Brochure
2016-07-29
: Pdf 1000457935-Brochure 1000457935-Brochure B2 unilog
Open the PDF directly: View PDF
.
Page Count: 35

City of Del Mar
1050 Camino Del Mar, Del Mar, California 92014 -2698. Telephone: (858) 755-9313.Fax: (858) 755-2794
www.delmar.ca.us
DESIGN REVIEW BOARD
STAFF REPORT
September 25, 2013
APPLICATION: DRB-13-14/LC-13-04/CDP-13-03
REQUEST: A request for Design Review, Land Conservation and Coastal Development Permits to
demolish a one-story, single-family residence and construct a two-story, single-family residence
with associated cut and fill grading, landscaping and associated site improvements.
APPLICANTS/OWNERS: Mark Van Oene and Dano Spooner
AGENT: Bokal and Sneed Architects
SITE LOCATION: 443 11th Street
ASSESSOR PARCEL NUMBER: 300-410-14
COMMUNITY PLAN DESIGNATION: Low Density Residential
ZONE: R1-10
ENVIRONMENTAL STATUS: Exempt
BACKGROUND
The project site is located at 443 11th Street, just south of the intersection of 11th Street and Cuchara
Drive, in the R1-10 Zone (see aerial photo in Exhibit “A”). The development site is a 12,560
square-foot lot that is currently developed with a one-story, single-family residence. The
topography of the site consists of a narrow slope up from the street frontage along 11th Street to a
relatively level building pad where the existing home is located. To the rear of the house, another
slope rises up steeply, in some areas as a nearly vertical gradient, toward two adjacent properties
located on 10th Street. A mature Torrey Pine tree is located on a neighboring property, adjacent to
the project site’s easterly boundary. Surrounding uses are single-family residential in character.
Community Plan Designation
The Community Plan designates the Rl-10 Zone for residential uses at a density of 1-4 units per
net acre. This zone is designed to provide for an area of single-family residential development.
As stated in the City's Zoning Ordinance, "the standards of the zone are intended to preserve an
open and un-crowded character and protect the unique residential environment of Del Mar".
1
September 25, 2013
Item 03

DESIGN REVIEW BOARD
STAFF REPORT: DRB-13-14/LC-13-04/CDP-13-03
September 25, 2013
PROJECT DESCRIPTION:
The applicants are proposing to demolish the existing residence and construct a new one-story,
single-family residence over a partially FAR-exempt basement garage. The residence would consist
of a 2,892 square-foot main level. A 469 square-foot garage would be tucked under the main level
at the easternmost portion of the residence. The garage would be internally accessed by way of a
240 square-foot stairway/basement-storage area.
Outdoor living areas (FAR-exempt) for the new residence would include: 160 square-foot master
bedroom balcony at the north (street) elevation that would cantilever out over the driveway; a 234
square-foot, uncovered entry courtyard with two gas-fueled fire pit elements; a 570 square-foot,
trellis-covered patio at the west elevation of the structure; and a 298 square-foot barbeque patio at
the southwest portion of the structure.
Other proposed improvements include retaining walls, site walls, trash enclosure, a decorative
water feature, and a barbeque counter. Two air-conditioning condensers would be installed on
the building roof above bedroom #3. The condensers would be surrounded with a visual/sound
screen.
Summary of the applicant's proposal
Main Level
2,892 square feet
Garage
480 square feet
Stairs/Storage Area
229 square feet
Total floor area of project
3,601 square feet
FAR Exemption
468 square feet
Total FAR of project
3,133 square feet
Project’s Conformance with City Development Standards
The following table illustrates the project's conformance with the development standards of the R1-
10 Zone.
STANDARDS R1-10 ZONE PROJECT
Min. lot size 10,000 sq. ft. 12,560 sq. ft.
Front yard setback 20 ft. 20 ft.
Rear yard setback 25 ft. 25 ft.
Interior sideyard 7.5 ft. 7.5 ft.
FAR 25% 25%
Max. lot coverage 40% 32%
Height limitation 26 ft. 21ft.
Parking (garage) 2 spaces 2 spaces
As displayed in the comparison table, and with the noted exception, the project conforms with the
standards of the underlying R1-10 Zone.
2
September 25, 2013
Item 03

DESIGN REVIEW BOARD
STAFF REPORT: DRB-13-14/LC-13-04/CDP-13-03
September 25, 2013
Ceiling and Roof Heights: The proposed residence would have 10-foot plate heights for the main
level and 8-foot plate heights at the garage level. The maximum height of the structure would be
21feet-tall, as measured from the garage floor to the top of the master bedroom room, pursuant to
the provisions of the DMMC.
Exterior Project Materials:
Building walls - Tan-colored stucco with sand finish
Parapet - Precast stone
Trellis/pergola - Painted wood
Retaining/site walls - Concrete block finished with stucco to match house
Chimney - Copper Shroud
AC Screening - Aluminum painted to match stucco
A materials board will be available for the DRB review at the public hearing.
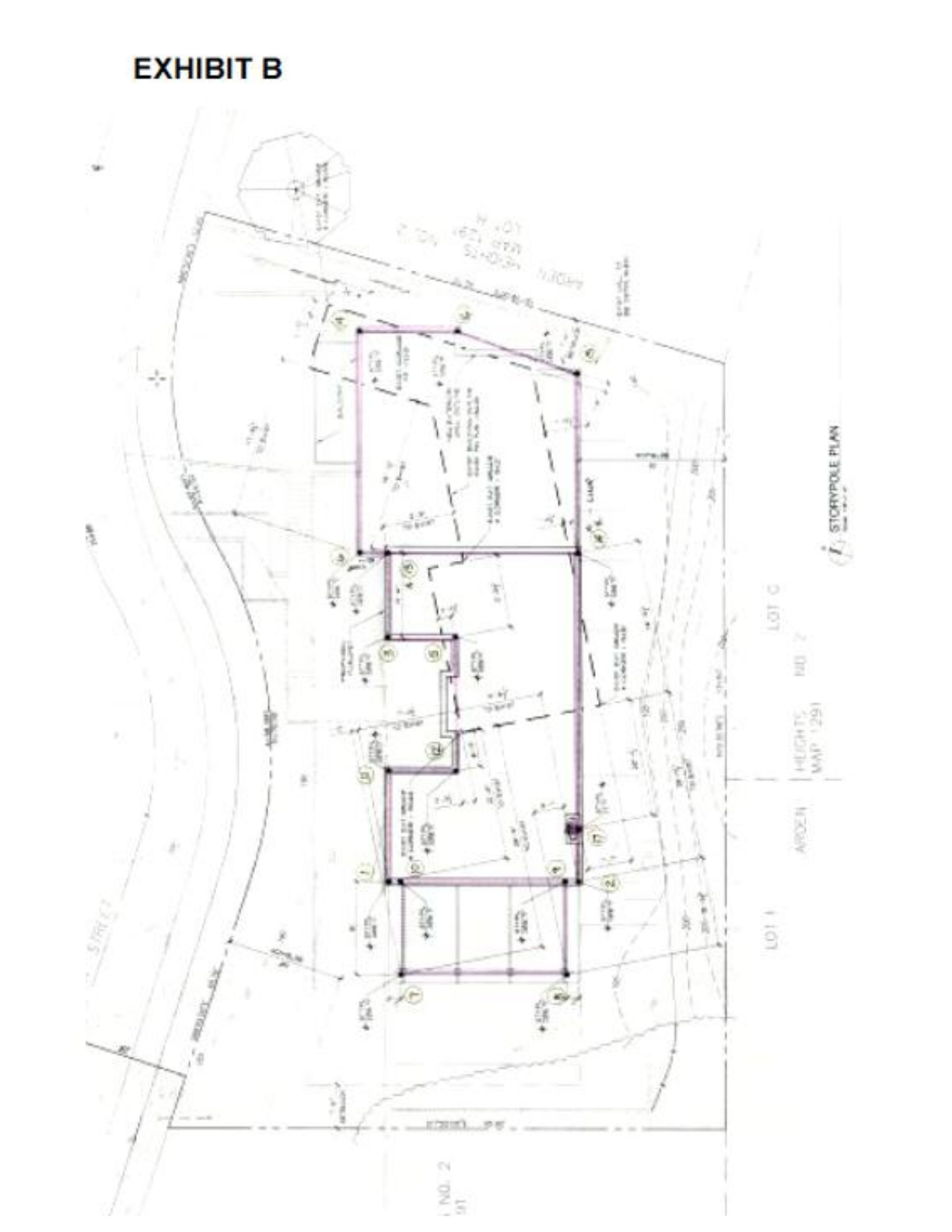
Story Poles: Story poles have been erected to depict the residence as proposed. The Board should
note that the story poles depict the locations of the exterior walls of the structure and that the roof
parapet extends an additional 6 inches past the location depicted by the stringlines. The story pole
plan has been included as Exhibit B.
Exterior Lighting: The applicant has indicated the proposed locations/types of exterior building
lighting on the site plan (plan set Sheet A-1). The proposed lighting fixtures would include exterior
wall mounted sconces and two different types of pathway lighting. Photos and specifications of the
proposed lighting fixtures have been included as Exhibit C.
Right-of-way Improvements: City Engineering staff has added a suggested condition of
approval (E-5) to this project requiring the applicant to construct street repairs/improvements for
one half the road width of that portion of Hidden Pines Road that abuts the corresponding
frontage of the property. The required repairs/improvements would include dig-out and
replacement of deteriorated sections of the roadway and would include all transitions, drainage
facilities, and other improvements as deemed necessary by the City Engineer. Those required
improvements, along with the driveway and stair/walkway access to the front door proposed in
the right-of-way require the receipt of a [separate] Encroachment Permit.
Torrey Pine Tree Protection: A Torrey Pine tree is located approximately 8 feet east of the project site,
on the property located at 511 11th Street. To ensure the health of the tree, staff has suggested a
condition of approval requiring that the applicants submit a detailed Tree Protection and
Preservation Plan and associated Report for this project. The applicant’s arborist would be required
to follow the applicable standards and guidelines of the Del Mar Public Tree Policy Manual
(Chapters 5 & 6) and shall require the on-site presence of a certified arborist during the excavations
for the driveway and associated retaining walls.
3
September 25, 2013
Item 03

DESIGN REVIEW BOARD
STAFF REPORT: DRB-13-14/LC-13-04/CDP-13-03
September 25, 2013
CITIZENS’ PARTICIPATION PROGRAM:
The project is subject to the City’s Citizens’ Participation Program (CPP), as set forth in DMMC
Sections 23.08.065-068. The intent of the CPP is to make neighbors aware of a development
proposal early in its design phase and also to give neighbors an opportunity to meet with the
project applicant and discuss concerns before the Design Review Board holds its formal public
hearing on the application. Under the CPP, applicants, or their representatives, are required to
follow a set of steps set forth in the CPP Ordinance and then prepare a report on how the CPP for
the project was conducted and the results of the neighborhood outreach. The CPP report for the
project is included in Exhibit D.
According to the CPP report, a neighborhood outreach was conducted through the mailing of
notices to neighborhood property owners and individual meetings with interested property
owners. The CPP lists the dates of the neighbor meetings and summarizes the comments and
responses from the neighbors who attended each meeting. According to the report, the
preliminary concept plans and story poles elicited a variety of comments and concerns. In
response to the concerns, which included issues regarding massing, scale, neighborhood
compatibility, and private view blockage, the project plans were revised and further refined after
follow-up meetings with specific concerned neighbors.
PROJECT’S CONSISTENCY WITH THE DESIGN REVIEW ORDINANCE:
The project involves demolition of an existing one-story home and the construction of a new
single-family home. Like the existing structure, the majority of the new residence would be
single-story and would have a similar finished-floor elevation height as the existing home.
Through the CPP process, a variety of concerns were raised by surrounding property owners
regarding the initial and [then] revised project plans. In response to the concerns raised prior to
submittal of the project for DRB review, the applicants refined the proposed design by lowering
the structure’s overall height and massing, and by providing exterior surface relief and articulation.
As of the writing of this report, the Planning and Community Development Department has
received one letter of concern regarding the project, submitted by the Reids at 1105 Cuchara Drive
(Exhibit E). While generally supportive of the project and its design, the Reids raise two issues in
their letter. First, they are concerned that the relocation of the driveway slightly to the west could
have an effect on the traffic patterns and safety at the 11th Street/Cuchara Drive intersection.
Second, the Reids are concerned about the amount of glazing (windows) at the north elevation of
the proposed residence, specifically with regard to sun glare during the day and light emission at
night.
Staff has reviewed the project relative to the regulatory provisions of the Design Review
Ordinance (DRO). Based on staff’s review of the project plans and the above-mentioned concerns
raised by the neighbors at 1105 Cuchara Drive, staff recommends that the Board review the project
relative to the regulatory provisions of the Design Review Ordinance (DRO), with particular
attention to that section pertaining neighborhood lighting impacts (DMMC 23.08.077-F).
4
September 25, 2013
Item 03

DESIGN REVIEW BOARD
STAFF REPORT: DRB-13-14/LC-13-04/CDP-13-03
September 25, 2013
Regarding the neighbor’s concern for the relocation of the garage entry (driveway), the City
Engineering Department reviewed the project plans and a vehicle sight-distance study as
prepared by the project’s civil engineer. City Engineering staff found the relocation of the
driveway to be acceptable. The Board should note that no alterations of the existing street are
proposed and the location of the new driveway would not result in any reduction of existing
street width.
PROJECT’S CONSISTENCY WITH THE LAND CONSERVATION ORDINANCE
(GRADING):
The provisions of the Land Conservation Ordinance, DMMC Chapter 23.33, require that a Land
Conservation Permit be obtained if a development proposes grading, outside the footprint of any
structure that exceeds 25 cubic-yards of cut or fill, and results in an alteration in the existing or
natural grade elevation in excess of 18 inches. The purpose of this Chapter is to insure that
development: results in minimum disturbances of existing or natural terrain and vegetation; and
does not create soil erosion, silting of lower slopes, slide damage, flooding problems, severe
cutting or scarring.
A Land Conservation Permit (LC-13-04) has been submitted in association with this development
project. The applicant has submitted preliminary grading information on the site plan that calls for
approximately 195 cubic-yards of cut grading and 20 cubic-yards of fill grading outside of the
building’s footprint. The majority of the cut grading would occur in the location of the proposed
driveway. The fill grading would be performed to the level yard area north of the structure, between
the house and the street.
Upon review of the preliminary grading plan, the grading proposed as part of this development
project appears to be consistent with the regulatory provisions of DMMC Chapter 23.33. The
submittal of a detailed grading/drainage plan, to be reviewed by the City Engineer, has been
suggested as a required condition of approval.
REQUIRED COASTAL DEVELOPMENT PERMIT/PROJECT’S CONSISTENCY WITH THE
LOCAL COASTAL PROGRAM
The project site is located within the California Coastal Zone and, therefore, requires the receipt
of a Coastal Development Permit (CDP). The applicant has submitted the necessary materials
and the CDP application has been grouped together with the required DRB permit for review by
the Board. The standards of review for the CDP application are the regulatory standards found
in the LCP Implementing Ordinances, the entirety of which have been distributed to
Boardmembers under separate cover.
Staff has reviewed the application for its consistency with the applicable provisions of the LCP,
specifically the resource protection, avoidance of hazards and public access standards.
5
September 25, 2013
Item 03

DESIGN REVIEW BOARD
STAFF REPORT: DRB-13-14/LC-13-04/CDP-13-03
September 25, 2013
The project, as conditioned, has been found by staff to meet all of the applicable regulations. Staff
is, therefore, recommending conditional approval of the Coastal Development Permit. Staff is also
recommending that the required findings can be made by the Board to the effect that: the proposed
use is consistent with the uses allowed for the underlying zone; and that the proposed development
meets the criteria and is consistent with the provisions of the certified Local Coastal Program,
including those provisions regarding preservation of public views and provision of public access
opportunities, where appropriate.
In accordance with the procedural regulations of the certified LCP, the City’s action on the
Coastal Development Permit will be reported to the California Coastal Commission. The project
is not located in a Coastal Development Permit appeals area.
ENVIRONMENTAL REVIEW:
This project is exempt from environmental review per the California Environmental Quality Act
(CEQA) guidelines. According to Class 3, paragraph (a), new single-family residences are
exempt from environmental review.
RECOMMENDATION
The Design Review Board should review this project relative to the regulatory provisions of the
Design Review Ordinance (DRO), the Land Conservation (LC) Ordinance and the Implementing
Ordinances of the Local Costal Program (LCP).
Based on staff’s review of the application materials, as proposed and conditioned, it appears that
the project may be consistent with Design Review Ordinance Regulatory Provisions. The
following suggested conditions of approval should be attached to any approval of DRB-13-
14/LC-13-04/CDP-13-03:
[Note: The conditions listed below may have gaps in numbering or lettering. These gaps are
intentional.]
General Conditions
G-1 [Business License]
Prior to commencement of any work on site, all contractors and subcontractors shall obtain a
valid City of Del Mar Business License. The general contractor shall be responsible for ensuring
that all subcontractors obtain required Business License and shall retain copies of said permits on
site for verification by City staff.
G-2 [Utility undergrounding threshold]
If the total cost of new construction exceeds $7,500 (as determined by the Building Department),
all new utility service connections shall be placed underground consistent with the provisions of
Section 30.86.210 of the Del Mar Municipal Code.
6
September 25, 2013
Item 03
DESIGN REVIEW BOARD
STAFF REPORT: DRB-13-14/LC-13-04/CDP-13-03
September 25, 2013
G-3 [Development authorization limited to plan set]
This permit is granted based on submitted plans dated September 19, 2013 and so identified by
the staff of the Del Mar Planning Department. Revisions to these plans and/or any proposals for
modification shall require review and prior authorization from the appropriate entities of the City
of Del Mar.
G-4 [Encroachment Permit for work in right-of-way]
All work and/or development proposed or required within a City of Del Mar public right-of-way
or access easement, or required within a public right-of-way or access easements pursuant to the
conditions of approval of this Permit, shall be subject to the prior receipt of a City of Del Mar
Encroachment Permit. Applications for Encroachment Permits shall include plans depicting all
proposed private and public improvements including, but not limited to, improvements involving
drainage, grading, installation of vegetation/trees and/or public utilities. The required
Encroachment Permit shall be subject to review and approval by the City of Del Mar in
accordance with the procedures set forth in the DMMC and may include requirements for
inspections and/or submittal of a security deposit(s). Please note that Design Review Board or
Planning Commission approval of plans indicating right-of-way improvements does not
constitute approval of the separately required Encroachment Permit.
G-5 [Requirement for Building Permits]
Prior to commencement of work, the applicant or agent shall obtain all required Building
Permits.
G-6 [Recycling]
All work associated with the project shall be done in conformance with the City of Del Mar’s
Mandatory Recycling Ordinance (No. 590).
G-7 [Code compliance]
Approval of this application shall not waive the requirement for compliance with the provisions
of the Del Mar Municipal Code or other applicable City regulations in effect at the time of
Building Permit issuance, unless specifically waived in this permit authorization.
G-8 [Height and setback certifications prior to framing sign off]
Prior to sign-off on the framing inspection for the project, the applicant shall provide a statement
from a Licensed Surveyor certifying that the building height and setbacks are in conformance
with the approved plans for the project. The survey required herein shall be prepared using City
of Del Mar approved vertical benchmarks for building height certification and reported to 0.01 of
a foot. The setback certification shall be based on surveyed property corners as necessary to
establish property lines and reported to 0.01 of a foot.
G-9 [Fence/wall height limitations]
All fencing, walls, and gates shall conform with all applicable fence height and pool security
fencing requirements of the DMMC.
7
September 25, 2013
Item 03
DESIGN REVIEW BOARD
STAFF REPORT: DRB-13-14/LC-13-04/CDP-13-03
September 25, 2013
G-10 [Story Pole removal]
Story poles shall be removed from the property within ten days following the final date of the
City’s action on the project application.
G-11 [Plan for Construction Phase Impacts]
Prior to issuance of Building Permits or commencement of project implementation, (whichever
comes first) the applicant shall provide a plan for construction-phase parking and
equipment/materials storage for the project. The intent of this condition is to ensure that the
construction phase impacts of the project, such as contractor and subcontractor parking and
storage of materials and equipment, have been planned and will be implemented so as to
minimize the impact on surrounding streets and uses. The plan shall also include the
identification of a haul route for delivery to or removal of materials from the project site. The
plan required herein shall be subject to the review and written approval of the Planning Director.
Haul routes and work and/or storage of material or equipment within a City right-of-way may
require the separate receipt of an Encroachment Permit.
G-12 [Receipt of Demolition Permit]
Prior to the demolition or removal of any structures on the project site, the applicant shall apply for
and gain approval for: a Demolition Permit, as required pursuant to the DMMC; and an
accompanying Coastal Development Permit, as applicable.
G-13 [Permit Expiration]
This permit shall expire three years from the date of approval, on September 25, 2016 unless a
Building Permit has been issued (if required by the DMMC) and substantial construction has been
accomplished in reliance upon the permit. Pursuant to the DMMC, substantial construction is
defined as: completion of a minimum of 10% of the total amount of construction authorized by the
permit, based on the monetary value of construction costs including grading, site preparation and
construction but specifically excluding all costs associated with the acquisition of interest in the
project site and all costs associated with the preparation and processing of permits or plans.
G-14 [Preconstruction Meeting]
Prior to any demolition, construction, and/or land disturbances occurring on-site, a pre-
construction meeting shall be held. Attendees to this meeting shall include representatives from
the City of Del Mar’s Planning and Engineering Departments, the Project
Contractor/Superintendent, the Project Architect, the Project Engineer, the property owner and
any others essential for the proper implementation and completion of this project. At a
minimum, the following issues shall be reviewed at this meeting:
a. City of Del Mar inspection requirements.
b. Process for requests for plan modification and determinations of substantial conformance.
c. Discretionary permit conditions and requirements.
d. Construction hour limitations and noise standards.
e. Construction access and parking including equipment/materials storage and maintenance.
8
September 25, 2013
Item 03
DESIGN REVIEW BOARD
STAFF REPORT: DRB-13-14/LC-13-04/CDP-13-03
September 25, 2013
f. Work within public rights-of-way and/or easements.
g. Stormwater Best Management Practices.
h. Tree-preservation requirements.
i. Demolition permit requirements.
j. Signage requirements/limitations.
k. Neighborhood impact issues.
l. Key contact information.
m. Business license requirements.
n. Any other pertinent construction related activities and or information.
G-15 [Statement of accuracy/agreement regarding third-party lawsuits]
Prior to the issuance of building permits or project commencement, whichever comes first, the
applicant shall submit a statement regarding the accuracy of submitted plans/materials and agreeing
to hold the City of Del Mar harmless from third-party lawsuits filed challenging the City’s approval
of this permit. The agreement shall also include a commitment to defend the City of Del Mar from
any third-party lawsuits filed challenging the City’s approval of this permit. The form and content
of the statement and agreement required herein shall be subject to the review and approval of the
Planning Director.
G-16 [Compliance with City noise regulations]
The applicant and all parties involved with implementation of the project shall comply with the
regulations of the DMMC with regard to construction noise. The regulations stipulate that all
construction activities are limited to the following periods: between 7:00 a.m. and 7:00 p.m. /
Monday through Friday and between 9:00 a.m. and 7:00 p.m. on Saturdays. Construction activities
are prohibited during other hours and on Sundays and City Holidays. The City’s noise ordinance,
Chapter 9.20 of the Del Mar Municipal Code, includes the dates of City Holidays, and can be
viewed on the City’s web page (www.delmar.ca.us).
G-17 [Dig Alert]
Prior to excavation or trenching, the applicant shall call Underground Service Alert of Southern
California (Dig Alert- 1-800-227-2600) for a mark out of service utilities.
G-18 [Rules for Construction-related Signage]
All construction-related signage posted at the project site shall comply with DMMC Chapter 30.84
(Signs). The pertinent sections of the Sign Chapter allow installation of a total 5.5 square feet of
temporary signage on a residential property (that is cumulative of all signs posted). Such signs may
be posted for a maximum of sixty (60) days in a calendar year.
The restrictions noted above do not apply to the Development Pending, Construction Noise Notice
and Building Permit signs required by the City as part of the project review process.
All construction related signage, including City required signs, shall be removed prior to final
approval of the project.
9
September 25, 2013
Item 03

DESIGN REVIEW BOARD
STAFF REPORT: DRB-13-14/LC-13-04/CDP-13-03
September 25, 2013
Engineering Conditions
E-2 [Separate permits for off-site work]
All improvements to off-site facilities, including the provision of access road and/or utility lines
as proposed or required pursuant to the conditions of this Permit, shall be subject to the receipt of
separate City of Del Mar permits, as applicable.
E-4 [Engineering Fee]
Prior to issuance of Building Permits, the applicant shall provide fees as delineated in the City of
Del Mar’s Engineering Review Fee Schedule as funds necessary for Engineering Department
review of the proposed site improvements. If additional review beyond the scope outlined in the
Engineering Review Fee Schedule becomes necessary, a supplemental deposit(s) will be
required.
E-6 [Private Drains]
Unless specifically authorized in permit plans, drains in landscape areas discharging to public
rights-of-way shall not be allowed. Drains discharging into public rights-of-way may be
authorized, subject to review by the City Engineer and only if warranted by unique site
conditions. In such cases, design elements shall be incorporated into the plans which reduce the
potential for stormwater pollution and nuisance drainage to the maximum extent practicable. The
project engineer’s evaluation shall include, but not be limited to, consideration of the potential
effect of proposed construction on site groundwater and moisture conditions. All hardscape
drains, roof drains, wall drains and other private drains shall be shown in detail on improvement
plans. Site drainage shall be designed such that, in the event of plugged or overloaded
inlets/outlets, storm flows will be conveyed in a manner that is not detrimental to the site or other
properties.
E-7 [Grading calculations/requirement for Grading Permit]
Prior to the issuance of Building Permits, the applicant shall provide grading calculations,
including cross sections, and other supporting documentation, to verify the quantity of earthwork
proposed outside the building footprint(s). If over 200 cubic yards, or 5 vertical feet of
earthwork is proposed, the applicant shall obtain a Grading Permit. Additionally, a Land
Conservation (LC) permit may be required, pursuant to the provisions of the Del Mar Municipal
Code.
E-9 [Grading]
The grading for the project shall be performed under the observation of a licensed civil engineer
whose responsibility shall be to coordinate site inspection and testing to ensure compliance with
the approved Grading Plan. The Engineer shall submit reports to the City Engineer to verify
compliance, as deemed necessary.
E-10 [Detailed Grading Plan]
Prior to issuance of Building Permits, the applicant shall obtain a Grading Permit from the City
of Del Mar. A grading plan shall be prepared in accordance with the latest edition of City of Del
10
September 25, 2013
Item 03
DESIGN REVIEW BOARD
STAFF REPORT: DRB-13-14/LC-13-04/CDP-13-03
September 25, 2013
Mar’s “Applicant’s Guide to Procedures for a Grading Permit.” The Grading Plan shall be
prepared to the satisfaction of the City Engineer and shall:
E-10-A Be prepared in accordance with the City of Del Mar “Applicant’s Guide to Procedures
for a Grading Permit,” latest edition. In addition, a topographic map shall be prepared
by a Registered Civil Engineer or a licensed land surveyor. The topographic map shall
indicate property lines, topographic features and existing and/or proposed structures.
Said map shall include two-foot contour lines and/or sufficient spot elevations to
clearly represent existing and proposed topographical features, and existing and
proposed drainage patterns. Survey shall extend minimum 25 feet beyond limits of
work. Said map shall also show entire property boundary including any assumed found
monuments, and bearings and distances based on record information;
E-10 B Depict the location of property lines and topographic features of the site that adequately
address how private storm water is to be collected, conveyed, and discharged on or
across the subject site with respect to the proposed project;
E-10 C Include a grading cost estimate for review, based on the City of San Diego’s Unit Price
List;
E-10 D Depict the limits of grading;
E-10 E Include provisions to collect, convey, and discharge storm water in an appropriate
manner, considering the added impact of impervious surface area to the site;
E-10 F Include provisions to ensure that storm water will not be concentrated and discharged
across adjacent properties;
E-10 G Include a hydrology/hydraulic report prepared by a Registered Engineer that addresses
how storm water will be adequately collected and conveyed on and across the subject
property. The report shall also address the tributary area for run-off directed to and
across the subject property. The report shall include calculations and details
demonstrating that if proposed inlets/outlets, etc. are plugged or overloaded, the site is
capable of conveying storm flows in a manner that is not detrimental to surrounding
properties;
E-10 H Incorporate all recommendations pursuant to the hydrology/hydraulic report prepared
for the project;
E-10 I Include mitigation measures and project modifications as recommended in the required
Geotechnical Report prepared for the project;
E-10 J Depict the location of existing or proposed easements within the property boundary;
E-10 K Depict the existing sewer and water mains and laterals serving the residence;
E-10 L Depict the location of erosion control devices to be implemented in the event of
rainfall;
E-10 M The methods for providing temporary erosion control during the construction phase of
the project, complete with the inclusion of standard grading and erosion control notes
on the plans;
E-10 N Include methods to ensure retaining wall sub-drains will not discharge onto City streets,
as they contribute to nuisance water. Sub-drains shall daylight on private property to
allow percolation back into the soil;
E-10 O Ensure existing or proposed private pipe outlets will not convey or discharge nuisance
water (i.e., from over-irrigation, pool splash run-off, planter area drains, French drains,
11
September 25, 2013
Item 03
DESIGN REVIEW BOARD
STAFF REPORT: DRB-13-14/LC-13-04/CDP-13-03
September 25, 2013
etc.) onto adjacent streets. The applicant shall provide methods to eliminate the
discharge of nuisance water;
E-10 P Ensure that the development will minimize the amount of impervious surface area and
maximize the on-site dissipation of storm water run-off;
E-10 Q Include storm drain run-off "Best Management Practices" that minimize the volumes of
urban run-off discharge to City rights-of-way, as acceptable to the City Engineer;
E-10 R Provide elevations and slope call-outs to clarify how water will drain around the
proposed patio hardscape, with assurances the runoff will not be conveyed over
sensitive topographic features;
E-10 S Include a 5-foot wide buffer zone to be maintained along the edge of pavement along
the street frontage. No obstructions (i.e., walls, trees, benches, etc.) shall be permitted
within this area;
E-10 T Include landscaping plans with characteristics that maximize infiltration, provide
retention, reduce irrigation and storm water run-off, use efficient irrigation, and
minimize the use of fertilizers, herbicides and pesticides;
E-10 U Include plans showing source control BMPs in place with an accompanying certified
letter noting the implementation plans for said BMPs;
E-10 X Ensure that the grading and other construction activities meet the provisions
specified in the California RWQCB, San Diego Region, Order 2001-01, NPDES No.
CAS0108758 – Section F.2 and subsequent orders. Interception of run-off from the
proposed driveway to preclude direct flow to the adjacent streets right-of-way. This
may be accomplished by incorporation of pervious driving surfaces, diversion to
landscaped areas using swales or grates, etc. The project engineer’s evaluation shall
include, but not be limited to, consideration of the potential effect of proposed
construction on site groundwater and moisture conditions. Provide spot grades and/or
contours to substantiate design;
E-10 Z Include any necessary pavement transitions to create a ridge for the proposed
driveway(s) that raises a minimum of 6-inches from the edge-of-pavement or flow line
to ensure street drainage is not discharged onto the site. Provide spot grades and/or
contours to substantiate design.
E-10 AA The following note shall be added to the plans if shoring is required: Unless a shorter
duration is recommended by the geotechnical engineer, the proposed temporary shoring
shall remain for no longer than 60 calendar days. At the conclusion of the originally
allotted time, 30-day extensions may be obtained if acceptable to the City Engineer,
Director of Public Works and the project geotechnical consultant. At the conclusion of
the permitted time period, the temporary shoring shall be replaced with an approved
permanent structure in accordance with the structural and geotechnical engineer’s
recommendation;
E-10 AB Following construction completion, the project designer shall inspect as-built
improvements. Significant discrepancies, if any, between the approved plans and as-
built conditions shall be brought to the attention of the Planning Department and City
Engineer. If significant discrepancies exist, an as-built plan prepared by the project
designer may be required. Prior to final sign-off by the City Engineer, the project
12
September 25, 2013
Item 03
DESIGN REVIEW BOARD
STAFF REPORT: DRB-13-14/LC-13-04/CDP-13-03
September 25, 2013
designer shall prepare and sign an as-built certification indicating that the project was
completed in accordance with approved plan.
E-11 [Geotechnical Report requirement]
Prior to issuance of Building Permits, the applicant shall provide a geotechnical report for the
project. The report shall be prepared, signed and sealed by a Certified Engineering Geologist
and a Geotechnical Engineer or registered Civil Engineer. This report shall be subject to review
and approval by the City of Del Mar Engineer, County of San Diego Building Department(s),
and if deemed necessary, a third-party with expertise in Geotechnical issues. The report required
herein shall:
E-11 A Include all standard information as required by the County of San Diego Grading
Ordinance;
E-11 B Evaluate existing site constraints;
E-11 C Evaluate potential effect of proposed construction on nearby slopes, sensitive
topographic features and neighboring properties;
E-11 D Include a geotechnical evaluation of the long term stability of adjacent slopes;
E-11 E Provide any mitigation measures as necessary;
E-11 F Provide recommendations for any special construction methods as necessary;
E-11 G Include the preparation of field tests to be performed at the site during construction, so
as to ensure that field conditions are suitable for the approved construction. The
results of such tests may necessitate revisions to the project with such revisions
subject to review by the appropriate City entities;
E-11 H If retaining walls are required, give recommendations for back-cuts for the construction
of retaining walls. These recommendations shall include a time limit that the back-
cuts can remain in place without either creating a stable backfill, or completing
construction of the approved retaining walls. If the recommended time deadlines are
not met, the applicant, by signing these conditions, grants the City permission to work
on their private property to secure the back-cuts, and use the cash security to perform
the work;
E-11 J Address the presence of groundwater and the need to provide subdrains for
groundwater extraction. If extracted groundwater is discharged to surface waters, the project
must comply with State Regional Water Quality Control Board Order No. R9-2008-0002.
E-11 K If the final project SWMP specifies infiltration BMPs, the geotechnical report must
address the feasibility of long term infiltration of stormwater runoff on-site.
E-12 [Security deposit]
Prior to issuance of Building Permits, the applicant shall post a security in an amount approved
by the City Engineer for the proposed grading. Said security shall be in a form acceptable to the
City and shall remain in place until completion of the grading and final approval by the City.
The amount shall be based on 25% of the approved grading cost estimate prepared as a part of
the Grading Permit.
13
September 25, 2013
Item 03
DESIGN REVIEW BOARD
STAFF REPORT: DRB-13-14/LC-13-04/CDP-13-03
September 25, 2013
E-13 [Authorization for off-site work]
E-13-A Prior to the issuance of Building Permits, the applicant shall obtain letters of permission
from affected property owners if construction or construction access is required across
property lines.
E-13-B The following note shall be included on the plans for the Permit: “No grading shall
occur outside the limits of the approved grading plan unless prior written authorization
is obtained from the City and the owners of any other affected properties”.
E-14 [Grading –Separate permits for borrow or disposal site]
A separate Grading Plan shall be submitted and approved and a separate Grading Permit issued
for any off-site borrow or disposal site, if located within the city limits. An Encroachment
Permit will be required to identify the haul route proposed for this purpose. If the borrow or
disposal site is located outside of the City, the applicant shall provide evidence of receipt of
required permits/authorizations.
E-15 [Covenant – Formation of Assessment District]
In accordance with the Del Mar Municipal Code, the developer shall execute and record a
covenant with the County Recorder agreeing not to oppose the formation of an assessment
district to fund: the undergrounding of utility facility improvements; the installation of
streetscape improvements; or the installation of other utility improvements.
E-17 [Long Term Maintenance of BMP’s]
Prior to the issuance of Development Permits, the applicant shall submit, for City review and
approval, a funding mechanism which will ensure ongoing long-term maintenance of all
structural post-construction Best Management Practices (BMPs).
E-22 [Soil Stabilization]
The applicant shall utilize sediment controls only as a supplement to erosion prevention for
keeping sediment on-site during construction – NEVER as a single or primary method.
E-22-A The applicant shall clear and grade only the areas on the project site that are necessary
for construction.
E-22-B The applicant shall minimize exposure time of disturbed soil areas.
E-22-C The applicant shall submit a schedule to the City for review and approval, with
proposed dates, demonstrating the minimization of grading during the wet season and
coinciding the grading with dry weather periods, permanent revegetation and
landscaping as early as feasible, temporary stabilization and reseeding of disturbed soil
areas as early as feasible.
E-22-D The applicant shall stabilize all slopes per City approved method.
E-23 [Required Backflow Prevention]
If the project authorized by this permit will involve installation or retention of any plumbing
drainage fixtures at a level below that of the PUBLIC sewer main serving the project site, the
14
September 25, 2013
Item 03
DESIGN REVIEW BOARD
STAFF REPORT: DRB-13-14/LC-13-04/CDP-13-03
September 25, 2013
applicant shall install a private backflow prevention device on their private lateral per the
requirements shown below.
The plans shall be submitted prior to the issuance of building permits and shall be according to
the Uniform Plumbing Code and subject to the review and written approval of the Planning
Director and City Engineer. Once installed, the private backflow prevention device(s) shall be
subject to inspection by the City Engineer prior to final sign off for the project.
E-24 [Access to Water Meters]
Access to proposed or existing water meters located on or immediately adjacent to the property
shall remain open and unobstructed at all times. Prior to the issuance of building permits, the
applicant shall demonstrate that no structure or vegetation is proposed so as to restrict access to
the water meter. In the event access is blocked by project implementation, the applicant shall be
responsible for the removal any obstruction at his/her expense or shall pay for the cost of
relocating the water meter to allocation acceptable to the Public Works Department.
E-25 [Updated Title Report]
Prior to the issuance of Building Permits the applicant shall prepare an updated title report for the
property.
E-26 [Compliance with City of Del Mar JURMP]
This project shall conform to Section 5 (Construction Component) in the latest edition of the
City of Del Mar's Jurisdictional Urban Runoff Management Program (JURMP).
E-29 [Design of inlets/outlets]
Site drainage shall be designed such that, in the event of plugged or overloaded inlets/outlets, storm
flows will be conveyed in a manner that is not detrimental to the site or other properties.
E-30 [Proposed Retaining Wall]
The proposed retaining wall on the Eastern edge of the property shall be designed and constructed
completely within the property. No portion of the wall or footing shall extend across the property
line.
E-31 [Utility Service]
If any new or modified connections to the water or sewer mains in the public right-of-way are
proposed, additional plan sets and review fees may be required.
E-32 [Stormwater Checklist]
The applicant must submit an updated Stormwater Checklist for Standard Projects. A BMP Site
Plan must be included and attached to the Checklist.
E-33 [Stormwater Compliance]
Stormwater compliance requirements are subject to change based on adoption of pending revisions
to state and local regulations. Changes to the regulations are likely to include the following: revised
Priority Development Project definitions, additional/revised hydromodification mitigation
15
September 25, 2013
Item 03

DESIGN REVIEW BOARD
STAFF REPORT: DRB-13-14/LC-13-04/CDP-13-03
September 25, 2013
requirements, and increased emphasis on on-site retention/re-use. These changes could significantly
impact the design, type, and size of BMPs necessary for compliance. The new regional MS4 Permit
(tentative Order No. R9-2013-0001) is currently schedule to be adopted in the spring of 2013.
Fire Conditions
F-1 [Class A Roof]
All structures shall be provided with a Class “A” Roof covering to the satisfaction of the California
Building and Fire Code. NO wood shake shingles are allowed.
F-10 [Address Numbers]
STREET NUMBERS: Approved numbers and/or addresses shall be placed on all new and
existing buildings and at appropriate additional locations as to be plainly visible and legible from
the street or roadway fronting the property from either direction of approach. Said numbers shall
contrast with their background, and shall meet the following minimum standards as to size: 4”
high with a 3/8” stroke for residential buildings, 8” high with a ½” stroke for commercial and
multi-family residential buildings, 12” high with a 1” stroke for industrial buildings. Additional
numbers shall be required in following locations; where deemed necessary by Fire Marshal, such
as rear access doors, building corners, and entrances to commercial centers. ALSO; where
structures are located off a roadway on long easements/driveways, a monument marker shall be
placed at the entrance where the easement/driveway intersects the main roadway. Permanent
address numbers with height conforming to Fire Department standards shall be affixed to this
marker.
F-12 [Automatic Fire Sprinkler System-Commercial, Multi-Family And Residential
Structures And Garages; Fire Department Connections For Multi-Family And Commercial
Sprinkler Systems And Related Control Valves]
All structures shall be protected by an automatic fire sprinkler system designed and installed to the
satisfaction of the California Fire Code and Del Mar Municipal Code 10.04. Plans for the
automatic fire sprinkler system shall be submitted prior to start of construction and approved by
the City designated fire plans examiner prior to any on site building construction inspection (other
than slab, grading inspection) by a building official.
F-13 [Smoke Detectors/Fire Sprinkler Systems]
Hard-wired Smoke detectors shall be installed in new construction when valuation of project
exceeds $1000.00, as required by California Building or Fire Codes.
F-14 [Occupancy and Area Separations]
Shall be provided in accordance with current Building and Fire Codes.
F-17 [Basement]
All basements shall be designed and equipped with emergency exit systems consisting of operable
windows and lightwells. All lightwells if serving as one or more exits from a basement shall be
equipped with fixed metal ladders as part of the exit. Lightwells that intrude into sideyard or
16
September 25, 2013
Item 03

DESIGN REVIEW BOARD
STAFF REPORT: DRB-13-14/LC-13-04/CDP-13-03
September 25, 2013
backyard setbacks of five feet or less shall require a hinged grating covering the lightwell opening.
The grating shall be capable of supporting a weight of 250 pound person; yet able to be opened by
someone of minimal strength with no special knowledge, effort or key or tool. Any modification of
previously approved plans related to this condition (F-17) shall be subject to re-submittal and
review by appropriate City of Del Mar staff (Fire, Planning and Building).
F-18 [Obstruction of Roadways during Construction]
All roadways shall be a minimum of 20 feet in width during construction and maintained free and
clear, including the parking of vehicles, in accordance with the California Fire Code and California
Vehicle Code.
Landscape Conditions
L-1 [Landscape Improvements in the right-of-way]
Provided an Encroachment Permit is obtained, as may be required by the Municipal Code, the
applicant may make landscape improvements in City rights-of-way compatible with those on the
adjacent private property. The landscape improvements shall be detailed in a
Landscape/Irrigation Plan submitted for City review and approval. Large or fast growing trees
or shrubs which could affect power or other utility lines, vehicle travel way, parking, or site
distances shall be prohibited unless specifically authorized by the City. Unless otherwise
authorized via written City approval, turf areas shall be limited and maximum use shall be made
of drought tolerant ground cover and shrubs. The property owner shall also be required to
maintain installed trees, shrubs, turf, ground cover, irrigation, and other improvements in the
right-of-way to the City’s satisfaction and may be required to record a Covenant Agreement
memorializing this requirement.
L-3 [Torrey Pine Tree Preservation Plan]
Prior to the issuance of Building Permits, the applicant shall submit a detailed Tree Protection
and Preservation Plan and associated Report for the Torrey Pine Trees located at 511 11th Street,
east of the proposed structure. The plan shall be prepared in accordance with the provisions of
Chapters 5 & 6 of the Del Mar Public Tree Policy Manual and shall additionally require the on-
site presence of a certified arborist during the basement excavations nearest to the subject Torrey
Pine trees. The Plan/Report shall be submitted for the review and approval of the Planning
Director.
Special Conditions
S-12 [Lighting Plan]
Prior to the issuance of Building Permits, the applicant shall provide a Lighting Plan for the
project identifying all exterior lighting fixtures proposed for installation on or around the
structures authorized in this Permit. The Plan required herein shall be subject to the review and
written approval of the Planning Director and shall be reviewed to ensure that the lighting will be
of a low-level intensity and that the fixtures will be installed so that the source of light will not
be directed to or visible from adjacent properties or adjacent rights-of-way. In the event that the
17
September 25, 2013
Item 03

DESIGN REVIEW BOARD
STAFF REPORT: DRB-13-14/LC-13-04/CDP-13-03
September 25, 2013
applicant disagrees with the Planning Director’s determination on the acceptability of the
Lighting Plan, the applicant shall have the opportunity to present the Plan to the Design Review
Board for approval at a noticed public hearing.
Respectfully Submitted,
Matt Bator, AICP
Senior Planner
Exhibit A – Aerial Site Photo
Exhibit B – Story Pole Plan
Exhibit C – Proposed Lighting Details
Exhibit D – CPP Report
Exhibit E – Letter of Concern
18
September 25, 2013
Item 03

19
September 25, 2013
Item 03

20
September 25, 2013
Item 03

Outdoor > Valera > P5800-20
Curront Sêarch Cr¡toria
Category All Categories E
Finish rAl¡ Finishes E
Famity lAll Families E
stYe iAll Styles E
Room i All RoomType E
L¡ghls r Number of Lights p
r New Products
r Thomasville Lighting
r Delta Bath Match
r Progress LED
r Energy Star Products
r Bar Lighting
r Bathroom Lighting
r Bedroom Lighting
r Dining Room Lighting
r Great Room Lighting
r Hall & Foyer Lighting
) Kitchen Lighting
) Outdoor Lighting
r Sitting Room Lighting
) Accessories
r Bath & Vanity
r Bath Fans
) Ceiling Fans
¡ Chandeliers
r Close-to-Ceiling
r Commercial Outdoor
r Directionals
) Exit Signs
) Flex Track System
r l-{all & Foyer
) Landscape
r LED
) Modular Fluorsscent
r Outdoor
) Pendants
) Pêndants Mini-
Pendents
r Recessed-Accessory
) Recessed-l-busing
r Recessed-Trim
) Sconces
r Step Lights
) Track
) [.fndercabinet
) Wall Bracket
P5800-20
Category: Outdoor
Room Type: Outdoor Lighting
Finish: Antique Bronze
Style : Contern porary/Modern
Fâmily: Valera
Description: One-light energy eficietrt CFL Small Wall Lantern
finished ¡n Antique Bronze,
MSRP/Retail: $'145 65
Buy Local t )
-@
Product Details
Width/Diameter: 5-5/8"
Height: 8-1/8"
Lamp Quantiq¡ one
Lamp Type: GU-24
Lamp Wattage (Max): 18
Notes:
You Might Also Be lnterested ln
E Product Support
Product Gu¡des (PDF)
lnstallation
Product Specs
Warrantywill \'ary by seller,
Still Need ilrore Support? Contact lJs
€]
EI
Eil
IE
P5800-09 P5800-20
lh
rl
-4!qq-
P5801-09 P5801-20
StVe All Categories prini.n All Finishes pramily All Familiäs
All contents Copyright @ 201'1 Progres L¡ght¡ng/Hubbell L¡ghting
Tems of Uæ | Contact Us I An af¡l¡ate of Hubbell lncolporated,
Buy Online )
^ Back ïo Top Try a new search
,â777TSì\
(HUE|BEI¡-) trfl@@
EXHIBIT C
21
September 25, 2013
Item 03

I,T(;II1]NC
liltrx;lìl,,ss' Compact Fluorescent Valera
Title 24
ADA
Outdoor
Finish
Type
P5800
P580'l
Dimensions (lnches)
AEC
-09 -20
¡!
tr!
Gtalog Brushed
Nickel
Antique
Brcnze D
No. [amping
P5800
P5801
-09
-09
-20
-20
1-18w CFL
1-26w CFL
5-5/8
8-5/8
8-1t8 4
11-1/8 4
4
5-1n
l._n-+l
D
B
P5800
+
Progress Lighting
701 Millennium Blvd.
Greenville, South Carolina
29607
Specifications:
General
. White polycarbonate soft rectangular
diffusers:
o For P5800: 5-318" W x 8" L x
3-314',T
o For P5801 :8-3/8" W x '11 " L x
3-3t4" r
o Die cast aluminum trim top, sides and
bottom
. Top of diffuser is closed in white
polycarbonate and bottom is open for
up and down lighting
. lndoor or outdoor use
¡ Lamps (by others) are 18 watt or 26
watt spiral CFL3 with a GU24 base
o Plated Brushed Nickel G09), or painted
Antique Bronze C20) finish
. Back plate is white painted steel
. Title 24 compliant
. ADA (American with Disabilities Act)
compliant
Mounting
. Wall mounted
. Back plate covers a standard 4"
hexagonal recessed outlet box
¡ Mounting strap for outlet box included
Electrical
. GU24 base socket
. Pre-wired
Labelino
' "@;. wet location listed
wwwprogressli ghting.com 3t10
22
September 25, 2013
Item 03

FXLurninaire
AN-10, AN-15, AN-20
Ihe limeless
Beauty of Copper
When engineering a new powder-
coot finish ot FX we strive to moke Ìt
oppear orgonic so it blends into the
su rround i ng e nvi ron me nt. N o
powdercoot wÌll ever look os noturol
os copper since it does not develop
on uneven mottled finish thot
consrsts of the full spectrum of
eorthtones. Although we ship the
copper poth lights in o bright
conditìon they will quickly tarnish to
o penny brown, moss-green brown or
o blue-green (by the oceon).
MOST TALENTED
LIGHTING PERFORMANCE
We have extended our path
light f amily with the new AN
It is the newest addition to our
grande family. Similar to the DL
in size and shape, the AN has a
smooth, all copper top, finish,
while the DL has a sharp and
styllsh brass top.
Milled from extra heavy gauge
copper and brass this petite
luminaire is engineered to
survive. This model is perfect
for coastal exposures or areas
where irrigation water contains
high levels of mineral or caustic
salts
6 25"/15 88 cm
E
n
o
f
/ttt) l1l4 fi2¿i0 I ii r:,|ll
23
September 25, 2013
Item 03

ORDERING INFORMATION
AN: Path Light
ETALS
FIXTURE CODE LAMP CODE RISER CODE FINISI{ OPTIONS
xx
(see opt¡ons
to r¡ght)
ut
Eon E
10 (lo,OOO Hr Xenon)
15 (1j,OOO Hr Xenon)
20 (5,OOO Hr Xenon)
lOH(2,OOO Hr Hologen)
2OH (2,OOO Hr Hologen)
MOUNTING OPTIONS
Long Slot Splke (25OO\584OOOO) 2.5"x,0" lncluded )
Super Slot Spike (7539OO) 2" x lO"
SuperJ-Box (SJ-XX"¡ Z S" x 12"
Post Mount (PM-XX"¡ 2 5" x 13"
8R (8" Riser)
12R(12" R¡seÒ
18R (r8" Riser)
24R (24" R¡seÒ
36R (36" Riser)
Long Super
Slot Splke Slot Spike
The AN inctudes your choice of lomp, riser size, ond finish. All AN poth lights come stondard with the
Long Slot Spike. Field tnstolted Optìons must be ordered seporotely and will come in o separate box.
POWDERCOAT
WG = White Gloss
FW = Flat White
AL = Almond
BZ = Bronze Metallic
DG = Desert Granite
Wl = Weathered lron
VF = Verde Speckle
SB = Sedona Brown
FB = Flat Black
** Denotes powdercoot f¡n¡sh
Note: only the copper portions of
the Pathlights are powdercoated
The brass pieces rematn natural
f,
ffi
ru
t
I
t
r
I
DL-20
3
.88
.33
.14
.oE
.03
.01
Super
J-Box XX'* Post Mount
xx..
EXAMPLE: AN-1O-l8R-CU = AN - 10 Watt Xenon - 18" Riser - Copper Finish
LSS = Lo¡g 5¡o¡ 5O¡¡"
For conversion to lumens: Multrply fætcandl€s x 10 See FX glossary lor a full descript¡on of fc and lumens
DL-IO
DISfANCE
2',
6',
8'
lo'
12',
14',
1.5
.31
.14
.08
.03
.01
0
FACTORY INSTALLEDOPTIONS: OTCICT,I + 2 + 3 + 4
FIELD INSTALLED oPTloNS: Order lndividually
PHOTOMETRICS:
SPACING FOR MINIMUM FOOTCANDLE
ILLUMINATION ON LEVEL GROUND.
ir, ,( ¡¡rr .rrrl I i iì ir/r i r l,
rlt '(r' /(.jici,rì;r r/ /, (r - L '!
4/t) FXi i1t¡ìin;¡ii ' :
24
September 25, 2013
Item 03

LED Woll Lrghts
The CP is engineered to bring LED efficiency to
wolkwoys, stoirwoys, ond decks. ln oddition, the CP
is helpful for lighting oreos with potentiol wolking
hazords thot do not hove on odjocent plqnter oreo
for poth lighting, or trees ond trellises.
CP: Wall Light
NUMBER OF LEDS:
HALOGEN LUMEN OUTPUT EQUIVALENT:
USEFUL LED LIFE (L7O):
INPUTVOLTAGE:
VA TOTAL: (Use thls number to slze the translormer)
WATTS USED:
TUMENS PER WATT (EFFICACY)
MAX LUMENS¡
ccT (Ra)
10 Wâtt
50,000 hrs avg
E
@
I
@
N
@
N
10 to 15V
24
20
22
4
79.9
¡j
5leeve
FacePlate
dE
o
@
N
N
Box
el
-l
{l
ol
I Learn more about FX Luminaire wall lights, Visit: fxl.com,/products
25
September 25, 2013
Item 03

T
CP: Wall Light
FIXTURE CODE IAMP CODE FINISH OPTIONS
E at [',arofro,oooovstirehours) þ,,1.""ootionstoright)
The CP includes o 1LED boord, your choice of foceplote fìnish, 10 ft. leod wire ond mounting sleeve.
EXAMPLE: CP-lLED-SB = CP - l LEDs - Sedona Brown Finish
CP 1LED ILLUMINANCE AT A DISTANCE
.7 Ît
13ft
2.0 ft
2.7 ft
3,3 ft
4.0 ft
Verticàl SÞread:55 4o I Horizontal Spreàd:65 7"
Eeam angle I s catcula ted ushg LM-79 method for sSL Lumræ res "Beam angle rs defrned as two times the vertrcal an8þ å t whlch the rnlensity ls 50% o f the marmum'
For information on ZD technology pleose refer to the Luxor poge in the Lighting Control section.
METALS
I t:-**f!'"''on'".
I al:*:þueTumbred*
ffi nr=*,.0"' ,,"."
CU = Copper
POWDERCOAT
Center Beam FC
0fc
0fc
0fc
0fc
0fc
0fc
Beam Wldth
0.7 fr
1.4 ft
2.1tT
2.8ft
3.5 ft
4.2ft
WG = White Gloss
FW = Flat White
AL = Almond
BZ = Bronze Metallic
DG = Desert Gran¡te
Wl = Weathered lron
VF = Verde Speckle
SB = Sedona Brown
FB = Flat Black
' May requ¡re longer leod time
f
ffi
H
I
I
I
AIICP wolllights come
stondord with omber,
dnd frosted filters
ORDERING INFORMATION tED
FACTORY INSTALLED OPTIONS: OTdCT -I + 2 + 3
PHOTOMETRICS
FXI .illnilulilq'
26
September 25, 2013
Item 03

27 June 2013
Spooner Residence
Cilizen Porlicipolion Progrom - Finol Report
4d'3l ltt'Streel, Del Mor, CA920l4
Mork ond Dqno Spooner qre proposing to build o new home of 4431lh Street, Del Mor, The
property is locoted within on estoblished residentiol neighborhood in the Rl-10 Zone. The site
currently confqins o single-fomily residence qnd ossociqted site improvements, The project is
conceptuolized os q one-story home over o portiolly subterroneon bqsement goroge. The
design is envisioned in o worm contemporory orchitecture, with o flot roof, ond utilizing noturol
moteriols ond eor-th-tone colors, The project involves site work, including new wolls, potio
spoces ond londscoping,
A Citizens Porticipotion Neighborhood Meeting wos held on April 30, 2013 from 5:00 to 7:00 PM
for the purpose of goining eorly neighborhood comment on preliminory project plons, A
conceptuol site/floor plon wos ovoiloble for review of the neighborhood meeting. Preliminory
story poles were olso erected on April I 6, 2013 of o moximum of roughly l8 feet obove grode
to represent the generol building mqss olong the northern/street elevotion.
At the CPP neighborhood meeting, project plonner Bob Scott gove on overview of the
meeting purpose, CPP protocols, ond City review process, Architect Jim Sneed introduced
the project, After the introductory comments, there wos informol diologue ond questions
obout the proposed design.
Seventeen ('17) members of the public ottended the neighborhood CPP meeting: Borboro
Anderson (l 107 Luneto Drive); the Gittelsohns (5.l I I I th Street); the Reids (l .l05 Cuchoro); Poge
Bloir 51 211t Street); the Froncises (45ó lOtt Street); Lorry Letofsky (l l th Street); Brion PorIer (428
lOtn Street); the Willioms (434 I ltn Street); Dovid Mighdoll (545 Amphitheotre); the Ellises (343
I ltn Street); ond the Simons (527 I lt¡ Street). A summory of the questions, comments,
concerns, ond responses ore shown below,
A revised concept wos developed (Concept #2) ond new story poles were erected on-site on
Moy ì 5,2013, The plons were revised to lower heights ond provide more building orticulotion
olong the street elevotion, Architect Jim Sneed ond Plonner Bob Scott ossessed the poles ond
determined further refinements would be mode to preserve the Gittelsohn view corridor,
On June 3,2013, the story poles were modified ogoin for o revised project concept (Concept
#3), The plons were revised to shift the eostern goroge element further south in order to
preserve the Gittelsohn view conidor down I ltn Street
A follow-up CPP meeting wos held with the Jim Sneed, Bob Scott, ond Gittelsohns on June 4,
2013. Plons were reviewed ond the story poles ossessed from the Gittelsohn reor yord ond
from the I lm Street right-of-woy, The Gittelsohns expressed generol concerns obout
mointoining light ond oir from their property ond neighborhood compotibility, They soid thot
they were pleosed with the direction the project wos heoding, Architect Jim Sneed sqid thot
he would provide copies for the concept (#3) drowings ond thot more complete story poles
would be erected for the DRB process,
EXHIBIT D
27
September 25, 2013
Item 03

One June 4,2013, Jim Sneed ond Bob Scott olso met briefly wilh Rich Simon re: the revised
story poles. Mr, Simon expressed o stoted DRB objective for "hormonious diversity" ond thot he
would ossess the revised poles ond contqct Bob Scotf with ony further comments or questions,
One June 24,2013, o follow-up CPP meeting wos held with Mqrk ond Dono Spooner, Jim
Sneed, Bob Scott, ond neighbor Lorry Letofsky re: lqndscope improvements ond mqintoining
privocy between the Spooner ond Letofsky properties, Both expresed q mutuol desire to
mqintoin privocy ond hove on opqque vegetotive screening, Mr, Letofsky soid he is
contemploting erecting o fence olong the properly line, The Spooners discussed mointoining
their vegetotion height to the height of the Letofsky roofline ond the possibility of extending
the Letofsky front hedge oround ond olong the side of their property, A londscope plobn will
be developed bosed on the meeting ond continued diologue will occur toword o mutuolly
occeptoble londscqpe solution,
l. Whot techniques did you use to notify ond involve the public regording your opplicotion?
A letter ond vicinity mop wos moiled notifying oll property owners ond occuponts within
300 feet of the site of the CPP opplicotion, ln the letter, oll interested porties were invited to
qttend the neighborhood CPP meeting,
2. Whot comments, concerns, ond/or issues did you heor during the process?
o, Concerns obout the height of the story poles qnd project mossing;
b, Comments thot the current poles moke the project look toll from The street, mqssive,
ond like o "fortress,"
c, Concerns obout neighborhood compotibility;
d, Comments thot the neighborhood tends to coscode down the street;
e, Concerns obout privote view blockoge by height ond bulk of story poles;
f . Comments obout o desire to view the sky;
g. Comments thot "if on overoge size turkey is 20 lbs, this one looks 35 lbs."
h, Comments/suggestions obout breoking up the roof mossing,
i, Concerns obout orchitecture, moteriols, colors;
j, Concerns obout site droinoge;
k, Concerns obout trees ond vegetotion qt western edge of the property;
l, Concerns obout construction noise
3. How hove you oddressed the concerns, issues ond problems roised?
ln response to CPP neighborhood comments, the project design will be revised ond refined to
reosonobly oddress oll CPP concerns. Revised plons will include building elevotions ond more
detoiled informotion on the proposed home. Specific concerns hove been oddresed qs
follows:
o, RE: concerns obout project scole, mossing, ond neighborhood compotibility, the
project will primorily be o one-story design, The project height will be lowered, the front
elevotion will hove orticulqtion, ond the roof mossing will be broken up;
28
September 25, 2013
Item 03

b, RE: concerns obout privote view blockoge ond light ond oir impocts, the project design
will be refined ond views will be further ossessed from the Gittelsohn dining room oreo;
c. RE: concerns obout the orchitecture, mqteriols, ond colors, the project design will be
refined ond will include elevotion views of the home. The project design ond site
improvements will be fully considered by the Design Review Boqrd;
d, RE: concern obout droinoge, o detoiled droinoge plon will be developed for City
Engineering qpprovol os port of the construction drowings;
e, RE: concerns obout trees ond londscope olong the western edge, the owners will work
with the owner of the property to the west (LetofsÇ) toword o mutuolly occeptoble
londscope solutions;
f . RE: construction noise, the project will comply will oll construction-reloted ordinonces of
the City of Del Mor,
4. lf there ore ony concerns, issues ond problems you olen't oble lo oddress, exploin why.
We believe thot we will be oble to oddress oll questions, concerns ond issues os we work
through the plonning process, The owner/operotor will continue to work with the
neighborhood toword common solutions on the issues discussed of the CPP meeting, Follow-
up meetings will be held with offected neighbors.
Attochment A - CPP distribution list qnd rodius mop,
Attochment B - Copy of CPP Neighborhood Notice
Attochment C - Development Proposol Concept Plons
Attochment D - CPP Meeting Sign-ln Sheel
29
September 25, 2013
Item 03

llÉÍ¡nlt IIüe
r---"
!
Lrtdd
- SfË.ß
. PãnÊþ
¡ cryUmß
q*
t
*
'E
It
ú
r
t
(st
5
I
I
I
r
*
*
*
(
il
taå
ñ
ffi
ß
¡l
0¿l/10¿2013Sub îl{e
1"=I88Ê
fHs nr ¡epsesents a vlfiel dþF¡ay d rbted geÒgfåpùt hËrmdüñ. OaIâ p¡oftlëd iereoF B not ä $râÉße d acü¡al lþltl condüotrs- To be sùrE t complæ accuracy,
¡leæ corüãct Ðeltar ðútb [¡e md sp"Ochúe mm*n
30
September 25, 2013
Item 03

1004t00:t00
SÊR¡ES A-IiI-ÀRREM SMITTY LI"C
1102 W¡\U0H DI{ 618
il()ust'oN Tx 77019
30040r 1400
CURRIìN'Í' RÈSID.ÊNF
l l r0 t.uNF.T.d DR
DËr- MÀt\ CA t20t4
3004t031 00
AJVREALFARTNBRS I}
]25 T'ËCHNOIÐGY DR
MA^LYËRNPA 19355
1002? l0?00
STURûËS,MELEN f S RÈVOC "TRUS T
P0 BÖx 301
PORT;SMoIITt{ NH I8lÌ2
1002;10800
CURRËNÏ RSSIDENT
411 IOTÍTST
DEI" MAR. C]A '20'4
3004r00t00
P TRILLJJOANNE 1 I¿USI'
5Oç AMÏ'TIIT}IEATRË ÞR
D8,LMÀRCA 92014
3tX)4103000
CURR.FNT RESIDENT
t?6 tOt't-t s I
DfLÀ,IA¡, CL\ 92014
3004t00.900
IVIICHDOLL FAMIIJ TRUST 0J-10-99
54S AMPfIITHEAIRÊ ÐR
DELM^,R CÀ 920t4
10û22 10400
CTJRRENT il,ESIDËNT
]4J l0llt sl'
DËL MAß" CA S2OI4
3004r00300
CURRENT RESIIJENT
I 12? CUCIIARA DR
I*J,, MAR, CA 9?OI4
3004100800
LUNDY F.AMILY M'ARNALTRUSTÀ I
52I .AMÌHTN.{HATRE DR
Drìr. MAR CA 9?0t4
3004101100
CT'RRENTRESIDENT
336 l0ïtl ST
DELI\4¡Jt. CÀ92014
3m4ì00600
TI{OMÄS FAMILY'TBU3 I' I2-I 84?
5I5 AMPITITIIEATRE DR
ûEl- MAn CA 9201¡l
1004001600
LÀ,SCH-ETÁINË (ì F,AMTLY T-RTJSÏ I 2
p() Box t224
DEf. MAR CA 92014
3004102500
FECK FAMJLY TRUST r)2-I2.99
313 r rrH 3T
DËLMÂR CA 92014
-10040 t 1400
(ìRO VliJ)()(J(ìLAS & JËNN| ¡'ÈR
IIIOLUNËIÁDR
DnLN,íAR C^ 920t4
3m4100800
CURRFM'RESIDNNT
52 I AMPI,IIT}IEATRß.ÞR
DËLM,ÀR, CÀ 92014
30022t0800
CLEESON FÄMILY TRUST O2"O¡.0?
5964 LÀ PLACË TT
CARLSBAD CA 92008
3004101000
UNDËRHILL,CHRIS
326 loTltST
DELMARCA92OI4
300400t ó00
crrjRR.ËNr RlftnENT
I I30 CIJCI{ARA DR
DEL Mr\R, C¡\ 910.14
3002210400
EDELSTËIN.LEON & FAY FAMI,LYRE
847 MUMLANDS VISTA WÀY
LA JOLI"{ CÀ 9203?
31
September 25, 2013
Item 03

1004 I 0 1400
PERI- l'¿\MtLY llËlRs LLo
6EIiI MUNI'E VËRDË I)R
SAN DIi:(X) CÀ 9:I I9
3004 I 0??00
CI-,'RR,gNT RESÌnENT
st0 l0ïr.f sï
DNI., MAR, CA Ð3014
3002d10500
¡r{URfl 1l FAMILY SUR.V,LRS TRUST 0
506 i\MIIT{ITHEATRE DR
DËLÀ,IÀITCA 9ZOI4
100il0r 100
CT}RRENTRTSJDENT
545 tlTlrST
DELMÀR, CA 92014
3004{102100
RüÀL PÀULA L LIVING'[RUSI'
I128 CUCI.IAßÀ DR
DELMARCA92OI4
]00*10t600
ENTOUS FAMILY TRUST
4tl Ítïrl37
DËT.MÄR CA 9?OI¿
3r$4¡02400
CUR,RËNT RESIDËNT
341 l tTH ST
D¡-l È4A& CA92A14
}fiH101400
(.:UR,RËNT RÉSIDENI'
441 il lH ST
DËL M¡\R, CA 92014
3004103300
WOHI.FORDKIDN REVOC TRUST
I155 CUCHÀRA T'R
ÞEI" MAR C.A 92014
3004ì01300
GTTTELSOHN'FAMILY TRUST Ûó-2+
5II IITTTStr
nEf, M.é.R CÀ920t4
30022 11000
TTITMANN,FRÁNCËS M'I]IUST
13û FEARL S1 504
DËNVER CÕ t0tü3
30022 10900
GREYASJOHNSEIRSNËM
P(J BOX 9ó
DELM,dII CÀ }2014
30024 r 0{il0
DALLÀS fAMIf,Y'TRUST
JzS Á"[4['Iln]{flÀ1'RJt DIL
DIìT,MÀR CA 9?O14
3004102200
cÖx Ë.AMtlli TRusl 0l-I0-8q
5t0 l0TI{ sr
DFr.M.ÀR CA 92014
3004 I 03300
CUIIRËNT RESTDËNT
I I55 CUC}IARÀ DR
DEt ÌvlAR, CA 92014
3004101500
LSTOfSKY.LARRY D
425 I lït Sl'
DnL MA& CA 9201¡l
3004t01300
CURRENTRFSIDü T
51r ilTHST
.DEL I\.IAR, CA92014
1@l0t t00
MASéNJoYCE D TRUST otrzltt
948 LACRSS'I'ÀDR
'nrousAND 0AKS CA 913é2
300400200{t
ST'8RMANJJLENN H & INAMARIA
1I03 LI,.TNHTA DR.
DËL MAR CÀ 9TOI4
3004102400
ËLL1S þ'ÀMrLY "[RUS r I 04440
343 lt'ruSl
ÞÉL M^R CA 92014
32
September 25, 2013
Item 03

April 16,2013
Mork Von Oene ond Dono Spooner (44311tn Street, Del Mor)
invite you to ottend o:
CITIZEN PARTICIPATION PROGRAM
NEIGHBORHOOD MEETING
Hello Neighbor:
We will be proposing to build q new home of 4431lrh Street, Del Mor ond invite you to provide eorly
comment on our plons, The property is locoted within on estoblished Rl-10 Zone residentiol
neighborhood ond currently contoins o single-fomily residence qnd ossocioted site improvements,
We ore considering o one-story home over o bqsement, The design style will hove q worm
contemporory theme, with o flot roof, ond utilizing noturql moteriols ond eorth-tone colors. The
project will qlso involve site work, including new wolls, potio spqces ond londscoping, Preliminory
concept drowings will be ovoiloble for review of the neighborhood meeting, Preliminory story poles
will olso be erected on-site to represent the generol mossing for the home,
A Design Review Permit ond Coostol Development Permit will be required for the new home. Pleose
note lhol q formol DRB opplicolion hos not been filed with the City, We ore eliciting neighborhood
feedbock well in odvonce of ony formol design submitlol qnd look forword to meeting you,
presenting our design concepts, ond discussing ony questions or concerns you mqy hove regording
this project before ony plons ore finolized for Design Review Boord considerotion.
Pleqse join us on:
Tuesdoy, April 30,2013
5:00 pm - 7:00 pm
ol443l lttt Slreel
Del Mor, CA92OI4
Thonk you in odvonce for your cooperotion in this process, lf you connot qttend this meeting, or if
you hove ony questions beforehond, pleose contoct our qrchitect Jim Sneed of (858) 481-8244, our
plonner Bob Scott ot (858) 692-8832,
Sincerely,
¡,4arþ,vaw oev\,e awd >awo S¡oowr
Note: This notice is being sent to you to fulfill the City of Del Mor Citizen Porticipotion Progrom requirements
(DMMC 23,08), This outreoch effort to our neighbors is necessory becouse on opplicotion for o design review
permit ond coostol development permit will be filed with the City of Del Mor Plonning Deportment, The sole
purpose of this process is to be o preliminory tool for opening o diologue ond to ensure thot the project
oppliconts ond the citizens both hove on opporlunity in the plonning process to discuss, understond, ond try to
resolve neighborhood issues reloted to potentiol impocts of o proposed project on the surrounding
neighborhood, Pleose continue to
monitor ony notices you receive os chonges moy be mode to the project before the finol decision is mode,
Questions obout this notice ond the proposed development should be directed to the contoct informotion
obove, Questions regording the Citizen Porticipotion Progrom should be directed to the Plonning Deportment
ot (858) 755-9313,
33
September 25, 2013
Item 03

CPP SIGN-IN-SHËET
DATEI Aprìl 30, 2013
PROJECT; CPP Neighborhood Meeling for the Spooner ldesiderìce,
44311t'Street" Del Mon CA
NIAME ADDRESS & PHONE NUMBËR
tr
W
Ifsa¡ il + L4 T\
tr ¡
2ún 8s# Lw
J. -"f*¿; wtr
4" ¡t'fh
5, 1r'u-
n
6, ,{ yt*
úD
t\ ilE¡-
8, tr
{-i?..8 r*1É ";; "5{ù - "1
çLt¿"J tr
El"
I O, +L4 1,,, ")
ie ,.,***r*r ?ly' ll+-' l,y t¡?,4 #gz d- n
1l t{t '/ü,1 çzf. 4¿n* n
/r-a
'l 2, ' Ðo* ,* l¿t ó.&kÐpq-- L- ; 4 { 4¡'r f¡lrTø+:¡;"/r' $:* "2*l'L>*
!
ú"**
v3
t) ;Nn
14. #: ",Ç "."u o* ' j-Å z - #/ç/ -Ðn Í ,l'f"T, w'- n
15, t
nu
JÓ,
ü
17, n
ü
ED
I?, u
20,
34
September 25, 2013
Item 03

To: DRB members.
Re: Item 3 DRB 13-14 : Sept 25 2013
433 11th St.
We reside across 11th St.from the proposed construction and are the current residents most likely
to be impacted by it. From our prime view area we do see a segment of the ocean but the
predominant view consists of houses across the canyon (11th Street).
One concern is about the garage entry on the corner of 11th and Cuchara, which is a difficult
intersection due to the jog in 11th at that point. Lanes are not respected by westbound traffic
moving rapidly downhill after the hairpin bend at the top. So we must hug the curb when turning
north up onto Cuchara. Road dots were installed to try to remedy this. We are told that the traffic
pattern has been studied so hope that this will not exacerbate the problem.
As for the house, our main concern is with the possibility of sun glare from the front windows
and of excessive light at night. We often use our front (south) veranda both day and evening so
hope this will be considered. We expect that the owners will want to keep the windows free for
light inside as this has always been a dark location due to the rear slope. We hope to discuss this.
We are grateful that there will not be a new Del Mar "mansion" and feel that the proposed house
will fit into the neighborhood even though its design is different. In fact we do like the general
appearance as we envision it from the plans. It is simple and elegant and in keeping with the
general ambience of the neighborhood. We look forward to a possible three dimensional
rendering to show the front articulation.
We welcome the DRB members to visit 1105 Cuchara before the hearing.Please call 858
755 9662 0r use freid@ucsd.edu
Freda Reid
Joseph Reid
Exhibit E
35
September 25, 2013
Item 03