Lowrance Electronic Globalmap 7000C Users Manual Owners
GlobalMap 7000C to the manual 5624551c-9354-1a94-b119-43181f22c661
2015-02-05
: Lowrance-Electronic Lowrance-Electronic-Globalmap-7000C-Users-Manual-407764 lowrance-electronic-globalmap-7000c-users-manual-407764 lowrance-electronic pdf
Open the PDF directly: View PDF
.
Page Count: 128 [warning: Documents this large are best viewed by clicking the View PDF Link!]

Pub. 988-0151-041
www.lowrance.com
GlobalMap 7000C
Mapping GPS Receiver
Operation Instructions

Copyright © 2002 Lowrance Electronics, Inc.
All rights reserved.
Lowrance® is a registered trademark of Lowrance Electronics, Inc.
MapCreate is a trademark of Lowrance Electronics, Inc.
Marine-Tex is a trademark of Illinois Tool Works Inc.
Navionics is a registered trademark of Navionics, Inc.
Points of Interest Data in this unit are by infoUSA,
copyright 2001-2002, All Rights Reserved. infoUSA is a
trademark of infoUSA, Inc.
eXitSource Database, copyright 2001-2002 Zenrin Co.
Ltd. Exit Authority and eXitSource are trademarks of
Zenrin Co. Ltd.
Lowrance Electronics may find it necessary to change or end our policies,
regulations and special offers at any time. We reserve the right to do so
without notice. All features and specifications subject to change without
notice. All screens in this manual are simulated. On the cover: GlobalMap
7000C shown.
For free owner's manuals and other information,
visit our web site:
www.lowrance.com
Lowrance Electronics Inc.
12000 E. Skelly Dr.
Tulsa, OK USA 74128-2486
Printed in USA.
i
Table of Contents
Sec. 1: Read Me First! ............................................................... 1
Capabilities and Specifications: GlobalMap 7000C................... 2
How Lowrance GPS Works .......................................................... 4
Introduction to GPS and WAAS................................................... 6
How to Use this Manual: Typographical Conventions................ 8
Sec. 2: Installation & Accessories ........................................ 11
GPS Antenna/Receiver Module Installation.............................. 11
Power Connections...................................................................... 12
NMEA/DGPS Cable Connections............................................... 13
NMEA/DGPS Wiring .............................................................. 13
Mounting the Unit: Bracket or in-Dash..................................... 14
Bracket Installation................................................................ 14
MMC or SDC Memory Card Installation................................... 16
Other Accessories........................................................................ 17
Screen Cleaning Kit ................................................................ 17
MMC and Mapcreate .............................................................. 18
External Speaker .................................................................... 18
Face Cover ............................................................................... 19
Sec. 3: Basic GPS Operations................................................ 21
Keyboard ..................................................................................... 21
Power/Lights (Turn Unit On and Off) ....................................... 22
Main Menu .................................................................................. 22
Pages ........................................................................................... 24
Satellite Status Page .............................................................. 24
Navigation Page...................................................................... 26
Map Page................................................................................. 28
GPS Quick Reference ............................................................. 33
Find your Current Position ........................................................ 34
Moving around the Map: Zoom & Cursor Arrow Keys.............. 34
Selecting any Map Item with the Cursor .................................. 35
Searching..................................................................................... 35
Set a Waypoint............................................................................ 37
Create Waypoint at Current Position .................................... 37
Create Waypoint on Map........................................................ 38
Create Waypoint by Entering a Position ............................... 39
Navigate to a Waypoint .............................................................. 39
Set Man Overboard (MOB) Waypoint........................................ 40
Navigate Back to MOB Waypoint .............................................. 40
Navigate to Cursor Position on Map.......................................... 41
Navigate to a Point of Interest................................................... 42
Creating and Saving a Trail....................................................... 43
to Save a Trail ......................................................................... 43
ii
Displaying a Saved Trail ............................................................ 45
Navigating Trails........................................................................ 45
Visual Trailing ........................................................................ 46
Navigate a Trail (Forward)..................................................... 46
Navigate a Back Trail (Backtrack, or Reverse) ..................... 48
Transfer Custom Maps and GPS Data Files ............................. 49
Cancel Navigation....................................................................... 52
Sec. 4: Advanced GPS Operations ....................................... 53
Find Distance from Current Position to Another Location ...... 53
Find Distance from Point to Point ............................................. 53
Icons............................................................................................. 53
Create Icon on Map................................................................. 54
Create Icon at Current Position ............................................. 54
Delete an Icon ......................................................................... 54
Navigate to an Icon................................................................. 55
Routes.......................................................................................... 55
Create and Save a Route ........................................................ 56
Delete a Route ......................................................................... 58
Edit a Route ............................................................................ 58
Navigate a Route..................................................................... 59
Navigate a Route in Reverse .................................................. 60
Trails ........................................................................................... 61
Delete a Trail .......................................................................... 61
Edit a Trail Name ................................................................... 61
Edit a Trail Color .................................................................... 61
Edit a Trail Pattern ................................................................ 61
Utilities........................................................................................ 62
Alarm Clock............................................................................. 62
Sun/Moon Rise & Set Calculator............................................ 62
Trip Calculator........................................................................ 62
Trip Down Timer..................................................................... 62
Trip Up Timer ......................................................................... 62
Waypoints.................................................................................... 62
Delete a Waypoint................................................................... 62
Edit a Waypoint (Name, Symbol, or Position)....................... 63
Selecting a Waypoint .............................................................. 63
Set a Waypoint by Average Position ...................................... 63
Set a Waypoint by Projecting a Position................................ 64
Sec. 5: System & GPS Setup Options................................... 65
Alarms ......................................................................................... 65
Auto Satellite Search.................................................................. 66
Check MMC Files and Storage Space........................................ 67
Communications Port Configuration ......................................... 67
iii
Configure DGPS.......................................................................... 68
Configure NMEA ........................................................................ 68
Coordinate System Selection...................................................... 69
To Setup Loran Td: ................................................................. 70
Map Fix ....................................................................................... 70
Customize Page Displays ........................................................... 72
DGPS Status ............................................................................... 72
GPS Simulator ............................................................................ 72
Initialize GPS.............................................................................. 74
Map Auto Zoom........................................................................... 74
Map Data..................................................................................... 75
Show Map Data....................................................................... 75
Pop-Up Map Info..................................................................... 75
Map Boundaries ...................................................................... 75
Fill Water with White............................................................. 75
Map Overlays (Range Rings; Lat/Long Grid) ........................ 76
Map Datum Selection ................................................................. 76
Map Detail Category Selection................................................... 77
Map Orientation ......................................................................... 77
Overlay Data ............................................................................... 78
To Select Data for Display: ................................................. 79
To Turn Off Displayed Data: .............................................. 79
To Change Displayed Data Font Size: ............................... 79
Navionics Charts....................................................................... 80
to Display a Navionics Chart: ................................................ 80
Port Information ..................................................................... 81
to View Port Services Information: ........................................ 81
Tidal Current Information ..................................................... 82
to View Tidal Current Information: ....................................... 83
Tide Information ..................................................................... 84
to View Tide Information:....................................................... 84
Pop-Up Help................................................................................ 85
Position Pinning.......................................................................... 86
Reset Options .............................................................................. 86
Require DGPS ............................................................................. 87
Screen Contrast and Brightness ................................................ 87
Set Language .............................................................................. 88
Set Local Time ............................................................................ 89
Show WAAS Alarm..................................................................... 89
Software Version Information.................................................... 90
Sounds and Alarm Sound Styles................................................ 90
Track Smoothing......................................................................... 91
Trail Options ............................................................................... 91
iv
Delete All Trails ...................................................................... 92
Update Trail Option................................................................ 92
Delete Trail ............................................................................. 93
New Trail................................................................................. 93
Trail Visible/Invisible and Other Trail Options .................... 93
Units of Measure......................................................................... 94
Sec. 6: Searching..................................................................... 95
Find Addresses............................................................................ 95
Find any Item Selected by Map Cursor ..................................... 98
Find Interstate Highway Exits .................................................. 98
Find Map Places or Points of Interest (POI) ........................... 101
Find Streets or Intersections.................................................... 102
Find Waypoints......................................................................... 105
Sec. 7: Supplemental Material............................................109
WARNING!
A CAREFUL NAVIGATOR NEVER RELIES ON ONLY ONE METHOD
TO OBTAIN POSITION INFORMATION.
CAUTION
When showing navigation data to a position (waypoint), a GPS unit will show
the shortest, most direct path to the waypoint. It provides navigation data to the
waypoint regardless of obstructions. Therefore, the prudent navigator will not
only take advantage of all available navigation tools when traveling to a way-
point, but will also visually check to make sure a clear, safe path to the waypoint
is always available.
WARNING!
When a GPS unit is used in a vehicle, the vehicle operator is solely re-
sponsible for operating the vehicle in a safe manner. Vehicle operators
must maintain full surveillance of all pertinent driving, boating or fly-
ing conditions at all times. An accident or collision resulting in dam-
age to property, personal injury or death could occur if the operator of
a GPS-equipped vehicle fails to pay full attention to travel conditions
and vehicle operation while the vehicle is in motion.
1
Section 1: Read Me First!
How this manual can get you out on the road, fast!
Welcome to the exciting world of GPS satellite navigation! We know
you're anxious to begin finding your way with this space-age technol-
ogy, but we have a favor to ask. Before you grab the GlobalMap 7000C
and begin installing it, please give us a moment or two to explain how
our manual can help you get the best performance from your high-
resolution, high-performance GPS+WAAS chart recorder.
First, we want to thank you for buying a Lowrance GPS unit. Whether
you're a first time user or a professional navigator, you'll discover that
your GlobalMap 7000C is easy to use, yet capable of handling de-
manding navigation tasks. When you team your unit with our custom
mapping software MapCreate 6, you have an incredible combination.
No other consumer GPS mapping system on the market offers so much
information and so many features in one package at this price.
Our goal for this book is to get you on the road or out to the woods and
water fast, with a minimum of fuss. Like you, we'd rather spend more
time traveling and less time reading the manual!
So, we designed our book so that you don't have to read the whole thing
from front to back for the information you want. At the start (or end) of
each segment, we'll tell you what content is coming up next. If it's a
concept you're already familiar with, we'll show you how and where to
skip ahead for the next important topic. We've also made it easy to look
up any tips you may need from time to time. Here's how:
The manual is organized into 7 sections. This first section is an intro-
duction to Lowrance GPS. It tells you the basics you need to know be-
fore you can make the unit look around and tell you where you are.
Section 2 will help you install your unit and the GPS antenna module.
We'll show you how to get the MultiMedia Card (MMC) correctly in-
stalled inside the unit. We'll also tell you about some of the available
accessories.
Section 3 covers Basic GPS Operation. It will show you how easy it is to
run the GlobalMap 7000C, right out of the box. This section features a
one-page GPS Quick Reference. (If you've already jumped ahead
and figured out how to install the unit yourself, and you just
can't wait any longer, turn to the Quick Reference on page 33
and head for the road with your GPS unit!)
2
Section 3 contains short, easy-to-scan GPS lessons that follow one an-
other in chronological order. They're all you'll need to know to find your
way on the water or in the wilderness quickly.
After you've learned the basics (or if you already have some GPS expe-
rience), you may want to try out some of the GlobalMap 7000C's many
advanced navigation features. That brings us to Section 4, Advanced
GPS Operations. This section contains the rest of the unit's GPS com-
mand functions, organized in alphabetical order.
When you come to a GPS menu command on the GlobalMap 7000C's
screen, you can look it up in the manual by skimming over the table of con-
tents, just flipping through Section 3 or scanning through the command
portion of Section 4.
This unit is ready to use right out of the box, but you can fine tune and cus-
tomize its operation with dozens of options. We describe how to use general
system options along with GPS options in Section 5, System Setup and
GPS Setup Options. Section 5 is organized in alphabetical order.
In Section 6, we go into more detail on one of the GlobalMap 7000C's
most remarkable capabilities — Searching. We'll introduce a search
example in the Basic GPS Operation section, but there are so many
map items you can search for, we had to give this function its own sec-
tion in the manual! For example, did you know this unit can look up
business phone numbers, functioning as a virtual Yellow Pages? We’ll
show you how in Section 6.
Finally, in Section 7, we offer Supplemental Material, including a list of
the GPS datums used, warranties and customer service information.
Now, if you're into the fine details, glance over the next segment on speci-
fications to see just how much GPS power your GlobalMap 7000C con-
tains. It's important to us (and our power users), but, if you don't care how
many watts of power the unit has, or how many waypoints it can store,
skip ahead to important information on how our GPS works, on page 4.
Capabilities and Specifications: GlobalMap 7000C
General
Display:............................ High-brightness liquid crystal TFT; pro-
grammable to viewing preference; 10.4" (26.4
cm) diagonal. Multiple full-screen and split-
screen data display combinations.
Resolution:...................... 640 pixel x 480 pixel resolution; 307,200 total
pixels; 256-color, full VGA.
Backlighting:................... Fluorescent cold cathode backlit screen with
multiple lighting levels; backlit keypad.
3
Input power:................... 10 to 15 volts DC.
Current drain: ............... 450 ma with lights off; 1 amp with lights on.
Case size:......................... (With bracket) 9.1" H x 12.2" W x 4" D (23.1
x 31 x 10.2 cm); sealed and waterproof; suit-
able for saltwater use.
MMC slots: ...................... Two in waterproof compartments (SD card
compatible).
Back-up memory: .......... Built-in memory stores GPS data for dec-
ades. User settings are stored when unit is
turned off.
Languages:...................... 10; menu languages selectable by user.
GPS
Receiver/antenna: ......... External; LGC-12w 12 parallel channel
GPS/WAAS; DGPS beacon receiver optional.
The unit interfaces NMEA 0183.
Recording:........................ MMC & SD memory cards for recording GPS
trip details and displaying charts or custom
maps.
Background map:.......... Built-in custom, detailed Lowrance map.
Contains: enhanced detail of continental U.S.
and Hawaii. Includes more than 60,000 nav
aids and 10,000 wrecks/obstructions in
coastal and Great Lakes waters. Metro ar-
eas, selected major streets/highways and in-
terstate exit services details included.
Custom mapping: .......... MapCreate version 6 software optional;
featuring unit-searchable database of more
than 700,000 points of interest. Navionics
charts (XL charts or HotMaps) on MMC
cards optional.
Mapping memory: ......... Up to 512 MB on two MMC (or SD) cards.
Position updates: .......... Every second.
Position points: ............. 1,000 waypoints; 1,000 event marker icons.
Man Overboard:............. MOB feature precisely marks man overboard
location with special icon, then automatically
displays navigation data to that position.
Audible alarms: ............. Arrival/off-course/destination passed/anchor.
4
Graphic symbols for
waypoints or event
marker icons: ................. 42.
Routes:............................. 100; up to 100 waypoints per route.
Plot Trails: ...................... 10 savable; up to 9,999 points per trail.
Zoom range:.................... 37 ranges; 0.05 to 4,000 miles.
NOTE:
The above memory capacities refer only to the GlobalMap 7000C's
on-board memory. The amount of GPS data you can record and save
for recall later is only limited by the number of MMC cards you have.
NOTICE!
The storage and operation temperature range for your GlobalMap
7000C is from -4 degrees to +167 degrees Fahrenheit (-20 degrees to
+75 degrees Celsius). Extended storage or operation in temperatures
higher or lower than specified will damage the liquid crystal display in
your unit. This type of damage is not covered by the warranty. For more
information, contact the factory's Customer Service Department; phone
numbers are listed on the last page.
How Lowrance GPS Works
You'll navigate faster and easier if you understand how the GlobalMap
7000C scans the sky to tell you where you are on the earth — and, where
you're going. (But if you already have a working understanding of GPS
receivers and the GPS navigation system, skip on ahead to Section 2,
Installation & Accessories on page 11. If you're new to GPS, read on, and
you can later impress your friends with your new-found knowledge.)
First, think of your unit as a small but powerful computer. (But don't
worry — we made it easy to use, so you don't need to be a computer ex-
pert to find your way!) The GlobalMap 7000C includes a keypad and a
screen with menus so you can tell it what to do. The screen also lets the
unit show your location on a moving map, as well as point the way to
your destination.
This gimbal-mounted GlobalMap 7000C uses an external an-
tenna/receiver module, which makes the whole system work something
like your car radio. But instead of your favorite dance tunes, this re-
ceiver tunes in to a couple of dozen GPS satellites circling the earth. (It
will also listen in to the WAAS satellites in orbit, but more about that
in the upcoming segment introducing you to GPS and WAAS.)
Your unit listens to signals from as many satellites as it can "see" above
the horizon, eliminates the weakest signals, then computes its location in
5
relation to those satellites. Once the GlobalMap 7000C figures its lati-
tude and longitude, it plots that position on the moving map shown on
the screen. The whole process takes place several times a second!
The performance doesn't stop there. Stored in the permanent memory
of each unit is a basic background map of the entire world. We lock it in
here at the factory — you can't change or erase this map.
The background map is suitable for many navigation chores, but for
maximum accuracy and much more detail, you need our optional map-
making software, MapCreate 6. Some unit features — such as
searching for businesses and addresses — won't work without a custom
MapCreate map. There is so much detail in our background map (and
even more in MapCreate) that we'll describe their contents and differ-
ences in Section 3, Basic GPS Operations, on page 21.
Another portion of the GlobalMap 7000C's onboard memory is devoted to
recording GPS navigation information, which includes waypoints, event
marker icons, trails and routes. This lets you look back the way you came.
Think of this data storage like the hard drive memory in a computer or a
tape in a cassette tape recorder. You can save several different GPS data
files, erase 'em and record new ones, over and over again. Like any com-
puter file, these GPS Data Files (file format *.usr) can be shared be-
tween Lowrance GPS or sonar/GPS units or even personal computers.
This GlobalMap 7000C has one more thing in common with a personal
computer. Just as computers have a floppy disk drive for storing and ex-
changing files, the unit has a slot for an MMC (MultiMedia Card) or SDC
(Secure Digital card) flash memory card. These solid-state memory de-
vices are about the size of a postage stamp, but can hold data ranging
from 8 MB to 256 MB in size. (Compare that to a floppy disk's 1.44 MB
capacity!) This unit uses all that MMC space for two key GPS purposes.
First, you can backup your onboard GPS Data Files by copying them to
the MMC. Since the MMC is removable (like a floppy disk or a cassette
tape), you can store these GPS Data Files on a personal computer
equipped with an MMC card reader. (Or store them on a pocketful of
MMCs, if you don't have a computer.) Our MapCreate mapping software
can save, edit or create its own GPS Data Files, which can be copied to the
MMC and then loaded from the MMC into the unit's memory. (NOTE: No
matter where they come from, GPS Data Files must be loaded from the
MMC into memory before the GlobalMap 7000C can use them.)
The other key GPS use for MMCs is storage of special high-detail, cus-
tom maps, which you can produce on your computer with our MapCre-
ate software. These MapCreate custom maps contain much greater de-
6
tail than the basic background map. These Custom Map Files (file
format *.lcm) can also be shared between Lowrance GPS or sonar/GPS
units and personal computers.
This unit automatically reads Custom Map Files directly from the
MMC or SDC. To use a custom map, all you need to do is slide an MMC
containing a map into the GlobalMap 7000C.
Introduction to GPS and WAAS
Well, now you know the basics of how the unit does its work. You might
be ready to jump ahead to Section 2, Installation & Accessories, on page
11, so you can mount your GlobalMap 7000C and plug in the power. Or
you might want to see how our text formatting makes the manual tuto-
rials easy to skim. If that's the case, move on to "How to Use This Man-
ual" on page 8. But, if you want to understand the current state of sat-
ellite navigation, look over this segment describing how GPS and its
new companion WAAS work together to get you where you're going.
The Global Positioning System (GPS) was launched July 17, 1995 by
the United States Department of Defense. It was designed as a 24-
hour-a-day, 365-days-a-year, all weather global navigation system for
the armed forces of the U.S. and its allies. Civilian use was also avail-
able at first, but it was less accurate because the military scrambled
the signal somewhat, using a process called Selective Availability (SA).
GPS proved so useful for civilian navigation that the federal govern-
ment discontinued SA on May 2, 2000, after the military developed
other methods to deny GPS service to enemy forces. Reliable accuracy
for civilian users jumped from 100 meters (330 feet) under SA to the
present level of 10 to 20 meters (about 30 to 60 feet.)
Twenty-four satellites orbit 10,900 nautical miles above the Earth,
passing overhead twice daily. A series of ground stations (with precisely
surveyed locations) controls the satellites and monitors their exact loca-
tions in the sky. Each satellite broadcasts a low-power signal that identi-
fies the satellite and its position above the earth. Three of these satellites
are spares, unused until needed. The rest virtually guarantee that at
least four satellites are in view nearly anywhere on Earth at all times.
The system requires signal reception from three satellites in order to
determine a position. This is called a 2D fix. It takes four satellites to
determine both position and elevation (your height above sea level —
also called altitude). This is called a 3D fix.

7
A minimum of three satellites are required to determine a 2D fix.
Remember, the unit must have a clear view of the satellites in order to
receive their signals. Unlike radio or television signals, GPS works at
very high frequencies. These signals can be easily blocked by trees,
buildings, an automobile roof, even your body.
Like most GPS receivers, this unit doesn’t have a compass or any other
navigation aid built inside. It relies solely on the signals from the sat-
ellites to calculate a position. Speed, direction of travel, and distance
are all calculated from position information. Therefore, in order for the
GlobalMap 7000C to determine direction of travel, you must be moving
and the faster, the better. This is not to say that it won’t work at
walking or trolling speeds — it will. There will simply be more "wan-
dering" of the data shown on the display.
GPS is plenty accurate for route navigation, but the U.S. Federal Avia-
tion Administration has special needs for aircraft traffic control that go
beyond basic GPS. The FAA has a plan under way to boost GPS per-
formance even further with its Wide Area Augmentation System, or
WAAS. This GPS add-on will include a time control element that will
help airliners fly closer together while avoiding collisions. In addition to
carefully spacing airplanes along travel corridors, WAAS will eventu-
ally make instrument landings and takeoffs more accurate as it re-
places existing aviation navigation systems.
Non-aviators can use WAAS signals to make their GPS navigation even
more accurate. Your unit receives both GPS and WAAS signals. How-
ever, WAAS has some limits you should know about.
8
First, the U.S. government has not completed construction of the WAAS
system, so it is not yet fully operational. The ground stations are in
place, but only a few of the needed WAAS satellites have been launched.
WAAS can boost the accuracy of land GPS navigation, but the system is
designed for aircraft. The satellites are in a fixed orbit around the
Equator, so they appear very low in the sky to someone on the ground
in North America. Aircraft and vessels on open water can get consis-
tently good WAAS reception, but terrain, foliage or even large man-made
structures frequently block the WAAS signal from ground receivers.
You'll find that using your GPS receiver is both easy and amazingly
accurate. It’s easily the most accurate method of electronic navigation
available to the general public today. Remember, however, that this
receiver is only a tool. Always have another method of navigation avail-
able, such as a map or chart and a compass.
Also remember that this unit will always show navigation information
in the shortest line from your present position to a waypoint, regardless
of terrain! It only calculates position, it can’t know what’s between you
and your destination, for example. It’s up to you to safely navigate
around obstacles, no matter how you’re using this product.
How to use this manual: typographical conventions
Many instructions are listed as numbered steps. The keypad and arrow
"keystrokes" appear as boldface type. So, if you're in a real hurry (or
just need a reminder), you can skim the instructions and pick out what
menu command to use by finding the boldface command text. The fol-
lowing paragraphs explain how to interpret the text formatting for
those commands and other instructions:
Arrow Keys
The arrow keys control the movement of dotted cross-hair lines on your
mapping screen called the cursor. The arrow keys help you move
around the menus so you can execute different commands. They are
represented by symbols like these, which denote the down arrow key,
the up arrow, the left arrow and the right arrow: ↓ ↑ ← →.
Keyboard
The other keys perform a variety of functions. When the text refers to a
key to press, the key is shown in bold, sans serif type. For example, the
"Enter/Icons" key is shown as ENT and the "Menu" key is shown as
MENU.
9
Menu Commands
A menu command or a menu option will appear in small capital letters,
in a bold sans serif type like this: ROUTE PLANNING. These indicate that
you are to select this command or option from a menu or take an action
of some kind with the menu item. Text that you may need to enter or
file names you need to select are show in italic type, such as trail name.
Instructions = Menu Sequences
Most functions you perform with this unit are described as a sequence
of key strokes and selecting menu commands. We've written them in a
condensed manner for quick and easy reading.
For example, instructions for navigating a trail would look like this:
1. From the Map Page, press MENU|MENU|↓ to MY TRAILS|ENT.
2. Press ↓ to Trail 1|ENT|→|↓ to NAVIGATE|ENT.
3. You are asked to wait while it converts the trail into a route.
4. The wait message disappears and the GlobalMap 7000C be-
gins showing navigation information along the trail. Now, begin
moving and follow your GlobalMap 7000C.
Translated into complete English, step 1 above would mean: "Start on
the Map Page. Press the Menu key twice. Next, repeatedly press (or
press and hold) the down arrow key to scroll down the menu and select
(highlight) the My Trails menu command. Finally, press the Enter key."
Step 2 would mean: "Press the down arrow key repeatedly to scroll to
the trail named Trail 1, and press Enter. Next, press the right arrow
key and then the down arrow key to highlight the Navigate command,
then press Enter."
10
Notes

11
Section 2:
Installation & Accessories
Preparations
You can install the GPS system in some other order if you prefer, but
we recommend this installation sequence:
Caution:
You should read over this entire installation section before drill-
ing any holes in your vehicle or vessel!
1. Determine the approximate location for the GPS unit, so you can
plan how and where to route the cables for the antenna and power.
This will help you make sure you have enough cable length for the de-
sired configuration.
2. Determine the approximate location for the GPS antenna module
and its cable route.
3. Determine the location of your battery or other power connection,
along with the power cable route.
4. Install the GPS antenna and route the antenna cable to the GPS
unit.
5. Install the power cable and route it to the GPS unit.
6. Mount the GPS unit.
GPS Antenna/Receiver Module Installation
The GlobalMap 7000C package includes the LGC-12w GPS module. This
device contains the GlobalMap 7000C's external antenna and receiver for
GPS and WAAS signals. The antenna/receiver module comes with a 25-
foot extension cable. This module can be mounted on a flat surface or
pole, or a magnet is included for temporary mounting on any ferrous sur-
face. (The LGC-12s GPS module sold with earlier Lowrance equipment
will work with your unit, but it will not receive WAAS signals.)
LGC-12w Module, bottom view (left) and top view (right).

12
You need to select an antenna installation location that has a clear, un-
obstructed view of the sky. After the module is installed, route the cable
to the unit, plug it in the center socket on the back and your system is
ready to use. See the module's instruction sheet, publication part num-
ber 988-0147-39, for complete installation directions.
In an automobile, you may achieve good results by simply placing the
external antenna on the top of the dash, at the base of the windshield.
A piece of the rubber non-skid shelf liner material available in recrea-
tional vehicle supply stores will help hold the antenna in place. This
may not work well if you have a cab-over design pickup truck camper or
motor home. If dashboard reception is poor, simply relocate the an-
tenna module elsewhere on the vehicle for a clearer view of the sky.
Power Connections
The GlobalMap 7000C works from a 12-volt battery system. For the
best results, attach the power cable directly to the battery. You can at-
tach the power cable to an accessory or power buss, however you may
have problems with electrical interference. Therefore, it's safer to go
ahead and attach the power cable directly to the battery.
If possible, keep the power cable away from other vehicle wiring, espe-
cially the engine's wires. This will provide the best isolation from elec-
trical noise. If the cable is not long enough, splice #18 gauge wire onto
it. The power cable has two wires, red and black. Red is the positive
lead, black is negative or ground. Make sure to attach the in-line fuse
holder to the red lead as close to the power source as possible.
For example, if you have to extend the power cable to the battery or
power buss, attach one end of the fuse holder directly to the battery or
power buss. This will protect both the unit and the power cable in the
event of a short. It uses a 6-amp fuse.
Power connections for the GlobalMap 7000C GPS unit.
12 volt
battery
Red wire with
6 am
p
fuse
To unit
Black wire
13
CAUTION:
Do not use this product without a 6-amp fuse wired into the power
cable! Failure to use a 6-amp fuse will void your warranty.
This unit has reverse polarity protection. No damage will occur if the
power wires are reversed. However, the unit will not work until the
wires are attached correctly.
An optional 8-foot, CA-4 external power cable with a cigarette lighter
adapter is available from Lowrance.
NMEA/DGPS Cable Connections
NMEA is a standard communications format for marine electronic
equipment. For example, an autopilot can connect to the NMEA inter-
face on the GlobalMap 7000C and receive positioning information. The
GlobalMap 7000C can exchange information with any device that
transmits or receives NMEA 0183 data.
DGPS is an acronym for the Differential Global Positioning System.
DGPS supplements and boosts the accuracy of basic GPS. DGPS was
developed by the U.S. Coast Guard, which is responsible for the sys-
tem's operation in the United States. Since it's creation, DGPS has be-
come the international maritime standard for marine navigation.
The most popular DGPS system relies on a grid of ground-based trans-
mitters that send correction signals to DGPS receivers. These in turn,
connect to the GPS receiver (such as the GlobalMap 7000C). Lowrance
offers an optional DGPS receiver for your unit.
See the following diagrams for general wiring connections. Read your
other product’s owner’s manual for more wiring information.
NMEA/DGPS Wiring
To exchange NMEA or DGPS data, the unit has two NMEA 0183 version
2.0 communication ports. Com port one (Com-1) can be used to receive
NMEA format GPS data or DGPS data. Com-1 can also transmit NMEA
format GPS data to another device. Com-2 is for NMEA output only.
The three wires for the com ports are combined with the two power
wires to form the power/data cable. Com-1 uses the yellow wire to
transmit, the orange wire to receive and the shield wire for signal
ground. Com-2 uses the blue wire for transmit.

14
Communication Port Wiring Diagrams
Com-1 wiring to receive DGPS position information
from a DGPS receiver.
Com-1 wiring to receive NMEA position information
from some other GPS receiver.
Com-1 wiring to transmit NMEA position information
to another NMEA-compatible device.
Com-2 wiring to transmit NMEA position information
to another NMEA-compatible device.
Mounting the Unit: Bracket or In-Dash
You can install the GlobalMap 7000C on the top of a dash with the
supplied gimbal bracket. It can also be installed in the dash. For an in-
dash mount, consult the factory customer service department. Service
contact information is inside the back cover of this manual.
Bracket Installation
Mount the GlobalMap 7000C in any convenient location, provided there
is clearance behind the unit when it's tilted for the best viewing angle.
You should also make sure there is enough room behind the GlobalMap
7000C to attach the power and GPS antenna/receiver module cables. (A
drawing on the next page shows the dimensions of a gimbal-mounted
GlobalMap 7000C.)
Orange (Receive)
Shield (Ground)
Transmit
Ground
Com-1
To unit
To DGPS
Receiver
Yellow (Transmit) Receive
Orange (Receive) NMEA Transmit
To Other
GPS Receiver
Shield (Ground) Ground
Com-1
To unit
Ground To Other
Device
Com-1
To unit
Yellow (Transmit) NMEA Receive
Shield (Ground)
Shield (Ground) Ground
Com-2
To unit
Blue (Transmit) NMEA Receive To Other
Device

15
Front view (left) and side view (right) showing dimensions of the GPS
unit when mounted on gimbal bracket.
Install the gimbal bracket. Orient the bracket so the arms slope toward
the front of your unit.
Front
Screw
mounting
hole
Cable hole
Inch
[Millimeter]
12.2
[310.3]
3.6
[91.8]
2.3
[58]
9.1
[231.3]
16
Holes in the bracket's base allow wood screw or through-bolt mounting.
You may need to place a piece of plywood on the back side of thin fiber-
glass panels to reinforce the panel and secure the mounting hardware.
Once a location is determined, use the bracket as a template and mark
the mounting holes and the hole for the cables. Drill a 1-inch (25.4 mm)
hole in the dash for the power and antenna cables. Screw the bracket to
the mounting surface.
To pass all connectors through the 1" hole, first pass the antenna con-
nector up through the hole from under the dash. Next, pass the power
cable's bare-wire end down though the hole from the top.
If you wish, you can fill in the hole around the cables with a good ma-
rine caulking compound. Be sure to leave enough slack in the cables to
allow tilting the unit.
Attach the unit to the gimbal bracket using the supplied gimbal knobs
and washers, attach the cables and the unit is ready to use.
MMC or SDC Memory Card Installation
Your unit uses MultiMedia Cards to store information, such as custom
maps, waypoints, trails and other GPS data. The unit can also use Se-
cure Digital Cards (SD card or SDC) to store data. The unit can use up
to two cards at the same time; an MMC and an SDC can be used to-
gether at the same time.
NOTE:
Throughout this manual, we will use the term MMC, but just re-
member that your unit can use an MMC or SDC to store data.
Both of these solid-state flash memory devices are about the size of a
postage stamp. An SD card is slightly thicker than an MMC. As this
manual went to press, MMCs were available in storage capacities of 8
MB, 16 MB, 32 MB and 64 MB. SD cards were available in capacities of
8 MB, 16 MB, 32 MB, 64 MB, 128 MB and 256 MB.
Additional MMC cards are available from LEI Extras; see ordering in-
formation inside the back cover of this manual. MMCs and SD cards
are also available at many camera and consumer electronics stores.
The two MMC slots are located in compartments on the front of the
case. The water-proof compartment doors are located at the lower right
corner. The following figure shows a close-up of one compartment with
the door opened.

17
Memory card compartment with a 16 MB MMC card installed.
To remove an MMC
1. Open the card compartment door by unscrewing the thumb screw.
The screw should only be finger tight. If it was over-tightened, use a
thumbnail, a coin or a screwdriver to open the door.
2. Use a thumbnail or fingernail to grab the groove in the bottom of the
MMC. See the figure above for the groove location.
3. Drag the MMC from the slot.
To add an MMC or SDC
1. Open the card compartment door.
2. Grasp the bottom of the MMC and push the top of the card into the
slot. Once the card is started, use your fingernails to slide it the rest of
the way to the left, until it is firmly seated in the slot.
3. Close the compartment door and fasten the thumb screw finger tight.
Other Accessories
Screen Cleaning Kit
Your unit's display screen is equipped with a special anti-glare filter
that improves readability in a wide range of lighting conditions. A bot-
tle of filter cleaning fluid is included with your unit. Additional bottles
of cleaner may be purchased from your dealer or LEI Extras, the acces-
sory source for Lowrance equipment. Accessory ordering information is
on the inside back cover of this manual.
WARNING:
Improperly cleaning your unit's screen can result in
damage to the anti-glare filter. This type of damage is
not covered by the warranty. To protect the screen and
Insert card face up,
this way
Thumb
screw
MMC groove for card removal

18
its anti-glare properties, always use the special cleaner
available from your dealer or LEI Extras.
To remove fingerprints, water spots, dust or other grime from the
screen, hold the bottle about 6 inches (15 cm) from the screen and
spray. Wipe immediately with a clean, dry, lint-free cloth.
MMC and MapCreate
Other available accessories include MMC cards, MMC card readers and
MapCreate™ 6 custom mapping software for your computer. MMC card
readers are available in USB and parallel port versions. This unit ships
with the MapCreate accessory pack, which includes the software, one
USB card reader and one 16 MB MMC. See the MapCreate manual and
the card reader instruction sheet for installation information.
MapCreate™ 6 CD-ROM, left; MMC card reader for USB ports, right.
External Speaker
Your unit can play sounds to an external speaker. This feature can be
convenient any time you are away from the unit – especially in a larger
boat or motor home – but still want to hear its alarms. You might in-
stall a small speaker at the stern of your boat, or put one in your galley
so you can hear the GPS Arrival Alarm.
You can purchase an external speaker at your nearest audio electronic
store. The unit is designed to work with most speakers, but make sure
to buy one that meets these minimum requirements:
• Minimum 8-ohm resistance
• Minimum 5-watt power
In your vessel or vehicle, mount the speaker wherever you want to hear
your unit's sounds. (Follow the speaker's installation instructions).
19
Next, connect the speaker to your unit. The external audio wires are
the labeled red and black wires in the power/data cable. The speaker's
input cable should have two exposed wires: a positive and a negative
(ground). Connect the speaker's positive wire to the unit's red speaker
wire, and the speaker's negative (ground) wire to the unit's black
speaker wire.
The unit should automatically begin to play any active sounds through
the attached speaker.
Face Cover
Your unit comes with a white protective cover that snaps on and off the
front of the unit. When the unit is in storage, the cover protects the
screen from damage that can result from long-term exposure to the
sun's ultraviolet rays. This cover is intended for use when your unit
and the vehicle it's mounted in are idle.
WARNING:
When the unit is mounted in an unprotected area, such
as an open boat cockpit, the protective face cover must
be removed when the vehicle is moving at high speed.
This includes towing a boat on a trailer at highway
speeds. Otherwise, wind blast can pop off the cover.
Now that you have your unit installed, move on to Sec. 3, Basic GPS
Operations. There, we'll present a series of step-by-step tutorials to
teach you the basics of GPS operation.
20
Notes

21
Section 3:
Basic GPS Operations
This section addresses the unit's most basic GPS operations. The tuto-
rials presented in Sec. 3 follow a chronological order. Sec. 4, Advanced
GPS Operations, will discuss other more advanced functions and utili-
ties. Material in Sec. 4 is arranged in alphabetical order.
Before you turn on the GlobalMap 7000C and find where you are, it's a
good idea to learn about the different keys, the three Page screens and
how they all work together. BUT, if you just can't wait to get outside,
turn to the one-page Quick Reference on page 33.
Keyboard
GlobalMap 7000C GPS unit, front view, showing screen,
keyboard and access doors for the MMC compartment.
1. PWR/LIGHT (Power & Light) – The PWR key turns the unit on and
off and activates the backlight.
2. PAGES – Pressing this and the ← → arrow keys (4) switches the
unit between the three different page screens. (Satellite Status Page,
Navigation Page and Map Page.) Each page represents one of the unit's
major operation modes.
5
4
2
8
7
9
63
1
MMC doors
22
3. MENU – Press this key to show the menus and submenus, which
allow you to select a command or adjust a feature. This also accesses
search functions for streets, intersections, addresses and highway exits.
4. ARROW KEYS – These keys are used to navigate through the
menus, make menu selections, move the map cursor and enter data.
5. ENT/ICONS (Enter & Icons) – This key allows you to save data, ac-
cept values or execute menu commands. It is also used to create event
marker icons.
6. EXIT – The Exit key lets you return to the previous screen, clear
data or erase a menu.
7. WPT – (Waypoint) The Waypoint key is used to save and recall way-
points, search for waypoints and access the waypoint list. It also
launches the Point-of-Interest (POI) search menus and is involved in
some navigation functions.
8. ZOUT – (Zoom Out) – This key lets you zoom the screen out. On the
Map Page, this lets you see a larger geographic area on the map. Less
detail is seen as you zoom out.
9. ZIN – (Zoom In) – This key lets you zoom the screen in. On the Map
Page, zooming in lets you see greater detail in a smaller geographic
area on the map.
Power/lights on and off
To turn on the unit, press PWR. As the unit powers up, the Map Page is
displayed first. (To switch to another page, press PAGES|← or → to
Page Name|EXIT.)
To turn on the backlight, press PWR again. The unit has three backlight
levels to select from. Repeatedly pressing PWR will cycle through the
backlight settings and turn off the backlight.
Turn off the unit by pressing and holding the PWR key for 3 seconds.
Main Menu
The GlobalMap 7000C has a Main Menu, which contains some function
commands and some setup option commands. The tutorial lessons in
this section will deal only with functions, the basic commands that
make the GlobalMap 7000C do something. The unit will work fine for
these lessons right out of the box with the factory default settings. But,
if you want to learn about the various options, see Sec. 5, System Setup
and GPS Setup Options.
You can access the Main Menu from any of the three Page screens by
pressing MENU|MENU. To clear the menu screen and return to the page
display, press EXIT.

23
Main Menu.
The Main Menu commands and their functions are:
Screen command: changes the contrast or brightness of the display
screen.
Sounds command: enables or disables the sounds for key strokes and
alarms and sets the alarm style.
Alarms command: turns GPS alarms on or off and changes alarm
thresholds.
Route Planning command: used to plan, view or navigate a route.
My Trails command: shows, hides, creates and deletes plot trails. Also
used to navigate or backtrack a trail.
Cancel Navigation command: turns off the various navigation com-
mands. Used to stop navigating after you have reached your destina-
tion waypoint, Point of Interest or map cursor location; or after you
reach the end of a route or trail.
GPS Setup command: sets various GPS receiver options.
System Setup command: sets general configuration options.
Sun/Moon Calculations command: finds the rising and setting time
of the sun and the moon.
Trip Calculator command: shows trip status and statistics.
Timers command: controls the up timer, down timer and alarm clock
settings.
Browse MMC Files command: this allows you to view the installed
MMC card and the files it contains.

24
Pages
The unit has three Page displays that represent the three major operat-
ing modes. They are the Satellite Status Page, the Navigation Page and
the Map Page. They are accessed by pressing the PAGES key, then using
→ or ← to select a Page. (Clear the Pages Menu by pressing EXIT.)
Pages Menu, showing some Map display options.
Satellite Status Page
The Satellite Status Page, shown, provides detailed information on the
status of the GlobalMap 7000C's satellite lock-on and position acquisi-
tion. To get to the Satellite Status Page: Press the PAGES key, then use
→ or ← to select STATUS. (Clear the Pages Menu by pressing EXIT.)
No matter what Page you are on, a flashing current position indica-
tor/question mark symbol and flashing GPS data displays indicate that
satellite lock has been lost and there is no position confirmed. The Sat-
ellite Status Page shows you the quality and accuracy of the current
satellite lock-on and position calculation.
WARNING:
Do not begin navigating with this unit until the numbers
have stopped flashing!

25
Satellite Status Page. Left view indicates unit has not locked on
to any satellites and does not have a fix on its position. Right
view shows satellite lock-on with a 3D position acquired
(latitude, longitude and altitude), and WAAS reception.
This screen shows a graphical view of the satellites that are in view. Each
satellite is shown on the circular chart relative to your position. The point in
the center of the chart is directly overhead. The small inner ring represents
45° above the horizon and the large ring represents the horizon. North is at
the top of the screen. You can use this to see which satellites are obstructed
by obstacles in your immediate area if the unit is facing north.
The GPS receiver is tracking satellites that are in light blue. The re-
ceiver hasn't locked onto a satellite if the number is dark blue, there-
fore it isn't being used to solve the position.
Beneath the circular graph are the bar graphs, one for each satellite in
view. Since the unit has twelve channels, it can dedicate one channel
per visible satellite. The taller the bar on the graph, the better the unit
is receiving the signals from the satellite.
The "Estimated Position Error" (horizontal position error) shown in the
upper left corner of the screen is the expected error from a benchmark
location. In other words, if the EPE shows 50 feet, then the position
shown by the unit is estimated to be within 50 feet of the actual loca-
tion. This also gives you an indicator of the fix quality the unit cur-
rently has. The smaller the position error number, the better (and more
accurate) the fix is. If the position error flashes dashes, then the unit
hasn't locked onto the satellites, and the number shown isn't valid.
The Satellite Status Page has its own menu, which is used for setting
various options. (Options and setup are discussed in Sec. 5.) To access
the Satellite Status Page Menu, from the Status Page, press MENU.

26
Navigation Page
This screen has a compass rose that not only shows your direction of
travel, but also the direction to a recalled waypoint. To get to the Navi-
gation Page: Press PAGES| → or ← to NAVIGATION|EXIT.
The navigation screen looks like the one below when you're not navi-
gating to a waypoint or following a route or trail. Your position is
shown by an arrow in the center of the screen. Your trail history, or
path you've just taken, is depicted by the line extending from the arrow.
The arrow pointing down at the top of the compass rose indicates the cur-
rent track (direction of travel) you are taking.
Navigation Page, recording a trail, traveling east. Page looks like
this when the unit is not navigating to a waypoint , following
a route, or backtracking a trail.
When navigating to a waypoint, the Navigation screen looks like the
following figure. Your ground speed, track, distance and bearing to
waypoint, and course are all shown digitally on this screen.
NOTE:
Remember, when the Speed, Track and Position information dis-
plays are flashing, satellite lock has not been achieved and no posi-
tion fix has been determined. A question mark will also flash on the
present position arrow in the center of the compass rose.
Speed (ground speed) is the velocity you are making over the ground. (If
you wish, you can customize the Speed window to display Closing
Compass
rose
Navigation
information
displays
Present
position
arrow
Trail line
Track or compass heading indicator, showing direction of travel
27
Speed instead. Closing Speed is also known as velocity made good. It's
the speed that you're making toward the waypoint. For instructions,
see the Customize Page Displays entry in Sec. 5.)
Track is the heading, or the current direction you are actually travel-
ing. Bearing is the direction of a line-of-sight from your present position
to the destination. No matter what direction you are steering, the
Bearing window shows the compass direction straight to the destina-
tion from your location at the moment. Distance shows how far it is to
the waypoint you're navigating toward.
The Off Course window shows the current cross track error. This shows
the distance you are off-course to the side of the desired course line. The
course line is an imaginary line drawn from your position when you
started navigating to the destination waypoint. The course line is shown on
the Navigation Page screen (and the Map Page screen) as a red line.
The cross track error range is shown on the compass rose as a wide,
white, corridor enclosing the course line. The outer edges of this white
corridor represent lines that show the current cross track error range.
The default for the cross track error range is 0.20 miles.
For example, if the present position symbol touches the right cross
track error line, then you are 0.20 miles to the right of the desired
course. You need to steer left to return to the desired course. You can
use the ZIN or ZOUT keys to change the cross track error range.
A circular symbol depicting your destination (waypoint) appears on the
screen as you approach the waypoint, as shown on the screen in the
following figure.
Travel Time is the time that it will take to reach your destination at
your present closing speed. (You can also customize the time window to
show Arrival Time instead. Arrival Time is the local time it will be
when you arrive at the destination, based upon your present closing
speed and track.)

28
Navigation Page, backtracking a trail while creating a new trail.
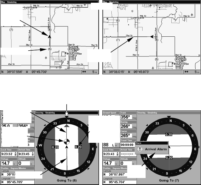
In the example figure above, the driver is headed north (a 355º track)
toward a waypoint 355º (bearing) away. The cross track error range
(white corridor) is 0.20 miles either side of the course. The driver is
headed toward trail waypoint 4, which is 0.14 miles away. The vehicle
is virtually on course (off course 1 foot to the right). Traveling at a
speed of 27 mph, the driver will arrive at the waypoint in 19 seconds.
The Navigation Page has its own menu, which is used for some ad-
vanced functions and for setting various options. (Options and setup
are discussed in Sec. 5.) To access the Navigation Page Menu, from the
Navigation Page, press MENU.
Map Page
The Map Page screens show your course and track from a "bird's-eye"
view. By default, this unit shows the map with north always at the top
of the screen. (This can be changed. See the topic Map Orientation, in
Sec. 5.) If you're navigating to a waypoint, the map also shows your
starting location, present position, course line and destination. You
don't have to navigate to a waypoint, however, to use the map.
Map Page is the default screen that appears when you turn on the unit.
To get to the Map Page from another page: Press PAGES| → or ← to
MAP|EXIT. When the Map Page is displayed, a screen similar to the fol-
lowing figures appears.
The arrow in the center of the screen is your present position. It points
in the direction you're traveling. The magenta line extending from the
back of the arrow is your plot trail, or path you've taken.
Destination
name
Navigation
information
displays
Bearing
arrow
Cross track
error range
(off course
indicator)
Course line
Waypoint
s
y
mbol
Current track or
heading, shown
in degrees
Compass
bearing to
destination
Trail line
Left cross
track error line

29
The map zoom range is the distance across the screen. This number
shows in the lower right corner of the screen. In the first example fig-
ure below, the range is 4,000 miles from the left edge of the map to the
right edge of the map.
The Zoom In and Zoom Out keys zoom the map to enlarge or reduce its
coverage area and the amount of mapping detail shown. There are 37
available map zoom ranges, from 0.05 miles to 4,000 miles.
Far left, Map Page opening screen. Center, zoomed to 100 miles and
right, zoomed to 15 miles. Over Zoomed means you have reached the
detail limits in an area covered only by the basic background map.
Zooming in any closer will reveal no more map details because a high-
detail custom map has not been loaded on the MMC for this area.
If you're using only the factory-loaded background map, the maximum
zoom range for showing additional map detail is 20 miles. You can con-
tinue to zoom in closer, but the map will simply be enlarged without
revealing more map content (except for a few major city streets.) Load
your own high-detail custom map made with MapCreate, and you can
zoom in to 0.05 miles with massive amounts of accurate map detail.
Map Pages with high-detail MapCreate map of an urban area loaded on
the MMC. At left, arterial streets appear at the 6 mile zoom range, with a
few Point of Interest icons visible. Center, numerous dots representing
Points of Interest become visible at the 3 mile range, along with minor
streets. Right, at the 0.6 mile zoom, you can see an interstate highway
with an exit, major and minor streets as well as Point of Interest icons.
Background map vs. MapCreate map content
The background map includes: low-detail maps of the whole world (con-
taining cities, major lakes, major rivers, political boundaries); and me-
dium-detail maps of the United States.

30
The medium-detail U.S. maps contain: all incorporated cities; shaded
metropolitan areas; county boundaries; shaded public lands (such as
national forests and parks); some major city streets; Interstate, U.S.
and state highways; Interstate highway exits and exit services informa-
tion; large- and medium-sized lakes and streams; and more than 60,000
navigation aids and 10,000 wrecks and obstructions in U.S. coastal and
Great Lakes waters
MapCreate custom maps include massive amounts of information not
found in the background map. MapCreate contains: the searchable
Points of Interest database, all the minor roads and streets, all the
landmark features (such as summits, schools, radio towers, etc.); more
rivers, streams, smaller lakes and ponds and their names.
What's more important is the large scale map detail that allows your
GPS unit to show a higher level of position accuracy. For example, the
background map would show you the general outline and approximate
shape of a coastline or water body, but the higher detail in MapCreate
shows the shoreline completely and accurately (finer detail). Many
smaller islands would not be included in the background map, but are,
of course, in MapCreate.
When the map is zoomed out far enough, most POIs appear as square
dots. As you zoom in closer, the symbols become readable icons. In the
0.6 mile zoom example at right, the cursor has selected the Cupps Café
POI, which triggers a pop-up box with the POI name. This pop-up box
works on POIs at any zoom range.
Tip:
In some urban areas, businesses are so close to one another that
their POI icons crowd each other on the screen. In the preceding
figure, you can see a jumbled pile of POIs along Highway 34. You
School POI
POI Pop-up,
with position,
distance and
bearing data
Restaurant
POI
POI
Marker
Cursor line
Interstate Major Street
Minor
Streets
Zoom Range

31
can reduce screen clutter and make streets and other map features
easier to see by simply turning off the display of POIs you're not
watching for. (To see how, check the text on Map Detail Category
Selection, page 77. It shows how to use the Map Categories Drawn
menu to turn individual POI displays off and on.) Even though
their display is turned off, you can still search for POIs and their
icons will pop-up when your unit finds them for you.
The Map Page has its own menu, which is used for several functions
and for setting various options. To access the Map Page Menu, from the
Map Page, press MENU.
The Pages Menu also offers several map display options under the Map
Page category. To access them, press PAGES|← or→ to MAP|↓ to Op-
tion|EXIT.
At left, Digital Data map page; at right, Two Position Formats page.
Pages Menu with Two Maps option selected, left.
Map Page with two map windows, at right. The left map is active.
In pages that have two major windows (such as two maps) you can tog-
gle back and forth between the two windows by pressing
PAGES|PAGES. This allows you to change which map the cursor, key-
board and menus operate on. A dark blue title bar denotes the active
window.

32
Resize Window is another extremely handy feature for pages that have
two major windows. You can change the horizontal size of the windows
to suit your viewing preference. Here's how:
1. From any two-window display, press MENU|↓ to RESIZE WINDOW|ENT.
2. Two flashing arrows appear along the centerline dividing the two
windows. Press ← or → to adjust the window widths. Press EXIT to
clear the menu.
3. To change the window size again or revert back to the original dis-
play, just follow the steps above. (Most dual-window displays use half
the screen for each window by default.) You can also use the Reset Op-
tions command to revert to the factory default.
At left, Map Menu with Resize Window command selected. Center,
Resize Window command is active. At right, pressing the → key moves
the centerline to the right and enlarges the left window.
The following page contains a 12-step quick reference for the most basic
GPS operations. If you don't want to carry the manual with you as you
practice with the GlobalMap 7000C, you might consider photocopying
this quick reference page and tucking it into your pocket.
33
GPS Quick Reference
Start outdoors, with a clear view of the open sky. As you practice, try
navigating to a location at least a few blocks away. While you're learning,
navigation in too small an area will constantly trigger arrival alarms.
1. Connect the unit to electric power and the antenna module. Make sure
the MMC is in. (See complete installation details beginning on page 11.)
2. To turn on the GlobalMap 7000C, press and release PWR key.
3. Opening screen displays map of North America at the 4,000 mile
zoom range. Rotate through the three main Page screens (Map Page,
Satellite Status Page and Navigation Page) by pressing PAGES|← or →
to select Page Name|EXIT. Switch Pages to display Satellite Status
Page.
4. Wait while unit locates satellites and calculates current position. Process
is visible on Satellite Page. This takes an average of 1 minute or less under
clear sky conditions (unobstructed by terrain or structures.) When the unit
acquires position, a tone sounds and a position acquired message appears.
5. With position acquired, press PAGES key to display Map Page, which
shows a bird's eye view of the earth. You can move around the map by:
Zoom in closer to see greater detail: press ZIN (zoom in key.)
Zoom out to see more area, less detail: press ZOUT (zoom out key.)
Scroll map north, south, east or west using arrow keys ↑ ↓ → ← .
To stop scrolling and return to current position on map, press EXIT key.
6. Set a waypoint (Wpt 001) at your current position so you can navi-
gate back here: press WPT|WPT. Waypoint symbol and "001" appears.
7. Zoom/scroll map to find a nearby object or location to go to. Use ar-
row keys to center cursor cross-hair over the map object or location.
8. Navigate to the selected destination: press MENU|ENT|EXIT. Follow the
red course line on Map Page or compass bearing arrow on Navigation Page.
9. At destination, Arrival Alarm goes off; to clear it, press EXIT. Cancel
navigation: press MENU|MENU|↓ to CANCEL NAVIGATION|ENT|← to YES|ENT.
10. Return to Wpt 1 by Navigate To Waypoint or Backtrack Trail. To
Waypoint: press WPT|→ to SAVED|ENT|ENT|ENT. Use ↑ or ↓ to select
Wpt 001, press ENT|ENT; follow navigation displays. Trail: press
MENU|MENU|↓ to MY TRAILS|ENT. Press ↓ to Trail 1|ENT|→|↓ to
NAVIGATE|ENT|↓ to NAVIGATE|→ to REVERSE|ENT|← to NAVIGATE|ENT. (If
arrival alarm sounds, press EXIT.) Follow navigation displays.
11. Back home, Arrival Alarm goes off; press EXIT. Cancel navigation:
press MENU|MENU|↓ to CANCEL NAVIGATION|ENT|← to YES|ENT.
12. To turn off the unit, press and hold PWR key for three seconds.
34
Find Your Current Position
Finding your current position is as simple as turning the GlobalMap
7000C on. Under clear sky conditions, the unit automatically searches
for satellites and calculates its position in approximately one minute or
less.
NOTE:
"Clear sky" means open sky, unobstructed by terrain, dense foliage
or structures. Clouds do not restrict GPS signal reception.
If for some reason satellite acquisition takes longer, you may be inside
a structure or vehicle or in terrain that is blocking signal reception. To
correct this, be sure you are positioned so that the unit's antenna mod-
ule has as clear a view of the sky as possible, then turn the unit off and
back on again.
Moving Around the Map: Zoom & Cursor Arrow Keys
The map is presented from a bird's eye view perspective. The current
zoom range shows in the lower right corner of the screen.
1. Press the ZIN key (zoom in) to move in closer and see greater detail in
a smaller geographic area.
2. Press the ZOUT key (zoom out) to move farther away and see less map
detail, but a larger geographic area.
When you are traveling, the map will automatically move as you move.
This keeps your current location roughly centered on the screen.
You can manually pan or scroll the map northward, southward, east-
ward or westward by using the arrow keys, which launch the cross-hair
map cursor. This allows you to look at map places other than your cur-
rent position. To clear the cursor, press EXIT, which jumps the map
back to the current position or the last known position.
Tip:
Use the cursor to determine the distance from your current position
(or last known position, when working indoors) to any map object.
Simply use the arrow keys to position the cursor over the object or
landmark. The distance, measured in a straight line, appears in the
pop-up box. Press EXIT to clear the cursor.

35
The selected airport to the northwest is 4.25 miles away.
Selecting Any Map Item With the Cursor
1. Use the zoom keys and the arrow keys to move around the map and
find the item you wish to select.
2. Use the arrow keys and center the cursor cross-hair on the desired
object. On most items, a pop-up box will give the name of the selected
item.
Searching
Now that you've seen how the GlobalMap 7000C can find where you
are, let's search for something somewhere else. Searching is one of the
most powerful features in the Lowrance GPS product line.
In this example, we'll look for the nearest fast-food restaurant. For
more information on different types of searches, refer to Sec. 6, Search-
ing.
NOTE:
This example requires the Point of Interest (POI) database included
with a high detail MapCreate 6 custom map.
After the unit has acquired a position:
1. Press WPT|↓ to POI-RESTAURANTS.
2. You could search the entire restaurant category, but in this example
we will narrow our search. Press → to SUBCATEGORY column|↓ to FAST
FOOD CHAINS|ENT|↓ to NEAREST|ENT.
3. The GlobalMap 7000C says it is calculating, then a list of restaurants
appears, with the closest at the top of the list, and the farthest at the
bottom of the list. The nearest is highlighted.
Cursor line
Cursor line
Distance
measured
by cursor
POI pop-up
name box
Selected
airport

36
Category Selection menu, left, and list of the nearest restaurants, right.
4. If you wish, you could scroll ↑ or ↓ here to select another restaurant,
but for now we will just accept the nearest one. Press ENT.
5. The POI information screen appears. (This is how you can use the
GlobalMap 7000C as a business phone directory!) If you wanted to navi-
gate there, you could press ENT, since the GO TO command is highlighted.
But we just want to see it on the map, so press ↓ to FIND ON MAP|ENT.
POI information screen on fast food restaurant nearest this position.
Screen shows name, street address, phone number, latitude/longitude,
distance to restaurant and its compass bearing. Figure at left shows
Go To command; right figure shows Find On Map command.
6. The GlobalMap 7000C's map appears, with the cross-hair cursor
highlighting the restaurant's POI symbol. A pop-up name box identifies
the POI, as well as its distance and bearing. A data box at the bottom of
the screen continues to display the location's latitude and longitude.

37
Map screen showing Find Waypoint, the result of a restaurant search.
7. To clear the search and return to the last page displayed, press
EXIT|EXIT|EXIT|EXIT. (Before you completely exited out of the Search
menus, you could have gone looking for another place.)
NOTE:
Search works from mapping and POI data loaded in the GlobalMap
7000C. If you do not have a high-detailed custom map (containing
POI data) for the area you are searching loaded on the MMC, you
may not find anything.
Set a Waypoint
A waypoint is simply an electronic "address," based on the latitude and
longitude of a position on the earth. A waypoint represents a location,
spot, or destination that can be stored in memory, then be recalled and
used later on for navigation purposes.
You can create a waypoint at the cursor position on the map, or at your
current position while you are navigating. You can create a waypoint at
any location by manually entering the position's latitude and longitude.
You can copy waypoints from your unit to your personal computer with
MapCreate software. When you want to repeat a trip, these archived
waypoints can be reloaded into your GPS unit.
To create and save a Waypoint:
These first two techniques use the Quick Save method, the fastest and
easiest way to create a waypoint.
Create Waypoint at Current Position
While you are traveling, press WPT|WPT. The waypoint is saved and
automatically given a name with a sequential number, such as "way-
point 003." The waypoint symbol and number appear on the map.

38
Sequence for setting a waypoint. Step 1: while traveling, quickly press
WPT twice to call up Find Waypoint screen (seen in Step 2) and set a
point. Step 3: a message says the waypoint has been saved. Step 4: ve-
hicle continues on its way; number waypoint symbol is visible on map.
NOTE:
The Quick Save method uses the default waypoint symbol until you
edit an existing waypoint and change its symbol. (Edit Waypoint
Symbol is described in Sec. 4.) After you have changed a waypoint
symbol, the unit will remember the one you chose and use it the
next time you "quick save" a waypoint. To revert back to the default
symbol, edit a waypoint and choose it, or use the Reset Options
command (described in Sec. 5).
Create Waypoint on Map
1. Use the arrow keys to move the cursor to the place where you want
to make a waypoint.
2. Press WPT|WPT. The waypoint is saved and automatically given a
name with a sequential number, such as "waypoint 001." The waypoint
symbol and number appear on the map.
Step 3. Step 4.
Step 1. Step 2.
39
Create Waypoint by Entering a Position
1. Press WPT|→ to SUBCATEGORY column|↓ to NEW|ENT.
2. Press ↓ to ENTERED POSITION|ENT|→ to CREATE|ENT.
3. Press → to LATITUDE|ENT. Enter the latitude by pressing ↑ or ↓ to
change the first character, then press → to the next character and re-
peat until the latitude is correct. Press ENT.
4. Press ↓ to LONGITUDE|ENT. Enter the longitude by pressing ↑ or ↓ to
change the first character, then press → to the next character and repeat
until the longitude is correct. Press ENT, then EXIT|EXIT to return to the
previous page display. The waypoint is saved and automatically given a
name with a sequential number, such as "waypoint 001." The waypoint
symbol and number appear on the map and in the waypoint list.
Navigate To a Waypoint
You can select any waypoint visible on the Map Page with the cursor,
then use the Navigate to Cursor command (we'll describe how later in
this section.) However, you can avoid scrolling the map to pick your
waypoint if you use the Find Waypoint commands:
1. Press WPT|→ to SAVED|ENT. To look up the nearest waypoint, press
↓ to NEAREST|ENT; or, to look by name (and scroll through the entire
waypoint list), press ENT. For this example, look by name.
2. If your waypoint list is a long one, you can spell out the waypoint
name in the FIND BY NAME box to search for it. (Press ↑ or ↓ to change the
first character, then press → to move the cursor to the next character
and repeat until the name is correct, then press ENT to jump to the list
below.)
3. If the list is short, you can jump directly to the FIND IN LIST box by
pressing ENT. Use ↑ or ↓ to select the waypoint name, press ENT and
the waypoint information screen appears with the GO TO command se-
lected.
4. To begin navigating to the waypoint, press ENT.

40
Navigation Page, navigating toward waypoint 004 and leaving a trail.
Set Man Overboard (MOB) Waypoint
One of boating's most terrifying events is having a friend or family
member fall overboard. This situation can be deadly on any body of wa-
ter — fresh or salt. It's particularly dangerous at night or if you're out
of sight of land. Of course, the first thing to do is remain calm and then
use all standard safety procedures to rescue the person.
This unit has a man overboard feature that shows navigation data to
the location where the feature was activated. To activate it, press the
ZOUT and ZIN keys at the same time. Your position at the time these
keys are pressed is used as the man overboard position.
Caution:
Saving a new "Man Overboard" waypoint will overwrite and
erase the previous "Man Overboard" waypoint.
Navigate Back to MOB Waypoint
Find your way back to the accident position with the Navigation Page
or Map Page. When MOB is activated, the Navigation Page automati-
cally shows the compass rose with its bearing arrow pointing toward
the man overboard position, and the destination name says "Going To
Man Overboard." The Map Page displays a Man Overboard waypoint,
represented by a human figure, and the steering arrow points where to
steer to reach that position.
Waypoint
Destination
name
Trail line
(magenta)
Course line
(red)
Off course
range, set at
0.20 mile

41
Navigating to Man Overboard: Navigation Page, left, and Map Page,
right. The victim is astern of the vessel; the GPS shows which direc-
tion to steer to for the rescue.
The man overboard position is also stored in the waypoint list for future
reference. It can be edited the same as any other waypoint.
To cancel navigation to MOB, press MENU|MENU|↓ to CANCEL NAVIGA-
TION|ENT|← to YES|ENT. The GlobalMap 7000C stops showing navigation
information.
Navigate to Cursor Position on Map
The GO TO CURSOR command navigates to the current cursor position on
the map. It's a quick and handy way to navigate to anything you can
see on the map display.
1. Use the cursor (controlled by the arrow keys) with the zoom in and
zoom out keys to maneuver around the map until you find a location
you want to go to.
2. Center the cursor over the location to select it. See the example in
the following figure. (Many map items such as waypoints, Points of In-
terest, towns, etc. can be "selected," and appear "highlighted" with a
pop-up box. Other features, such as a river or a street intersection will
not appear "highlighted," but the cursor will take you to those locations
just the same.)

42
Navigate to cursor. In this example, the cursor has selected the town of
Oologah, Oklahoma.
3. Press MENU|ENT and the GlobalMap 7000C will begin navigating to
the cursor location.
The Map Page will display a red line from your current position to the cur-
sor position. The Navigation Page displays a compass rose showing naviga-
tion information to your destination. See the following examples.
The 30-mile zoom figure at left clearly shows the red course line connect-
ing your current position to your destination. The 30-mile zoom, center,
shows both current position and direction to destination on screen. The
Navigation Page, right, will also show navigation information.
To stop navigating to the cursor, use the Cancel Navigation command:
press MENU|MENU|↓ to CANCEL NAVIGATION|ENT|← to YES|ENT. The
GlobalMap 7000C stops showing navigation information.
Navigate to a Point of Interest
For POIs that are in view on the map, you can easily use the Navigate
to Cursor command above; just use the cursor to select the POI.
The other method involves searching for POIs with the Find Waypoint
command, launched with the WPT key. (See the searching example ear-
43
lier in this section, or turn to Sec. 6, Searching, for detailed instructions
on POI searches.)
After you have looked up an item with the Find Waypoint command,
use the → to make sure the GO TO command is highlighted at the top of
the screen, then press ENT. The GlobalMap 7000C begins showing navi-
gation information to the item.
To cancel navigation, press MENU|MENU|↓ to CANCEL NAVIGATION|ENT|←
to YES|ENT. The GlobalMap 7000C stops showing navigation informa-
tion.
Creating and Saving a Trail
A trail, or plot trail, is a string of position points plotted by the Global-
Map 7000C as you travel. It's a travel history, a record of the path you
have taken. Trails are useful for repeating a journey along the same
track. They are particularly handy when you are trying to retrace your
trip and go back the way you came. On the screen, trails are repre-
sented by a magenta line extending from the back of the current posi-
tion arrow.
The GlobalMap 7000C is set at the factory to automatically create and
record a trail while the unit is turned on. The unit will continue re-
cording the trail until the length reaches the maximum trail point set-
ting (default is 2,000, but the unit can record trails 9,999 points long).
When the point limit is reached, the GlobalMap 7000C begins recording
the trail over itself.
By default, the trail flashes once a second, making it easier to see
against the background map. With the default auto setting, the
GlobalMap 7000C creates a trail by placing a dot (trail point) on the
screen every time you change directions. (The methods used for creat-
ing a trail and the trail update rate can both be adjusted or even turned
off. See Sec. 5 for Trail Options.)
To preserve a trail from point A to point B, you must "turn off" the trail
by making it inactive before heading to point C or even back to point A.
When the current trail is set inactive, the GlobalMap 7000C automati-
cally creates and begins recording a new trail.
To Save a Trail
1. Press MENU|MENU|↓ to MY TRAILS|ENT.

44
Sequence for saving a trail and beginning a new one. At left, My Trails
command. Center, the Trails Menu. The arrow to the right of Trail 17
indicates the trail is "active," and the check to the left indicates the
trail is visible on the map display. The right figure shows the Edit
Trail menu, with the Active command selected.
2. Press ↓ to the Active Trail Name|ENT.
3. Press ↓ to ACTIVE|ENT. This unchecks the Active option.
4. To return to the previous page, press EXIT|EXIT|EXIT|EXIT. As you
left the Edit Trail menu, you will notice that a new trail was started
with a new sequential number. In the example figure below, the new
trail is number 15, showing zero points. Note that Trail 14 is inactive,
but it is still visible on the map.
New trail, named "Trail 15," is created when Trail 14 is made inactive.
Any new travel will be recorded in this trail, which is active and visi-
ble. Trails do not need to be visible in order to be active.
You can save and recall up to 10 different plot trails, which can also be
copied to your MMC for archiving or for transfer to your MapCreate
software.
Active
symbol
Visible
symbol
45
Tip:
Another quick way to stop recording one trail and begin a new one
is to use the New Trail command: Press MENU|MENU|↓ to MY
TRAILS|ENT|ENT.
Caution:
You also have the option of completely turning off trail record-
ing, under the trail Options command. However, if the Update
Active Trail option is left turned off, it will cancel the automatic
trail creation feature.
Displaying a Saved Trail
The active trail is automatically displayed on the map (the "Visible"
option) with the factory default settings. You can selectively turn trail
display off and on for any saved or active trail. In the Saved Trails List,
visible trails have a check mark in front of the trail name.
To turn off trail display:
1. Press MENU|MENU|↓ to MY TRAILS|ENT.
2. Press ↓|↓ to enter the Saved Trail list, then use ↑ or ↓ to select the
desired Trail Name|ENT.
3. Press ↓ to ACTIVE|→ to VISIBLE|ENT. To return to the previous page,
press EXIT|EXIT|EXIT|EXIT.
To turn on trail display:
1. Press MENU|MENU|↓ to MY TRAILS|ENT.
2. Press ↓|↓ to enter the Saved Trail list, then use ↑ or ↓ to select the
desired Trail Name|ENT.
3. Press ↓ to ACTIVE|→ to VISIBLE|ENT. To return to the previous page,
press EXIT|EXIT|EXIT|EXIT.
Navigating Trails
There are three methods for following a trail: visual trailing, navigating
a trail (forward) and backtracking a trail (backward). Try each method
to see which you prefer.
Visual trailing is the simplest method. It uses only the Map Page and
requires no menu commands at all. The technique works the same if
you are running a trail forward (from start to end) or backward (from
end to start.) However, visual trailing provides no navigation informa-
tion during the trip, such as the time to your destination.
46
The other two methods provide a full range of navigation data and work
with both the Map Page and Navigation Page. The only difference be-
tween them is "navigating a trail" follows a trail forward (from start to
end) while "backtracking" follows a trail in reverse (from end to start.)
When hiking at walking speed with a hand-held GPS, we often just use
visual back trailing because it is a bit better at following each little
turn on a foot path. At faster speeds, such as the highway or on the wa-
ter, the Navigate Trail and Backtrack Trail commands are handy.
Visual Trailing
1. On the Map Page, zoom (ZIN or ZOUT) so your flashing trail is visible.
2. Begin moving and watch the Map Page. Simply walk or steer so that
your current position arrow traces along the trail you have just made.
Tip:
Generally, when using this method, the smaller the zoom range, the
more accurately you will be able to steer along the trail.
Navigate a Trail (forward)
The following figures illustrate the menu sequence for navigating a
trail.
1. Press MENU|MENU|↓ to MY TRAILS|ENT.
2. Press ↓|↓ to enter the Saved Trail list, then use ↑ or ↓ to select the
desired Trail Name|ENT.
3. Press → to DELETE TRAIL|↓ to NAVIGATE|ENT.
4. Press ↓ to NAVIGATE|ENT. The unit begins showing navigation infor-
mation along the trail.
NOTE:
If you are already located at or near the beginning of your trail, the
arrival alarm will go off as soon as you hit Enter. Just press EXIT to
clear the alarm and proceed.
5. Now, begin moving and follow your GlobalMap 7000C.
6. When you reach your destination, be sure to cancel your navigation:
press MENU|MENU|↓ to CANCEL NAVIGATION|ENT. The GlobalMap 7000C
asks if you're sure; press ←|ENT.

47
Navigate a trail menu sequence: Fig. 1, My Trails command. Fig. 2,
Trails Menu. Fig. 3, Edit Trail Menu. Fig. 4, Edit Route Menu with
Navigate command highlighted for Trail 6. A trail is always converted
to a "route" when you navigate the trail.
On the Map Page, the trail you are navigating is represented by a ma-
genta line. The Navigation Page will also show the navigated trail as a
magenta line. The bearing arrow on the compass rose points to the next
waypoint on the trail.
As you travel, the arrival alarm will go off when you near a trail way-
point, and the bearing arrow on the compass rose will swing around
and point to the next trail waypoint. Press EXIT to clear the alarm.
Figure 3. Figure 4.
Figure 1. Figure 2.

48
Navigate trail, map views: at left driver is northbound heading
straight toward trail point 6. At right, northbound driver has reached
point 6 and has turned west to follow trail.
Navigate trail, navigation page (compass rose) views: at left, driver is
northbound heading straight toward trail point 6; bearing arrow
shows the trail point is due north (straight ahead.) At right, driver has
reached trail point 6 and must turn west to follow the trail. Arrival
alarm goes off and bearing arrow swings around to say turn left (west),
toward the next waypoint, trail point 7. The GlobalMap 7000C now
shows navigation information to point 7, which is 1.99 miles away.
Navigate a Back Trail (backtrack, or reverse)
1. Press MENU|MENU|↓ to MY TRAILS|ENT.
2. Press ↓|↓ to enter the Saved Trail list, then use ↑ or ↓ to select the
desired Trail Name|ENT.
3. Press → to DELETE TRAIL|↓ to NAVIGATE|ENT.
4. Press ↓ to NAVIGATE|→ to REVERSE|ENT|← to NAVIGATE|ENT. The unit
begins showing navigation information along the trail, in reverse.
North
Trail
waypoint
symbol
Track or compass heading indicator
Arrival
alarm
Course
line made
from trail Cross track
error range
(off course
indicator)
New trail
Magenta
trail line
Trail point
Present
position
arrow
49
NOTE:
If you are already located at or near the end of your trail, the arri-
val alarm will go off as soon as you hit Enter. Just press EXIT to
clear the alarm and proceed.
5. Now, begin moving and follow your GlobalMap 7000C.
6. When you reach your destination, be sure to cancel your navigation:
press MENU|MENU|↓ to CANCEL NAVIGATION|ENT. The GlobalMap 7000C
asks if you're sure; press ←|ENT.
Transfer Custom Maps and GPS Data Files
Custom Maps:
Custom maps work only from the MMC card or SDC card. When a card
containing a Custom Map File is loaded into the unit, it automatically
loads the map into memory when the unit is turned on.
Instructions for copying Custom Map Files to an MMC are contained in
the instruction manual for your MMC card reader and MapCreate 6
software. For instructions on inserting an MMC into the GlobalMap
7000C, see Sec. 2, Installation/Accessories.
NOTE:
To load a Navionics chart, see Sec. 5 for the entry Navionics Charts.
GPS Data files:
GPS Data Files contain waypoints, routes, trails and event marker
icons. Instructions for copying GPS Data Files between your computer
and an MMC are contained in the instruction manual for your MMC
card reader and MapCreate 6 software.
GPS data automatically recorded in the unit's internal memory must be
saved to the MMC (as a GPS Data File) in order to store it on your per-
sonal computer. GPS Data Files stored on an MMC must be copied from
the card to the GlobalMap 7000C's internal memory before the unit can
read them. Here's how:
1. Insert the MMC into your unit. Press MENU|MENU|↓ to SYSTEM
SETUP|ENT|↓ to TRANSFER MY DATA|ENT and the screen below appears.

50
The Transfer My Data submenu asks if you want to save data to the
MMC or load data from the MMC into the GlobalMap 7000C's memory.
2. The Transfer My Data menu includes a message which tells you if an
MMC is present or not. If no MMC is present, you must first insert a
card into the GlobalMap 7000C in order to activate the Load or Save
commands.
To transfer data from the GlobalMap 7000C to the MMC: press
ENT (for SAVE.)
To transfer data from the MMC to the GlobalMap 7000C: press
→ to LOAD|ENT.
3. Saving to MMC: To accept the default name "Data" for the GPS
Data File, press ↓ to SAVE DATA|ENT. If you wish to rename the file (as
shown in the following figures), press ENT to activate the selection box.
Press ↑ or ↓ to change the first character, then press → to the next
character and repeat until the name is correct. Then, press ENT|↓ to
SAVE DATA|ENT.
The unit will display first a progress then a completion message when
the data transfer is finished. To return to the Page view, repeatedly
press EXIT.

51
From left to right, these figures show the menu sequence for naming and
saving a GPS Data File from the GlobalMap 7000C's memory to an MMC.
4. Loading to unit memory: There may be more than one GPS Data
File (*.USR) on the card. To select a file, press ENT to activate the selec-
tion box, use ↓ or ↑ to highlight the file, then press ENT to accept the
selection. Next, press ↓ to LOAD|ENT. The unit will display a completion
message when the data transfer is finished. To return to the Page view,
press EXIT|EXIT|EXIT|EXIT.
These figures show the menu sequence for loading a GPS Data File
from an MMC into the GlobalMap 7000C's memory.
Figure 3.
Figure 2.
Figure 1.
Figure 4.
52
Cancel Navigation
You can turn off any of the navigation commands after you reach your
destination or at any other time by using the Cancel Navigation com-
mand. Press MENU|MENU|↓ to CANCEL NAVIGATION|ENT|← to YES|ENT.

53
Section 4:
Advanced GPS Operations
Find Distance From Current
Position To Another Location
1. While on the Map Page press: MENU|↓ to FIND DISTANCE|ENT.
2. Center your cursor over the position you want to find the distance to.
A rubber band line appears, connecting your current position to the
cursor's location. The distance along that line will appear in a pop-up
box. The box also shows the bearing to the point you're measuring to.
3. Press EXIT to return to regular operation.
At left, the distance from the boat's current position to the boat ramp is
0.58 miles. At right, the distance from Dallas to Little Rock is 292.2 miles.
Find Distance From Point to Point
You can also measure distance between two other points on the map.
1. While on the Map Page press: MENU|↓ to FIND DISTANCE|ENT.
2. Center your cursor over the first position. (A rubber band line ap-
pears, connecting your current position to the cursor's location.) Press
ENT to set the first point, and the rubber band line disappears.
3. Move the cursor to the second position. The rubber band line reap-
pears, connecting the first point you set to the cursor. The distance
along that line will appear in a pop-up box.
4. Press EXIT to clear the command and return to the page screen.
Icons
Icons are graphic symbols used to mark some location, personal point of
interest or event. They can be placed on the map screen, saved and re-

54
called later for navigation purposes. These are sometimes referred to as
event marker icons. The GlobalMap 7000C has 42 different symbols you
can pick from when creating an icon.
Icons are similar to waypoints, but they do not store as much informa-
tion (like names) as waypoints do. You can't use a menu to navigate to
icons as you can with waypoints. (But, you can use the map cursor and
navigate to any icon on the map.)
You can create an icon at the cursor position on the map, or at your
current position while you are navigating.
Create Icon on Map
1. Use the arrow keys to move the cursor to the place where you want
to make an icon.
2. Press ENT and the screen shows a "Select Icon Symbol" menu.
3. Press ← or ↑ or → or ↓ to select your icon symbol, then press ENT.
The icon appears on the map.
Cursor selects icon location, left; Select Icon Symbol menu, center;
Boat Ramp icon on map, right. (Cursor has been moved for clarity.)
Create Icon at Current Position
1. While you are traveling, press ENT and the screen shows a "Select
Icon Symbol" menu.
2. Press ← or ↑ or → or ↓ to select your icon symbol, then press ENT.
The icon appears on the map.
Delete an Icon
You can delete all the icons at one time, you can delete all icons repre-
sented by a particular symbol, or you can use the cursor to delete a se-
lected icon from the map.
1. Press MENU|↓ to DELETE MY ICONS|ENT.
2. Press ↓ to DELETE ALL ICONS, DELETE BY SYMBOL, or DELETE FROM MAP and
press ENT.

55
Delete icons menu.
The Delete All Icons command will ask if you are sure. Press ← to
YES|ENT. All icons will be deleted from the map.
The Delete by Symbol command will launch the Select Symbol menu.
Press ← or ↑ or → or ↓ to select the icon symbol to delete, then press
ENT. A message appears saying all icons with the selected symbol have
been deleted.
The Delete From Map command will prompt you to move the cursor
over an icon to select it. After selecting the icon, press ENT and it disap-
pears from the map.
Navigate to an Icon
Use the Navigate to Cursor command, and use the cursor to select the
desired icon on the map.
1. Use arrow keys to center cursor cross-hair over the icon.
2. To navigate to the selected icon location: press MENU|ENT|EXIT.
Follow course line on the Map Page or the compass bearing arrow on the
Navigation Page.
Routes
A route is a series of waypoints, linked together in an ordered sequence,
that's used to mark a course of travel. You can visualize a route as a
string of beads: The beads represent waypoints and the string repre-
sents the course of travel connecting waypoint to waypoint.
The course from one waypoint to the next is a leg; routes are composed
of one or more legs. The legs of all GPS routes are based on straight
lines between waypoints.
A route provides the automatic capability to navigate through several
waypoints without having to reprogram the unit after arriving at each

56
waypoint. Once programmed into the GPS unit, a route provides the
option of navigating forward through the route waypoints or in reverse
order (you can even begin navigating in the middle of a route!)
Create and Save a Route
You have the option of creating and editing a route in the unit, or you
can make a route on your computer with our MapCreate 6 software.
PC-created Routes
MapCreate is the easiest method for preparing a route, simply because
your PC's larger screen, keyboard and mouse are easier to manipulate
than the gimbal-mounted GlobalMap 7000C.
To load a MapCreate route into the GlobalMap 7000C, follow instruc-
tions in MapCreate's manual for creating a route and saving it as part
of a GPS Data File (file format *.usr). Copy the GPS Data File to an
MMC and insert the MMC in the GlobalMap 7000C. (See Sec. 2 for in-
structions on installing MMCs. To load the GPS Data File into the
GlobalMap 7000C memory, see the entry on Transfer Custom Maps &
GPS Data Files in Sec. 3, Basic GPS Operations.)
Routes Created in the GlobalMap 7000C
You can create a route by selecting existing waypoints from the way-
point list or you can set a series of route waypoints on the map with
cursor arrows and the Enter key. In this example, we'll create a route
from the map.
1. From the NAVIGATION PAGE, press MENU|ENT or from the MAP PAGE,
press MENU|MENU|↓ to ROUTE PLANNING|ENT.
Route Planning command on Main Menu, left,
will open the Route List screen, right.
2. Press ↓ |↓ |↑ or↓ to route name|ENT|↓ to (ROUTE END)|ENT|↓ to ADD
FROM MAP|ENT. The Map Page appears with the cursor showing.

57
Edit Route menu, left. Edit Route Waypoints menu, right,
with Add From Map command selected.
3. Use the Zoom keys and arrow keys to move the map and cursor until
the cursor is centered on the spot where you want your route to begin.
(If you are starting at your current position or the current cursor posi-
tion, you are already at the starting spot.)
4. Set the first route waypoint: press ENT. In this example, we moved to
the intersection of 11th Street and 145th E. Ave. to start our route to a
public hunting area next to a river. (Creating this example route is il-
lustrated in the following figures.)
Route creation sequence, from left: Fig. 1. Set route waypoint (1) at
11th St. & 145th Ave. Fig. 2. Move cursor north to set point (2) at 145th
& Admiral. Fig. 3. With point (2) set, move cursor east to mark inter-
state on-ramp with waypoint (3). In figures 2 and 3, notice the rubber
band line extending from the previously set waypoint to the cursor.
This line will become the course for the route.
Route creation sequence, continued: Fig. 4. Point (3) set at on-ramp
turn. Fig. 5. Waypoint (4) set at highway exit to frontage road leading
to river. Waypoint (5) ends the route at a tree stand in the hunting
area. Fig. 6. Press EXIT to save the route and you return to this screen.
5. 6.
4.
2. 3.
1.
58
5. Move the cursor to the next point in the route, a spot where you need
to turn or change direction, and press ENT to set the next waypoint.
6. Repeat step five until the route reaches your destination.
7. To save your route, press EXIT. The GlobalMap 7000C reverts to the
Edit Route screen, with the route automatically named "Route 1" and
stored in the GlobalMap 7000C's internal memory. (In our example,
Route 1 already existed, so the unit automatically made "Route 2.")
You can edit the route and run other commands, but if you are finished
with the route for now, return to the last page displayed by
pressing EXIT|EXIT|EXIT|EXIT|EXIT.
Delete a Route
1. From the NAVIGATION PAGE, press MENU|ENT or from the MAP PAGE
press MENU|MENU|↓ to ROUTE PLANNING|ENT.
2. Press ↓ to route name|ENT.
3. Press ↓ to NAVIGATE|ENT|→ to DELETE|ENT|← to YES|ENT.
Tip:
You can also delete all routes at once:
1. From the NAVIGATION PAGE, press MENU|ENT or from the MAP PAGE
press MENU|MENU|↓ to ROUTE PLANNING|ENT.
2. Press → to DELETE ALL|ENT|← to YES|ENT.
Edit a Route
You can edit the route name if you wish.
1. From the NAVIGATION PAGE, press MENU|ENT or from the MAP PAGE
press MENU|MENU|↓ to ROUTE PLANNING|ENT.
2. Press ↓ to route name|ENT|ENT.
3. Press ↑ or ↓ to change the first character, then press → to move the
cursor to the next character and repeat until the name is correct, then
press ENT. Return to the previous page by pressing
EXIT|EXIT|EXIT|EXIT.
You can edit the route by adding and removing waypoints.
1. From the NAVIGATION PAGE, press MENU|ENT or from the MAP PAGE
press MENU|MENU|↓ to ROUTE PLANNING|ENT.
2. Press ↓ to route name|ENT|↓ to ROUTE WAYPOINTS LIST. Use ↓ and ↑ to
select a waypoint, then press ENT.

59
Edit Route Waypoints menu.
3. Use ↓ and ↑ to select a command from the Edit Route Waypoints
menu and press ENT. Add From Map lets you insert a waypoint in the
route by clicking on a map location with the cursor. Add Waypoint calls
up the Waypoint List so you can insert a waypoint from the list. Re-
move Waypoint will delete the waypoint from the route. View Waypoint
will show you where the selected waypoint is on the map.
Navigate a Route
1. From the NAVIGATION PAGE, press MENU|ENT or from the MAP PAGE,
press MENU|MENU|↓ to ROUTE PLANNING|ENT.
Route Planning command on Main Menu, left; Routes menu, center;
Edit Route menu, right. Navigate command is selected.
2. Press ↓ to select route name|ENT|↓ to NAVIGATE|ENT|ENT.
3. Upon arrival at your destination, cancel navigation:
press MENU|MENU|↓ to CANCEL NAVIGATION|ENT|← to YES|ENT.
The following figures show what the Navigation Page and Map Page
look like while navigating a route.

60
Navigate a Route in Reverse
Here's how you run a route backward, from the end waypoint to the
beginning waypoint:
1. From the NAVIGATION PAGE, press MENU|ENT or from the MAP PAGE,
press MENU|MENU|↓ to ROUTE PLANNING|ENT.
2. Press ↓ to select route name|ENT|↓ to NAVIGATE|→ to RE-
VERSE|ENT|← to NAVIGATE|ENT.
3. Upon arrival at your destination, cancel navigation:
press MENU|MENU|↓ to CANCEL NAVIGATION|ENT|← to YES|ENT.
Navigating along a route: Fig. 1 shows the Navigation Page at the start
of a route, heading straight for the first waypoint (Wpt 1). In Fig. 2, the
traveler has arrived at Wpt 1; the arrival alarm has been triggered and
the bearing arrow on the compass rose has turned to point toward Wpt
2, off to the east. In Fig. 3 the traveler has turned east on his new
course and is heading straight for Wpt 2, which is 2.15 miles away. Fig.
4 shows route navigation on the Map Page. In this figure, the traveler
has reached Wpt 2 and is half-way along the leg between Wpts 2 and 3.
Figure 4.
Figure 3.
Figure 2.
Figure 1.

61
Trails
Delete a Trail
This is the command used to erase or delete a trail:
Press MENU|MENU|↓ to MY TRAILS|ENT|↓ to trail name|ENT|→ to
DELETE TRAIL|ENT|← to YES|ENT.
Tip:
You can also delete all trails at once:
1. Press MENU|MENU|↓ to MY TRAILS|ENT.
2. Press → to DELETE ALL|ENT|← to YES|ENT.
Edit a Trail Name
To edit a trail name: press MENU|MENU|↓ to MY TRAILS|ENT|↓ to trail
name|ENT|ENT. Press ↑ or↓ to change the first character, then press
→ to the next character and repeat until the name is correct. Press ENT
then EXIT|EXIT|EXIT|EXIT to return to the previous page display.
Tip:
You can quickly call up the Edit Trail menu by selecting a trail on
the map with the cursor. Simply move the cursor over a trail and a
pop-up box appears. Press WPT and the Edit Trail menu opens.
At left, trail selected with map cursor. The pop-up box shows distance
and bearing from current position to the selected point on the trail. At
right, the Edit Trail menu.
Edit a Trail Color
To edit a trail color: press MENU|MENU|↓ to MY TRAILS|ENT|↓ to trail
name|ENT|↓ to COLOR|ENT. Press ↑ or ↓ to select a color style, then
press ENT. Press EXIT|EXIT|EXIT|EXIT to return to the previous page
display.
Edit a Trail Pattern
To edit a trail pattern: press MENU|MENU|↓ to MY TRAILS|ENT|↓ to trail
name|ENT|↓ to PATTERN|ENT. Press ↑ or ↓ to change the first character,

62
then press → to the next character and repeat until the pattern is cor-
rect. Press ENT, then EXIT|EXIT|EXIT|EXIT to return to the previous
page display.
At left, Edit Trail Menu with Pattern option selected. At right, edited
trail with dotted line pattern.
Utilities
Utilities are useful tools for traveling or for outdoor activities.
Alarm Clock
To get to the alarm clock menu: press MENU|MENU|↓ to TIMERS|ENT|↓
to ALARM CLOCK|ENT.
Sun/Moon Rise & Set Calculator
To get to the Sun/Moon menu: press MENU|MENU|↓ to SUN/MOON
CALCULATIONS|ENT.
Trip Calculator
To get to the Calculator menu: press MENU|MENU|↓ to TRIP CALCU-
LATOR|ENT.
Trip Down Timer
To get to the Down Timer menu: press MENU|MENU|↓ to TIMERS|ENT|↓
to DOWN TIMER|ENT.
Trip Up Timer
To get to the Up Timer menu: press MENU|MENU|↓ to TIMERS|ENT|ENT.
Waypoints
Delete a Waypoint
To delete a waypoint from the waypoint list: press
WPT|ENT|ENT|ENT|↓ to waypoint name|ENT|↓ to DELETE WAY-
POINT|ENT|← to YES|ENT. To return to the previous page, press
EXIT|EXIT.
63
To delete a waypoint from the map:
1. Use the arrow keys to select the waypoint with the cursor.
2. Press WPT|→ to DELETE WAYPOINT|ENT|← to YES|ENT. To return to
the previous page and clear the cursor, press EXIT.
To delete all waypoints at one time: press MENU|MENU|↓ to SYSTEM
SETUP|ENT|↓ to DELETE ALL MY WAYPOINTS|ENT|← to YES|ENT. To return
to the previous page, press EXIT|EXIT.
Edit a Waypoint
Waypoint Name
To edit waypoint name: 1. Press WPT|ENT|ENT|ENT|↓ to waypoint
name|ENT|↓ to EDIT WAYPOINT|ENT|ENT.
2. Press ↑ or ↓ to change the first character, then press → to the next
character and repeat until the name is correct. Press ENT then
EXIT|EXIT|EXIT|EXIT to return to the previous page display.
Waypoint Symbol
To edit waypoint symbol: 1. Press WPT|ENT|ENT|ENT|↓ to waypoint
name|ENT|↓ to EDIT WAYPOINT|ENT|↓ to CHOOSE SYMBOL|ENT.
2. Use arrow keys to select desired symbol and press ENT. To return to
the previous page, press EXIT|EXIT|EXIT|EXIT.
Waypoint Position
To edit waypoint position: 1. Press WPT|ENT|ENT|ENT|↓ to waypoint
name|ENT|↓ to EDIT WAYPOINT|ENT.
2. Latitude: press → to LATITUDE|ENT. Press ↑ or ↓ to change the first
character, then press → to the next character and repeat until the lati-
tude is correct. Press EXIT.
3. Longitude: press ↓ to LONGITUDE|ENT. Press ↑ or ↓ to change the first
character, then press → to the next character and repeat until the lon-
gitude is correct. Press EXIT.
4. When latitude and longitude are correct, return to the previous page:
press EXIT|EXIT|EXIT|EXIT.
Selecting a Waypoint
To select a waypoint on the map (for navigating to, for editing, etc.,) use
the arrow keys and center the cursor over the waypoint. A highlighted
halo will appear around the waypoint.
Set a Waypoint by Average Position
This feature sets a waypoint at the current position after taking several
position readings and averaging them. This boosts waypoint position
64
accuracy by helping to eliminate errors caused by atmospheric condi-
tions and other factors.
1. Press WPT|→ to SUBCATEGORY column|↓ to NEW|ENT.
2. Press ↓ or ↑ to AVERAGE POSITION|ENT|press → to CREATE|ENT.
3. Wait while the unit takes points to average for the position. (The greater
the number of points, the greater the accuracy.) When the desired number
of points accumulates, press ENT to create and save the waypoint.
4. The Edit Waypoint menu appears. You can simply save the waypoint
by pressing EXIT|EXIT or you can edit the waypoint.
Set a Waypoint by Projecting a Position
This feature sets a waypoint at a point located a specific distance and
bearing from a reference position. The reference position can be se-
lected from your waypoint list, a map feature or from the Points of In-
terest list.
1. Press WPT|→ to SUBCATEGORY column|↓ to NEW|ENT.
2. Press ↓ to PROJECTED POSITION|ENT|→ to CREATE|ENT.
3. Press → to CHOOSE REFERENCE|ENT. Use ↑ and ↓ to select a waypoint,
map feature or Point of Interest. When the point has been selected,
press ENT and the point's position appears as the reference position.
4. Press ↓ to DISTANCE|ENT. Press ↑ or ↓ to change the first character,
then press → to the next character and repeat until the distance is cor-
rect. Press ENT.
5. Press ↓ to BEARING|ENT. Press ↑ or ↓ to change the first character,
then press → to the next character and repeat until the bearing is cor-
rect. Press ENT.
6. Press ↑ to PROJECTION|ENT. The Edit Waypoint menu appears. You
can simply save the new projected waypoint by pressing EXIT|EXIT or
you can edit the waypoint. (Press EXIT|ENT if you want to immediately
begin navigating to the new waypoint.)

65
Section 5:
System & GPS Setup Options
Alarms
This unit has several GPS alarms. The factory default setting has all
the alarms turned on. You can turn the alarms off and on and change
their distance settings.
You can set an arrival alarm to flash a warning message and sound a
tone when you cross a preset distance from a waypoint. For example, if
you have the arrival alarm set to 0.1 mile, then the alarm will flash a
message when you come within 0.1 mile of the recalled waypoint.
The off course alarm warns you when your track drifts too far to the
right or left of the course line to the waypoint. For example, if the
alarm is set to 0.1 mile, then the alarm flashes a message if you drift
0.1 of a mile or more to the right or left of the line to the waypoint.
The anchor alarm is triggered when you drift outside of a preset radius.
Again, using the 0.1 mile as an example, if you're anchored and your
boat moves more than 0.1 mile, the alarm will flash a message and
sound a tone.
Alarms command, left; Alarm menu, right.
To change alarm settings:
1. Press MENU|MENU|↓ to ALARMS|ENT.
2. Scroll ↓ or ↑ to select the desired category, then press ENT to check or
clear the Enabled box. This turns the alarm on (checked) or off (un-
checked.)
3. To change distance settings, scroll ↓ or ↑ to select the desired cate-
gory, then press → |ENT to activate the distance dialog box. Press ↑ or
↓ to change the first character, then press → to the next character and
repeat until the name is correct.
66
4. When your adjustments are finished, return to the last page dis-
played by repeatedly pressing EXIT.
IMPORTANT ALARM NOTES:
Anchor Alarm - The anchor alarm may be triggered even when
you're sitting still. This typically happens when using small (less
than 0.05 mile) anchor alarm ranges.
Arrival Alarm - If you set the arrival alarm's distance to a small
number and you run a route (see the Navigate Routes segment),
this unit may not show navigation data to the next waypoint, once
you arrive at the first one, since you may not be able to come close
enough to the first waypoint to trip the arrival alarm.
Auto Satellite Search
To lock onto the satellites, the GPS receiver needs to know its current
position, UTC time and date. (Elevation (altitude) is also used in the
equation, but it's rarely required to determine a position.) It needs this
data so that it can calculate which satellites should be in view. It then
searches for only those satellites.
When your GPS receiver is turned on for the first time, it doesn't know
what your position or elevation (altitude) is. It does know the current
UTC time and date since these were programmed into it at the factory
and an internal clock keeps the time while the unit is turned off. (If the
time and/or date are incorrect, you can set it using the "Set Local Time"
menu.)
The unit begins searching for the satellites using the above data that it
acquired the last time it was turned on. This probably was at the fac-
tory. Since it's almost certain that you're not at our factory, it's proba-
bly looking for the wrong satellites.
If it doesn't find the satellites it's looking for after approximately one
minute, it switches to Auto Search. The receiver looks for any satellite
in the sky. Due to advanced technology, the auto search time has
shrunk significantly from the early days of GPS.
Once the unit locks onto the satellites, it should take less than a minute to
find your position the next time it's turned on, provided you haven't moved
more than approximately 100 miles from the last location it was used.

67
GPS Auto Search on the Satellite Status Menu.
You can force the unit to immediately kick into auto search mode.
Here's how:
1. Press PAGES until you are on the Satellite Status screen.
2. Press MENU|↓ to GPS AUTO SEARCH|ENT|← to YES|ENT.
Check MMC Files and Storage Space
To check MMC Files:
Press MENU|MENU|↓ to BROWSE MMC FILES|ENT.
Main Menu, left, MMC File Browser, right.
Communications Port Configuration
The GlobalMap 7000C has two NMEA 0183 version 2.0 compatible
communication ports, or com ports for short. The Com Port Menu,
which is accessed from the System Setup Menu, allows you to configure
the communications ports to send or receive data to another electronic
device, such as an autopilot. Com port 1 can be used for either NMEA
or DGPS Binary data transfer. Com port 2 is for NMEA output only.

68
Menus for changing Com Port settings.
For assistance in configuring the unit to communicate with another
device, consult the factory; customer service phone numbers are in the
back of this manual. Also see the entries below for Configure DGPS and
Configure NMEA. To set Com Port Configuration:
1. Press MENU|MENU|↓ to SYSTEM SETUP|ENT.
2. Press ↓ to COMMUNICATIONS PORT|ENT.
Configure DGPS
This unit will recognize Starlink, Magnavox and Lowrance DGPS
receivers.
1. Press MENU|MENU|↓ to SYSTEM SETUP|ENT.
2. Press ↓ to COMMUNICATIONS PORT|ENT.
A. If you have a Magnavox receiver, press ↓ to MAGNAVOX|ENT.
B. If you have a Lowrance or Starlink receiver, press ↓ to STARLINK|ENT.
C. If you have a Magnavox or Starlink, press EXIT|EXIT|EXIT. This is
the only setup necessary. If you have a Lowrance receiver or another
Magnavox- or Starlink- compatible brand, continue with these steps:
3. Press ↓ to CONFIGURE NMEA|→ to CONFIGURE DGPS|ENT.
4. Press ENT, then use ↑ ↓ → ← to enter the station frequency, then
press ENT.
5. Press → to BIT RATE|ENT then use ↑ ↓ to select the station bit rate,
then press ENT.
6. A. If you are not using a Starlink DGPS receiver, press
EXIT|EXIT|EXIT|EXIT to return to the previous page.
B. If you are using a Starlink DGPS receiver, press ↓ to STARLINK AUTO
TUNING MODE|press ENT|press EXIT|EXIT|EXIT|EXIT to return to the pre-
vious page.
Configure NMEA
You can configure the unit to use specific NMEA sentences.

69
1. Press MENU|MENU|↓ to SYSTEM SETUP|ENT.
2. Press ↓ to COMMUNICATIONS PORT|ENT|↓ to CONFIGURE NMEA|ENT.
3. A menu appears showing the prefixes of the available NMEA sen-
tences. A check mark next to a prefix means the prefix is in use. Use ↑
↓ → ← to select a prefix, then press ENT to turn off the prefix. (Press
ENT again to check the box and turn a prefix on.)
4. When the desired prefixes are checked or unchecked, press
EXIT|EXIT|EXIT|EXIT to return to the previous page.
Coordinate System Selection
The Coordinate System Menu lets you select the coordinate system to
use when displaying and entering position coordinates.
Menus for changing coordinate system used to display positions.
To get to Coordinate System Selection:
1. Press MENU|MENU|↓ to GPS SETUP|ENT.
2. Press ↓ to COORDINATE SYSTEM|ENT.
This unit can show a position in degrees (36.14952°); degrees, minutes
and thousandths of a minute (36° 28.700'); or degrees, minutes, seconds
and tenths of a second (36° 28' 40.9"). It can also show position in: UTM
(Universal Transverse Mercator) projection; MGRS (Standard); MGRS
(Standard + 10); Map Fix; Loran TD; British, Irish, Finnish, German,
New Zealand, Swedish, Swiss, Taiwan, Greek and Military grids.
UTM's are marked on USGS topographic charts. This system divides
the Earth into 60 zones, each 6 degrees wide in longitude.
British, Irish, Finnish, German, New Zealand, Swedish, Swiss, Taiwan,
and Greek grid systems are each the national coordinate system used
only in their respective countries. In order to use these grid systems,
you must be in the respective country. This unit will pick the matching

70
datum for you when you select the grid. See the entry on Map Datum
Selection for more information.
The military grid reference system (MGRS) uses two grid lettering
schemes, which are referred to as standard and standard + 10 MGRS
on this unit. Your position and datum in use determines which one to
use. If you use standard, and your position is off significantly, then try
the alternate.
NOTE: When the position format is changed, it affects the way all posi-
tions are shown on all screens. This includes waypoints.
To change the coordinate system, press ENT while COORDINATE SYSTEM is
highlighted. Press the ↑ or ↓ arrow keys to highlight the desired for-
mat. Press ENT to select it. Press EXIT to erase the menus.
To setup Loran TD:
NOTE:
If the Loran TD conversion is chosen, you must enter the local Lo-
ran chain identification for the master and slaves. Do this by se-
lecting "Setup Loran TD" at the bottom of the "Coordinate System"
menu and select the ID. Press EXIT to erase this menu.
Configure Loran TD menu.
Map Fix
Map Fix is used with charts or maps. This system asks for a reference
position in latitude/longitude, which you take from a marked location
on the map. It then shows the present position as distance on the map
from that reference point.

71
For example, if it shows a distance of UP 4.00" and LEFT 0.50", you
then measure up four inches and to the left a half-inch from the refer-
ence point on the map to find your location.
To configure a map fix:
To use this format, you need to follow these steps in order. First, take
your map of the area and determine a reference latitude/longitude.
(Please note that in order for this system to work, the lati-
tude/longitude lines must be parallel with the edge of the map. USGS
maps are parallel, others may not be. Also, this works better with
smaller scale maps.) The reference position can be anywhere on the
map, but the closer it is to your location, the smaller the numbers will
be that you'll have to deal with.
Once you've decided on a reference position, you can save it as a way-
point. See the waypoint section for information on saving a waypoint.
Save the reference position as a waypoint. Exit from the waypoint
screens.
1. Press MENU|MENU|↓ to GPS SETUP|ENT.
2. Press ↓ to COORDINATE SYSTEM|ENT.
3. Press ↓ to SETUP MAP FIX|ENT.
The following screen appears, and MAP SCALE is highlighted. Press ENT
and enter the map's scale. This is generally at the bottom of the paper
map. It's shown as a ratio, for example 1:24000. Press EXIT and the unit
returns to the Configure Map Fix screen.
Configure a map fix so the GlobalMap 7000C can find your position on
a printed chart or topographical map.
72
Press ↓ to SELECT ORIGIN WAYPOINT|ENT|ENT|ENT to bring up the way-
point list. Select the waypoint that you saved the reference point under
and press ENT. The unit displays a waypoint information screen with
the command SET AS ORIGIN selected; press ENT and the unit returns to
the Configure Map Fix menu. Finally, press EXIT to erase this menu.
Now press ↑ to COORD SYSTEM|ENT, select MAP FIX from the list and press
ENT|EXIT. All position information now shows as a distance from the
reference point you chose.
Customize Page Displays
The Status, Navigation, and Map pages all have customizable options.
These options decide which information is viewable on each page.
Customize Satellite Status Page
While on the Satellite Status Page, press MENU|↓ to CUSTOMIZE|ENT.
Press ↓ or ↑ to select a display option window. With the display window
highlighted and flashing, press ENT to open a list of options. Scroll ↑
and ↓ to select a different display option, then press ENT. After all op-
tions are set, press EXIT to return to the page display.
Customize Navigation Page
While on the Navigation Page, press MENU|↓ to CUSTOMIZE|ENT. Press ↓
or ↑ to select a display option window. With the display window high-
lighted and flashing, press ENT to open a list of options. Scroll ↑ and ↓
to select a different display option, then press ENT. After all options are
set, press EXIT to return to the page display.
Customize Map Page
While on the Map Page, press PAGES|↓ or ↑ to select Option
Name|ENT.
DGPS Status
The DGPS Status screen shows whether DGPS is off or on, and it de-
scribes the quality of the DGPS signal. This screen is useful if you have
to diagnose a DGPS problem.
1. Press MENU|MENU|↓ to GPS SETUP|ENT|↓ to DGPS STATUS|ENT.
2. The DGPS Status screen is displayed. To return to the previous page,
press EXIT|EXIT|EXIT.
GPS Simulator
The GPS simulator lets you use the unit as if you were outdoors navi-
gating somewhere. It's a great way to practice using your unit. You can
set the starting location by entering latitude/longitude (Starting Posi-

73
tion) or from a stored waypoint, map place or POI location (CHOOSE START
command). You can steer your position and change speed on the map by
using the arrow keys (STEER WITH ARROWS command) or by setting the track
and speed in the dialog boxes provided on the simulator menu screen.
To get to the GPS Simulator:
1. Press MENU|MENU|↓ to GPS SETUP|ENT.
2. Press ↓ to GPS SIMULATOR|ENT. The GPS Simulator Menu appears.
GPS Setup Menu, left; GPS Simulator menu, right.
Make the desired settings, then turn the simulator on by highlighting
the GPS SIMULATOR ON box and pressing ENT key. Press EXIT|EXIT|EXIT
to erase this menu. A message and tone appear periodically, warning
you that the simulator is on. To turn the simulator off, repeat the above
steps or turn the unit off.
While in simulator mode, you can press EXIT to clear the steering and
speed boxes from the screen while continuing the simulation. This will
allow you to use the map cursor during a simulation. To turn steering
and speed boxes back on again, return to the GPS Simulator menu, se-
lect the STEER WITH ARROWS command, press ENT, then Press
EXIT|EXIT|EXIT to return to the previous page.
Simulating Trail or Route Navigation
In Simulator mode, your unit can automatically follow a trail or route
without manual steering if you use these steps:
1. From the Map Page, go to the simulator menu. Pick a STARTING PO-
SITION at or near the beginning of your trail/route. Enter an approximate
TRACK (shown in compass degrees) that will point you toward the start
of the trail/route.
2. Set SPEED to zero. Select STEER WITH ARROWS command and press ENT,
which turns on the simulator and returns you to the Map Page.
74
3. Begin navigating along the trail/route. (If you are close enough to the
first waypoint, the arrival alarm will usually go off as soon as naviga-
tion begins. Press EXIT to clear the alarm.) When navigation starts,
press ↑ to increase speed to the desired setting.
4. Press EXIT to turn off the steering and speed boxes. The unit will now
automatically "steer" along the trail or route. When you arrive at your
"destination," cancel navigation as you normally do.
Tip:
You can pick any spot on the map to begin your simulation session
by using the Initialize GPS command. This makes your unit think
it's located at the position you select. See the following entry.
Initialize GPS
This command is handy when you are practicing in simulator mode.
(See the entry in this section for GPS Simulator.) In simulator mode,
this command makes the unit operate as if it is sitting someplace other
than its actual location. So, you and your unit could be located in Kan-
sas City, but easily practice navigating in the ocean off Islamorada,
Florida.
1. Press MENU|MENU|↓ to GPS SETUP|ENT|ENT.
2. A message appears, telling you to move the cursor near the desired
location and press ENT. When the message automatically clears, follow
the message instructions.
3. In a moment, your present position marker arrow appears on the
map in the location you selected with the cursor. The unit will consider
that spot as it's last known position until changed by either a live sat-
ellite lock-on or a new simulator location.
Map Auto Zoom
This receiver has an auto zoom feature that eliminates much of the but-
ton pushing that other brands of GPS receivers force you to make. It
works in conjunction with the navigation features.
First, start navigation to a waypoint. (See the waypoint section for
more information on navigating to a waypoint.) Then, with the auto
zoom mode on, the unit zooms out until the entire course shows, from
the present position to the destination waypoint. As you travel toward
the destination, the unit automatically begins zooming in — one zoom
range at a time — always keeping the destination on the screen.
To turn this feature on, from the MAP PAGE, press MENU|↓ to AUTO
ZOOM|ENT|EXIT. Repeat these steps to turn it off.

75
Map Data
This menu lets you turn the map off, if desired (which turns the map
screen into a GPS plotter); turn off or on the pop-up map info boxes;
draw the map boundaries or boxes around the areas of high detail; or
fill water with white. You can also turn on or off Map Overlays, which
display latitude and longitude grid lines or range rings on the map.
This menu lets you select Navionics Maps; for instructions, see the
Navionics Charts entry in this section.
To get to Map Data:
From the Map Page, press MENU|↓ to MAP DATA|ENT.
Map Menu, left, Map Data Menu, right.
Show Map Data
From the Map Page, press MENU|↓ to MAP DATA|ENT. Press ENT to
check SHOW MAP DATA (turn on) and uncheck it (turn off.) After the option
is set, press EXIT|EXIT to return to the page display.
Pop-up Map Info
From the Map Page, press MENU|↓ to MAP DATA|ENT. Press ↓ to POPUP
MAP INFO. With the option highlighted, press ENT to check it (turn on)
and uncheck it (turn off.) After the option is set, press EXIT|EXIT to re-
turn to the page display.
Map Boundaries
From the Map Page, press MENU|↓ to MAP DATA|ENT. Press ↓ to MAP
BOUNDARIES. With the option highlighted, press ENT to check it (turn on)
and uncheck it (turn off.) After the option is set, press EXIT|EXIT to re-
turn to the page display.
Fill Water With White
From the Map Page, press MENU|↓ to MAP DATA|ENT. Press ↓ to FILL
WATER WITH WHITE. With the option highlighted, press ENT to check it
(turn on) and uncheck it (turn off.) After the option is set, press
EXIT|EXIT to return to the page display.
76
Map Overlays (Range Rings; Lat/Long Grid)
The map screen can be customized with four range rings and/or grids
that divide the plotter into equal segments of latitude and longitude.
Range rings are handy for visually estimating distances on the map.
The ring diameters are based on the current zoom range. For example:
at the 100 mile zoom, the screen will show two rings with your current
position in the center. The large ring touching the left and right sides of
the screen is 100 miles in diameter (same as the zoom range). The sec-
ond smaller ring is 50 miles in diameter (always 1/2 the zoom range).
The distance from your current position to the smaller ring (the ring's
radius) is 25 miles (always 1/4 the zoom range). With the arrow keys
and map cursor, you can scroll the map to see the third and fourth
rings. In this example, the distance to the third ring is 75 miles and
distance to the fourth ring is 100 miles from your current position.
To set range rings: From the Map Page, press MENU|↓ to MAP
DATA|ENT. Press ↓ to RANGE RINGS. With the option highlighted, press
ENT to check it (turn on) and uncheck it (turn off.) After the option is
set, press EXIT|EXIT to return to the page display.
To set Lat/Long Grid: From the Map Page, press MENU|↓ to MAP
DATA|ENT. Press ↓ to LAT/LON GRID LINES. With the option highlighted,
press ENT to check it (turn on) and uncheck it (turn off.) After the op-
tion is set, press EXIT|EXIT to return to the page display.
Map Datum Selection
Maps and charts are based on a survey of the area that's covered by the
map or chart. These surveys are called "Datums." Maps that are cre-
ated using different datums will show the same latitude/longitude in
slightly different locations.
All datums are named. The GPS system is based on the WGS-84 da-
tum, which covers the entire world. Other datums may also cover the
entire world, or just a small portion of it. By default, your position
shows using the WGS-84 datum. However, it can show your position
using one of 191 different datums. Different datums can be selected; to
change the datum:
1. Press MENU|MENU|↓ to GPS SETUP|ENT|↓ to MAP DATUM|ENT.
2. Scroll ↓ or ↑ to select the desired datum, then press ENT.
3. To return to the last page displayed, press EXIT|EXIT.
A list of the datums used by this unit is in the back of this manual.

77
GPS Setup Menu, left, Map Datum Menu, right.
Map Detail Category Selection
This menu determines which of the mapping features are shown on the
screen. This includes, waypoints, trails, icons, cities, highways, etc. You
can selectively turn on or off any of these items, customizing the map to
your needs.
To get to Map Categories:
1. From the Map Page, press MENU|↓ to MAP CATEGORIES DRAWN|ENT.
2. Press ↑ or ↓ to select a category or press → then press ↑ or ↓ to select
a subcategory. Press ENT to turn it off (no check) or on (checked.)
3. To return to the last page displayed, press EXIT|EXIT.
Map Menu, left, Map Categories Drawn Menu, right.
Map Orientation
By default, this receiver shows the map with north always at the top of
the screen. This is the way most maps and charts are printed on paper.

78
Map orientation at left is shown in north up and at right, track up.
This is fine if you're always traveling due north. What you see to your
left corresponds to the left side of the map, to your right is shown on
the right side of the map, and so on. However, if you travel any other
direction, the map doesn't line up with your view of the world.
To correct this problem, a track-up mode rotates the map as you turn.
Thus, what you see on the left side of the screen should always be to
your left, and so on.
Another option is course-up mode, which keeps the map at the same
orientation as the initial bearing to the waypoint. When either the
track-up or course-up mode is on, an "N" shows on the map screen to
help you see which direction is north.
To change map orientation: from the Map Page, press MENU|↓ to MAP
ORIENTATION|ENT. Use ↑ or ↓ to select the desired mode, then press ENT.
Press EXIT|EXIT to return to the page display.
Map Menu, left; Map Orientation menu with
the North Up map orientation option selected, right.
Overlay Data
To change the digital data shown on top of the Map Page:
In Track Up mode, map shows "N" and arrow to indicate north.

79
To select data for display:
1. From the Map page, press MENU|↓ to OVERLAY DATA|ENT.
2. Press ↓ or ↑ to select Data Type|ENT.
Overlay Data command on the Map Menu, at left. Overlay Data Shown
selection menu, right. In this example, we scrolled down the data list
to highlight "Distance." Ground Speed and the Steering Arrow are al-
ready selected, as shown by the check marks beside their names.
When selected, the data type shifts to the top of the data list and a
check mark appears beside the data type. (If you wish, you may now
use ↓ or ↑ to select other Data Types for display.)
3. To return to the previous page, press EXIT|EXIT.
To turn off displayed data:
1. From the Map, press MENU|↓ to OVERLAY DATA|ENT.
2. Press ↓ or ↑ to select Data Type|ENT. The selected data type disap-
pears from the top of the list and reverts to its previous, unchecked po-
sition. (If you wish, you may now use ↓ or ↑ to select other Data Types
to turn off.)
3. To return to the previous page, press EXIT|EXIT.
To change displayed data font size:
1. From the Map page, press MENU|↓ to OVERLAY DATA|ENT.
2. Press ↓ or ↑ to select Data Type|press → or ← to Data Size|EXIT.
The selected data type will be displayed in the new size. (To change the
font size for another Data Type, press ENT and repeat these steps, be-
ginning with step two above.)
3. To return to the previous page, press EXIT.
Tip:
If you wish, you can change the displayed data font size when you
select a data type:
1. From the Map page, press MENU|↓ to OVERLAY DATA|ENT.

80
2. Press ↓ or ↑ to select Data Type|press → or ← to select Data
Size|ENT.
The data will be shown in the new font size. To return to the previ-
ous page, press EXIT|EXIT.
Map Page showing boat cruising Keystone Lake with Overlay Data
turned on. This example shows Ground Speed, Distance (to destina-
tion) and the Steering Arrow. Note that the Steering Arrow always
points directly to the destination you are navigating toward. In this
case, the boater is headed on a northeasterly course of 3º. Since the
helmsman is on course, the Steering Arrow is pointing straight ahead.
If the helmsman veered off course, the arrow would show which direc-
tion to steer to get back on course toward the destination.
Navionics Charts
Your GlobalMap 7000C can display Navionics electronic charts on
MMCs. They work just like a MapCreate custom map on an MMC.
Left, entrance to Chesapeake Bay in a MapCreate 6 custom map,
10 mile zoom. Center, same position on Navionics chart at
11.15 mile zoom and right, 5.56 mile zoom.
To display a Navionics chart:
1. Install the Navionics MMC in the memory card compartment and
turn on the unit. (For full card install instructions, see Sec. 2.)
Steering
arrow
Speed

81
WARNING:
You should never format the MMC containing your
Navionics chart. Formatting the MMC will permanently
erase the chart from the card.
2. From the Map Page, press MENU|↓ to MAP DATA|ENT|↓ to MAP
CHOICE|ENT. Use ↑ or ↓ to select the Map Name, then press
ENT|EXIT|EXIT.
These figures show menu sequence (from left to right) for selecting a
Navionics chart for the South Chesapeake Bay area.
3. To turn off a Navionics chart, From the Map Page, press MENU|↓ to
MAP DATA|ENT|↓ to MAP CHOICE|ENT. Use ↑ or ↓ to select LOWRANCE, then
press ENT|EXIT|EXIT.
Port Information
Navionics charts contain Port Services information, represented by an-
chor icons on the map display. An example is displayed in the following
figure.
To view Port Services information:
1. Use the arrow keys to move the cursor over a Port Services icon.
When selected, a pop-up name box appears.
2. Press WPT to display the Port Services Information screen.
The Port Services information screen has two windows. The top window
lists the various service categories. The lower window lists the detailed
services available in each basic category.

82
Navionics chart showing Port Services icon selected by cursor.
3. To scroll through the Service Categories window: press ENT then use
↑ or ↓ to see the types of services available. As you highlight a different
category, the list in the lower window changes. To return to the Map
Page, press EXIT|EXIT.
4. The General Services category includes a long list of items in the De-
tailed Services window. To scroll through the Detailed Services window:
from SERVICE CATEGORIES, press ↓ to DETAILED SERVICES|ENT, then use ↑ or
↓ to read the list of available services. To return to the Map Page, press
EXIT|EXIT. To return to the top service category window, press ENT|↑.
Port Services information screens.
Tidal Current Information
Navionics charts contain Tidal Current information,
represented at large zoom ranges by a box icon with
the letter "C." The icon stands for a Tidal Current Sta-
tion location. An example is displayed at right.
When you zoom in to a sufficiently small zoom range, the icon itself be-
comes an animated arrow showing tidal current velocity and direction
for the selected tidal station at the present time. At larger zoom ranges,
Port Services
icons
Pop-up
name box
Cursor lines

83
you can select the boxed "C" icon and it becomes an animated arrow
with a pop-up name box. An example is displayed in the following figure.
To view Tidal Current information:
1. Use the arrow keys to move the cursor over a Tidal Current Station
icon. When selected, a pop-up name box appears.
2. Press WPT to display the Tidal Current Information screen.
Navionics chart showing Tidal Current Station icon selected by cur-
sor. In this example, the tidal current is in flood but it's about to enter
the slack water stage. The current is flowing to the west at 0.1 mph.
Current Information screen.
The Tidal Current Information screen displays daily tidal current data
for this station on this date at the present time. The graph at the top of
the screen is an approximate view of the flood and ebb pattern for the
day, from midnight (MN), to noon (NN) to midnight (MN). The velocity
scale at the top left side of the graph changes dynamically based upon
the maximum velocity of the current for that day.
Cursor lines
Tidal Current
Station icon
in animated
mode Pop-up
name box

84
Slack water, the period of little or no current, is represented by the
Slack Water Line (SWL). The flood appears above the SWL and the ebb
appears below the SWL.
You can look up tidal current data for other dates by changing the
month, day and year selection boxes. To select another date:
1. Use → and ← to highlight month, day or year, then press ENT.
2. Use ↑ and ↓ to select the desired month, day or year, then press ENT.
To clear the information screen, press EXIT.
Tide Information
Navionics charts contain Tidal Information,
represented at large zoom ranges by a box icon with
the letter "T." The icon stands for a Tidal Station
location. An example is displayed at right.
When you zoom in to a sufficiently small zoom range, the icon itself be-
comes an animated gauge showing a rising or falling tidal height for the
selected station at the present time. At larger zoom ranges, you can se-
lect the boxed "T" icon and it becomes an animated gauge with a pop-up
name box. An example is displayed in the following figure.
To view tide information:
1. Select a Tide Station icon: use the arrow keys to move the cursor over
an icon. When it is selected, a pop-up name box appears.
2. After selecting the Tide Station icon, press WPT to display the Tide
Information screen.
Navionics chart showing Tide Station icon selected by cursor.
In the example above, the tide is at 2.8 feet and falling,
as shown by the down arrow at the top of the icon.
Tide Station
icon
Cursor line
Pop-up
name box

85
Tide Information screen.
The Tide Information screen displays daily tidal data for this station on
this date at the present time. The graph at the top of the screen is an
approximate view of the tidal range pattern for the day, from midnight
(MN), to noon (NN) to midnight (MN). The dotted line across the graph
is the Mean Lower Low Water line (MLLW).
The height scale on the top right side of the graph changes, based upon
the maximum range of the tide for that day. The MLLW line also ad-
justs its position as the height scale changes.
You can look up tidal data for other dates by changing the month, day
and year selection boxes. To select another date:
1. Use → and ← to highlight month, day or year, then press ENT.
2. Use ↑ and ↓ to select the desired month, day or year, then press ENT.
To clear the information screen, press EXIT.
Pop-up Help
Help is available for virtually all of the menu labels on this unit. By
highlighting a menu item and leaving it highlighted for a few seconds, a
"pop-up" message appears that describes the function of the menu item.
This feature is on by default.
To set up Popup Help: Press MENU|MENU|↓ to SYSTEM SETUP|ENT|↓
to POPUP HELP. With the option highlighted, press ENT to check it (turn
on) and uncheck it (turn off.) After the option is set, press EXIT|EXIT to
return to the page display.

86
System Setup menu, left, with Pop-up Help command highlighted. At
right, this example shows the Pop-up Help message for the Screen
command, located on the Map Menu.
Position Pinning
When you are standing still or moving at extremely slow speed, a GPS
receiver can have trouble determining the direction you are traveling.
In the past, this resulted in a "wandering" plot trail that moved around
the map, even if you were standing still.
The Position Pinning feature was developed so that when you stopped,
the unit locked the present position on the GPS plotter until you moved
a short distance or exceeded a very slow speed.
The command remains available in the unit's software, but we recom-
mend that you leave it in the default off (unchecked) mode. The "wan-
dering" plot trail issue has now been corrected by the Track Smoothing
feature. Turning on Position Pinning could actually result in an inaccu-
rate plot trail if you are moving around in a relatively small area. If you
want to experiment with Position Pinning, the same instructions are
used to turn the feature on (checked) and off (unchecked.)
1. Press MENU|MENU|↓ to GPS SETUP|ENT|↓ to POSITION PINNING|ENT.
2. Press EXIT|EXIT to return to the previous page.
Reset Options
To reset all features to their factory defaults:
Press MENU|MENU|↓ to SYSTEM SETUP|ENT|↓ to RESET OPTIONS|ENT|← to
YES|ENT.
NOTE:
Reset Options does not erase any waypoints, routes, icons, plot trails or
sonar logs.

87
Reset Options command, left, and the Reset Options Menu, right.
Require DGPS
You can force the GlobalMap 7000C to require DGPS for reporting a
valid position. (The default setting, off, uses DGPS automatically when
an optional DGPS beacon receiver is connected. However, this auto
mode doesn't require DGPS reception to yield a position.) Here's how to
turn mandatory DGPS on and off.
1. Press MENU|MENU|↓ to GPS SETUP|ENT|↓ to REQUIRE DGPS|ENT.
2. To return to the last page displayed, press EXIT|EXIT.
3. You can return to this command and press ENT again to turn the fea-
ture off.
Require DGPS command on the GPS Setup Menu.
Screen Contrast and Brightness
To access the Screen menu, press MENU|MENU|ENT.

88
Once in the Screen menu:
To adjust the display's contrast:
The CONTRAST slider bar is already selected. Press → or ← to move the
bar. The left end of the scale is minimum contrast; the right end is
maximum contrast.
Screen Command, left, and Screen Menu with Contrast bar selected, right.
To adjust the display's brightness:
Press ↓ to BRIGHTNESS. Press → or ← to move the bar. The left end of the
scale is minimum contrast; the right end is maximum contrast.
To adjust the screen's display mode:
Press ↓ to DISPLAY MODE|ENT|press ↑ or ↓ to select mode|EXIT.
Display Mode menu.
Set Language
This unit's menus are available in 10 languages: English, French, Ger-
man, Spanish, Italian, Danish, Swedish, Russian, Dutch and Finnish.
To select a different language:
89
1. Press MENU|MENU|↓ to SYSTEM SETUP|ENT.
2. Press ↓ to SET LANGUAGE…|ENT.
3. Use ↓ or ↑ to select a different language and press ENT. All menus
now appear in the language you selected.
Set Local Time
Using the correct local time setting is handy when estimating local ar-
rival time while navigating. Also, the time and date are saved when a
waypoint is created.
To access the Set Local Time menu, you must first acquire your posi-
tion. Once that is done: press MENU|MENU|↓ to SYSTEM SETUP|ENT|↓ to
SET LOCAL TIME|ENT.
Once in the Time Settings menu:
To set Local Time: Press ENT. Press ↑ or ↓ to change the first charac-
ter, then press → to move the cursor to the next character. Repeat until
the time is correct, then press ENT.
To set the Month: Press ↓ to MONTH|ENT. Press ↑ or ↓ to select the
month, then press ENT.
To set the Day: Press → to DAY|ENT. Press ↑ or ↓ to select the day,
then press ENT.
To set the Year: Press → to YEAR|ENT. Press ↑ or ↓ to select the year,
then press ENT.
The last field in this menu is CONFIG DST. This feature allows your unit
to automatically adjust with the time change caused by Daylight Sav-
ing Time (you should only have to set it once). You may select which set
of rules matches DST in your region, or simply accept the default.
Once you have each field set the way you want, press EXIT repeatedly
until you return to the previous page.
Show WAAS Alarm
When the signal is available, your unit will automatically use WAAS to
boost the accuracy of the position fix. When the WAAS signal is lost or
acquired, an alarm message appears. Since the U.S. government is still
developing the WAAS system, it's not unusual for a GPS/WAAS re-
ceiver to frequently lose and reacquire its lock on a WAAS satellite.
That can result in the alarm repeatedly going on and off. If you want,
you have the option of turning off the WAAS Acquired/Lost alarm with-
out affecting how the unit uses WAAS. Here's how:
1. Press MENU|MENU|↓ to GPS SETUP|ENT|↓ to SHOW WAAS ALARM.

90
2. With the option highlighted, press ENT to uncheck it (turn off) and
check it (turn on). After the option is set, press EXIT|EXIT to return to
the page display.
3. You can return to this command and press ENT again to turn the fea-
ture on.
Software Version Information
From time to time, Lowrance updates the operating system software in
some of its products. These software upgrades are usually offered to
customers as free downloads from our web site, www.lowrance.com.
These upgrades make the unit perform better or introduce a new fea-
ture or function. You can find out what software version is running in
your GlobalMap 7000C by using the Software Information command.
System Setup command left; Software Information command, center.
At right, the Software Information screen.
1. Press MENU|MENU|↓ to SYSTEM SETUP|ENT|↓ to SOFTWARE INFO|ENT.
2. Read the information displayed on the screen.
3. To return to the last page displayed, press EXIT|EXIT|EXIT.
Sounds and Alarm Sound Styles
Sounds triggered by key strokes and alarms can be adjusted:
You first press MENU|MENU|↓ to SOUNDS|ENT.
Sounds command, left. At right, the Sounds menu.
GlobalMap 6000C
Debug 0.1.0
Build PC-Win32

91
Once in the Sounds menu:
To set Key Press Sounds: With the option highlighted, press ENT to
check it (turn on) and uncheck it (turn off). After the option is set, press
EXIT|EXIT to return to the page display.
To set Alarm Sounds: Press ↓ to ALARM SOUNDS. With the option high-
lighted, press ENT to check it (turn on) and uncheck it (turn off). After
the option is set, press EXIT|EXIT to return to the page display.
To set Alarm Volume: Press ↓ to VOLUME. Press → or ← to move the
bar. The left end of the scale is low volume; the right end is high volume.
After the option is set, press EXIT|EXIT to return to the page display.
To set Alarm Style: Press ↓ to ALARM STYLE|ENT. Press ↑ or ↓ to
change the style, then press ENT. After the option is set, press
EXIT|EXIT to return to the page display.
Track Smoothing
This is a factory setting on the GPS Setup menu that should always be
left on. When stopped or traveling at slow speeds (such as walking or
trolling), Track Smoothing prevents wandering of trails, the steering
arrow, compass rose and a map in track-up mode.
Track Smoothing option, turned on.
Trail Options
There are several options you can use with trails. Some affect all trails,
other options can be applied to a particular trail. You can change the
way trails are updated, you can display or hide trails, create a new
trail, delete a trail, etc.
General Trail Options
To access the Trails Menu:
Press MENU|MENU|↓ to MY TRAILS|ENT.

92
Main Menu, left, Trails Menu, center, Trail Options, right.
Delete All Trails
To remove all of the trails from memory: from the Trails Menu, press →
to DELETE ALL|ENT|← to YES|ENT.
Update Trail Option
This menu lets you change the way the trail updates occur.
WARNING:
If you uncheck the Update Trail option, automatic trail
creation and recording will be turned off. You must turn
it back on to record trails. The default setting is on.
From the Trails Menu, press → to OPTIONS|ENT. With UPDATE ACTIVE TRAIL
highlighted, press ENT to check it (turn on) and uncheck it (turn off).
Update Trail Criteria (Auto, Time, Distance)
The options are automatic, time, or distance. When it's in the default
automatic mode, the unit doesn't update the plot trail while you're
traveling in a straight line. Once you deviate from a straight line, the
unit "drops" a plot point (trail waypoint) onto the trail. This conserves
plot trail points. If a plot trail uses all of the available points allotted to
it, the beginning points are taken away and placed at the end of the trail.
From the Trails Menu, press → to OPTIONS|ENT|↓ to UPDATE CRITERIA.
Press ↑ or ↓ to select criteria type|ENT. If you selected Time, the Up-
date Rate data entry box appears on the menu. If you selected Distance,
the Update Distance data entry box appears on the menu.
Trail Update Rate (Time, Distance)
You can update a trail by time, with a range from 1 second to 9999 sec-
onds; the default is 3 seconds. You can update by distance, with a range
from 0.01 mile/nm/km to 9.99 mile/nm/km; the default is 0.10 miles.
With one of the Update Criteria selected, use the cursor arrows to
highlight either the UPDATE RATE or UPDATE DISTANCE data entry boxes and
press ENT. Press ↑ or ↓ to change the first character, then press → to
the next character and repeat until the entry is correct. Press EXIT to
return to the Trail Options Menu.

93
Trail Options menu: Update Time Rate setting, left, and
Update Distance setting, right.
Specific Trail Options
Delete Trail
To delete a specific trail: From the Trails Menu, press ↓ to Trail
Name|ENT. The Edit Trail menu appears as seen in the following fig-
ure. Press → to DELETE TRAIL|ENT|← to YES|ENT.
Edit Trail menu.
New Trail
To manually start a new trail, in the Trails Menu, make sure NEW TRAIL
is highlighted and press ENT|EXIT.
Trail Visible/Invisible and Other Trail Options
The name, maximum number of points in the trail, activity, and visi-
bility are all changed on the Edit Trail menu screen. The Active setting
determines whether or not the GlobalMap 7000C is recording new
points for a particular trail.

94
On the Edit Trail menu, press ↓ or ↑ to highlight the section you wish
to change, then press ENT. Make your changes, then press EXIT to erase
this menu.
You can also change the trail line color and pattern. For instructions,
see the entries on Edit a Trail Color and Edit a Trail Pattern beginning
on page 61, Sec. 4, Advanced GPS Operations.
Units of Measure
This menu sets the speed and distance (statute or nautical miles, me-
ters), depth (feet, fathoms, or meters), temperature (degrees Fahrenheit
or Celsius) and heading (true or magnetic) units. To change the units:
Press MENU|MENU|↓ to SYSTEM SETUP|ENT|ENT.
System Setup Menu, left, Units of Measure Menu, right.
To set Speed/Distance Unit of Measure: Press ↑ or ↓ to change the
Speed/Distance, then press ENT. After the option is set, press
EXIT|EXIT|EXIT to return to the page display.
To set Heading: Press ↑ or ↓ to change the heading type, then press
ENT. After the option is set, press EXIT|EXIT|EXIT to return to the page
display.

95
Section 6:
Searching
NOTE:
The background map loaded in your unit lets you search for U.S.
Interstate Highway exits and exit services, as well as some land
features, including cities and lakes. For a full set of searchable land
features, including landmarks, streets, addresses and Points of In-
terest, you must load your own high-detail custom map produced
with our MapCreate 6 software. For a complete description of what
detail is found in the background map and custom MapCreate
maps, see page 29.
The GlobalMap 7000C's varied search functions all begin with either
the Find Waypoint menu or the Map Page menu. Press WPT and the
Find Waypoint menu appears for waypoints and Points of Interest
(POI). From the Map Page, press MENU and the Map Page menu ap-
pears for streets, addresses and highway exits.
Find Waypoint menu, left and Map Page menu, right.
NOTE:
You can search for items after the GlobalMap 7000C has acquired a
position, or while using it in the "indoor" simulator mode. Distance
and bearing to the selected item will be calculated from the
GlobalMap 7000C's current position, or the last known position if
operating indoors (without a position determined). You can look up
items by name, or search for the item nearest to you.
Find Addresses
1. From the Map Page, press MENU|↓ to FIND ADDRESS|ENT.
2. Press ENT to search in the Address field.

96
Find Address Menu.
3. To enter an address number, press ↑ or ↓ to change the first
number, then press → to move the cursor to the next number and re-
peat until the number is correct, then press ENT.
4. To enter a street name, press ↓ to STREET|ENT. There are two op-
tions: A. You can spell out the name in the top selection box. Press ↑
or ↓ to change the first letter, then press → to move the cursor to the
next letter and repeat until the name is correct, then press ENT|ENT. B.
Jump down to the lower selection list by pressing ENT, then press ↓ or ↑
to select a street name from the list, then press ENT. The street name
you selected is now in the street field.
Find Address menu, left; Find Street menu, center,
with Find By Name field active; street name entry complete, right.
5. To enter a city name, press ↓ to CITY|ENT. You will be asked if you
want to find addresses only within a particular city. This option is de-
signed so you can limit an address search to a single city if necessary
(see the note below.)
If you select yes, there are two options: A. You can spell out the city
name in the top selection box. Press ↑ or ↓ to change the first letter, then
press → to move the cursor to the next letter and repeat until the name
is correct, then press ENT|ENT. B. Jump down to the lower selection list
by pressing ENT, then press ↓ or ↑ to select a city name from the list,
then press ENT. The city name you selected is now in the city field.

97
NOTE:
We recommend that you do not enter a city name unless the list you
are given is too large when searching without it. The GlobalMap
7000C can actually search quicker without a city and you save time
by not entering a city name.
Find city field, left, Search in particular city only option, center; Find
City by name, right.
6. When the necessary search fields are filled in, press ↓ to FIND AD-
DRESS|ENT. Your unit asks you to wait while it searches for the address.
(If an address is not in the database, a message appears saying the ad-
dress could not be found.)
7. The unit will display a list of addresses. If the address you are look-
ing for is highlighted at the top of the list, press ENT. If not, use ↓ and ↑
to select the correct address from the list, then press ENT. The Map
Page will then appear with the location selected by the cursor. (In the
example below, we are looking for 12303 East 11th Street in Tulsa, not
11th Court, so we had to scroll down the list to select the right one.)
Address search result list, left. At center, Map Page showing
location of the address on the map, highlighted by cursor.
At right, after the address is located, you can navigate to it.
8. To navigate to the address, press MENU|ENT|EXIT and your Global-
Map 7000C will begin showing navigation information to the address
pointed out by the cursor. If you are only looking up an address (not
navigating), just press EXIT to return to the previous page.

98
Tip:
If the address also happens to be an item in the Point of Interest
database, you can look up the item's phone number in the Waypoint
Information list. With the address location selected by the cursor on
the map, press WPT. The POI's Waypoint Information window ap-
pears, with the Go To Waypoint command highlighted. If you want
to go ahead and navigate to the POI address, just press ENT|EXIT.
Left, Map Page showing location of the address on the map, high-
lighted by cursor. Center, this address is a business in the POI data-
base, so you can display the POI information window, then navigate to
it. At right, this address is not in the POI database, so the Waypoint
key will not display any information for this address.
Find Any Item Selected by Map Cursor
On the Map Page: with a POI or map feature selected by the cursor
press WPT. To return to the previous page, press EXIT.
A POI selected by the cursor, left, POI information screen, right.
NOTE:
Since the Go To Waypoint command is highlighted, you can navi-
gate to the selected POI by pressing ENT|EXIT while in the POI
Waypoint Information screen.

99
Find Interstate Highway Exits
1. From the Map Page, press MENU|↓ to HIGHWAY EXITS|ENT, which calls
up the Find Exit menu.
Find Highway Exits command, left, and Find Exit menu, right.
2. First, select a highway name by pressing ENT, which calls up the
Find By Name menu. There are two highway search options: A. You
can spell out the highway name in the top selection box. Press ↑ or ↓
to change the first letter, then press → to move the cursor to the next
letter and repeat until the name is correct, then press ENT|ENT. B.
Jump down to the lower selection list by pressing ENT, then press ↓ or ↑
to select a highway from the list, then press ENT.
Find By Name menu.
3. Once you have selected a highway name you can then select an exit.
Press ↓ to switch to the Exit List, then press ↓ or ↑ until you highlight
the exit, then press ENT.

100
Find Exit menu, with an exit selected in the Exit List.
4. In the Exit Information screen you have two choices. A. Press ENT to
navigate or "go to" the exit. B. Press →|ENT to find the exit on the map.
"Go To Exit" option, left, "Find On Map" option, right.
Tip:
You can also look up some additional information on the Exit Serv-
ices located near this exit. Press ↓ to SERVICES|press ↓ or ↑ to select
Service Name|ENT.
Exit Information screen, left; general location
and amenities information, at right.

101
Find Map Places or Points of Interest (POI)
1. Press WPT, press ↓ or ↑ to select a map place or POI category, then
press ENT. (To narrow your search, press → then press ↓ or ↑ to select a
subcategory before pressing ENT.) You will be given two options; Search
By Name or By Nearest.
Find Waypoint menu with Lodging POI category selected, left, and
with the RV Parks subcategory selected, right.
2. Search by nearest POI. Press ↓|ENT. The "Find by Nearest" menu
will show a "calculating" screen, then a list of the nearest POI's will
appear. Press ↓ or ↑ to the selected POI and press ENT to call up the
POI's Waypoint Information screen.
Find by Nearest option, left, Calculating screen, center, POI list, right.
3. Search by name of POI. Press ENT. There are two options: A. You
can spell out the POI in the top selection box. Press ↑ or ↓ to change
the first letter, then press → to move the cursor to the next letter and
repeat until the name is correct, then press ENT|ENT. B. Jump down to
the lower selection list by pressing ENT, then press ↓ or ↑ to select a
POI from the list, then press ENT to call up the POI's Waypoint Infor-
mation screen.

102
Find by Name option, left, Find by Name menu, right.
4. When the POI's Waypoint Information screen is displayed, you can
choose to "Go To" the POI waypoint by pressing ENT or find it on the
map by pressing→|ENT.
Go To Waypoint POI option, left; Find on Map POI option, right.
Find Streets or Intersections
Find a Street
1. From the Map Page, press MENU|↓ to FIND STREETS|ENT and the Find
Streets Menu appears.
Find Streets command, left, Find Streets menu, right.

103
2. You must first fill in a street name in the First Street dialog box.
Press ENT to display the Find By Name menu. There are two options:
A. You can spell out the street in the top selection box. Press ↑ or ↓ to
change the first letter, then press → to move the cursor to the next let-
ter and repeat until the name is correct, then press ENT|ENT. B. Or you
can jump down to the lower box and pick a street from the selection
list. Press ENT, then press ↓ or ↑ to select a street from the list and
press ENT.
Find Street By Name menu. Spell out name in
the top box, or select from the list in the lower box.
3. The Find Streets menu reappears with the street you're searching for in
the First Street box. (In this example, it's 80th Street.) To search for that
street, press ↓ to FIND FIRST STREET|ENT. A message appears asking you to
wait while the unit finds the street. When the Streets Found list appears,
press ↑ or ↓ to select the street you are searching for and press ENT.
At left, the Find Streets menu with the Find First
Street command highlighted. At right, Streets Found list.

104
4. The Map Page appears, with the cursor pointing to the found street.
Map Page showing results of a street search.
The cursor points to the located street.
If you want to navigate to the found street at the cursor location, just
press MENU|ENT|EXIT.
Find an Intersection
You must enter one street in the First Street dialog box and enter the
next street in the Second Street dialog box.
1. From the Map Page, press MENU|↓ to FIND STREETS|ENT and the Find
Streets Menu appears.
2. You must fill in a street name in the First Street dialog box. Press ENT
to display the Find By Name menu. There are two options: A. You can
spell out the street in the top selection box. Press ↑ or ↓ to change the
first letter, then press → to move the cursor to the next letter and repeat
until the name is correct, then press ENT|ENT. B. Or you can jump down
to the lower box and pick a street from the selection list. Press ENT,
then press ↓ or ↑ to select a street from the list and press ENT.
3. The Find Streets menu reappears with the street you're searching for
in the First Street box. (In this example, it's 80th Street.)
4. Now fill in the second street. Press ↓ to SECOND STREET|ENT and the
Find By Name menu appears again. Just like before, there are two op-
tions: A. You can spell out the second street in the top selection box.
Press ↑ or ↓ to change the first letter, then press → to move the cursor
to the next letter and repeat until the name is correct, then press
ENT|ENT. B. Or you can jump down to the lower box and pick the sec-
ond street from the selection list. Press ENT, then press ↓ or ↑ to se-
lect a street from the list and press ENT.

105
5. The Find Streets menu reappears with the first and second street
dialog boxes filled in. In this example, we selected 71st Street as our
second street. You could now use similar techniques to select a city or
Zip code, but your search will probably be faster if you leave those
boxes blank. (You can specify a city and/or Zip code later on to narrow
the search, if the resulting list is too long.)
Find Intersection command highlighted, left, and
"Working" message, center. At right is the Intersections Found list.
6. To search for the intersection of the two streets, press ↓ to FIND
INTERSECTION|ENT. A message appears asking you to wait while the unit
finds the intersection. When the Intersections Found list appears, press
↑ or ↓ to select the intersection you are searching for and press ENT. (In
the example on the previous page, we selected the intersection of SW
80th Street and SW 71st Avenue in Miami, Fla.)
7. The Map Page appears, with the cursor pointing to the found inter-
section. The intersection in our example is shown below.
Map Page showing results of an intersection search.
The cursor points to the located intersection.
If you want to navigate to the found intersection, just press
MENU|ENT|EXIT.

106
Find Waypoints
1. Press WPT|ENT.
2. If searching for the waypoint By Name, press ENT. If searching for
the Nearest waypoint, press ↓ to NEAREST|ENT. (To search by name,
jump to step 5 below.)
Find Waypoint menu, left; Find By Nearest command, center,
Find by Name command, right.
3. If you're looking for nearest, the GlobalMap 7000C says it is cal-
culating, then a list of waypoints appears. The closest is highlighted at
the top of the list and the farthest at the bottom of the list.
Calculating message, left, and list of the nearest waypoints, right.
4. To see location information on the closest (highlighted) waypoint,
press ENT and the Waypoint Information screen appears. (If you
wanted to, you could select another waypoint from the list with the ↑ or
↓ keys.)
A. To navigate to the waypoint, press ENT. (The Go To Waypoint
command is already highlighted.) The unit will show navigation in-
formation to the waypoint.
B. To find the waypoint, press ↓ to FIND ON MAP|ENT. The Map Page
appears with the cursor highlighting the found waypoint.

107
Waypoint Information screens with the Go To Waypoint command se-
lected, left, and the Find on Map command selected, right.
To clear these menus and return to the previous page, press EXIT re-
peatedly.
5. If you're looking by name, there are two options: A. You can spell
out the name in the top selection box. Press ↑ or ↓ to change the first
letter, then press → to move the cursor to the next letter and repeat
until the name is correct, then press ENT|ENT. B. Or you can jump
down to the lower selection list by pressing ENT, then press ↓ or ↑ to
select a waypoint from the list, then press ENT. The waypoint informa-
tion screen appears.
Find By Name menu, left. Waypoint Information screen, center. At right,
the found waypoint is highlighted by the cursor on the Map Page.
A. To navigate to the waypoint, press ENT. (Go To Waypoint com-
mand is already highlighted.) The unit will show navigation infor-
mation to the waypoint.
B. To find the waypoint, press ↓ to FIND|ENT. The Map Page ap-
pears with the cursor highlighting the found waypoint.
To clear these menus and return to the previous page, press EXIT re-
peatedly.
108
Notes
109
Section 7: Supplemental Material
Datums Used by This Unit
WGS 1984
Default
Adindan
Mean for Ethiopia, Sudan
Adindan
Burkina Faso
Adindan
Cameroon
Adindan
Ethiopia
Adindan
Mali
Adindan
Senegal
Adindan
Sudan
Afgooye
Somalia
Ain el Abd 1970
Bahrain
Ain el Abd 1970
Saudi Arabia
Anna 1 Astro 1965
Cocos Islands
Antigua Island Astro
1943; Antigua (Leeward
Islands)
Arc 1950; Mean for
Botswana, Lesotho,
Malawi, Swaziland, Zaire,
Zambia and Zimbabwe
Arc 1950 - Botswana
Arc 1950 - Burundi
Arc 1950 - Lesotho
Arc 1950 - Malawi
Arc 1950 - Swaziland
Arc 1950 - Zaire
Arc 1950 - Zambia
Arc 1950 - Zimbabwe
Arc 1960 - Mean for
Kenya, Tanzania
Ascension Island 1958 -
Ascension Island
Astro Beacon E 1945 -
Iwo Jima
Astro DOS 71/4 - St.
Helena Island
Astro Tern Island (FRIG)
1961 - Tern Island
Astronomical Station
1952 - Marcus Island
Australian Geodetic 1966
- Australia & Tasmania
Australian Geodetic 1984
- Australia & Tasmania
Ayabelle Lighthouse -
Djibouti
Bellevue (IGN) - Efate &
Erromango Islands
Bermuda 1957 - Bermuda
Bissau - Guinea-Bissau
Bogota Observatory -
Colombia
Bukit Rimpah - Indonesia
(Bangka & Belitung
Islands)
Camp Area Astro -
Antarctica (McMurdo
Camp Area)
Campo Inchauspe -
Argentina
Canton Astro 1966 -
Phoenix Islands
Cape - South Africa
Cape Canaveral -
Bahamas, Florida
Carthage - Tunisia
Switzerland
Chatham Island Astro
1971; New Zealand
(Chatham Island)
Chua Astro
Paraguay
Corrego Alegre
Brazil
Dabola
Guinea
Djakarta (Batavia)
Indonesia (Sumatra)
110
DOS 1968
New Georgia Islands
(Gizo Island)
Easter Island 1967
Easter Island
European 1950
Mean for Austria,
Belgium, Denmark,
Finland, France, West
Germany, Gibraltar,
Greece, Italy,
Luxembourg,
Netherlands, Norway,
Portugal, Spain, Sweden,
Switzerland
European 1950
Mean for Austria,
Denmark, France, West
Germany, Netherlands,
Switzerland
European 1950
Mean for Iraq, Israel,
Jordan, Lebanon, Kuwait,
Saudi Arabia, Syria
European 1950
Cyprus
European 1950
Egypt
European 1950
England, Channel
Islands, Ireland, Scotland,
Shetland Islands
European 1950
Finland, Norway
European 1950
Greece
European 1950
Iran
European 1950
Italy (Sardinia)
European 1950
(Sicily)
European 1950
Malta
Ireland 1965
Ireland
ISTS 061 Astro 1968
South Georgia Islands
ISTS 073 Astro 1969
Diego Garcia
Johnston Island 1961
Johnston Island
Kandawala
Sri Lanka
Kerguelen Island 1949
Kerguelen Island
Kertau 1948
West Malaysia &
Singapore
Kusaie Astro 1951
Caroline Islands
L.C. 5 Astro 1961
Cayman Brac Island
Leigon
Ghana
Liberia 1964
Liberia
Luzon
Philippines (Excluding
Mindanao)
Luzon
Philippines (Mindanao)
Mahe 1971
Mahe Island
Massawa
Ethiopia (Eritrea)
Merchich
Morocco
Midway Astro 1961
Midway Islands
Minna
Cameroon
Minna
Nigeria
Montserrat Island Astro
1958; Montserrat
(Leeward Islands)
M’Poraloko
Gabon, Nahrwan, Oman
(Masirah Island)
Nahrwan
Saudi Arabia
Nahrwan
United Arab Emirates
Naparima BWI
Trinidad & Tobago
North American 1927
Mean for Antigua,
Barbados, Barbuda,
Caicos Islands, Cuba,
Dominican Republic,
Grand Cayman, Jamaica,
Turks Islands
North American 1927
Mean for Belize, Costa
Rica, El Salvador,
Guatemala, Honduras,
Nicaragua
North American 1927
Mean for Canada
111
North American 1927
Mean for CONUS
(Continental United
States)
North American 1927
Mean for CONUS (East
of Mississippi River)
including Louisiana,
Missouri, Minnesota
North American 1927
Mean for CONUS
(West of Mississippi
River)
North American 1927
Alaska
North American 1927
Bahamas (Except San
Salvador Island)
North American 1927
Bahamas (San Salvador
Island)
North American 1927
Canada (Alberta, British
Columbia)
North American 1927
Canada (Manitoba,
Ontario)
North American 1927
Canada (New Brunswick,
Newfoundland, Nova
Scotia, Quebec)
North American 1927
Canada (Northwest
Territories,
Saskatchewan)
North American 1927
Canada (Yukon)
North American 1927
Canal Zone
North American 1927
Cuba
North American 1927
Greenland (Hayes
Peninsula)
North American 1927
Mexico
North American 1983
Alaska, Canada, CONUS
North American 1983
Central America, Mexico
Observaorio Metereo
1939; Azores (Corvo &
Flores Islands)
Old Egyptian 1907
Egypt
Old Hawaiian
Mean for Hawaii, Kauai,
Maui, Oahu
Old Hawaiian
Hawaii
Old Hawaiian
Kauai
Old Hawaiian
Maui
Old Hawaiian
Oahu
Oman
Oman
Ordinance Survey
Great Britain 1936 - Mean
for England, Isle of Man,
Scotland, Shetland
Islands, Wales
Ordinance Survey
Great Britain 1936 -
England
Ordinance Survey
Great Britain 1936 -
England, Isle of Man,
Wales
Ordinance Survey
Great Britain 1936 -
Scotland, Shetland
Islands
Ordinance Survey
Great Britain 1936 -
Wales
Pico de las Nieves
Canary Islands
Pitcairn Astro 1967
Pitcairn Island
Point 58
Sweden
Santo (DOS)
1965 Espirito Santo
Island
Sao Braz
Azores (Sao Miguel,
Santa Maria Islands)
Sapper Hill 1943
East Falkland Island
Schwarzeck
Nambia
Selvagem Grande
Salvage Islands
SGS 85
Soviet Geodetic System
1985
South American 1969
Mean for Argentina,
112
Bolivia, Brazil, Chile,
Colombia, Ecuador,
Guyana, Paraguay, Peru,
Trinidad & Tobago, and
Venezuela
South American 1969
Argentina
South American 1969
Bolivia
South American 1969
Brazil
South American 1969
Chile
South American 1969
Colombia
South American 1969
Ecuador
South American 1969
Ecuador (Baltra,
Galapagos)
South American 1969
Guyana
South American 1969
Paraguay
South American 1969
Peru
South American 1969
Trinidad & Tobago
South American 1969
Venezuela
South Asia
Singapore
Tananarive Observatory
1925; Madagascar
Timbalai 1948
Brunei, East Malaysia
(Sabah, Sarawak)
Tokyo
Mean for Japan, Korea,
Okinawa
Tokyo
Japan
Tokyo
Korea
Tokyo
Okinawa
Tristan Astro 1968
Tristan da Cunha
Viti Levu 1916
Fiji (Viti Levu Island)
Wake
Eniwetok 1960
Marshall Islands
Wake Island Astro 1952
Wake Atoll
WGS 1972
Global Definition
Yacare
Uruguay
Zanderij
Suriname
113
FCC Compliance
This device complies with Part 15 of the U.S. Federal
Communications Commission (FCC) Rules. Operation is subject
to the following two conditions: (1) this device may not cause
harmful interference, and (2) this device must accept any
interference received, including interference that may cause
undesired operation.
Changes or modifications not expressly approved by the
manufacturer could void the user's authority to operate the
equipment.
Note:
This equipment has been tested and found to comply with the
limits for a Class B digital device, pursuant to Part 15 of the
FCC Rules. These limits are designed to provide reasonable
protection against harmful interference in a residential
installation. This equipment generates, uses and can radiate
radio frequency energy and, if not installed and used in
accordance with the instructions, may cause harmful
interference to radio communications. However, there is no
guarantee that interference will not occur in a particular
installation. If this equipment does cause harmful interference to
radio or television reception, which can be determined by turning
the equipment off and on, the user is encouraged to try to correct
the interference by one or more of the following measures:
• Reorient or relocate the receiving antenna.
• Increase the separation between the equipment and receiver.
• Connect the equipment into an outlet on a circuit different
from that to which the receiver is connected.
• Consult the factory customer service department for help.
114
Notes
115
Notes
116
Notes
117
LOWRANCE DATABASES LICENSE AGREEMENT
THIS IS A LEGAL AGREEMENT BETWEEN THE END-USER WHO FIRST
PURCHASES THIS PRODUCT AS A CONSUMER ITEM FOR PERSONAL,
FAMILY, OR HOUSEHOLD USE ("YOU") AND LOWRANCE ELECTRONICS,
INC., THE MANUFACTURER OF THIS PRODUCT ("WE", "OUR", OR "US").
USING THE PRODUCT ACCOMPANIED BY THIS LICENSE AGREEMENT
CONSTITUTES ACCEPTANCE OF THESE TERMS AND CONDITIONS. IF
YOU DO NOT ACCEPT ALL TERMS AND CONDITIONS, PROMPTLY
RETURN THE PRODUCT WITHIN 30 DAYS OF PURCHASE. PLEASE
RETURN USING THE ENCLOSED UPS SHIPPING LABEL AND INCLUDE:
PROOF OF PURCHASE, NAME, ADDRESS, AND PHONE NUMBER. YOUR
PURCHASE PRICE AND ANY APPLICABLE TAXES WILL BE REFUNDED.
PLEASE ALLOW 4-6 WEEKS TO PROCESS YOUR REFUND.
1. This License Agreement applies to the one or more databases that
your product may contain. We refer to these singly as a "Database"
and together as the "Databases." Your product may thus include the
"WBS Database" which contains worldwide background surface
mapping data, the "SmartMap Database" which contains inland
mapping data, or other Databases.
2. The Databases that your product may contain are licensed, not sold.
We grant to you the nonexclusive, nonassignable right to use these
Databases for supplemental navigation reference purposes, but only
as long as you comply with the terms and conditions of this License
Agreement. We reserve the right to terminate this license if you
violate any aspect of this License Agreement. You are responsible for
using official government charts and prudent navigation for safe
travel.
3. The Databases housed in your product are protected by the
copyright notices appearing on the product or its screen(s). You may
NOT modify, adapt, translate, reverse engineer, decompile,
disassemble, rent, lease, or resell any Database, and you may NOT
create derivative works based upon any Database or its contents.
Any unauthorized reproduction, use, or transfer of a Database may
be a crime and may subject you to damages and attorney fees.
4. This License Agreement will terminate immediately without prior
notice from us if you fail to comply with or violate any of the
provisions of this Agreement. Upon termination, you will promptly
return all products containing one or more Databases to us.
5. Prices and programs are subject to change without notice.
6. This License Agreement shall be governed by the laws of the State of
Oklahoma and comprises the complete and exclusive understanding
between you and us concerning the above subject matter.
118
DATABASES LIMITED WARRANTY
"We", "our", or "us" refers to Lowrance Electronics, Inc., the manufacturer of
this product. "You" or "your" refers to the first person who purchases the
product as a consumer item for personal, family, or household use. The
Databases Limited Warranty applies to the one or more databases that your
product may contain. We refer to each of these as a "Database" or together as
the "Databases." Your product may thus include the "WBS Database" which
contains worldwide background surface mapping data, the "SmartMap
Database" which contains inland mapping data, or other Databases.
We warrant to you that we have accurately compiled, processed, and
reproduced the portions of the source material on which the Databases are
based. However, we are under no obligation to provide updates to the
Databases, and the data contained in the Databases may be incomplete when
compared to the source material. WE MAKE NO EXPRESS OR IMPLIED
WARRANTY OF ANY KIND ABOUT THE ACCURACY OF THE SOURCE
MATERIAL ITSELF, INCLUDING BUT NOT LIMITED TO IMPLIED
WARRANTIES OF MERCHANTABILITY OR FITNESS FOR A PARTICULAR
PURPOSE.
If there is a defect in any Database, your exclusive remedy shall be, at our
option, either a refund of the price you paid for the product containing the
defective Database or a replacement of such product. WE WILL NOT UNDER
ANY CIRCUMSTANCES BE LIABLE TO ANYONE FOR ANY SPECIAL,
CONSEQUENTIAL, INCIDENTAL, OR OTHER INDIRECT DAMAGE OF
ANY KIND.
Some states do not allow the exclusion or limitation of incidental or
consequential damages, so the above limitations or exclusions may not apply to
you.
This warranty does NOT apply in the following circumstances: (1) when the
product has been serviced or repaired by anyone other than us; (2) when the
product has been connected, installed, combined, altered, adjusted, or handled
in a manner other than according to the instructions furnished with the
product; (3) when any serial number has been effaced, altered, or removed; or
(4) when any defect, problem, loss, or damage has resulted from any accident,
misuse, negligence, or carelessness, or from any failure to provide reasonable
and necessary maintenance in accordance with the instructions of the owner’s
manual for the product.
We reserve the right to make changes or improvements in our products from
time to time without incurring the obligation to install such improvements or
changes on equipment or items previously manufactured.
This warranty gives you specific legal rights and you may also have other
rights which may vary from state to state.
Your remedies under this warranty will be available so long as you can show in
a reasonable manner that the defect occurred within one (1) year from the date
of your original purchase, and we must receive your warranty claim no later
than 30 days after such 1-year period expires. Your claim must be
substantiated by a dated sales receipt or sales slip.
119
LOWRANCE ELECTRONICS
FULL ONE-YEAR WARRANTY
"We," "our," or "us" refers to LOWRANCE ELECTRONICS, INC., the manufacturer of
this product. "You" or "your" refers to the first person who purchases this product as a
consumer item for personal, family or household use.
We warrant this product against defects or malfunctions in materials and workmanship,
and against failure to conform to this product's written specifications, all for one (1) year
from the date of original purchase by you. WE MAKE NO OTHER EXPRESS
WARRANTY OR REPRESENTATION OF ANY KIND WHATSOEVER CONCERNING
THIS PRODUCT. Your remedies under this warranty will be available so long as you can
show in a reasonable manner that any defect or malfunction in materials or
workmanship, or any non-conformity with the product's written specifications, occurred
within one year from the date of your original purchase, which must be substantiated by
a dated sales receipt or sales slip. Any such defect, malfunction, or non-conformity which
occurs within one year from your original purchase date will either be repaired without
charge or be replaced with a new product identical or reasonably equivalent to this
product, at our option, within a reasonable time after our receipt of the product. If such
defect, malfunction, or non-conformity remains after a reasonable number of attempts to
repair by us, you may elect to obtain without charge a replacement of the product or a
refund for the product. THIS REPAIR, OR REPLACEMENT OR REFUND (AS JUST
DESCRIBED) IS THE EXCLUSIVE REMEDY AVAILABLE TO YOU AGAINST US FOR
ANY DEFECT, MALFUNCTION, OR NON-CONFORMITY CONCERNING THE
PRODUCT OR FOR ANY LOSS OR DAMAGE RESULTING FROM ANY OTHER
CAUSE WHATSOEVER. WE WILL NOT UNDER ANY CIRCUMSTANCES BE LIABLE
TO ANYONE FOR ANY SPECIAL, CONSEQUENTIAL, INCIDENTAL, OR OTHER
INDIRECT DAMAGE OF ANY KIND.
Some states do not allow the exclusion or limitation of incidental or consequential
damages, so the above limitations or exclusions may not apply to you.
This warranty does NOT apply in the following circumstances: (1) when the product has
been serviced or repaired by anyone other than us; (2) when the product has been
connected, installed, combined, altered, adjusted, or handled in a manner other than
according to the instructions furnished with the product; (3) when any serial number has
been effaced, altered, or removed; or (4) when any defect, problem, loss, or damage has
resulted from any accident, misuse, negligence, or carelessness, or from any failure to
provide reasonable and necessary maintenance in accordance with the instructions of the
owner's manual for the product.
We reserve the right to make changes or improvements in our products from time to time
without incurring the obligation to install such improvements or changes on equipment
or items previously manufactured.
This warranty gives you specific legal rights and you may also have other rights which
may vary from state to state.
REMINDER: You must retain the sales slip or sales receipt proving the date of your
original purchase in case warranty service is ever required.
LOWRANCE ELECTRONICS
12000 E. SKELLY DRIVE, TULSA, OK 74128
(800) 324-1356
120
How to Obtain Service…
…in the USA:
We back your investment in quality products with quick, expert service
and genuine Lowrance parts. If you're in the United States and you
have technical, return or repair questions, please contact the Factory
Customer Service Department. Before any product can be returned, you
must call customer service to determine if a return is necessary. Many
times, customer service can resolve your problem over the phone
without sending your product to the factory. To call us, use the
following toll-free number:
800-324-1356
8 a.m. to 5 p.m. Central Standard Time, M-F
Lowrance Electronics may find it necessary to change or end our
shipping policies, regulations, and special offers at any time. We reserve
the right to do so without notice.
…in Canada:
If you're in Canada and you have technical, return or repair questions,
please contact the Factory Customer Service Department. Before any
product can be returned, you must call customer service to determine if
a return is necessary. Many times, customer service can resolve your
problem over the phone without sending your product to the factory. To
call us, use the following toll-free number:
800-661-3983
905-629-1614 (not toll-free)
8 a.m. to 5 p.m. Eastern Standard Time, M-F
…outside Canada and the USA:
If you have technical, return or repair questions, contact the dealer in
the country where you purchased your unit. To locate a dealer near
you, visit our web site, www.lowrance.com and look for the Dealer
Locator.
Accessory Ordering Information
for all countries
To order Lowrance GPS accessories such as computer cables or MMC
cards, please contact:
1) Your local marine dealer or consumer electronics store. Most quality
dealers that handle marine electronic equipment or other consumer
electronics should be able to assist you with these items.
To locate a Lowrance dealer near you, visit our web site,
www.lowrance.com and look for the Dealer Locator. Or, you can consult
your telephone directory for listings.
2) U.S. customers: LEI Extras Inc., PO Box 129, Catoosa, OK 74015-0129
Call 1-800-324-0045 or visit our web site www.lei-extras.com.
3) Canadian customers can write:
Lowrance/Eagle Canada, 919 Matheson Blvd. E. Mississauga, Ontario
L4W2R7 or fax 905-629-3118.
Shipping Information
If it becomes necessary to send a product for repair or replacement, you
must first receive a return authorization number from Customer
Service. Products shipped without a return authorization will not be
accepted. When shipping, we recommend you do the following:
1. Always use the original shipping container and filler material the
product was packed in.
2. Always insure the parcel against damage or loss during shipment.
Lowrance does not assume responsibility for goods lost or damaged in
transit.
3. For proper testing, include a brief note with the product describing
the problem. Be sure to include your name, return shipping address
and a daytime telephone number.

Visit our web site:
Lowrance Pub. 988-0151-041 © Copyright 2002
All Rights Reserved
Printed in USA 122002 Lowrance Electronics, Inc.