|← to YES|ENT. AirMap stops showing navigation in-
formation to the airport.

45
Setting a Waypoint
A waypoint is simply an electronic "address," based on the latitude and
longitude of a position on the earth. Both the Aviation and the Land
mode allow you to save waypoints to mark specific locations you'd like to
return to (or maybe send a friend to, or even specifically avoid). To save a
waypoint, move the cursor to the desired location, then: 1. Press and re-
lease ENT. 2. The CREATE WAYPOINT menu appears, with the QUICK SAVE
method selected. To place a waypoint at your current cursor position,
press ENT. The waypoint icon appears on the map, and a pop-up box tells
you the waypoint's name (in this case, "009.")
Create a waypoint. The pop-up box with waypoint name is shown at left.
At right, you can see Waypoint 009, with the default waypoint symbol.
This example shows a waypoint set at the cursor location. If the cursor
was not active, the point would be placed at your current position.
When you're traveling fast and want to set a waypoint in a hurry – at
your current position – just quickly press the Enter key twice, ENT|ENT.
Navigate Back to a Waypoint
To navigate to a waypoint that you've created:
1. Press FIND|↓ to MY WAYPOINTS|ENT|ENT. Press ↑ or ↓ to select from
the list the waypoint you want to navigate to, then press ENT. Use the
navigation arrows on the Map Page or the compass rose on the Naviga-
tion Page to make your way to the selected waypoint.
To cancel navigation, press MENU|MENU|↓ to CANCEL NAVIGATION|ENT|←
to YES|ENT. AirMap stops showing navigation information.
Pop-up box

46
Navigate to Cursor Position on Map
The Go To Cursor command navigates to the current cursor position
on the map.
To navigate to a particular location on the map, first find the location, then
select the location with the cursor. Use the Go To Cursor command to lead
you there:
1. Use the cursor (controlled by the arrow keys) with the zoom in and
zoom out keys to maneuver around the map until you find a location
you want to go to.
2. Center the cursor over the location to select it. If you have selected a
location that contains navigation information, the icon you're pointing at
will be highlighted, indicating it's selected. See the following example.
Navigate to cursor command on the Map Page Menu. In this example,
the cursor has selected the town of Oologah, Oklahoma.
3. Press MENU|↓ to GO TO CURSOR|ENT and AirMap will begin navigat-
ing to the cursor location.
The Map Page will display a red line from your current position to the
cursor position. The Navigation Page displays a compass rose showing
navigation information to your destination. See examples in the fol-
lowing images.

47
The 15-nautical mile zoom figure at left clearly shows the red course line
connecting your current position to your destination. The 30-nautical mile
zoom, center, shows both current position and destination on screen. The
Navigation Page, right, will also show navigation information.
To stop navigating to the cursor, use the Cancel Navigation command:
press MENU|MENU|↓ to CANCEL NAVIGATION|ENT|← to YES|ENT. AirMap
stops showing navigation information.
Navigate to a Point of Interest
AirMap can navigate to any Point of Interest (POI) you can look up
with the FIND key. (For help with FIND's searching capabilities, see the
entry on Searching earlier in this section, or turn to Sec. 6, Searching,
for detailed instructions.)
After you have looked up an item with the find command, use ← to make
sure the GO TO command is highlighted at the bottom of the screen, then
press ENT. AirMap begins showing navigation information to the item.
To cancel navigation, press MENU|MENU|↓ to CANCEL NAVIGATION|ENT|←
to YES|ENT. AirMap stops showing navigation information.
Go "Direct To" (Using the Direct To Button)
You will notice a symbol above your FIND button that looks something
like this: . In addition to launching searches, the Find/Direct To but-
ton also serves several other purposes, depending on when it is used.
For instance, you can use the Direct To shortcut in searches. Let's say
you've done a search for nearest VOR, and a long list of VORs appears. You
scroll through the list and select the one you want to navigate to. Instead of
pressing ENT (which would bring up an information screen), if you press
it will automatically begin navigating to the selected item in the list.

48
You can also use Direct To when navigating a route, to force AirMap to
navigate toward a particular waypoint in the route. To do this (from the
Map Page), press MENU|MENU|↓ to ROUTE PLANNING|ENT|↓ to route
name|ENT. Now press ↓ to select the waypoint you want from the list,
and then hit . The AirMap will automatically begin navigating to the
selected waypoint, and on arrival will continue navigating the route
from there.
Airspace Status
The AirMap can show you information about any airspace contained in
its database. While you are in motion, you can press MENU|ENT to run
the AIRSPACE STATUS command. (You can also press ENT whenever an
Aviation Alarm goes off to see this screen for the airspace that trig-
gered the alarm.) A screen like the one in the following image appears,
showing you information about any controlled airspaces that you are
currently approaching.
Airspace Status page, showing information about
Tulsa International Airport.
Press ← or → to cycle through the various information pages if there is
more than one. Press EXIT|EXIT to clear the Airspace Status page and
return to the previous page.
Airport Information
We've already mentioned the waypoint information screen – this screen
pops up whenever you view the details of a selected item from the map,
or when you select an item from a search list. Different information
appears on the information screen depending on what kind of map ob-
ject you have selected. Earlier, we had an example of a VOR informa-
tion screen, complete with radio frequency and Morse identifier.

49
In the AirMap, airports have information screens packed with useful infor-
mation. They include much of the same information as a VOR information
screen. In addition, airport information screens contain a line drawing
showing the general layout of the airport's runways. Also, note that the ra-
dio frequencies listed at the bottom make a much longer list. You can press ↓
at the information screen to scroll down and see all of these frequencies.
When you first open the airport information screen, you'll see "Go To"
highlighted at the bottom. You already know how to use GO TO and FIND
ON MAP, but airports have two more options: RUNWAYS and SERVICES.
Airport information screen. Runways selected center, and Services at right.
Runways
The Runways screen shows you everything AirMap knows about the
runways at the selected airport. Display boxes contain the runway sur-
face type, its length, its width and the lighting available.
Runways screen at left, with Extend option select. Center, map shows
the fan-shaped Runway Extension north of the airport. At right, you can
see where the runway extension begins at the very end of runway 18L.

50
At the runways screen you can press ← or → to cycle through the air-
port's runways. In the previous image, you can see we've selected 18L,
so all of the information shown refers to that particular runway.
The previous images show not only the information available on this
screen, but also the Runway Extension feature. To turn on a runway ex-
tension, use ← or → to select the desired runway, then make sure the
box at the bottom of the screen says "Extend" next to the runway name.
(As long as we have sufficient information about it in our database, Air-
Map can display a runway extension for any runway.) Press ENT and the
unit will ask "Do you want to setup Runway Guidance?" Press → to
NO|ENT. The runways screen will go away, returning you to the airport
information screen. Now you can press EXIT|EXIT to see the runway ex-
tension on the map.
Runway guidance selection message.
Runway extensions are meant to serve as visual references to help you
orient the plane as you approach an airport for a landing. The exten-
sion appears as a fan-shape, with its tip pointing directly to the touch-
down zone or threshold of the runway you're approaching. This allows
you to navigate toward the wider end of the fan, so once you turn down
the extension you can easily judge how far you've got to touch-down.
To turn off an airport extension, press MENU|↓ to CLEAR RUNWAY
EXT|ENT|EXIT.
Runway Approach Guidance feature
The AirMap also uses the Runway Extension command to extend a lo-
calizer-type display to the landing runway; we call it the Runway Ap-
proach Guidance feature. After selecting a runway extension (see in-
structions at the bottom of the previous page) the unit will ask "Do you

51
want to setup Runway Guidance?" (See the previous image.) If you want
the AirMap to navigate a localizer-type approach, select YES and press
ENT. (Select NO if you want to continue your own navigation with a
regular runway extension.)
When you select Runway Guidance, the unit will display a localizer-
type fan and create a route automatically for guidance down the run-
way's extended centerline. Once selected, however, you are no longer
navigating your earlier route, because the AirMap assumes you are on
radar vectors or your own vectors to intercept final.
The HSI and all other CDI displays will now be set to the inbound run-
way course and will give guidance to left or right of centerline via the
CDI display. However, the hollow (white) bearing arrow will continue
to point to the runway touchdown zone (TDZ).
The automatic route will be created and set to track inbound on the
extended runway's centerline from any distance from the airport. If you
desire, you can navigate to the notch of the fan for an approximate five
mile final approach. Just press (FIND), select CURRENT ROUTE and se-
lect the LOC waypoint in the route.
If you plan a short approach and want to bypass the use of runway cen-
terline guidance, and navigate directly to the runway threshold, you
can press (FIND), select CURRENT ROUTE and select the TDZ waypoint
in the route.
When the Runway Approach Guidance feature is working, after passing
the TDZ the route sequences to the runway center, and then the airport
center. After landing and turning the AirMap off, this temporary route
is automatically deleted.
Tip:
For an even more complete runway guidance display, turn on the
"Markers" (outer marker) subcategory in the Aviation category. See
the Map Categories Drawn topic for more information.
Services
The Services screen shows you all of the published services available at
the selected airport. You can press ↑ or ↓ to scroll through the listed
items, in case the list runs past the bottom of the screen.

52
Airport Services screen for KTUL (Tulsa International).
Transfer Custom Maps and GPS Data Files
Custom maps work only from the MMC card or SDC card. When a
card containing a Custom Map File is loaded into the unit, AirMap
automatically loads the map into memory when the unit is turned on.
Instructions for copying Custom Map Files to an MMC are contained in
the instruction manual for your MMC card reader and MapCreate 6
software. For instructions on inserting an MMC into AirMap, see Sec. 2,
Installation/Accessories.
GPS Data files, containing waypoints, routes, trails and event marker
icons, must be copied from an MMC to AirMap's internal memory be-
fore AirMap can read them. Here's how:
1. Press MENU|MENU|↓ to SYSTEM SETUP|ENT.
2. Press ↓ to TRANSFER MY DATA|ENT and the screen in the following im-
age appears.
The Transfer My Data submenu asks if you want to save data to the
MMC or load data from the MMC into AirMap's memory.
2. The Transfer My Data menu includes a message which tells you if an
MMC is present or not. If no MMC is present, you must first insert a
card into AirMap in order to activate the Load or Save commands.

53
To transfer data from AirMap to the MMC: press ENT (for SAVE.)
To transfer data from the MMC to AirMap: press → to LOAD|ENT.
3. Saving: A file name box appears. To accept the default name "Data"
for the GPS Data File, press ↓ to SAVE DATA|ENT. If you wish to rename
the file (as in the following example), press ENT to activate the selection
box. Press ↑ or ↓ to change the first character, then press → to the next
character and repeat until the name is correct. Then, press ENT|↓ to
SAVE|ENT.
From left to right, these figures show the menu sequence for naming
and saving a GPS Data File from AirMap's memory onto an MMC.
The unit will display first a progress then a completion message when the
data transfer is finished. To return to the Page view, press EXIT|EXIT.
4. Loading: There may be more than one GPS Data File (*.USR) on the
card. To select a file, press ENT to activate the selection box, use ↓ or ↑
to highlight the file, then press ENT to accept the selection. Next, press
↓ to LOAD|ENT. The unit will display a completion message when the
data transfer is finished. To return to the Page view, press EXIT|EXIT.
From left to right, these figures show the menu sequence for loading a
GPS Data File from an MMC into AirMap's memory.
54
Switch to Land Mode
To leave Aviation Mode and switch to Land Mode:
1. Press MENU|MENU|↓ to SYSTEM SETUP|ENT|↓ to DISABLE AIRMAP|ENT.
2. Unit asks, "Are you sure you want to turn on land navigation mode?"
3. Press ←|ENT and the unit switches to Land Mode.
Switch Back to Aviation Mode from Land Mode
To leave Land Mode and switch back to Aviation Mode:
1. Press MENU|MENU|↓ to SYSTEM SETUP|ENT|↓ to ENABLE AIRMAP|ENT.
2. Unit asks, "Are you sure you want to turn on aviation mode?"
3. Press ←|ENT and the unit switches to Aviation Mode.
Aviation Calculators
To help you with flight planning, this unit has three aviation utilities
built into it that let you calculate density altitude, true airspeed, wind
speed and direction, plus vertical navigation.
NOTE:
AirMap also includes another set of general-purpose utilities. These
are discussed in Sec. 4, Utilities.
E6B Altitude/Airspeed Calculator
The Altitude/Airspeed Calculator lets you calculate density altitude or
true airspeed. To get to the altitude/airspeed calculator menu: while in
Aviation Mode, press MENU|MENU|↓ to AVIATION CALCULATORS|ENT|ENT.
The screen in the following image appears.
For each item in the top portion of the screen, press the enter key, use
↑ and ↓ to enter the field value, and then press EXIT when you're done.
You’ll need to enter indicated altitude (ALTITUDE), barometric pressure
(BARO) in inches of mercury, outside air temperature (TEMP), and cali-
brated airspeed (CAS).
In the example shown, the indicated altitude is 5000 feet, barometric
pressure is 30.02", outside air temperature is 15° Celsius, and the cali-
brated airspeed is 129 knots. This gives us a pressure altitude of 4908
feet, a density altitude of 5740 feet, and a true airspeed of 140.4 knots.
Obviously, you don’t need airspeed to calculate density altitude, this
was done for illustration purposes.

55
E6B Altitude/Airspeed Calculator
E6B Wind Speed/Direction Calculator
To determine the wind speed and direction, first find true airspeed us-
ing the Altitude/Airspeed Calculator (see above). Once you have that,
open the Wind Speed/Direction Calculator. To get to the wind
speed/direction calculator menu: while in Aviation Mode, press
MENU|MENU|↓ to AVIATION CALCULATORS|ENT|↓ to E6B WIND
SPEED/DIR|ENT.
A screen similar to the one in the following image appears. The current
true airspeed is automatically used, and you only need to enter your
heading. Use the arrow keys to change the heading in the box at the top
of the screen.
In the example shown, the heading is 39° magnetic. This gives us a
wind speed of 11.5 knots on a bearing of 44° magnetic, for an 11.4 knot
headwind.
E6B Wind Speed/Direction Calculator

56
Vertical Navigation Calculator
With the Vertical Navigation Calculator, the AirMap 2000 can help you
decide when to let down for an approach to an airport. To get to the verti-
cal navigation calculator menu: while in Aviation Mode, press
MENU|MENU|↓ to AVIATION CALCULATORS|ENT|↓ to VERTICAL NAV |ENT.
(The command only works when you are navigating to a waypoint.)
In the following example, we're travelling to the Wichita Mid-Continent
airport in Wichita, Kansas. Its identifier is shown at the bottom of the
screen – KICT. We are travelling at 4500 feet, and need to be at the pat-
tern altitude (about 2300 feet) by 5 nautical miles from the airport using a
450 fpm descent.
After determining the above information, use ↑ or ↓ to highlight each
field, then press ENT. In each box, use the arrow keys to enter the data.
When you’re finished, highlight ON next to the "Vertical Nav" label and
press ENT. A screen similar to the one below appears.
The solution to our vertical navigation problem shows at the top of the
screen. Our current altitude is 4500 feet and at our current airspeed,
we should begin our descent in 44 minutes and 20 seconds. If we main-
tain a 450 fpm descent starting in about 44 minutes, then we should
reach pattern altitude 5 nautical miles before we reach the airport.
You can watch the clock count down your approach. If you increase
your speed, the clock will decrease more quickly. If you slow down, it
will take longer. Either way, when you reach the point at which you
should begin your descent, the box at the top of the screen changes.
Now in place of the timer, it indicates that you should be descending.
Below that, it shows the altitude you should be at.
Vertical Navigation Calculator

57
Section 4:
Land Operation
Keypad
AirMap 2000 keypad.
1. PWR/LIGHT (Power & Light) – The PWR key turns the unit on and
off and activates the backlight.
2. PAGES – Pressing this key and the arrow keys will switch the unit
between the three different page screens in Land Mode. (Satellite,
Navigation and Map.) Each page represents one of the unit's major
modes of operation.
3. MENU – Press this key to show the menus, which allow you to select
or adjust a feature from a list.
4. ARROW KEYS – These keys are used to navigate through the
menus, make menu selections, move the chart cursor and enter data.
5. ENT/SAVE (Enter & Save) – This key allows you to save data, ac-
cept values or execute menu commands. Also use it to quickly create
waypoints or icons.
6. EXIT – The Exit key lets you return to the previous screen, clear
data or erase a menu.
7. FIND (Direct To) – The Find key launches the AirMap search
menus. It also allows you to go Direct To items shown in search lists.
8. ZOUT – (Zoom Out) – This key lets you zoom the screen out to see a
larger geographic are on the map. Less detail is seen as you zoom out.
9. ZIN – (Zoom In) – This key lets you zoom the screen in to see greater
detail in a smaller geographic area on the map.
5
4
2
8
7
9
6
3
1

58
Power/lights on and off
To turn on the unit, press PWR. To turn on the backlight, press PWR
again. Pressing PWR once again will turn off the backlight.
Turn off the unit by pressing and holding the PWR key for 3 seconds.
Main Menu
Land Mode has a single Main Menu, which contains some function
commands and some setup option commands. The instructions in this
section will deal only with functions, the basic commands that make
AirMap do something. AirMap will work fine for these instructions
right out of the box with the factory default settings. But, if you want to
learn about the various options, see Sec. 5, System Setup and GPS
Setup Options.
To access the Main Menu from any Page: press MENU|MENU. To clear
the menu screen and return to the page display, press EXIT.
Main Menu, Land Mode.
Pages
Land Mode has three main Page displays that represent the three ma-
jor operating modes. They are the Satellite Status Page, the Navigation
Page and the Map Page. They are accessed by pressing the PAGES key,
which calls up the Pages Menu. You then press the left ← arrow key or
the right → arrow key to scroll among the three pages in an endless
circular loop.
Each Page has a submenu screen associated with it. You access a Page
Submenu by pressing the MENU key one time while the page is dis-
played. (Pressing the MENU key twice takes you to the Main Menu.)

59
Satellite Status Page
This page provides detailed information on the status of AirMap's sat-
ellite lock-on and position acquisition. No matter what page you are on,
a flashing current position indicator/question mark symbol and flashing
GPS data displays indicate that satellite lock has been lost and there is
no position confirmed. This page shows you the quality and accuracy of
the current satellite lock-on and position calculation.
WARNING:
Do not begin navigating with this unit until the numbers have
stopped flashing!
NOTE:
Refer to Sec. 3, Aviation Operation, for further explanation and
more illustrations of the Satellite Page.
1. To get to the Satellite Status Page: press PAGES|← to STATUS|ENT.
2. To get to Satellite Status Menu: press MENU.
Satellite Status Page, left, Satellite Status Menu, right.
Status Menu
The Satellite Status Menu allows you to set your own GPS options such
as activating a passive antenna, turning off track smoothing, or cus-
tomizing the data provided in the boxes below.
Navigation Page
This screen has a compass rose that not only shows your direction of
travel, but also the direction to a recalled waypoint. The navigation screen
looks like the one in the following image when you’re navigating to a way-
point. Your position is shown by an arrow in the center of the screen. Your
trail history, or path you’ve taken is depicted by the line extending from
the arrow. The large arrow pointing down at the top of the compass rose
indicates the current track (direction of travel) you are taking.

60
NOTE:
Refer to Sec. 3, Aviation Operation, for further explanation and
more illustrations of the Navigation Page.
1. To get to the Navigation Page: press PAGES|← to NAVIGATION|ENT.
2. To get to Navigation Page Sub Menu: press MENU.
Navigation Page, left, Navigation Menu, right.
Navigation Menu
The Navigation Menu allows you to cancel navigation, set up alarms,
and plan or edit your route.
Map Page
The map screens show your course and track from a “bird’s-eye” view.
By default, this unit shows the map with your current track at the top
of the screen. (This can be changed. See the topic Map Orientation, in
Sec. 5.) If you’re navigating to a waypoint, the map shows your starting
location, present position, course line and destination. You don’t have to
navigate to a waypoint, however, to use the map.
The Zoom In and Zoom Out keys zoom the map to enlarge or reduce its cov-
erage area and the amount of mapping detail shown. There are 40 available
map zoom ranges, from 0.02 nautical miles to 4,000 nautical miles.
NOTE:
Refer to Sec. 3, Aviation Operation, for further explanation and
more illustrations of the Map Page.
1. To get to Map Page: Map page is the default when AirMap is turned
on. To switch from another page to the Map Page, press PAGES|→ to
MAP|ENT.
2. To get to Map Page Menu: press MENU.

61
Map Page, left, Map Menu, right.
Map Menu
The map menu has many options. The map menu allows you to find
distances, change the orientation of your map, view map data, and
other helpful map functions.
Moving Around the Map: Zoom & Cursor Arrow Keys
The map is presented from a bird's-eye view perspective. The current
zoom range shows in the lower left corner of the screen. If the zoom
range says "4 nm," the map shows an area 4 nautical miles wide from
the left edge of the screen to the right edge of the screen.
1. Press the ZIN key (zoom in) to move in closer and see greater detail in
a smaller geographic area.
2. Press the ZOUT key (zoom out) to move farther away and see less map
detail, but a larger geographic area.
You can pan or scroll the map northward, southward, eastward or
westward by using the arrow keys, which launches the cross-hair map
cursor. To clear the cursor, press EXIT, which jumps the map back to
the current position or the last known position.
Find Distance From Current
Position To Another Location
1. While on the Map page press: MENU|↓ to FIND DISTANCE|ENT.
2. Center your cursor over the position you want to find the distance to.
A rubber band line appears, connecting your current position to the
cursor's location. The distance along that line will appear in the lower
right-hand corner of the screen.
3. Press EXIT to return to regular operation.

62
The distance to Dallas from the starting point is 207.5 nautical miles.
Find Distance From Point to Point
You can also measure distance between two other points on the map.
1. While on the Map page press: MENU|↓ to FIND DISTANCE|ENT.
2. Center your cursor over the first position. (A rubber band line ap-
pears, connecting your current position to the cursor's location.) Press
ENT to set the first point, and the rubber band line disappears.
3. Move the cursor to the second position. The rubber band line reap-
pears, connecting the first point you set to the cursor. The distance
along that line will appear in the lower right-hand corner of the screen.
4. Press EXIT to clear the command and return to the page screen.
Find Your Current Position
Finding your current position is as simple as turning AirMap on. Under
clear sky conditions, the unit automatically searches for satellites and
calculates its position in approximately one minute or less.
NOTE:
"Clear sky" means open sky, unobstructed by terrain, dense foliage
or structures. Clouds do not restrict GPS signal reception.
If for some reason satellite acquisition takes longer, you may be inside
a structure or vehicle or in terrain that is blocking signal reception. To
correct this, be sure you are positioned so that the unit has as clear a
view of the sky as possible, then turn the unit off and back on again.
If you have the cursor activated, any information the unit gives you will
be based on the cursor position, not your own. If you want to find where
you are, just press EXIT until the cursor goes away and the map snaps
back to center on your position.

63
Icons
Icons are graphic symbols used to mark some location, personal point of
interest or event. They can be placed on the map screen, saved and re-
called later for navigation purposes. These are sometimes referred to as
event marker icons. AirMap has 42 different symbols you can pick from
when creating an icon.
Icons are similar to waypoints, but they do not store as much informa-
tion (like names) as waypoints do. You can't use a menu to navigate to
icons as you can with waypoints. (But, you can use the map cursor and
navigate to any icon on the map.)
You can create an icon at the cursor position on the map, or at your
current position while you are navigating.
Create Icon on Map
1. Use the arrow keys to move the cursor to the place where you want
to make an icon.
2. Press and hold ENT until the screen shows a "Save Icon" menu, then
release the ENT key.
3. Press ← or ↑ or → or ↓ to select your icon symbol, then press ENT.
The icon appears on the map.
Save icon command, left, Select symbol menu, right.
Create Icon at Current Position
1. While you are traveling, press and hold ENT until the screen shows a
"Save Icon" menu, then release the ENT key.
3. Press ← or ↑ or → or ↓ to select your icon symbol, then press ENT.
The icon appears on the map.

64
Delete an Icon
You can delete all the icons at one time, you can delete all icons repre-
sented by a particular symbol, or you can use the cursor to delete a se-
lected icon from the map.
1. Press MENU|↓ to DELETE MY ICONS|ENT.
2. Press ↓ to DELETE ALL ICONS, DELETE BY SYMBOL, or DELETE FROM MAP and
press ENT.
Delete icons menu.
Load GPS Data Files from an MMC
GPS Data files, containing waypoints, routes, trails and event marker
icons, must be copied from an MMC to AirMap's internal memory be-
fore AirMap can read them. Here's how:
1. Press MENU|MENU|↓ to SYSTEM SETUP|ENT|↓ to TRANSFER MY DATA|ENT
and the following screen appears.
The Transfer My Data submenu asks if you want to save data to the
MMC or load data from the MMC into AirMap's memory.
65
2. The Transfer My Data menu includes a message which tells you if an
MMC is present or not. If no MMC is present, you must first insert a
card into AirMap in order to activate the Load or Save commands.
To load data from the MMC to AirMap: press → to LOAD|ENT.
3. Loading: There may be more than one GPS Data File (*.USR) on the
card. To select a file, press ENT to activate the selection box, use ↓ or ↑
to highlight the file, then press ENT to accept the selection. Next, press
↓ to LOAD|ENT. The unit will display a completion message when the
data transfer is finished. To return to the Page view, press
EXIT|EXIT|EXIT.
Navigate
Navigation is one of the most powerful reasons for owning an AirMap,
and has already been addressed in Sec. 3. Land navigation is just as
useful, though. Just like the air navigation options, you can get accu-
rate information about where you want to go, how to get there, how
long it will take, and other useful trip information.
Navigate Back to Man Overboard Waypoint
In Land Mode, this unit has a man overboard feature that shows navi-
gation data to the location where the feature was activated. (This fea-
ture replaces Aviation Mode's "Find Nearest Airport" shortcut.) To acti-
vate it, press the ZOUT and ZIN keys at the same time. Your position at
the time these keys are pressed is used as the man overboard position.
The unit automatically begins navigating to the MOB waypoint.
Cancel Navigation
Press MENU|MENU|↓ to CANCEL NAVIGATION|ENT|← to YES|ENT.
Navigate a Route
1. From the NAVIGATION PAGE, press MENU|ENT or from the MAP PAGE,
press MENU|MENU|↓ to ROUTE PLANNING|ENT.
2. Press ↓ to select route name|ENT|↓ to NAVIGATE|ENT.
NOTE: To navigate a route in reverse: instead of the instructions in step
2, press ↓ to select route name|ENT|↓ then → to REVERSE|ENT|← to
NAVIGATE|ENT.
3. Upon arrival at your destination, cancel navigation:
press MENU|MENU|↓ to CANCEL NAVIGATION|ENT|← to YES|ENT.
Navigate to Cursor Position on Map
1. Use arrow keys to center cursor cross-hair over the map object or lo-
cation.
66
2. To navigate to the selected location: press MENU|ENT|EXIT. Follow steer-
ing arrow on Map Page or compass bearing arrow on Navigation Page.
Navigate to an Icon
Use the Navigate to Cursor command above, and use the cursor to se-
lect the icon.
Navigate to Point of Interest (POI)
For POIs that are in view on the map, you can easily use the Navigate
to Cursor command above; just use the cursor to select the POI. The
other method involves searching for POIs with the Find command. (see
Sec. 6, Searching, for detailed instructions on POI searches.)
Whenever you locate a POI, the Point of Interest information screen
appears (with phone number, position, etc.) and the GO TO command is
automatically highlighted in the command box. To navigate to that
POI, press ENT and AirMap begins displaying navigation information to
that location.
Navigate to a Waypoint
You can select any waypoint visible on the Map Page with the cursor,
then use the Navigate to Cursor command. However, you can avoid
scrolling the map to pick your waypoint if you use the Find commands:
1. Press FIND|↓ to MY WAYPOINTS|ENT. To look up the nearest waypoint,
press ENT, or to look by name (and scroll through the entire waypoint
list), press ↓|ENT. For this example, look by name.
2. If your waypoint list is a long one, you can spell out the waypoint name
in the FIND BY NAME box to search for it. (Press ↑ or ↓ to change the first
character, then press → to move the cursor to the next character and re-
peat until the name is correct, then press ENT to jump to the list below.)
3. If the list is short, you can jump directly to the FIND IN LIST box by
pressing ENT. Use ↑ or ↓ to select the waypoint name, press ENT and the
waypoint information screen appears with the GO TO command selected.
4. To begin navigating to the waypoint, press ENT.
Navigate a Trail
NOTE:
Trails are described in more detail later in this section, under the
heading "Trails." If you are unfamiliar with plot trails, consider
skipping ahead and reading the introduction to them before reading
about trail navigation.
There are two methods for following your back trail. The simplest re-
quires no menu commands at all, but provides no navigation information

67
during the trip, such as the time to your destination. The other requires
only three key strokes and provides a full range of navigation data. Try
both methods and see which you prefer. When hiking at walking speed,
we often just use visual back trailing because it is better at following each
little turn on a foot path. At faster speeds, whether cruising at 120 kts or
zipping down the highway, the Navigate Trail command is handy.
Visual Back Trailing
1. On the Map Page, zoom (ZIN or ZOUT) so your flashing trail is visible.
2. Begin moving and watch the Map Page (or Navigation Page, if you
prefer). Simply walk or steer so that your current position arrow traces
along the trail you have just made.
Navigate a Back Trail
1. Press MENU|MENU|↓ to MY TRAILS|ENT and a screen similar to the
one in the following image appears.
Trails Menu.
2. Press ↓ then use ↓ or ↑ to select a trail to navigate.
3. With the trail name highlighted, press ENT|→ then ↓ to NAVI-
GATE|ENT.
4. Wait while AirMap creates a route from the trail. When the progress
message disappears, the unit displays a route information screen. Press
↓ to highlight the NAVIGATE command.
Tip: Back Track a Trail
Simply running the Navigate command will lead you along the trail
from its starting point to its ending point — forward order. You can
also back track a trail, or follow it in reverse order (from its ending
point to its starting point.) You must first select the Reverse com-
mand to reverse the trail point order before you start navigating:
press → to REVERSE|ENT|← to NAVIGATE.
68
5. To follow the trail, press ENT. The unit begins showing navigation
data along the trail. Follow the steering arrow on the Map Page or the
compass bearing arrow on the Navigation Page.
NOTE:
If you are at or near the start of the trail, the arrival alarm will go
off as soon as navigation begins because of your proximity to the
trail's first point. Just press EXIT to clear the alarm.
6. Upon arrival at your destination, cancel navigation:
press MENU|MENU|↓ to CANCEL NAVIGATION|ENT|← to YES|ENT.
Backtrack a Trail
See the "tip" paragraph in the previous entry, Navigate a Trail.
Routes
A route is a series of waypoints, linked together in an ordered sequence,
that's used to mark a course of travel. You can visualize a route as a
string of beads: The beads represent waypoints and the string repre-
sents the course of travel connecting waypoint to waypoint.
The course from one waypoint to the next is a leg; routes are composed
of one or more legs. The legs of all GPS routes are based on straight
lines between waypoints.
A route provides the automatic capability to navigate through several
waypoints without having to reprogram the unit after arriving at each
waypoint. Once programmed into the GPS unit, a route provides the
option of navigating forward through the route waypoints or in reverse
order. (You can even begin navigating in the middle of a route!)
Create and Save a Route
You have the option of creating a route in the unit, or on your computer
if you have purchased our MapCreate 6 software.
PC-created Routes
When you're making routes exclusively for use in Land Mode, MapCre-
ate is the easiest method for preparing them, simply because your PC's
larger screen, keyboard and mouse are easier to manipulate than the
smaller AirMap.
To load a MapCreate route into AirMap, follow instructions in MapCre-
ate's manual for creating a route and saving it as part of a GPS Data File
(file format *.usr). Copy the GPS Data File to an MMC and insert the
MMC in AirMap. (See Sec. 2 for instructions on installing MMCs. To load
the GPS Data File into AirMap memory, see the entry on Transferring
GPS Data Files between AirMap and a Computer in this section.)

69
Routes Created in AirMap
If you plan on flying the route – or if you just want to make it quickly
without using a computer – you can create a route in the unit. You do
this by selecting existing waypoints from your waypoint list or the
Aviation Waypoints, or by making new route waypoints on the map
with cursor arrows and the Enter key.
Route Planning on Main Menu is shown left. Center, New Route command
on the Routes Menu. Right, Edit Route Menu with no waypoints in the
waypoint list.
Adding Aviation Waypoints is the most effective way to build a route for
a flight plan. To begin, press MENU|MENU|↓ to ROUTE PLANNING|ENT.
Make sure NEW ROUTE is selected at the top of the Routes Menu, and press
ENT again.
To begin making your route, press ↓ to highlight the first empty space
in the waypoint list. Pressing ENT will bring up the menu in the fol-
lowing image. Select ADD AVIATION WAYPOINT and press ENT.
Process for adding an Aviation Waypoint to a route. At left, Find By
menu appears after selecting Add Aviation Waypoint. Center, select the
desired waypoint from the list (notice the symbols at the left showing
the type of waypoint). At right, Waypoint Information screen with "Add
to Route" option selected.

70
Keep adding waypoints in this way until you have plotted your whole
route. Of course, you don't have to use just one method. You could add a
handful of Aviation Waypoints but in between place some waypoints
from the map, if you want to detour over a particular landmark. Or
even include personal waypoints in your route, if you'd like to fly over a
friend's house. Since you add one waypoint at a time, you can choose
the best way to enter each one.
For another example, we'll go through the process of creating a Land
Mode route using only the map option.
1. From the NAVIGATION PAGE, press MENU|ENT or from the MAP PAGE,
press MENU|MENU|↓ to ROUTE PLANNING|ENT.
2. Make sure NEW ROUTE is selected and press ENT|↓ to (ROUTE
END)|ENT|↓ to ADD FROM MAP|ENT. The Map Page appears with the cur-
sor showing.
3. Use the Zoom keys and arrow keys to move the map and cursor until
the cursor is centered on the spot where you want your route to begin.
(If you are starting at your current position or the current cursor posi-
tion, you are already at the starting spot.)
4. Set the first route waypoint: press ENT. In this example we moved to
the intersection of 11th Street and 145th E. Ave. to start our route to a
public hunting area next to a river.
5. Move the cursor to the next point in the route, a spot where you need
to turn or change direction, and press ENT to set the next waypoint.
6. Repeat step five until the route reaches your destination.
1. 2. 3.
Route creation sequence, from left: Fig. 1. Set route waypoint (1) at 11th
St. & 145th Ave. Fig. 2. Zoom in; move cursor north to set point (2) at 145th
& Admiral. Fig. 3. With point (2) set, move cursor east to mark interstate
on-ramp with waypoint (3). In figures 2 and 3, notice the rubber band line
extending from the previously set waypoint to the cursor. This line will
become the course for the route.

71
4. 5. 6.
Route creation sequence, continued: Fig. 4. Point (3) set at on-ramp turn.
Fig. 5. Waypoint (4) set at highway exit to frontage road leading to river.
Waypoint (5) ends the route at a tree stand in the hunting area.
Fig. 6. Press EXIT to save the route and you return to this screen.
7. To save your route, press EXIT. AirMap reverts to the Route screen,
with the route automatically named "Route 1" and stored in AirMap's
internal memory.
8. You can edit the name if you wish. Press ↑ to NAME|ENT. Press ↑ or ↓
to change the first character, then press → to move the cursor to the
next character and repeat until the name is correct, then press ENT.
9. You can execute other route commands, such as NAVIGATE. With the
command box active, just press ← or → to highlight a different com-
mand, then press ENT.
10. If you are finished with the route for now, you ca n r etu rn to the
last page displayed by pressing EXIT|EXIT|EXIT.
Delete a Route
1. From the NAVIGATION PAGE, press MENU|ENT or from the MAP PAGE
press MENU|MENU|↓ to ROUTE PLANNING|ENT.
2. Press ↓ to the route list, then press ↓ or ↑ to select route name|ENT.
3. Press ↓ then → to DELETE|ENT|← to YES|ENT.
Save GPS Data Files to an MMC
1. Press MENU|MENU|↓ to SYSTEM SETUP|ENT|↓ to TRANSFER MY
DATA|ENT.
2. The Transfer My Data menu includes a message which tells you if an
MMC is present. If no MMC is present, you must first insert a card into
AirMap in order to activate the Save command.
3. To save data from AirMap to the MMC: press ENT (for SAVE.)

72
4. To accept the default name "Data" for the GPS Data File, press ↓ to
SAVE|ENT. (If you wish to rename the file, press ENT to activate the se-
lection box. Press ↑ or ↓ to change the first character, then press → to
the next character and repeat until the name is correct. Then, press
ENT|↓ to SAVE|ENT.)
The unit will display first a progress then a completion message when
the data transfer is finished. To return to the Page view, press
EXIT|EXIT|EXIT.
Searching
In this example, we'll look for the nearest hotel or motel. For more in-
formation on different types of searches, refer to Sec. 6, Searching.
NOTE:
This example requires the Point of Interest (POI) database included
with MapCreate 6. Always use a custom map if you want to be able
to search for Points of Interest.
After AirMap has acquired a position:
1. Press FIND|↓ to MAP PLACES|ENT|↓ to POI-LODGING.
2. You could search the entire lodging category, but in this example we
will narrow our search. Subcategory is listed below the main selection
list. Press → to HOTELS/MOTELS|ENT|ENT.
3. AirMap says it is calculating, then a list of hotels and motels ap-
pears, with the closest at the top of the list, and the farthest at the bot-
tom of the list. The nearest is highlighted.
Find Map Places Menu, left; Category Selection menu, center;
and list of the nearest motels, right.

73
4. If you wish, you could scroll ↑ or ↓ here to select another motel or
hotel, but for now we will just accept the nearest one. Press ENT.
5. The POI information screen appears. (This is what makes AirMap
handy as a business phone directory!) If you wanted to navigate there,
you could press Enter, since the Go To command is highlighted. But we
just want to see it on the map, so press → to FIND ON MAP|ENT.
POI information screen on hotel nearest this position.
Screen shows name, street address, phone number, latitude/longitude,
distance to the hotel and its compass bearing. Figure at left shows Go To
command; right figure shows Find On Map command.
6. AirMap's map appears, with the cross-hair cursor highlighting the
hotel's POI symbol. A pop-up name box identifies the POI. A data box
at the bottom of the screen continues to display the location's latitude
and longitude, distance and bearing.
Map screen showing Finding Waypoint, the result of a lodging search.
7. To clear the search and return to the last page displayed, press
EXIT|EXIT|EXIT. Press EXIT one more time if you want to clear the cur-
74
sor and let the map return to the current or last known position. (Be-
fore you completely exited out of the Search menus, you could have
gone looking for another place.)
Switch to Aviation Mode
To leave Land Mode and switch to Aviation Mode:
1. Press MENU|MENU|↓ to SYSTEM SETUP|↓ to ENABLE AIRMAP|ENT.
2. Unit asks, "Are you sure you want to turn on aviation mode?"
3. Press ←|ENT and the unit switches to Aviation Mode.
Switch Back to Land Mode from Aviation Mode
To leave Aviation Mode and switch back to Land Mode:
1. Press MENU|MENU|↓ to SYSTEM SETUP|↓ to DISABLE AIRMAP|ENT.
2. Unit asks, "Are you sure you want to turn on land navigation mode?"
3. Press ←|ENT and the unit switches to Land Mode.
NOTE:
In Aviation Mode, trail displays are turned off by default, but trails
may still be recording. When you switch the unit back to Land
Mode, any trails you've recorded will again be displayed. If these
trails cause too much clutter on the map display, you can hide them
(using the Map Categories Shown option) or delete any unnecessary
trails (as described in the following segment).
Trails
A trail, or plot trail, is a string of position points plotted by AirMap as
you travel. It's a travel history, a record of the path you have taken.
Trails are useful for repeating a journey along the same track. They are
particularly handy when you are trying to retrace your trip and go back
the way you came.
AirMap lets you save up to 10 trails in its memory. Since you can copy
these trails to MMCs in the form of GPS Data Files (*.usr format), the
only true limit on the number of trails you can record is the number of
MMCs you can carry in your pockets.
(For various trail options, see the Trail Options entry in Sec. 5.)
Create and Save a Trail
AirMap is set at the factory to automatically create and record a trail
while the unit is turned on. It will continue recording the trail until the
length reaches the maximum trail point setting (default is 2,000, but
the unit can record trails 9,999 points long). When the point limit is
reached, AirMap begins recording the trail over itself.
75
To preserve a trail from point A to point B, you must "turn off" the trail
by making it inactive before heading to point C or even back to point A.
When a trail is set inactive, AirMap automatically creates and begins
recording a new trail.
Delete a Trail
To erase or delete a trail: Press MENU|MENU|↓ to MY TRAILS|ENT|↓ to
trail name|ENT|→ to DELETE TRAIL|ENT|← to YES|ENT.
Edit a Trail Name
To edit a trail name: press MENU|MENU|↓ to MY TRAILS|ENT|↓ to trail
name|ENT|ENT. Press ↑ or ↓ to change the first character, then press →
to the next character and repeat until the name is correct. Press
EXIT|EXIT|EXIT|EXIT to return to the previous page display.
Transferring GPS Data Files
Between AirMap and a Computer
To copy GPS Data Files from AirMap's memory to an MMC, see the
entry in this section on Save GPS Data Files to an MMC.
To copy GPS Data Files from an MMC into AirMap's memory, see the
entry in this section on Load GPS Data Files From an MMC.
To copy GPS Data Files from an MMC to your computer, see the in-
struction manual that came with your MapCreate 6 mapping software
or your MMC card reader.
Transferring and Loading Custom Maps
From Computer to AirMap
Custom maps work only from the MMC card or SD card. When a card
containing a Custom Map File is loaded into the unit, AirMap auto-
matically loads the map into memory when the unit is turned on.
Instructions for copying Custom Map Files to an MMC are contained in
the instruction manual for your MMC card reader and MapCreate 6
software. For instructions on inserting an MMC into AirMap, see Sec.
2, Installation/Accessories.
Utilities
Utilities are useful tools for traveling or for outdoor activities.
NOTE:
AirMap also includes a set of Aviation-only utilities. These are dis-
cussed in Sec. 3, Aviation Utilities.
76
Alarm Clock
To get to the alarm clock menu: press MENU|MENU|↓ to UTILITIES|ENT|↓
to ALARM CLOCK|ENT.
Sun/Moon Rise & Set Calculator
To get to the Sun/Moon menu: press MENU|MENU|↓ to UTILI-
TIES|ENT|ENT.
Trip Calculator
To get to the Calculator menu: press MENU|MENU|↓ to UTILITIES|ENT|↓
to TRIP CALCULATOR|ENT.
Trip Down Timer
To get to the Down Timer menu: press MENU|MENU|↓ to UTILI-
TIES|ENT|↓ to DOWN TIMER|ENT.
Trip Up Timer
To get to the Up Timer menu: press MENU|MENU|↓ to UTILITIES|ENT|↓
to UP TIMER|ENT.
Waypoints
A waypoint is simply an electronic "address," based on the latitude and
longitude of a position on the earth. A waypoint represents a location,
spot, or destination that can be stored in memory, then be recalled and
used later on for navigation purposes. Simply think of it as an elec-
tronic address. You can create a waypoint at the cursor position on the
map, or at your current position while you are navigating.
Create a Waypoint
These techniques use the Quick Save method, the fastest and easiest
way to create a waypoint.
Create Waypoint on Map
1. Use the arrow keys to move the cursor to the place where you want
to make a waypoint.
2. Press ENT|ENT. The waypoint is saved and automatically given a
name with a sequential number, such as "waypoint 001." The waypoint
symbol and number appear on the map.
Create Waypoint at Current Position
While you are traveling, press ENT|ENT. The waypoint is saved and
automatically given a name with a sequential number, such as "way-
point 002." The waypoint symbol and number appear on the map.
77
Create a Man Overboard Waypoint
This unit has a man overboard feature that shows navigation data to the
location where the feature was activated. To activate it, press the ZOUT
and ZIN keys at the same time. Your position at the time these keys are
pressed is used as the man overboard position. The unit automatically be-
gins navigating to the MOB waypoint. For further details, see the subject
Navigating Back to a Man Overboard Waypoint earlier in this section.
Create a Waypoint by Average Position
This feature sets a waypoint at the current position after taking several
position readings and averaging them. This boosts waypoint position
accuracy by helping to eliminate errors caused by atmospheric condi-
tions and other factors.
1. Press ENT|↓ to AVERAGE POSITION|ENT|(cursor jumps to highlight
CREATE)|ENT.
2. Wait while the unit takes points to average for the position. (The greater
the number of points, the greater the accuracy.) When the desired number
of points accumulates, press ENT to create and save the waypoint.
3. The Edit Waypoint menu appears. You can simply save the waypoint
by pressing EXIT|EXIT or you can edit the waypoint.
Create a Waypoint by Projecting a Position
This feature sets a waypoint at a point located a specific distance and
bearing from a reference position. The reference position can be se-
lected from your waypoint list, a map feature or from the Points of In-
terest list.
1. Press ENT|↓ to PROJECTED POSITION|ENT|(cursor jumps to highlight
CREATE)|ENT.
2. Press ↓ to CHOOSE REFERENCE|ENT. Use ↑ and ↓ to select a waypoint,
map feature or Point of Interest. When the point has been selected,
press ENT and the point's position appears as the reference position.
3. Press ↓ to DISTANCE|ENT. Press ↑ or ↓ to change the first character,
then press → to the next character and repeat until the distance is cor-
rect. Press ENT.
4. Press ↓ to BEARING|ENT. Press ↑ or ↓ to change the first character,
then press → to the next character and repeat until the bearing is cor-
rect. Press ENT.
5. Press ↑ to PROJECT|ENT. The Edit Waypoint menu appears. You can
simply save the new projected waypoint by pressing EXIT|EXIT or you
can edit the waypoint. (Press EXIT|ENT if you want to immediately be-
gin navigating to the new waypoint.)
78
Selecting a Waypoint
To select a waypoint on the map (for navigating to, for editing, etc.,) use
the arrow keys and center the cursor over the waypoint. A highlighted
halo will appear around the waypoint.
Delete a Waypoint
To delete a waypoint: press FIND|↓ to MY WAYPOINTS|ENT|↓ to
NAME|ENT|ENT|↓ to waypoint name|ENT|→ to DELETE|ENT|← to
YES|ENT. To return to the previous page, press EXIT|EXIT.
Edit a Waypoint
Waypoint Name
To edit waypoint name: 1. Press FIND|↓ to MY WAYPOINTS|ENT|↓ to
NAME|ENT|ENT|↓ to waypoint name|ENT|→ to EDIT WAYPOINT|ENT|ENT.
2. Use the arrow keys to rename the waypoint, then press ENT. To re-
turn to the previous page, press EXIT|EXIT.
Waypoint Symbol
To edit waypoint symbol: 1. Press FIND|↓ to MY WAYPOINTS|ENT|↓ to
NAME|ENT|ENT|↓ to waypoint name|ENT|→ to EDIT WAYPOINT|ENT|↓ to
EDIT SYMBOL|ENT.
2. Use the arrow keys to select desired symbol and press ENT. To return
to the previous page, press EXIT|EXIT|EXIT.
Waypoint Position
To edit waypoint position: 1. Press FIND|↓ to MY WAYPOINTS|ENT|↓ to
NAME|ENT|ENT|↓ to waypoint name|ENT|→ to EDIT WAYPOINT|ENT.
2. Latitude: press → to LATITUDE|ENT, then press ↑ or ↓ to change the
first character, then press → to the next character and repeat until the
latitude is correct. Press EXIT.
3. Longitude: press →|↓ to LONGITUDE|ENT, then press ↑ or ↓ to change
the first character, then press → to the next character and repeat until
the longitude is correct. Press EXIT.
4. When latitude and longitude are correct, return to the previous page:
press EXIT|EXIT|EXIT|EXIT.
Waypoint Altitude
To edit waypoint altitude: 1. Press FIND|↓ to MY WAYPOINTS|ENT|↓ to
NAME|ENT|ENT|↓ to waypoint name|ENT|→ to EDIT WAYPOINT|ENT|↓ to
ALTITUDE|ENT.
2. Use the arrow keys to set the altitude, then press ENT. To return to
the previous page, press EXIT|EXIT.

79
Section 5:
System & GPS Setup Options
Alarms
This unit has several GPS alarms. You can set an arrival alarm to flash
a warning message and sound a tone when you cross a preset distance
from a waypoint. For example, if you have the arrival alarm set to 0.1
mile, then the alarm will flash a message when you come within 0.1
mile of the recalled waypoint.
The off course alarm warns you when your track drifts too far to the
right or left of the course line to the waypoint. For example, if the
alarm is set to 0.1 mile, then the alarm flashes a message if you drift
0.1 of a mile or more to the right or left of the line to the waypoint.
The anchor alarm is triggered when you drift outside of a preset radius.
Again, using the 0.1 mile as an example, if you're anchored and your
boat moves more than 0.1 of a mile, the alarm will flash a message and
sound a tone.
You can use the Alarm Menu to adjust distance settings or to turn
alarms off or on.
NOTE:
The AirMap also includes several Aviation Alarms, which are only
available when the unit is in Air Mode. For detailed descriptions of
the Aviation Alarms, see the following entry.
Alarms command, left; Alarm menu, right.
To change alarm settings:
1. Press MENU|MENU|↓ to ALARMS|ENT.

80
2. Scroll ↓ or ↑ to select the desired category, then press ENT to turn the
alarm on or off.
3. To change the alarm range, press → to DISTANCE|ENT. Press ↑ or ↓ to
change the first character, then press → to the next character and re-
peat until the distance is correct. Then press ENT.
4. To return to the last page displayed, press EXIT|EXIT.
IMPORTANT ALARM NOTES:
Anchor Alarm – The anchor alarm may be triggered even when
you're sitting still. This typically happens when using small (less
than 0.05 mile) anchor alarm ranges.
Arrival Alarm - If you set the arrival alarm's distance to a small
number and you run a route (see the Navigate Routes segment),
this unit may not show navigation data to the next waypoint, once
you arrive at the first one, since you may not be able to come close
enough to the first waypoint to trip the arrival alarm.
Aviation Alarms
This unit has three airspace alarms that are triggered by any airspace
that it's capable of showing. The alarms are three-dimensional in nature;
that is, they are triggered by both horizontal distance and altitude.
The Time Alarm is a "look-ahead" alarm that (based on your current
speed and track) sounds an alarm 10 minutes before you reach an air-
space. The Near Alarm sounds when you are within one nautical mile
of an airspace. Finally, the Inside Alarm sounds to let you know you
have entered an airspace.
All of these alarms can be turned on or off using the Aviation Alarms
menu. The limits that trigger them are adjustable from this menu as well.
Aviation Alarms menu, left; a Time Alarm showing arrival at
DFW International Airport in 10 minutes, right.

81
To change any of these settings while in Aviation Mode:
1. Press MENU|MENU|↓ to AVIATION ALARMS|ENT.
2. Scroll ↓ or ↑ to select the desired category, then press ENT.
3. In number boxes, press ↑ or ↓ to change the first character, then press
→ to the next character and repeat until the distance or time is correct.
4. To return to the last page displayed, press EXIT|EXIT.
Auto Satellite Search
To lock onto the satellites, the GPS receiver needs to know its current
position, UTC time and date. (Elevation (altitude) is also used in the
equation, but it's rarely required to determine a position.) It needs this
data so that it can calculate which satellites should be in view. It then
searches for only those satellites.
When your GPS receiver is turned on for the first time, it doesn't know
what your position or elevation (altitude) is. The unit begins searching
for the satellites using data that it acquired the last time it was turned
on. This was probably at the factory. Since it's almost certain that
you're not at our factory, it's probably looking for the wrong satellites.
If it doesn't find the satellites it's looking for after a short time, it
switches to Auto Search. The receiver looks for any satellite in the sky.
Due to advanced technology, the auto search time has shrunk signifi-
cantly from the early days of GPS.
Once the unit locks onto the satellites, it should take less than a minute to
find your position the next time it's turned on, provided you haven't moved
more than approximately 100 miles from the last location it was used.
Satellite Status Menu.

82
You can force the unit to immediately kick into auto search mode.
Here's how:
1. Press PAGES|← to STATUS|ENT.
2. Press MENU|↓ to GPS AUTO SEARCH|ENT|← to YES|ENT.
Battery Indicator
AirMap contains a battery capacity indicator, and will also flash low bat-
tery warning messages when battery power declines to a certain level.
When plugged into the DC cigarette lighter adapter, the power indica-
tor instead displays the Voltage of the external power source.
Battery capacity shown in the Power box at bottom right of Satellite
Page. Figure at left shows nearly full power with fresh batteries. At
right, batteries show approximately 10 percent of their power is left.
Check MMC Files and Storage Space
To check MMC Files:
1. Press MENU|MENU|↓ to BROWSE MMC FILES|ENT.
At left, Main Menu with Browse MMC Files selected. MMC File
Browser is shown at center, and MMC Card Info at right.
Com Port Configuration
AirMap has one NMEA 0183 version 2.0 compatible communication port,
or com port for short. The Com Port Menu, which is accessed from the

83
System Setup Menu, allows you to configure the communications port to
send data to another electronic device, such as an autopilot.
Menus for changing Com Port settings.
For connectors and wiring information for another device, consult the
factory; phone numbers are in the back of this manual. To set Com Port
Configuration:
1. Press MENU|MENU|↓ to SYSTEM SETUP|ENT.
2. Press ↓ to COMMUNICATIONS PORT|ENT.
Coordinate System Selection
The Coordinate System Menu lets you select the coordinate system to
use when displaying and entering position coordinates.
Menus for changing coordinate system used to display positions.
To get to Coordinate System Selection:
84
1. Press MENU|MENU|↓ to GPS SETUP|ENT.
2. Press ↓ to COORDINATE SYSTEM|ENT.
This unit can show a position in degrees (36.14952°); degrees, minutes
and thousandths of a minute (36° 28.700'); or degrees, minutes, seconds
and tenths of a second (36° 28' 40.9"). It can also show position in: UTM
(Universal Transverse Mercator) projection; MGRS (Standard); MGRS
(Standard + 10); Map Fix; Loran TD; British, Irish, Finnish, German,
New Zealand, Swedish, Swiss, Taiwan and Military grids.
UTM's are marked on USGS topographic charts. This system divides
the Earth into 60 zones, each 6 degrees wide in longitude.
British, Irish, Finnish, German, New Zealand, Swedish, Swiss and
Taiwan grid systems are the national coordinate system used only in
their respective countries. In order to use these grid systems, you must
be in the respective country. This unit will pick the matching datum for
you when you select the grid. See the entry on Map Datum Selection for
more information.
The military grid reference system (MGRS) uses two grid lettering
schemes, which are referred to as standard and alternate MGRS on this
unit. Your position and datum in use determines which one to use. If
you use standard, and your position is off significantly, then try the al-
ternate.
NOTE: When the position format is changed, it affects the way all posi-
tions are shown on all screens. This includes waypoints.
To select a coordinate system:
To change the coordinate system, press ENT while COORDINATE SYSTEM is
highlighted. Press the ↑ or ↓ arrow keys to highlight the desired for-
mat. Press ENT to select it. Press EXIT to erase the menus.
To setup Loran TD:
NOTE:
If the Loran TD conversion is chosen, you must enter the local Lo-
ran chain identification for the master and slaves. Do this by se-
lecting "Setup Loran TD" at the bottom of the "Coordinate System"
menu and select the ID. Press EXIT to erase this menu.

85
At left, Setup Loran TD option on the Coordinate System Menu.
At right, Configure Loran TD menu.
Map Fix
Map Fix is used with charts or maps. This system asks for a reference
position in latitude/longitude, which you take from a marked location
on the map. It then shows the present position as distance on the map
from that reference point.
For example, if it shows a distance of UP 4.00" and LEFT 0.50", you
then measure up four inches and to the left a half-inch from the refer-
ence point on the map to find your location.
To configure a map fix:
To use this format, you need to follow these steps in order. First, take
your map of the area and determine a reference latitude/longitude.
(Note: in order for this system to work, the latitude/longitude lines must
be parallel with the edge of the map. USGS maps are parallel, others
may not be. Also, this works better with smaller scale maps.) The refer-
ence position can be anywhere on the map, but the closer it is to your
location, the smaller the numbers will be that you'll have to deal with.
Once you've decided on a reference position, you can save it as a waypoint.
See the waypoint section for information on saving a waypoint. Save the
reference position as a waypoint. Exit from the waypoint screens.
Now press MENU|MENU|↓ to GPS SETUP|ENT|↓ to COORDINATE SYS-
TEM|ENT|↓ to SETUP MAP FIX|ENT. The following left screen appears, and
MAP SCALE is highlighted. Press ENT and enter the map's scale. This is
generally at the bottom of the paper map. It's shown as a ratio, for ex-
ample 1:24000. Press EXIT and the unit returns to the Configure Map
Fix screen.

86
Configure a map fix so AirMap can find your position on a printed
chart, sectional or topographical map.
Press → to SELECT ORIGIN|ENT|ENT (MY WAYPOINTS) if you saved the refer-
ence point as a waypoint. Select the waypoint that you saved the refer-
ence point under and press ENT. The unit displays a waypoint informa-
tion screen with the command SET AS ORIGIN selected; press ENT and the
unit returns to the Configure Map Fix menu. Finally, press EXIT to
erase this menu. Now press ↑ to COORDINATE SYSTEM|ENT, select MAP FIX
from the list and press ENT. All position information now shows as a
distance from the reference point you chose.
Customize Page Displays
Every Page display option except Compass Overlay (on the Map Page)
has customizable data boxes to provide constant on-screen information.
The information provided in these data boxes is fully customizable.
The various data available from your unit are divided into categories in
the Customize menu. These categories include GPS Data, Navigation,
Trip Calculator, Time, and Miscellaneous Data. You can select items
from any of these categories for display on any page — the category di-
visions are only there to help you sort through the information.
To change the information displayed on your screen:
While on the Page display you wish to change, press MENU|↓ to
CUSTOMIZE|ENT. You'll see a list of the information categories with "+" or
"-" symbols next to each category name. A category with a "+" next to it
is expandable, meaning its contents are currently hidden.

87
Customize Menu, with "GPS Data" and "Navigation" categories expanded.
Selecting the category name and pressing ENT will show the category's
contents, so you can choose items within it. An expanded category (one
with a "-" next to its name) can be collapsed to hide its contents, and
make more room on your screen. Just select the category name and
press ENT.
Expand any categories that might contain information you want to dis-
play. Then press ↓ or ↑ to select a display option. With the option high-
lighted, press ENT to check it (turn on) and uncheck it (turn off). As you
turn categories on, boxes will be added in a row at the top or bottom of
the display. Every Page display has a limit to the maximum number of
boxes you can add.
You can also turn off all categories to increase the available screen size.
After all options are set, press EXIT to return to the page display.
GPS Simulator
The GPS simulator lets you use the unit as if you were outdoors navi-
gating somewhere. You can set the starting location in lati-
tude/longitude (Starting Position) or from a stored waypoint location
(Select Starting Waypoint). You can steer your position on the map by
using the arrow keys (Steer With Arrows) or by setting the track and
speed in the boxes provided on the simulator screen.
To get to the GPS Simulator:
1. Press MENU|MENU|↓ to GPS SETUP|ENT.
2. Press ↓ to GPS SIMULATOR|ENT.

88
Make the desired settings, then turn the simulator on by highlighting
the SIMULATOR ON box and pressing the ENT key. Press EXIT to erase this
menu. A message appears periodically, warning you that the simulator is
on. Repeat the above steps or turn the unit off to turn the simulator off.
GPS Setup Menu, left, GPS Simulator Menu, right.
Map Auto Zoom
This receiver has an auto zoom feature that eliminates much of the but-
ton pushing that other brands of GPS receivers force you to make. It
works in conjunction with the navigation features.
First, start navigation to a waypoint. (See the waypoint section for
more information on navigating to a waypoint.) Then, with the auto
zoom mode on, the unit zooms out until the entire course shows, from
the present position to the destination waypoint. As you travel toward
the destination, the unit automatically begins zooming in — one zoom
range at a time — always keeping the destination on the screen.
To turn this feature on, from the MAP PAGE, press MENU|↓ to AUTO
ZOOM|ENT. Repeat these steps to turn it off.
Map Data
This menu lets you turn the map off, if desired, which turns the map
screen into a GPS plotter; turn off or on the pop-up map info boxes;
draw the map boundaries or boxes around the areas of detail; or fill wa-
ter areas with white. You can also turn on or off Map Overlays, which
display latitude and longitude grid lines or range rings on the map.
This menu lets you select Navionics Maps; for instructions, see the
Navionics Charts entry in this section.
To get to Map Data:
1. From the Map Page, press MENU|↓ to MAP DATA|ENT.

89
Map Menu, left, Map Data Menu, right.
Show Map Data
Press MENU|↓ to MAP DATA|ENT. Press ENT to adjust the level of detail
using EARTH MAP DETAIL. After the option is set, press EXIT to return to
the page display.
NOTE:
In Aviation Mode, turning EARTH MAP DETAIL to Off will clear all land
map information from the map display, but the aviation map re-
mains. You can also select other degrees of detail, from Low to
High. This is a good way to quickly control clutter if you need to fo-
cus on just the air map.
Pop-up Map Info
Press MENU|↓ to MAP DATA|ENT. Press ↓ to POPUP MAP INFORMATION. With
the option highlighted, press ENT to check it (turn on) and uncheck it
(turn off). After the option is set, press EXIT to return to the page display.
Map Boundaries
Press MENU|↓ to MAP DATA|ENT. Press ↓ to DRAW MAP BOUNDARIES. With the
option highlighted, press ENT to check it (turn on) and uncheck it (turn
off). After the option is set, press EXIT to return to the page display.
Fill Water with White
Press MENU|↓ to MAP DATA|ENT. Press ↓ to FILL WATER WITH WHITE. With the
option highlighted, press ENT to check it (turn on) and uncheck it (turn
off). After the option is set, press EXIT to return to the page display.
Map Overlays (Range Rings; Lat/Long Grid)
The map screen can be customized with rings that are 1/2 and 1/4 of the
zoom range and/or grids that divide the plotter into equal segments of
latitude and longitude.

90
To set range rings: Press MENU|↓ to MAP DATA|ENT. Press ↓ to RANGE
RINGS. With the option highlighted, press ENT to check it (turn on) and
uncheck it (turn off). After the option is set, press EXIT to return to the
page display.
To set Lat/Lon Grid: Press MENU|↓ to MAP DATA|ENT. Press ↓ to
LAT/LON GRID LINES. With the option highlighted, press ENT to check it
(turn on) and uncheck it (turn off). After the option is set, press EXIT to
return to the page display.
Map Datum Selection
Maps and charts are based on a survey of the area that's covered by the
map or chart. These surveys are called "Datums." Maps that are cre-
ated using different datums will show the same latitude/longitude in
slightly different locations.
All datums are named. The GPS system is based on the WGS-84 da-
tum, which covers the entire world. Other datums may also cover the
entire world, or just a small portion of it. By default, your position
shows using the WGS-84 datum. However, it can show your position
using one of 191 different datums.
To change the datum:
1. Press MENU|MENU|↓ to GPS SETUP|ENT|↓ to DATUM SELECTION|ENT.
2. Scroll ↓ or ↑ to select the desired datum, then press ENT.
3. To return to the last page displayed, press EXIT|EXIT.
A list of the datums used by this unit is in the back of this manual.
GPS Setup Menu, left, Map Datum Menu, right.
Map Detail Category Selection
This menu determines which of the mapping features are shown on the
screen. This includes, waypoints, trails, icons, cities, highways, etc. You
can selectively turn on or off any of these items, customizing the map to
your needs.

91
To get to Map Categories:
1. Press MENU|↓ to MAP CATEGORIES DRAWN|ENT.
2. Press ↑ or ↓ to select a category or subcategory. Press ENT to turn it
off (no check) or on (checked). You can also press → or ← to select sub-
categories, so you could turn off all Rural and Minor Roads to reduce
clutter, but leave on Major City Roads for landmarks.
3. To return to the last page displayed, press EXIT|EXIT.
Map Menu, left, Map Categories Menu, right.
Map Orientation
From the Map Page, press MENU|↓ to MAP ORIENTATION|ENT. Press ↓ or ↑
to select an orientation option. With the option highlighted, press ENT
to select it, which will immediately turn it on. After the option is set,
press EXIT|EXIT to return to the page display.
Map Menu, left, Map Orientation window with
the Track Up map orientation option selected.

92
By default, many receivers show the map with north always at the top
of the screen. This is the way most maps and charts are printed on pa-
per. This is fine if you're always traveling due north. What you see to
your left corresponds to the left side of the map, to your right is shown
on the right side of the map, and so on. However, if you travel any other
direction, the map doesn't line up with your view of the world.
To correct this problem, AirMap defaults to a track-up mode that ro-
tates the map as you turn. Thus, what you see on the left side of the
screen should always be to your left, and so on. Another option is
course-up mode, which keeps the map at the same orientation as the
initial bearing to the waypoint. When either the track-up or course-up
mode is on, an "N" shows on the map screen to help you see which di-
rection is north .
Navionics Charts
Your unit can display Navionics electronic charts on MMCs. Both the
GOLD and CLASSIC format charts are accepted. They work just
like a MapCreate custom map on an MMC.
WARNING:
You should never format the MMC containing your
Navionics chart. Formatting the MMC will permanently
erase the chart from the card.
To display a Navionics chart:
1. Install the Navionics MMC in the memory card compartment and
turn on the unit. (For full card install instructions, see Sec. 2.)
2. From the Map Page, press MENU|↓ to MAP DATA|ENT|↓ to NAVIONICS
MAP CHOICE|ENT. Use ↑ or ↓ to select the Map Name, then press
ENT|EXIT|EXIT.
These figures show menu sequence (from left to right) for selecting a
Navionics chart for the South Chesapeake area.

93
3. To turn off a Navionics chart, from the Map Page, press MENU|↓ to
MAP DATA|ENT|↓ to NAVIONICS MAP CHOICE|ENT. Use ↑ or ↓ to select NONE,
then press ENT|EXIT|EXIT.
Port Information
Navionics charts contain Port Services information, represented by an-
chor icons on the map display. These icons appear at the 2 nautical
mile zoom range. An example is displayed in the following figures.
To view Port Services information:
1. Use the arrow keys to move the cursor over a Port Services icon.
When selected, a pop-up name box appears.
2. Press FIND|FIND to display the Port Services Information screen.
Navionics chart showing Port Services icon selected by cursor. When
first highlighted, the Pop-Up name box appears. The position, distance
and bearing are displayed at the bottom of the screen.
The Port Services information screen has two windows. The top window
lists the various service categories. The lower window lists the detailed
services available in each basic category.
3. To scroll through the Service Categories window: press ENT then use
↑ or ↓ to see the types of services available. As you highlight a different
category, the list in the lower window changes. To return to the Map
Page, press EXIT|EXIT.
Port Services
icon
Pop-up
name box
Cursor lines

94
Port Services information screens.
4. Depending on the location, the Detailed Services window may have a
long list of services under the General Services category. To scroll
through the Detailed Services window: from SERVICE CATEGORIES, press ↓
to DETAILED SERVICES|ENT, then use ↑ or ↓ to read the list of available
services. To return to the Map Page, press EXIT|EXIT. To return to the
top service category window, press ENT|↑.
Tidal Current Information
Navionics charts contain Tidal Current information,
represented at large zoom ranges by a box icon with
the letter "C." The icon stands for a Tidal Current Sta-
tion location. An example is displayed at right.
When you zoom in to a sufficiently small zoom range (1/2 nautical
mile), the icon itself becomes an animated arrow showing tidal current
velocity and direction for the selected tidal station at the present time.
At larger zoom ranges, you can select the boxed "C" icon and it becomes
an animated arrow with a pop-up name box (the name box disappears
after a few seconds). Examples are displayed in the following figures.

95
To view Tidal Current information:
1. Use the arrow keys to move the cursor over a Tidal Current Station
icon. When selected, a pop-up name box appears.
2. Press FIND|FIND to display the Tidal Current Information screen.
Navionics chart showing Tidal Current Station icon selected by cur-
sor. The icon animates automatically without selecting it at the 1/2
mile zoom range. The tidal current is flowing toward the northwest at
a velocity of 0.4 kn.
Current Information screen.
The Tidal Current Information screen displays daily tidal current data
for this station on this date at the present time. The graph at the top of
the screen is an approximate view of the flood and ebb pattern for the
day, from midnight (MN), to noon (NN) to midnight (MN). The velocity
scale at the top left side of the graph changes dynamically based upon
the maximum velocity of the current for that day.
Cursor lines
Tidal Current
Station icon in
animated mode
Line indicates
current status

96
Slack water, the period of little or no current, is represented by the
Slack Water Line (SWL). The flood appears above the SWL and the ebb
appears below the SWL.
You can look up tidal current data for other dates by changing the
month, day and year selection boxes. To select another date:
1. Use → and ← to highlight month, day or year, then press ENT.
2. Use ↑ and ↓ to select the desired month, day or year, then press ENT.
To clear the information screen, press EXIT.
Tide Information
Navionics charts contain Tidal Information,
represented at large zoom ranges by a box icon with
the letter "T." The icon stands for a Tidal Station
location. An example is displayed at right.
When you zoom in to a sufficiently small zoom range (1/2 nautical mile),
the icon itself becomes an animated gauge showing a rising or falling tidal
height for the selected station at the present time. At larger zoom ranges,
you can select the boxed "T" icon and it becomes an animated gauge with a
pop-up name box. Examples are displayed in the following figures.
To view tide information:
1. Select a Tide Station icon: use the arrow keys to move the cursor over
an icon. When it is selected, a pop-up name box appears.
2. After selecting the Tide Station icon, press FIND|FIND to display the
Tide Information screen.
At left, Navionics chart showing Tide Station icon selected by cursor.
Right, icon animates automatically without selection at the 1/2 mile
zoom range. In the example above, the tide is at 1.5 feet and falling,
as shown by the down arrow at the top of the icon.
Tide Station
icon in ani-
mated mode
Cursor lines

97
Tide Information screen.
The Tide Information screen displays daily tidal data for this station on
this date at the present time. The graph at the top of the screen is an
approximate view of the tidal range pattern for the day, from midnight
(MN), to noon (NN) to midnight (MN). The dotted line across the graph
is the Mean Lower Low Water line (MLLW).
The height scale on the top right side of the graph changes, based upon
the maximum range of the tide for that day. The MLLW line also ad-
justs its position as the height scale changes.
You can look up tidal data for other dates by changing the month, day
and year selection boxes. To select another date:
1. Use → and ← to highlight month, day or year, then press ENT.
2. Use ↑ and ↓ to select the desired month, day or year, then press ENT.
To clear the information screen, press EXIT.
Pop-up Help
Help is available for virtually all of the menu labels on this unit. By
highlighting a menu item and leaving it highlighted for a few seconds, a
"pop-up" message appears that describes the function of the menu item.
This feature is on by default.
To set up Popup Help: Press MENU|MENU|↓ to SYSTEM SETUP|ENT|↓
to POPUP HELP. With the option highlighted, press ENT to check it (turn
on) and uncheck it (turn off). After the option is set, press EXIT|EXIT to
return to the page display.

98
This example shows the Pop-up Help message for the Route Planning
command, located on the Main Menu.
Reset Options
To reset all features to their factory defaults:
1. Press MENU|MENU|↓ to SYSTEM SETUP|ENT|↓ to RESET OPTIONS|ENT|←
to YES|ENT.
NOTE:
Reset Options does not erase any waypoints, routes, icons or plot trails.
Reset Options command, left, and the Reset Options Menu, right.
Screen Contrast and Brightness
To access these screen commands, you first press MENU|MENU|ENT.
Once in the Screen menu:
To adjust the display's contrast:
1. The CONTRAST slider bar is already selected. Press → or ← to move the
bar. The left end of the scale is minimum contrast; the right end is

99
maximum contrast. Adjust the screen so that you see white, black & 2
shades of gray at the top of the screen.
Screen Command, left, and Contrast bar, right.
To adjust the display's brightness:
1. Press ↓ to BRIGHTNESS. Press → or ← to move the bar. The left end of
the scale is minimum backlight brightness; the right end is maximum
backlight brightness.
Screen menu with Brightness bar selected.
To adjust the screen's display mode:
1. Press ↓ to DISPLAY MODE|ENT|press ↑ or ↓ to select mode|EXIT.

100
Display Mode menu.
To adjust the display's back light delay options:
1. Press ↓ to LIGHT DELAY|ENT|press ↑ or ↓ to select mode|EXIT.
2. To leave the screen settings and return to the last page displayed,
press EXIT|EXIT.
Light Delay menu. Setting shown is "continuous." The backlight time
will automatically change to "continuous" when the unit is attached to
an external power source.
Set Language
This unit's menus are available in 10 languages: English, French, Ger-
man, Spanish, Italian, Danish, Swedish, Russian, Dutch and Finnish.
To select a different language:
1. Press MENU|MENU|↓ to SYSTEM SETUP|ENT.
2. Press ↓ to SET LANGUAGE|ENT.
3. Use ↓ or ↑ to select a different language and press ENT. All menus
now appear in the language you selected.

101
Set Local Time
The local time and date are saved when a waypoint is created. Begin by
pressing MENU|MENU|↓ to SYSTEM SETUP|ENT|↓ to SET LOCAL TIME|ENT.
Set Local Time Command: left, Main Menu; center System Setup menu.
At right, the Time Settings menu.
Once in the Time Settings menu:
To set Local Time: Press ENT. Press ↑ or ↓ to change the first charac-
ter, then press → to move the cursor to the next character. Repeat until
the time is correct, then press ENT.
To set the Month: Press ↓ to MONTH|ENT. Press ↑ or ↓ to select the
month, then press ENT.
To set the Day: Press ↓|→ to DAY|ENT. Press ↑ or ↓ to select the day,
then press ENT.
To set the Year: Press ↓|→ to YEAR|ENT. Press ↑ or ↓ to select the
year, then press ENT.
Adjusting the time, left, Adjusting the month, right.

102
The last field in this menu is CONFIG DST. This feature allows your unit
to automatically adjust with the time change caused by Daylight Sav-
ing Time (you should only have to set it once). You may select which set
of rules matches DST in your region, or simply accept the default.
Once you have each field set the way you want, press EXIT repeatedly
until you return to the previous page.
Software Version Information
From time to time, Lowrance updates the operating system software in
some of its products. These software upgrades are usually offered to
customers as free downloads from our web site, www.lowrance.com.
These upgrades make the unit perform better or introduce a new fea-
ture or function. You can find out what software version is running in
your AirMap by using the Software Info command.
System Setup menu with Software Info command selected, left.
At right, the Software Info screen.
1. Press MENU|MENU|↓ to SYSTEM SETUP|ENT|↓ to SOFTWARE INFORMA-
TION|ENT.
2. Read the information displayed on the screen.
3. To return to the previous page, press EXIT|EXIT.
Sounds and Alarm Sound Styles
Sounds triggered by key strokes and alarms can be adjusted.
To access the Sounds menu, press MENU|MENU|↓ to SOUNDS|ENT.

103
At left, Main Menu with Sounds command selected.
At right, the Sounds menu.
Once in the Sounds menu:
To set Key Sounds: With the option highlighted, press ENT to check it
(turn on) and uncheck it (turn off). After the option is set, press
EXIT|EXIT to return to the page display.
To set Alarm Sounds: Press ↓ to ALARM SOUNDS. With the option high-
lighted, press ENT to check it (turn on) and uncheck it (turn off). After
the option is set, press EXIT|EXIT to return to the page display.
To set Alarm Style: Press ↓ to ALARM STYLE|ENT. Press ↑ or ↓ to change
the style, then press ENT. After the option is set, press EXIT|EXIT to re-
turn to the page display.
Track Smoothing
This is a factory setting that should always be left on. When stopped or
traveling at slow speeds (such as walking or trolling), Track Smoothing
prevents wandering of trails, the steering arrow, compass rose and a
map in track-up mode.
Track Smoothing option, turned on.

104
Trail Options
There are several options you can use with trails. Some affect all trails,
other options can be applied to a particular trail. You can change the
way trails are updated, you can display or hide trails, make them flash
on the screen or not flash, create a new trail, delete a trail, etc.
General Trail Options
To access the Trails Menu:
1. Press MENU|MENU|↓ to MY TRAILS|ENT|→ to OPTIONS|ENT.
Main Menu, left, Trails Menu, center, Trail Options, right.
Delete All Trails
To remove all of the trails from memory: from the Trails Menu, press →
to DELETE ALL|ENT|← to YES|ENT.
Update Active Trail Option
This menu lets you change the way the trail updates occur.
WARNING:
If you uncheck the Update Active Trail option, automatic trail crea-
tion and recording will be turned off, and you must turn it back on
to record trails. The default setting is on.
Press ↓ or ↑ to UPDATE ACTIVE TRAIL. With the option highlighted, press
ENT to check it (turn on) and uncheck it (turn off).
Update Trail Criteria (Auto, Time, Distance)
The options are automatic, time, or distance. When it's in the default
automatic mode, the unit doesn't update the plot trail while you're
traveling in a straight line. Once you deviate from a straight line, the
unit "drops" a plot point (trail waypoint) onto the trail. This conserves
plot trail points. If a plot trail uses all of the available points allotted to
it, the beginning points are taken away and placed at the end of the trail.

105
Trail Options menu.
Press ↓ to UPDATE CRITERIA, then press → or ← to select criteria type|ENT.
Trail Update Rate (Time, Distance)
You can update a trail by time, with a range from 1 second to 9999 seconds;
the default is 3 seconds. You can update by distance, with a range from 0.01
miles/nm/km to 9.99 miles/nm/km; the default is 0.10 nautical miles.
With the proper Update Criteria activated, press ↓ to enter its data en-
try box and press ENT. Press ↑ or ↓ to change the first character, then
press → to the next character and repeat until the entry is correct.
Press EXIT|EXIT to return to the Trail Options Menu.
Trail Options menu.
Specific Trail Options
New Trail
To manually start a new trail or delete a trail: From the Trail Options
Menu, press ENT. The trail menu appears as seen below:

106
Trail menu.
The name, maximum number of points in the trail, activity, and visi-
bility are all changed on this screen. The Active setting determines
whether or not AirMap is recording new points for a particular trail.
Press ↓ or ↑ to highlight the section you wish to change, then press
ENT. Press EXIT to erase this menu.
Units of Measure
This menu (shown below) sets the speed and distance (statute, nautical
miles, meters), depth (feet, fathoms, or meters), temperature (degrees
Fahrenheit or Celsius) and heading (true or magnetic) units. To change
the units, you first press MENU|MENU|↓ to SYSTEM SETUP|ENT|ENT.
System Setup menu, left, Units of Measure Menu, right.
To set Speed/Distance Unit of Measure: Press ENT. Press ↑ or ↓ to
change the Speed/Distance, then press ENT. After the option is set,
press EXIT|EXIT to return to the page display.
107
To set Heading: Press ↓ to HEADING|ENT. Press ← or → to change the
heading, then press ENT. After the option is set, press EXIT|EXIT to re-
turn to the page display.
To set Depth: Press ↓ to DEPTH|ENT. Press ← or → to change the depth
units, then press ENT. After the option is set, press EXIT|EXIT to return
to the page display.
To set Temperature: Press ↓ to TEMPERATURE|ENT. Press ← or → to
change the temperature units, then press ENT. After the option is set,
press EXIT|EXIT to return to the page display.
108
Notes

109
Section 6: Searching
Whether you are in Aviation Mode or Land Mode, AirMap's search func-
tions all begin with the FIND key, and the search menus work the same in
each mode. However, the Aviation Mode searches appear only in Aviation
Mode (while the general searches appear in both Aviation and Land mode).
Aviation Mode Find menu, left; Land Mode Find menu, right.
NOTE:
You can search for items even if AirMap hasn't acquired a position
yet, or start from a position other than your own. When you do a
search, distance and bearing to the selected item will be calculated
from AirMap's current position. If AirMap hasn't acquired a posi-
tion, it will use the last known position. If the cursor is active, Air-
Map will always begin the search at the cursor. You can look up
items by name, or search for the item nearest to you.
Aviation Mode Searches
Find An Airspace (Using Cursor)
On the Map Page, you can select airspaces with the cursor by scrolling
over the airspace border. When the airspace is selected, the line defin-
ing its border will expand. Press FIND|ENT and an Information Page
will appear showing you details about the selected airspace. To return
to the previous page, press EXIT.
NOTE:
The position, distance, and bearing information shown on the way-
point information screen are based on the cursor position within the
airspace, not on the airspace itself. This means you can scroll the

110
cursor to the far side of the airspace to check how far it is across, or
move it to the exact spot you plan on entering the airspace for more
precise navigation information.
At left, we have selected the airspace around Tulsa Airport.
Center, the Selected Airspace option on the Find menu. At right, you can
see the Airspace Information page.
Find Airports (Aviation Mode only)
1. Press FIND|ENT.
2. If searching for the Nearest airport, press ENT. If searching for an
airport By Name, press ↓ to NAME|ENT. You can also search By Identi-
fier, and By City.
Find menu, left, and Find By Nearest, center, Find By Name, right.
3. If you're looking for nearest, AirMap says it is calculating, then a
list of airports appears. The closest is highlighted at the top of the list and
the farthest is at the bottom of the list. Press ENT and the waypoint in-
formation screen appears. To find the airport, press → to FIND ON MAP|ENT.
To return to the previous page, press EXIT|EXIT|EXIT|EXIT.

111
Calculating message, left, and list of the nearest airports, right.
4. If you're looking by name, there are two options: A. You can spell
out the name in the top selection box. Press ↑ or ↓ to change the first
letter, then press → to move the cursor to the next letter and repeat until
the name is correct, then press ENT|ENT. B. Jump down to the lower se-
lection list by pressing ENT, then press ↓ or ↑ to select an airport from
the list, then press ENT. The waypoint information screen appears. To
find the airport, press → to FIND ON MAP|ENT. To return to the previous
page, press EXIT|EXIT|EXIT|EXIT|EXIT.
Find By Name menu.
5. If you're looking by identifier or by city, the method is the same
as by name (described in step 4). Use the arrow keys to enter the air-
port's identifier or the name of a city, and the AirMap will show you all
available airports matching the criteria you entered.
Find VORs (Aviation Mode only)
1. Press FIND|↓ to FIND VORS|ENT.

112
2. If searching for the Nearest VOR, press ENT. If searching for a VOR By
Name, press ↓ to NAME|ENT. You can also search By Identifier, and By
City.
Find menu, left, and Find By Nearest, center, Find By Name, right.
3. If you're looking for nearest, AirMap says it is calculating, then a
list of VORs appears. The closest is highlighted at the top of the list and
the farthest is at the bottom of the list. Press ENT and the waypoint in-
formation screen appears. To find the VOR, press → to FIND ON MAP|ENT.
To return to the previous page, press EXIT|EXIT|EXIT|EXIT.
Calculating message, left, and list of the nearest VORs, right.
4. If you're looking by name, there are two options: A. You can spell
out the name in the top selection box. Press ↑ or ↓ to change the first
letter, then press → to move the cursor to the next letter and repeat until
the name is correct, then press ENT|ENT. B. Jump down to the lower se-
lection list by pressing ENT, then press ↓ or ↑ to select a VOR from the
list, then press ENT. The waypoint information screen appears. To find
the VOR, press → to FIND ON MAP|ENT. To return to the previous page,
press EXIT|EXIT|EXIT|EXIT|EXIT.

113
Find By Name menu.
5. If you're looking by identifier or by city, the method is the same
as by name (described in step 4). Use the arrow keys to enter the VOR's
identifier or the name of a city, and the AirMap will show you all avail-
able VORs matching the criteria you entered.
Find NDBs (Aviation Mode only)
1. Press FIND|↓ to FIND NDBS|ENT.
2. If searching for the Nearest NDB, press ENT. If searching for an air-
port By Name, press ↓ to NAME|ENT. You can also search By Identi-
fier, and By City.
Find menu, left, and Find By Nearest, center, Find By Name, right.
3. If you're looking for nearest, AirMap says it is calculating, then a
list of NDBs appears. The closest is highlighted at the top of the list and
the farthest is at the bottom of the list. Press ENT and the waypoint in-
formation screen appears. To find the NDB, press → to FIND ON MAP|ENT.
To return to the previous page, press EXIT|EXIT|EXIT|EXIT.

114
Calculating message, left, and list of the nearest NDBs, right.
4. If you're looking by name, there are two options: A. You can spell
out the name in the top selection box. Press ↑ or ↓ to change the first
letter, then press → to move the cursor to the next letter and repeat until
the name is correct, then press ENT|ENT. B. Jump down to the lower se-
lection list by pressing ENT, then press ↓ or ↑ to select an NDB from the
list, then press ENT. The waypoint information screen appears. To find
the NDB, press → to FIND ON MAP|ENT. To return to the previous page,
press EXIT|EXIT|EXIT|EXIT|EXIT.
Find By Name menu.
5. If you're looking by identifier or by city, the method is the same
as by name (described in step 4). Use the arrow keys to enter the NDB's
identifier or the name of a city, and the AirMap will show you all avail-
able NDBs matching the criteria you entered.

115
Find Intersections (Aviation Mode only)
1. Press FIND|↓ to FIND INTERSECTIONS|ENT.
2. If searching for the Nearest intersection, press ENT. If searching for
an airport By Identifier, press ↓ to IDENTIFIER|ENT.
Find menu, left, and Find By Nearest, center, Find By Identifier, right.
3. If you're looking for nearest, AirMap says it is calculating, then a
list of intersections appears. The closest is highlighted at the top of the
list and the farthest is at the bottom of the list. Press ENT and the way-
point information screen appears. To find the intersection, press → to FIND
ON MAP|ENT. To return to the previous page, press EXIT|EXIT|EXIT|EXIT.
Calculating message, left, and list of the nearest intersections, right.
4. If you're looking by identifier, there are two options: A. You can
spell out the identifier in the top selection box. Press ↑ or ↓ to change the
first letter, then press → to move the cursor to the next letter and repeat
until the identifier is correct, then press ENT|ENT. B. Jump down to the
lower selection list by pressing ENT, then press ↓ or ↑ to select an intersec-

116
tion from the list, then press ENT. The waypoint information screen ap-
pears. To find the intersection, press → to FIND ON MAP|ENT. To return to
the previous page, press EXIT|EXIT|EXIT|EXIT|EXIT.
Find By Name menu.
Land Mode Searches
Find Addresses
1. Press FIND|↓ to ADDRESSES|ENT.
2. Press ENT to search in the Address field.
Find Address Menu.
3. To enter an address number, press ↓ or ↑ to ADDRESS|ENT. Press ↑
or ↓ to change the first number, then press → to move the cursor to the
next number and repeat until the number is correct, then press ENT.
4. To enter a street name, press ↓ or ↑ to STREET|ENT. There are two op-
tions: A. You can spell out the name in the top selection box. Press ↑ or ↓
to change the first letter, then press → to move the cursor to the next let-

117
ter and repeat until the name is correct, then press ENT|ENT. B. Jump
down to the lower selection list by pressing ENT, then press ↓ or ↑ to select
a street name from the list, then press ENT. The street name you selected
is now in the street field. To return to the previous page, press EXIT.
Tip:
When entering a street name, do not enter the street's compass di-
rection (N, S, E or W) in the street name field. Just enter the num-
ber, or name. If the example below had been a search for "324 E. 9th
St," you would enter "9th" and press ENT. The AirMap will generate
a list of all possible 9th streets, and let you choose the one you want.
Find street field, left, Find street by name
menu, center, Street entry complete, right.
5. To enter a city name, press ↓ or ↑ to CITY|ENT. You will be asked
whether you would like to find addresses only within a particular city.
This option is designed so if you have a city already entered you can
choose not to search in a city. If you select yes, there are two options: A.
You can spell out the name in the top selection box. Press ↑ or ↓ to
change the first letter, then press → to move the cursor to the next letter
and repeat until the name is correct, then press ENT|ENT. B. Jump down
to the lower selection list by pressing ENT, then press ↓ or ↑ to select a
city name from the list, then press ENT. The city name you selected is
now in the city field. To return to the previous page, press EXIT.

118
Find city field, left, Search in particular city only option, center,
Find City by name, right.
NOTE:
It is recommended that you not enter a city name unless the list
you are given is too large when you try searching without one. Air-
Map can search quicker without a city entered, and you save time
by not entering one in.
Find Any Item Selected by Map Cursor
1. With an item selected by the cursor, press FIND|ENT. To return to the
previous page, press EXIT.
A POI selected by the cursor, left, The Find Menu, center,
POI information screen, right.
NOTE:
You can "navigate" to the POI by pressing ENT while in the POI in-
formation screen.

119
Find Interstate Highway Exits
1. Press FIND|↓ to HIGHWAY EXITS|ENT.
Land Mode Find menu, with Highway Exits option selected.
2. First select a highway by pressing ENT. There are two options: A.
You can spell out the highway in the top selection box. Press ↑ or ↓ to
change the first letter, then press → to move the cursor to the next let-
ter and repeat until the name is correct, then press ENT|ENT. B. Jump
down to the low selection list by pressing ENT, then press ↓ or ↑ to se-
lect a highway from the list, then press ENT.
Find Exit using the Highway Name.
3. Once you have selected a highway you can then select an exit by
pressing ↓ then pressing ↓ or ↑ until you find the exit, then press ENT.
4. In the Exit information screen you have two choices. A. Press ENT to
navigate or "go to" the exit. B. Press →|ENT to find the exit on the map.

120
Selected exit.
4. In the Exit Information screen you have two choices. A. Press ENT to
navigate or "go to" the exit. B. Press →|ENT to find the exit on the map.
"Go To" option, left, "Find On Map" option, right.
Find Map Places
1. Press FIND|↓ to MAP PLACES|ENT.
Land Mode Find menu, with Map Places command selected.

121
2. Press ↓ or ↑ to select a POI category then press ENT. You will be
given two options: Search by nearest or by name.
NOTE:
To narrow your search press → or ← to select a subcategory before
pressing ENT.
Map Places category menu.
3. Search by nearest POI. Press ENT. The "find by nearest" menu will
show a "calculating" screen then a list of nearest POI's. Press ↓ or ↑ to
the selected POI and press ENT.
Find by nearest option, left, Calculating screen, center, POI list, right.
4. Search by name of POI. Press ↓|ENT. There are two options: A.
You can spell out the POI in the top selection box. Press ↑ or ↓ to
change the first letter, then press → to move the cursor to the next let-
ter and repeat until the name is correct, then press ENT|ENT. B. Jump
down to the lower selection list by pressing ENT, then press ↓ or ↑ to
select a POI from the list, then press ENT.

122
Find by name option, left, Find by name menu, right.
5. You are then shown the POI's information screen. You can choose to
"Go To" the POI by pressing ENT or find it on the map by pressing →|ENT.
"Go To" POI option, left, "Find on Map" POI option, right.
Find Streets or (Street) Intersections
1. Press FIND|↓ to STREETS|ENT.
Land Mode Find menu, with Find Streets command selected.

123
2. To find a street. Press ENT. There are two options: A. You can spell
out the street in the top selection box. Press ↑ or ↓ to change the first
letter, then press → to move the cursor to the next letter and repeat until
the name is correct, then press ENT|ENT. B. Jump down to the lower se-
lection list by pressing ENT, then press ↓ or ↑ to select a street from the
list, then press ENT. Then press ↓ to Find First Street and press ENT.
Press ↑ or ↓ to the street you are searching for and press ENT.
Find streets or intersections menu, left, Find street by name, right.
Find first street, left, Street found, right.
3. To find an intersection. First enter an address into the "first street"
field by pressing ENT. There are two options: A. You can spell out the street
in the top selection box. Press ↑ or ↓ to change the first letter, then press →
to move the cursor to the next letter and repeat until the name is correct,
then press ENT|ENT. B. Jump down to the lower selection list by pressing
ENT, then press ↓ or ↑ to select a street from the list, then press ENT. Repeat

124
this process for the second street. Now press ↓ to "find intersection" and
press ENT. A "working" screen appears and then a list of intersections. Press
↑ or ↓ to the intersection you are searching for and press ENT.
Find intersection, left, and "Working" menu, center, Intersection list, right.
Find Waypoints
1. Press FIND|ENT.
2. If searching for the Nearest waypoint, press ENT. If searching for a
waypoint By Name, press ↓ to NAME|ENT.
Find menu, left, and Find By nearest, center, Find by name, right.
3. If you're looking for nearest, AirMap says it is calculating, then a
list of waypoints appears. The closest is highlighted at the top of the list
and the farthest is at the bottom of the list. Press ENT and the waypoint
information screen appears. To find the waypoint, press → to FIND ON
MAP|ENT. To return to the previous page, press EXIT|EXIT|EXIT|EXIT.

125
Calculating message, left, and list of the nearest waypoints, right.
4. If you're looking by name, there are two options: A. You can spell
out the name in the top selection box. Press ↑ or ↓ to change the first
letter, then press → to move the cursor to the next letter and repeat until
the name is correct, then press ENT|ENT. B. Jump down to the lower se-
lection list by pressing ENT, then press ↓ or ↑ to select a waypoint from
the list, then press ENT. The waypoint information screen appears. To
find the waypoint, press → to FIND ON MAP|ENT. To return to the previous
page, press EXIT|EXIT|EXIT|EXIT|EXIT.
Find By Name menu.
126
Notes
127
Section 7: Supplemental Material
Datums Used by This Unit
WGS 1984
Default
Adindan
Mean for Ethiopia,
Sudan
Adindan
Burkina Faso
Adindan
Cameroon
Adindan
Ethiopia
Adindan
Mali
Adindan
Senegal
Adindan
Sudan
Afgooye
Somalia
Ain el Abd 1970
Bahrain
Ain el Abd 1970
Saudi Arabia
Anna 1 Astro 1965
Cocos Islands
Antigua Island Astro
1943; Antigua (Lee-
ward Islands)
Arc 1950; Mean for
Botswana, Lesotho,
Malawi, Swaziland,
Zaire, Zambia and
Zimbabwe
Arc 1950 - Botswana
Arc 1950 - Burundi
Arc 1950 - Lesotho
Arc 1950 - Malawi
Arc 1950 - Swaziland
Arc 1950 - Zaire
Arc 1950 - Zambia
Arc 1950 - Zimbabwe
Arc 1960 - Mean for
Kenya, Tanzania
Ascension Island
1958 - Ascension
Island
Astro Beacon E 1945
- Iwo Jima
Astro DOS 71/4 - St.
Helena Island
Astro Tern Island
(FRIG) 1961 - Tern
Island
Astronomical Station
1952 - Marcus Island
Australian Geodetic
1966 - Australia &
Tasmania
Australian Geodetic
1984 - Australia &
Tasmania
Ayabelle Lighthouse -
Djibouti
Bellevue (IGN) -
Efate & Erromango
Islands
Bermuda 1957 -
Bermuda
Bissau - Guinea-
Bissau
Bogota Observatory -
Colombia
Bukit Rimpah - Indo-
nesia (Bangka & Be-
litung Islands)
Camp Area Astro -
Antarctica (McMurdo
Camp Area)
Campo Inchauspe -
Argentina
Canton Astro 1966 -
Phoenix Islands
Cape - South Africa
Cape Canaveral -
Bahamas, Florida
Carthage - Tunisia
Switzerland
Chatham Island Astro
1971; New Zealand
(Chatham Island)
128
Chua Astro
Paraguay
Corrego Alegre
Brazil
Dabola
Guinea
Djakarta (Batavia)
Indonesia (Sumatra)
DOS 1968
New Georgia Islands
(Gizo Island)
Easter Island 1967
Easter Island
European 1950
Mean for Austria,
Belgium, Denmark,
Finland, France,
West Germany, Gi-
braltar, Greece, Italy,
Luxembourg, Neth-
erlands, Norway,
Portugal, Spain,
Sweden, Switzerland
European 1950
Mean for Austria,
Denmark, France,
West Germany,
Netherlands, Swit-
zerland
European 1950
Mean for Iraq, Israel,
Jordan, Lebanon,
Kuwait, Saudi Arabia,
Syria
European 1950
Cyprus
European 1950
Egypt
European 1950
England, Channel
Islands, Ireland,
Scotland, Shetland
Islands
European 1950
Finland, Norway
European 1950
Greece
European 1950
Iran
European 1950
Italy (Sardinia)
European 1950
(Sicily)
European 1950
Malta
Ireland 1965
Ireland
ISTS 061 Astro 1968
South Georgia Is-
lands
ISTS 073 Astro 1969
Diego Garcia
Johnston Island 1961
Johnston Island
Kandawala
Sri Lanka
Kerguelen Island
1949
Kerguelen Island
Kertau 1948
West Malaysia &
Singapore
Kusaie Astro 1951
Caroline Islands
L.C. 5 Astro 1961
Cayman Brac Island
Leigon
Ghana
Liberia 1964
Liberia
Luzon
Philippines (Exclud-
ing Mindanao)
Luzon
Philippines (Min-
danao)
Mahe 1971
Mahe Island
Massawa
Ethiopia (Eritrea)
Merchich
Morocco
Midway Astro 1961
Midway Islands
Minna
Cameroon
Minna
Nigeria
Montserrat Island
Astro 1958; Montser-
rat (Leeward Islands)
M’Poraloko
Gabon, Nahrwan,
Oman (Masirah Is-
land)
Nahrwan
Saudi Arabia
Nahrwan
United Arab Emirates
129
Naparima BWI
Trinidad & Tobago
North American 1927
Mean for Antigua,
Barbados, Barbuda,
Caicos Islands,
Cuba, Dominican
Republic, Grand
Cayman, Jamaica,
Turks Islands
North American 1927
Mean for Belize,
Costa Rica, El Sal-
vador, Guatemala,
Honduras, Nicaragua
North American 1927
Mean for Canada
North American 1927
Mean for CONUS
(Continental United
States)
North American 1927
Mean for CONUS
(East of Mississippi
River) including Lou-
isiana, Missouri, Min-
nesota
North American 1927
Mean for CONUS
(West of Mississippi
River)
North American 1927
Alaska
North American 1927
Bahamas (Except
San Salvador Island)
North American 1927
Bahamas (San Sal-
vador Island)
North American 1927
Canada (Alberta,
British Columbia)
North American 1927
Canada (Manitoba,
Ontario)
North American 1927
Canada (New
Brunswick, New-
foundland, Nova
Scotia, Quebec)
North American 1927
Canada (Northwest
Territories, Sas-
katchewan)
North American 1927
Canada (Yukon)
North American 1927
Canal Zone
North American 1927
Cuba
North American 1927
Greenland (Hayes
Peninsula)
North American 1927
Mexico
North American 1983
Alaska, Canada,
CONUS
North American 1983
Central America,
Mexico
Observaorio Metereo
1939; Azores (Corvo
& Flores Islands)
Old Egyptian 1907
Egypt
Old Hawaiian
Mean for Hawaii,
Kauai, Maui, Oahu
Old Hawaiian
Hawaii
Old Hawaiian
Kauai
Old Hawaiian
Maui
Old Hawaiian
Oahu
Oman
Oman
Ordinance Survey
Great Britain 1936 -
Mean for England,
Isle of Man, Scotland,
Shetland Islands,
Wales
Ordinance Survey
Great Britain 1936 -
England
Ordinance Survey
Great Britain 1936 -
England, Isle of Man,
Wales
Ordinance Survey
Great Britain 1936 -
Scotland, Shetland
Islands
Ordinance Survey
Great Britain 1936 -
Wales
Pico de las Nieves
Canary Islands
Pitcairn Astro 1967
Pitcairn Island
130
Point 58
Sweden
Santo (DOS)
1965 Espirito Santo
Island
Sao Braz
Azores (Sao Miguel,
Santa Maria Islands)
Sapper Hill 1943
East Falkland Island
Schwarzeck
Nambia
Selvagem Grande
Salvage Islands
SGS 85
Soviet Geodetic
System 1985
South American 1969
Mean for Argentina,
Bolivia, Brazil, Chile,
Colombia, Ecuador,
Guyana, Paraguay,
Peru, Trinidad & To-
bago, and Venezuela
South American 1969
Argentina
South American 1969
Bolivia
South American 1969
Brazil
South American 1969
Chile
South American 1969
Colombia
South American 1969
Ecuador
South American 1969
Ecuador (Baltra, Ga-
lapagos)
South American 1969
Guyana
South American 1969
Paraguay
South American 1969
Peru
South American 1969
Trinidad & Tobago
South American 1969
Venezuela
South Asia
Singapore
Tananarive Obser-
vatory 1925; Mada-
gascar
Timbalai 1948
Brunei, East Malay-
sia (Sabah, Sarawak)
Tokyo
Mean for Japan, Ko-
rea, Okinawa
Tokyo
Japan
Tokyo
Korea
Tokyo
Okinawa
Tristan Astro 1968
Tristan da Cunha
Viti Levu 1916
Fiji (Viti Levu Island)
Wake
Eniwetok 1960
Marshall Islands
Wake Island Astro
1952
Wake Atoll
WGS 1972
Global Definition
Yacare
Uruguay
Zanderij
Suriname
131
FCC Compliance
This device complies with Part 15 of the U.S. Federal Communica-
tions Commission (FCC) Rules. Operation is subject to the follow-
ing two conditions: (1) this device may not cause harmful interfer-
ence, and (2) this device must accept any interference received, in-
cluding interference that may cause undesired operation.
Changes or modifications not expressly approved by the manufac-
turer could void the user's authority to operate the equipment.
Note:
This equipment has been tested and found to comply with the
limits for a Class B digital device, pursuant to Part 15 of the
FCC Rules. These limits are designed to provide reasonable pro-
tection against harmful interference in a residential installation.
This equipment generates, uses and can radiate radio frequency
energy and, if not installed and used in accordance with the in-
structions, may cause harmful interference to radio communica-
tions. However, there is no guarantee that interference will not
occur in a particular installation. If this equipment does cause
harmful interference to radio or television reception, which can
be determined by turning the equipment off and on, the user is
encouraged to try to correct the interference by one or more of
the following measures:
• Reorient or relocate the receiving antenna.
• Increase the separation between the equipment and receiver.
• Connect the equipment into an outlet on a circuit different from
that to which the receiver is connected.
• Consult the factory customer service department for help.
132
Notes

133
Index
A
Accessories, 5, 6, 7, 11, 14, 16, 52, 75
Sec. 2, Installation & Accessories, 11
Airspace, 4, 32, 33, 48, 80, 109, 110
Alarm Clock, 76
Alarms, 21, 28, 68, 79, 80
Anchor Alarm, 79, 80
Antenna, 2, 3, 5, 14, 15, 16, 39, 40, 59,
131
Arrival Alarm, 68, 79, 80
Aviation Alarms, 21, 79, 80, 81
Inside Airspace, 21
Aviation Calculators, 21, 54, 55, 56
Aviation Mode, 2, 3, 4, 6, 19, 20, 21, 22,
54, 55, 56, 65, 74, 81, 89, 109, 110,
111, 113, 115
Sec. 3, Aviation Operation, 19, 59, 60
B
Backlights / Lighting, 3, 19, 57, 100
Batteries, 1, 3, 4, 11, 12, 13, 14, 17, 18,
19, 24, 39, 82
Battery Indicator, 82
Brightness, 21, 98, 99
C
Cancel Navigation, 21, 39, 44, 45, 47,
65, 68
Communications Ports, 5, 82, 83
Compass, 8, 22, 25, 26, 36, 37, 43, 44,
45, 46, 59, 66, 68, 73, 86, 103, 117
Contrast, 21, 98, 99
Coordinate System, 83
Cursor, 9, 19, 21, 35, 39, 40, 41, 43, 45,
46, 47, 57, 61, 62, 63, 64, 65, 66, 69,
70, 71, 73, 76, 77, 78, 93, 95, 96, 101,
109, 111, 112, 114, 115, 116, 117,
118, 119, 121, 123, 125
Undo Feature, 41
Custom Maps, 3, 6, 13, 33, 34, 44, 52,
72, 75, 92
Customize Display, 25, 27, 33, 35, 86
Customize Map Data Shown, 10, 88, 89,
90, 92, 93
D
Data Boxes (Customize Display), 25, 27,
33, 35, 86
Depth Range, 5, 28, 32, 33, 34, 35, 37,
39, 40, 61, 67, 80, 88, 89, 90, 93, 94,
95, 96, 97, 105
Direct To, 20, 47, 48, 57
Direct To ( ), 20, 47, 48, 57
E
E6B Calculators, 21, 54, 55, 56
Easy Mode, 1
G
GPS Data File, 6, 53, 65, 68, 72, 74, 75,
82
GPS Data Files
Loading, 64
Saving, 71, 75
H
HSI Navigation, 26, 27, 28, 30, 31, 51
I
Icons, 4, 6, 10, 19, 30, 34, 35, 45, 46, 52,
57, 63, 64, 66, 90, 93, 94, 95, 96, 98
Creating, 63
Deleting, 64
Navigate, 66
Information Displays (Customize
Display), 25, 27, 33, 35, 86
Installation, 2, 5, 7, 12, 13, 52, 75, 92
Sec. 2, Installation & Accessories, 11
Introduction
GPS and WAAS, 7
How AirMap Works, 5
Sec. 1, Introduction, 1
Specifications, 3
Typographical Conventions, 9
K
Keypad Description, 9, 19, 57
134
L
Land Mode, 1, 3, 4, 19, 54, 57, 58, 65,
68, 70, 74, 109, 116, 119, 120, 122
Sec. 4, Land Operation, 57
Languages, 100
Lat/Lon Grid (Map Data option), 90
M
Main Menu, 20, 21, 23, 58, 69, 82, 98,
101, 103, 104
Man Overboard, 4, 65, 77
Map Boundaries (Map Data option), 89
Map Data, 10, 88, 89, 90, 92, 93
Map Datum, 84, 90
Selection, 84, 90
Map Detail, 34, 35, 89, 90
Map Fix (Coordinate System), 84, 85, 86
Map Menu, 61, 89, 91
Map Orientation, 31, 60, 91
Map Overlays (Map Data option), 88, 89
Memory Cards (MMC), 2, 3, 4, 5, 6, 13,
14, 22, 34, 39, 44, 52, 53, 64, 65, 68,
71, 75, 82, 92
N
Navigating, 39, 45, 46, 47, 65, 66, 67,
68, 71, 80
A Route, 65
A Trail, 66, 68
Cancel, 21, 39, 44, 45, 47, 65, 68
OBS Hold, 26, 29, 30, 31
To Cursor Position, 46, 65
To Icon, 66
To POI, 66
To Waypoint, 66
Trail, 68
Navigation Menu, 60
Nearest, 4, 42, 43, 44, 47, 65, 66, 72, 73,
109, 110, 111, 112, 113, 114, 115,
121, 124, 125
NMEA, 5, 82
O
OBS Hold, 26, 29, 30, 31
Off Course Alarm, 28, 79
P
Page Displays, 3, 22, 23, 25, 31, 39, 58
Compass Overlay, 22, 36, 37, 86
Map, 10, 22, 23, 26, 31, 32, 33, 34, 36,
37, 39, 44, 45, 46, 48, 58, 60, 61, 65,
66, 67, 68, 70, 71, 86, 88, 91, 92, 93,
94, 109
Map Panel, 22, 23, 26, 35, 36
Navigation, 22, 23, 25, 26, 27, 28, 29,
30, 31, 39, 44, 45, 46, 47, 58, 59, 60,
65, 66, 67, 68, 70, 71
Satellite Status, 22, 23, 25, 39, 58, 59
POI (Point of Interest), 1, 21, 34, 35, 44,
47, 66, 72, 73, 77, 118, 121, 122
Navigate, 66
POIs
Search, 72, 120
Pop-up Help, 97, 98
Pop-up Map Info (Map Data option), 89
Power, 1, 2, 3, 4, 5, 7, 11, 12, 13, 14, 17,
18, 19, 20, 24, 39, 57, 58, 82, 100
Product Specifications, 3
R
Range, 5, 28, 32, 33, 34, 35, 37, 39, 40,
61, 67, 80, 88, 89, 90, 93, 94, 95, 96,
97, 105
Range Rings (Map Data option), 89, 90
Reset Options, 98
Route, 4, 6, 8, 16, 21, 27, 29, 31, 48, 51,
52, 60, 64, 65, 67, 68, 69, 70, 71, 80,
98
Create and Save, 68
Delete, 71
Navigate, 65
Runways, 44, 49, 50, 51
Approach, 50, 51
Extensions, 49, 50
S
Satellite Search, 81
Searching, 1, 3, 20, 30, 40, 41, 42, 43,
44, 45, 47, 49, 57, 61, 62, 65, 66, 69,
72, 73, 109, 110, 111, 112, 113, 114,
115, 116, 117, 118, 119, 120, 121,
122, 123, 124, 125
Addresses, 116
135
Aviation Mode, 109
Airports, 110
Intersections, 115
NDBs, 113
VORs, 42, 111
By Cursor, 118
Highway Exits, 119
POIs, 72, 120
Streets, 122
Waypoints, 124
Set Local Time, 101
Simulator, 21, 87, 88
Software Version Information, 102
Sounds, 102
Status Menu, 59, 81
Sun/Moon Rise & Set Calculator, 76
T
Text Boxes (Customize Display), 25, 27,
33, 35, 86
Track Smoothing, 103
Trail, 4, 6, 10, 21, 27, 32, 52, 59, 64, 66,
67, 68, 74, 75, 90, 98, 103, 104, 105,
106
Delete, 75
Delete All, 104
Edit Name, 75
Navigate, 66, 68
New Trail, 74, 105
Update Criteria, 104
Update Rate, 105
Transfer
Custom Maps, 52
GPS Data Files, 52
Trip Calculator, 22, 76, 86
Trip Down Timer, 76
Trip Up Timer, 76
U
Units of Measure, 106
Utilities, 22, 54, 75, 76, 86
W
WAAS, 1, 2, 3, 5, 7, 8, 9, 24
Waypoints, 3, 4, 6, 9, 13, 19, 21, 26, 27,
28, 29, 30, 31, 39, 41, 42, 43, 45, 48,
51, 52, 56, 57, 59, 60, 63, 64, 65, 66,
68, 69, 70, 71, 73, 76, 77, 78, 79, 80,
84, 85, 86, 87, 88, 90, 92, 98, 101,
104, 109, 110, 111, 112, 113, 114,
115, 116, 124, 125
Delete, 78
Edit, 78
Navigate, 66
Save, 76, 77
Search, 124
Select, 78
Z
Zooming, 5, 20, 28, 33, 37, 39, 40, 57,
60, 61, 67, 70, 88
Auto Zoom, 37, 88
136
Notes
137
LOWRANCE DATABASES LICENSE AGREEMENT
THIS IS A LEGAL AGREEMENT BETWEEN THE END-USER WHO FIRST
PURCHASES THIS PRODUCT AS A CONSUMER ITEM FOR PERSONAL,
FAMILY, OR HOUSEHOLD USE ("YOU") AND LOWRANCE ELECTRONICS,
INC., THE MANUFACTURER OF THIS PRODUCT ("WE", "OUR", OR "US").
USING THE PRODUCT ACCOMPANIED BY THIS LICENSE AGREEMENT
CONSTITUTES ACCEPTANCE OF THESE TERMS AND CONDITIONS. IF
YOU DO NOT ACCEPT ALL TERMS AND CONDITIONS, PROMPTLY RE-
TURN THE PRODUCT WITHIN 30 DAYS OF PURCHASE. PLEASE RE-
TURN USING THE ENCLOSED UPS SHIPPING LABEL AND INCLUDE:
PROOF OF PURCHASE, NAME, ADDRESS, AND PHONE NUMBER. YOUR
PURCHASE PRICE AND ANY APPLICABLE TAXES WILL BE REFUNDED.
PLEASE ALLOW 4-6 WEEKS TO PROCESS YOUR REFUND.
1. This License Agreement applies to the one or more databases that
your product may contain. We refer to these singly as a "Database"
and together as the "Databases." Your product may thus include the
"WBS Database" which contains worldwide background surface
mapping data, the "SmartMap Database" which contains inland
mapping data, or other Databases.
2. The Databases that your product may contain are licensed, not sold.
We grant to you the nonexclusive, nonassignable right to use these Da-
tabases for supplemental navigation reference purposes, but only as
long as you comply with the terms and conditions of this License
Agreement. We reserve the right to terminate this license if you violate
any aspect of this License Agreement. You are responsible for using of-
ficial government charts and prudent navigation for safe travel.
3. The Databases housed in your product are protected by the copy-
right notices appearing on the product or its screen(s). You may
NOT modify, adapt, translate, reverse engineer, decompile, disas-
semble, rent, lease, or resell any Database, and you may NOT create
derivative works based upon any Database or its contents. Any un-
authorized reproduction, use, or transfer of a Database may be a
crime and may subject you to damages and attorney fees.
4. This License Agreement will terminate immediately without prior
notice from us if you fail to comply with or violate any of the provi-
sions of this Agreement. Upon termination, you will promptly return
all products containing one or more Databases to us.
5. Prices and programs are subject to change without notice.
6. This License Agreement shall be governed by the laws of the State of
Oklahoma and comprises the complete and exclusive understanding
between you and us concerning the above subject matter.
138
DATABASES LIMITED WARRANTY
"We", "our", or "us" refers to Lowrance Electronics, Inc., the manufacturer of
this product. "You" or "your" refers to the first person who purchases the prod-
uct as a consumer item for personal, family, or household use. The Databases
Limited Warranty applies to the one or more databases that your product may
contain. We refer to each of these as a "Database" or together as the "Data-
bases." Your product may thus include the "WBS Database" which contains
worldwide background surface mapping data, the "SmartMap Database" which
contains inland mapping data, or other Databases.
We warrant to you that we have accurately compiled, processed, and repro-
duced the portions of the source material on which the Databases are based.
However, we are under no obligation to provide updates to the Databases, and
the data contained in the Databases may be incomplete when compared to the
source material. WE MAKE NO EXPRESS OR IMPLIED WARRANTY OF
ANY KIND ABOUT THE ACCURACY OF THE SOURCE MATERIAL ITSELF,
INCLUDING BUT NOT LIMITED TO IMPLIED WARRANTIES OF MER-
CHANTABILITY OR FITNESS FOR A PARTICULAR PURPOSE.
If there is a defect in any Database, your exclusive remedy shall be, at our op-
tion, either a refund of the price you paid for the product containing the defec-
tive Database or a replacement of such product. WE WILL NOT UNDER ANY
CIRCUMSTANCES BE LIABLE TO ANYONE FOR ANY SPECIAL, CONSE-
QUENTIAL, INCIDENTAL, OR OTHER INDIRECT DAMAGE OF ANY KIND.
Some states do not allow the exclusion or limitation of incidental or consequen-
tial damages, so the above limitations or exclusions may not apply to you.
This warranty does NOT apply in the following circumstances: (1) when the
product has been serviced or repaired by anyone other than us; (2) when the
product has been connected, installed, combined, altered, adjusted, or handled
in a manner other than according to the instructions furnished with the prod-
uct; (3) when any serial number has been effaced, altered, or removed; or (4)
when any defect, problem, loss, or damage has resulted from any accident, mis-
use, negligence, or carelessness, or from any failure to provide reasonable and
necessary maintenance in accordance with the instructions of the owner’s man-
ual for the product.
We reserve the right to make changes or improvements in our products from
time to time without incurring the obligation to install such improvements or
changes on equipment or items previously manufactured.
This warranty gives you specific legal rights and you may also have other rights
which may vary from state to state.
Your remedies under this warranty will be available so long as you can show in
a reasonable manner that the defect occurred within one (1) year from the date
of your original purchase, and we must receive your warranty claim no later
than 30 days after such 1-year period expires. Your claim must be substanti-
ated by a dated sales receipt or sales slip.
139
LOWRANCE ELECTRONICS
FULL ONE-YEAR WARRANTY
"We," "our," or "us" refers to LOWRANCE ELECTRONICS, INC., the manufacturer of
this product. "You" or "your" refers to the first person who purchases this product as a
consumer item for personal, family or household use.
We warrant this product against defects or malfunctions in materials and workmanship,
and against failure to conform to this product's written specifications, all for one (1) year
from the date of original purchase by you. WE MAKE NO OTHER EXPRESS WAR-
RANTY OR REPRESENTATION OF ANY KIND WHATSOEVER CONCERNING THIS
PRODUCT. Your remedies under this warranty will be available so long as you can show
in a reasonable manner that any defect or malfunction in materials or workmanship, or
any non-conformity with the product's written specifications, occurred within one year
from the date of your original purchase, which must be substantiated by a dated sales
receipt or sales slip. Any such defect, malfunction, or non-conformity which occurs within
one year from your original purchase date will either be repaired without charge or be
replaced with a new product identical or reasonably equivalent to this product, at our
option, within a reasonable time after our receipt of the product. If such defect, malfunc-
tion, or non-conformity remains after a reasonable number of attempts to repair by us,
you may elect to obtain without charge a replacement of the product or a refund for the
product. THIS REPAIR, OR REPLACEMENT OR REFUND (AS JUST DESCRIBED) IS
THE EXCLUSIVE REMEDY AVAILABLE TO YOU AGAINST US FOR ANY DEFECT,
MALFUNCTION, OR NON-CONFORMITY CONCERNING THE PRODUCT OR FOR
ANY LOSS OR DAMAGE RESULTING FROM ANY OTHER CAUSE WHATSOEVER.
WE WILL NOT UNDER ANY CIRCUMSTANCES BE LIABLE TO ANYONE FOR ANY
SPECIAL, CONSEQUENTIAL, INCIDENTAL, OR OTHER INDIRECT DAMAGE OF
ANY KIND.
Some states do not allow the exclusion or limitation of incidental or consequential dam-
ages, so the above limitations or exclusions may not apply to you.
This warranty does NOT apply in the following circumstances: (1) when the product has
been serviced or repaired by anyone other than us; (2) when the product has been con-
nected, installed, combined, altered, adjusted, or handled in a manner other than ac-
cording to the instructions furnished with the product; (3) when any serial number has
been effaced, altered, or removed; or (4) when any defect, problem, loss, or damage has
resulted from any accident, misuse, negligence, or carelessness, or from any failure to
provide reasonable and necessary maintenance in accordance with the instructions of the
owner's manual for the product.
We reserve the right to make changes or improvements in our products from time to time
without incurring the obligation to install such improvements or changes on equipment
or items previously manufactured.
This warranty gives you specific legal rights and you may also have other rights which
may vary from state to state.
REMINDER: You must retain the sales slip or sales receipt proving the date of your
original purchase in case warranty service is ever required.
LOWRANCE ELECTRONICS
12000 E. SKELLY DRIVE, TULSA, OK 74128
(800) 324-1356

140
How to Obtain Service…
…in the USA:
We back your investment in quality products with quick, expert service
and genuine Lowrance parts. If you're in the United States and you
have technical, return or repair questions, please contact the Factory
Customer Service Department. Before any product can be returned, you
must call customer service to determine if a return is necessary. Many
times, customer service can resolve your problem over the phone with-
out sending your product to the factory. To call us, use the following
toll-free number:
800-324-1356
8 a.m. to 5 p.m. Central Standard Time, M-F
Lowrance Electronics may find it necessary to change or end our ship-
ping policies, regulations, and special offers at any time. We reserve the
right to do so without notice.
…in Canada:
If you're in Canada and you have technical, return or repair questions,
please contact the Factory Customer Service Department. Before any
product can be returned, you must call customer service to determine if
a return is necessary. Many times, customer service can resolve your
problem over the phone without sending your product to the factory. To
call us, use the following toll-free number:
800-661-3983
905-629-1614 (not toll-free)
8 a.m. to 5 p.m. Eastern Standard Time, M-F
…outside Canada and the USA:
If you have technical, return or repair questions, contact the dealer in
the country where you purchased your unit. To locate a dealer near
you, visit our web site, www.lowrance.com and look for the Dealer Lo-
cator.
Lowrance Pub. 988-0148-471
This edition developed for software version: 1.0.0
Lowrance often releases free software updates (and
updated manuals) at their web site: www.lowrance.com
Printed in USA 080504
Accessory Ordering Information
for all countries
To order Lowrance accessories such as power cables, please contact:
1) Your local aviation equipment dealer or consumer electronics store.
Most quality dealers that handle avionics equipment, marine
electronics or other consumer electronics should be able to assist you
with these items.
To locate a Lowrance aviation dealer near you, visit our web site,
www.lowrance.com and look for the Dealer Locator. Or, you can consult
your telephone directory for listings.
2) U.S. customers: LEI Extras Inc., PO Box 129, Catoosa, OK 74015-0129
Call 1-800-324-0045 or visit our web site www.lei-extras.com.
3) Canadian customers can write:
Lowrance/Eagle Canada, 919 Matheson Blvd. E. Mississauga, Ontario
L4W2R7 or fax 905-629-3118.
Shipping Information
If it becomes necessary to send a product for repair or replacement, you
must first receive a return authorization number from Customer
Service. Products shipped without a return authorization will not be
accepted. When shipping, we recommend you do the following:
1. Please do not ship the knobs or mounting bracket with your unit.
2. If you are sending a check for repair, please place your check in an
envelope and tape it to the unit.
3. For proper testing, include a brief note with the product describing
the problem. Be sure to include your name, return shipping address
and a daytime telephone number. An e-mail address is optional but
useful.
4. Pack the unit in a suitable size box with packing material to prevent
any damage during shipping.
5. Write the Return Authorization (RA) number on the outside of the
box underneath your return address.
6. For your security, you may want to insure the package through your
shipping courier. Lowrance does not assume responsibility for goods
lost or damaged in transit.

Visit our web site:
© Copyright 2004
All Rights Reserved
Printed in USA Lowrance Electronics, Inc.